EX-99 5 ex96-1.htm EX-96.1

 

Exhibit 96.1

 

 

Important Notice

 

This Report was prepared for American Battery Technology Company by the qualified persons (QPs) identified in the Report’s Date and Signature Page.

 

This Report contains estimates, projections, and conclusions that are forward-looking information within the meaning of applicable securities laws. Forward-looking statements are based upon the responsible QPs opinions at the time that they are made but, in most cases, involve significant risk and uncertainty.

 

Although each of the responsible QPs has attempted to identify factors that could cause actual events or results to differ materially from those described in this Report, there may be other factors that cause events or results to not be as anticipated, estimated, or projected. None of the QPs undertake any obligation to update the forward-looking information.

 

This Report is intended to be used by American Battery Technology Company subject to the terms and conditions of its contracts with each of the QPs. Except for the purposes legislated under United States securities law, any use of, or reliance on, this Report by any third party is at that party’s sole risk.

 

barr.com

 

Date and Signature Page

 

This technical report and pre-feasibility study is effective as of the 4th day of September, 2025.
 
Original signed and sealed on file   September 4, 2025

Daniel R. Palo, PE

On behalf of Barr Engineering Co.

Chapters 1-5, 12-13, and 15-25 (excluding sections 18.2.2 and 18.3.2)

  Date
     
Original signed and sealed on file   September 4, 2025
Jacob Anderson, CPG
On behalf of Dahrouge Geologic Consulting Ltd.
  Date
Chapters 6-9 and 11    
     
Original signed and sealed on file   September 4, 2025
Jeffrey Woods, RM-SME, QP-MMSA
Woods Process Services, LLC.
  Date
Chapters 10, 14, and sections 18.2.2, and 18.3.2    

 

barr.com

 

Tonopah Flats Lithium Project
Pre-Feasibility Study

 

September 2025

 

 

Contents

 

1   Executive Summary 1
1.1   Property Description and Ownership 1
1.2   Geology and Mineralization 1
1.3   Status of Exploration, Development, and Operations 2
1.4   Metallurgical Testing and Mineral Processing 2
1.5   Mineral Resource Estimate 2
1.6   Mineral Reserves 3
1.7   Mining Methods 4
1.8   Processing and Recovery Methods 5
1.9   Infrastructure 5
1.10   Capital and Operating Costs 6
1.11   Economic Analysis 8
1.12   Economic Sensitivities 8
1.13   Conclusions and Recommendations 9
1.13.1   Project Risks 10
1.13.2   Recommendations 11
2   Introduction 12
2.1   Sources of Information 12
2.2   Personal Inspections 12
2.3   Effective Date 13
3   Property Description and Location 14
3.1   Property Location 14
3.2   Property Area and Claim Type 15
3.3   Mineral Rights 16
3.4   Significant Encumbrances and Permitting 16
3.5   Royalties 16
3.6   Significant Factors and Risks 16

 

barr.com
i

 

4   Accessibility, Climate, Local Resources, Infrastructure and Physiography 17
4.1   Property Access 17
4.2   Climate and Length of Operating Season 17
4.3   Infrastructure 17
5   History 19
6   Geologic Setting, Deposit Type, and Mineralization 20
6.1   Regional Geologic Setting 20
6.2   Regional Geology 20
6.3   District and Local Geology 20
6.4   Mineralization 27
6.5   Deposit Type 27
6.5.1   Lithium Deposit Model 27
6.5.2   Sources of and Concentration of Lithium in Clays 28
7   Exploration 30
7.1   ABTC 2021 Surface Sampling 30
7.2   ABTC 2021 and 2022 Exploration Drilling 32
7.3   ABTC 2023 Exploration Drilling 35
7.4   ABTC 2025 Exploration and Geotechnical Drilling 35
7.5   Interpretation of Drilling Results and Adequacy of Sample Quality 38
8   Sample Preparation, Analysis, and Security 41
8.1   Historical Sample Preparation, Analysis, Quality Assurance/ Quality Control Procedures, and Historical Sample Security 41
8.2   Sample Preparation, Analyses, Sample Security, and Quality Assurance/Quality Control Procedures by ABTC 41
8.2.1   ABTC 2021 Surface Sampling 41
8.2.2   ABTC 2021-2022 Air Core and RC Drill Sampling 41
8.2.3   ABTC 2023 Core Drill Sampling 42
8.2.4   ABTC 2025 Core Drill Sampling 43
8.3   ABTC Quality Assurance/Quality Control Results 43
8.3.1   Standards 44
8.3.2   Lithium CRM Results in the 2021-2022 Drill Programs 45
8.3.3   Lithium CRM Results in the 2023 Drill Programs 47
8.3.4   Lithium CRM Results in the 2025 Drill Programs 48
8.4   Duplicates 49
8.5   Blanks 56
8.5.1   Results for Blanks in the 2021 to 2022 Drill Program 56
8.5.2   Results for Blanks in the 2023 Drill Program 57
8.5.3   Results for Blanks in the 2025 Drill Program 58
8.6   Adequacy of Sample Preparation, Analyses, and Security 58

 

barr.com
ii

 

9   Data Verification 60
9.1   Site Visit 60
9.2   Drilling Database Verification 60
9.2.1   Assays 61
9.3   Adequacy of Data 61
9.4   Metallurgical Test Work and Pilot Plant Adequacy of Data 62
10   Mineral Processing and Metallurgical Testing 64
10.1   Mineral Processing and Metallurgical Testing Summary 64
10.2   Sample Information 65
10.3   Sample Analysis Methods and Validation 66
10.4   Mineralogy and Particle Properties 68
10.4.1   Particle Size and Mineralogy 69
10.4.2   QEMSCAN Field Imaging 72
10.4.3   Specific Gravity Analysis 73
10.4.4   Thermogravimetric Analysis 73
10.5   Mineral Processing 74
10.5.1   Bond Ball Work Index 74
10.5.2   Beneficiation 75
10.5.3   Mineral Processing – Dewatering 76
10.5.4   Pulp Rheology 78
10.6   Lithium Extraction – Pretreatment and Water Leaching of Beneficiated Claystone 78
10.6.1   Counter Current Decantation Leaching 78
10.7   PLS Purification and Polishing 79
10.7.1   Alkaline-Earth Metal Removal by Precipitation 79
10.7.2   Ion-Exchange Screening 79
10.8   Sulfate to Hydroxide Conversion 80
10.9   Crystallization of Lithium Hydroxide Monohydrate 80
10.10   Pilot Plant 81
10.11   Conclusions 82
11   Mineral Resource Estimate 83
11.1   Summary 83
11.2   Key Assumptions and Methods 83
11.3   Database 84
11.4   Interpretation and Modeling 88
11.5   Density 89
11.6   Compositing 90
11.7   Outlier and Capping 90

 

barr.com
iii

 

11.8   Variography 91
11.9   Lithium Block Modeling and Estimation 93
11.9.1   Estimation Domains 93
11.9.2   Grade Simulation 98
11.9.3   Block Model Validation 98
11.10   Reasonable Prospects of Economic Extraction for Mineral Resources 101
11.11   Mineral Resource Estimate 103
11.12   Qualified Person Statement 104
11.13   Mineral Resource Uncertainty 104
12   Mineral Reserves Estimates 106
12.1   Approach 106
12.2   Design Pit Selection 107
12.3   Open-Pit Design 109
12.4   Mining Dilution and Ore Loss 112
12.5   Mineral Reserve Estimate 112
13   Mining Methods 113
13.1   Economic Parameters and Cut-Off Grades 113
13.2   Pit Optimization 114
13.3   Road and Ramp Design 114
13.4   Open Pit Design 115
13.4.1   Open Pit Geotechnical Considerations 115
13.4.2   Rock and Soils Strength Assessment 123
13.4.3   Stability Analysis 124
13.4.4   Open-Pit Slope Design Recommendations 126
13.5   Pit, Tailings, Coarse Gangue, Waste Dump, and Backfill Designs 127
13.6   Phase Design 128
13.7   Production Schedule 130
13.8   Mine Equipment 142
13.8.1   Drilling and Blasting 143
13.8.2   Loading and Hauling 145
13.8.3   ROM Ore Handling 148
13.8.4   Tailings And Coarse Gangues Handling 148
13.8.5   Support and Service Equipment 149
13.9   Mine Personnel 150
13.10   Reclamation and Closure 152
14   Processing and Recovery Methods 154
14.1   Introduction 154

 

barr.com
iv

 

14.2   ABTC’s Pilot-Scale Plant 155
14.2.1   Pertinent Results 155
14.2.2   Key Findings and Scale-Up Differences 155
14.3   High Level Design Criteria 157
14.4   Comminution and Screening 158
14.5   Beneficiation 159
14.6   Extraction 160
14.7   Impurity Removal and Concentration 162
14.8   Impurity Crystallization 163
14.9   Sulfate Crystallization 163
14.10   Hydroxide Conversion and Crystallization 164
14.11   Tailings 165
14.12   Utilities 165
14.12.1   Off-Gas Handling 165
14.12.2   Water 165
14.12.3   Chilled Water 165
14.12.4   Cooling Water 165
14.12.5   Reagents 166
15   Infrastructure 167
15.1   Site General Arrangement 167
15.1.1   Access Roads 167
15.1.2   Process Plant General Arrangement 167
15.1.3   Reagents, Consumables, and Shipping 169
15.1.4   Ancillary Buildings 169
15.2   Mine Infrastructure and Tailings Facility 170
15.2.1   Mine Workshop and Truck Maintenance 170
15.2.2   Fuel Storage and Distribution 170
15.2.3   Tailings Storage Facility 170
15.3   Power Infrastructure 173
15.3.1   Site Power Distribution 173
15.3.2   Onsite Power Generation 174
15.3.3   Financial Incentives and Revenue Opportunities 175
15.4   Water Infrastructure 176
15.4.1   Water Supply 176
15.4.2   Process Water Treatment and Recovery 176
15.4.3   Water Discharge 176
15.4.4   Storm Water Handling 176
15.5   Waste Management 176

 

barr.com
v

 

15.6   Communications 176
15.7   Mobile Equipment 177
15.8   Rail 177
15.9   Fossil Fuels 177
16   Market Studies 178
16.1   Demand 180
16.2   Comparable Pricing 181
17   Environmental Studies, Permitting, and Plans; Negotiations or Agreements with Local Individuals or Groups 182
17.1   Introduction 182
17.2   Environmental Baseline Studies 182
17.2.1   Visual 183
17.2.2   Environmental Justice 183
17.2.3   Human Noise 183
17.2.4   Paleontology 184
17.2.5   Grazing 184
17.2.6   Lands and Realty 184
17.2.7   Socioeconomics 184
17.2.8   Floodplains 184
17.2.9   Cultural Resources 185
17.2.10   Biological 185
17.2.11   Raptors 185
17.2.12   Geochemistry 185
17.2.13   Hydrology 186
17.2.14   Air Quality 187
17.3   Permitting 187
18   Capital and Operating Costs 192
18.1   Introduction 192
18.2   Capital Cost Estimate 192
18.2.1   Mining Capital Cost Estimates 193
18.2.2   Refinery CAPEX 195
18.3   OPEX Estimate 196
18.3.1   Mining OPEX Estimates 197
18.3.2   Refining OPEX 200
18.3.3   Energy Cost 202
18.3.4   General and Administrative OPEX 203
19   Economic Analysis 205
19.1   Sensitivity Analysis 210

 

barr.com
vi

 

20   Adjacent Properties 212
21   Other Relevant Data and Information 215
22   Interpretations and Conclusions 216
22.1   Conclusions 216
22.2   Tonopah Flats Expansion Potential 217
22.3   Project Risks 217
23   Recommendations 219
23.1   Mining, Ore Handling, and Tailings Handling 219
23.2   Metallurgy and Processing 219
23.2.1   Recommended Metallurgical Test Work 219
23.3   Passive Seismic Study 220
23.4   Geotechnical 220
23.5   Baseline Environmental Studies and NEPA Documentation 221
23.6   Feasibility Study 222
24   References 223
25   Reliance on Information Provided by the Registrant 226

 

barr.com
vii

 

Tables

 

Table 1-1 Tonopah Flats Mineral Resources 3
Table 1-2 Tonopah Flats Mineral Reserves Estimate Effective as of the Date of this PFS 4
Table 1-3 Total Capital Cost Summary 7
Table 1-4 Operating Cost Summary 8
Table 1-5 ABTC Estimated Costs for Tonopah Flats Recommended Work Program 11
Table 3-1 Summary of Annual Property Holding Costs 16
Table 4-1 Average Climate Data for Tonopah, Nevada 17
Table 7-1 ABTC Drilling 2021 - 2023 32
Table 7-2 ABTC 2025 Drilling Program 35
Table 7-3 Drill Intervals of Interest 38
Table 8-1 Summary Counts of Tonopah Flats QA/QC Analyses 44
Table 8-2 CRMs Used by ABTC 45
Table 8-3 Summary of Lithium Results for Certified Reference Materials, 2021-2022 45
Table 8-4 Lithium CRM Failures in the 2022 Drill Program 46
Table 8-5 Explanation for Figure 8-1 47
Table 8-6 Summary of Tonopah Flats Lithium Results for Certified Reference Materials, 2023 47
Table 8-7 Lithium Failures in the 2023 Drill Program 48
Table 8-8 Summary of Tonopah Flats Lithium Results for Certified Reference Materials, 2025 49
Table 8-9 Summary of Results for Field Duplicates and Laboratory Preparation Duplicates 51
Table 8-10 Summary of Results for Blanks 56
Table 8-11 Blank Failures and Preceding Samples 2021-2022 56
Table 9-1 Limits of Detection for Analytical Methods 63
Table 10-1 Materials Used for Mineral Processing and Metallurgical Test Work 66
Table 10-2 Limits of Detection for Analytical Methods 67
Table 10-3 Particle Size Distribution for BS-TF-2219 69
Table 10-4 Semi-Quantitative Mineralogical Composition of DC-TF-2218 (Head Material) and DC-TF-2218-BC2 (Beneficiated Clay) (SGS Canada, Inc., 2025) 72
Table 10-5 Bond Ball Work for Two Closing Screen Sizes 75
Table 11-1 Descriptive Statistics of Sample Assays in Tonopah Flats Drillhole Database 84
Table 11-2 Drillhole Sample Statistics 84
Table 11-3 Lithium Statistics by Geologic Unit 86
Table 11-4 Tonopah Flats Deposit Average Specific Gravity Measurements by Lithology 89
Table 11-5 Approximate Grade Ranges of Lithium Domains for Fault Block 3 94
Table 11-6 Approximate Grade Ranges of Lithium Domains for Fault Block 4 95
Table 11-7 Tonopah Flats Sequential Gaussian Simulation Parameters 98
Table 11-8 Pit Optimization Parameters 101
Table 11-9 Tonopah Flats Inferred Mineral Resources at Various Cut-Offs (Exclusive of Measured and Indicated) 103
Table 11-10 Classified Lithium Mineralization Exclusive of the Mineral Reserve with a Cut-Off of 300 ppm Li 104
Table 11-11 Lithium Mineral Resources Inclusive of the Mineral Reserve with a Cut-Off of 300 ppm Li 104
Table 12-1 Primary Pit Optimization Parameters 107
Table 12-2 Overall Results of the Tonopah Flats Open Pit Optimization 108
Table 12-3 Tonopah Flats Mineral Reserves Estimate as of PFS Date 112

 

barr.com
viii

 

Table 13-1 Economic Parameters for Calculation of the Cut-Off Grade 114
Table 13-2 Geotechnical Borings Drilled for South Lobe of the Open Pit 116
Table 13-3 Atterberg Limits Summary 119
Table 13-4 Results of Uniaxial Compressive Strength Tests 120
Table 13-5 Summary of Uniaxial Compressive Strength Tests 120
Table 13-6 Results of Splitting Tensile Strength Tests 121
Table 13-7 Summary of Splitting Tensile Strength Tests 121
Table 13-8 Summary of Triaxial Compressive Strength Tests 122
Table 13-9 Results of Direct Shear Strength Tests 122
Table 13-10 Summary of Unconsolidated-Undrained Triaxial Compression Test 123
Table 13-11 Results of Consolidated-Undrained Triaxial Compression Tests 123
Table 13-12 Typical FOS and POF Acceptance Criteria Values (Read & Stacey, 2009) 125
Table 13-13 Recommended Open-Pit Design Slope Configuration 126
Table 13-14 Tonopah Flats Phase Design Report 129
Table 13-15 45-Year Production Schedule 132
Table 13-16 45-Year Mining Quantities (tonnes) 133
Table 13-17 Major Mining Equipment – Maximum Units Required 143
Table 13-18 Drilling Productivity 143
Table 13-19 Drilling Productivity by Period 144
Table 13-20 Blasting Patterns and Powder Factors 144
Table 13-21 Blasting and Explosives by Period 145
Table 13-22 Loading and Hauling Productivity 145
Table 13-23 Truck Speed Limits and Grade-Speed Bin 147
Table 13-24 Average Load-Haul Units and Productivity by Period 147
Table 13-25 Feed Handling Equipment By Period 148
Table 13-26 Tailings Handling Equipment By Period 149
Table 13-27 Support and Service Equipment-Maximum Units Required 150
Table 13-28 Mining Labor Requirements 151
Table 14-1 Differences Between Pilot and Commercial Scale 156
Table 14-2 Design Requirements Not Previously Identified 156
Table 14-3 High Level Process Design Criteria 157
Table 15-1 Tailings Index Properties 171
Table 15-2 Direct Shear Test Results for Tailings 171
Table 15-3 Geotechnical Model Parameters 171
Table 15-4 Tailings Storage Facility Stability Modeling Results 172
Table 15-5 Seismic Sensitivity Results 173
Table 15-6 Water Sensitivity Analysis 173
Table 16-1 Historic 3-Year LHM Pricing FOB North America (S&P Global Market Intelligence, n.d.) 179
Table 16-2 Industry LiOH Pricing Data 181
Table 16-3 Average LiOH Prices Using a Five-Year Pricing Window 181
Table 17-1 Required Baseline Studies for TFLP 183
Table 17-2 Federal Environmental Permits, Reviews, and Approvals 188
Table 17-3 State of Nevada Environmental Permits, Reviews, and Approvals 189
Table 18-1 Project Capital Estimates 193
Table 18-2 Mining Capital Estimates 194
Table 18-3 Overview of Refinery Direct Capital Costs ($000) 196

  

barr.com
ix

 

Table 18-4 Refinery Capital Cost Timeline ($ 000s) 196
Table 18-5 Operating Cost Summary 197
Table 18-6 Mining Operating Costs Summary 198
Table 18-7 Mining Operating Costs By Period 199
Table 18-8 Energy Usage By Mining Activity 200
Table 18-9 Refinery OPEX Cost Summary 200
Table 18-10 Estimated Refinery Labor 201
Table 18-11 G&A Operating Costs – Personnel ($000s) 203
Table 18-12 G&A Operating Costs – General ($000s) 203
Table 19-1 PFS Production Schedule 206
Table 19-2 Project Cash Flow 207
Table 19-3 After Tax Cash Flow Lithium Price Sensitivity 210
Table 19-4 After Tax Cash Flow Capital Cost Sensitivity (US$ Billion) 210
Table 19-5 After Tax Cash Flow Energy Cost Sensitivity (US$ Billion) 211

  

Figures

 

Figure 1-1 After-Tax Cash Flow Sensitivity - NPV (8%) US$ Billion 9
Figure 3-1 Location Map for the Tonopah Flats Property 14
Figure 3-2 Tonopah Flats Property Map 15
Figure 6-1 Property Geologic Map of the Tonopah Flats Lithium Project - Modified from Bonham & Garside, 1979 22
Figure 6-2 Generalized North-South Cross Section Through the Central Portion of the Tonopah flats Property (provided by ABTC, 2023) 24
Figure 6-3 Generalized East-West Cross Section through the Central Portion of the Tonopah Flats Property (provided by ABTC, 2023) 25
Figure 6-4 Detailed Stratigraphic Column of the Tonopah Flats Lithologic Units from Drilling 26
Figure 6-5 Modified Schematic Model of Sedimentary or Clay Lithium Deposits (modified after Helvaci (2015), from Vardar Minerals Ltd, Viti Li-B Project, Kosovo) 29
Figure 7-1 Map of Tonopah Flats Surface Sample Locations 31
Figure 7-2 Map of Tonopah Flats Drillhole Collars 33
Figure 7-3 ABTC 2025 Sonic Drillhole Locations 36
Figure 7-4 ABTC 2025 Diamond Drilled Core Hole Locations 37
Figure 8-1 Lithium Control Chart for MEG Li.10.14 46
Figure 8-2 Lithium Control Chart for MEG Li.10.11, 2023 Drill Program 48
Figure 8-3 Li CRM MEG Li 10.12 Used for the 2025 Drill Program 49
Figure 8-4 Lithium AAL vs. Paragon Scatterplot, 2021-2022 52
Figure 8-5 Lithium Relative Percent Difference, AAL vs. Paragon, 2021-2022 52
Figure 8-6 AAL Preparation Duplicate vs. Original for Lithium, 2021-2022 53
Figure 8-7 Lithium Field Duplicates Scatterplot, 2023 54
Figure 8-8 Field Duplicates for 2025 Program (Li ppm) 55
Figure 8-9 Relative Percentage Difference Between Duplicates for the 2025 Drilling Program 55
Figure 8-10 Lithium in "MEG Silica Blank 21.03" and Preceding Samples 2021-2022 57
Figure 8-11 Lithium in "MEG Silica Blank 21.03" and Preceding Samples 2023 57
Figure 8-12 Blank Analysis Completed on the 2025 Drilling Program 58

 

barr.com
x

 

Figure 9-1 Lithium Concentration Control Chart for Certified Reference Materials from Moment Exploration Geochemistry LLC, MEG Li.10.14 62
Figure 9-2 Lithium Concentration Control Chart for Certified Reference Material from Moment Exploration Geochemistry LLC, MEG Li.10.15 63
Figure 10-1 Lithium Concentration Control Charts for Certified Reference Materials from Moment Exploration Geochemistry LLC., MEG Li.10.14 and MEG Li.10.15. 68
Figure 10-2 Particle Size Distribution of -20 µm Fraction Showing a Bimodal Distribution of the Head Material For BS-TF-2219 70
Figure 10-3 Cumulative Elemental Distribution of Clay Materials Shows That 90% of Li Mass is Reported in Less Than 20 µm Size Fraction for BS-TF-2219 (Hazen Research Inc., 2024) 70
Figure 10-4 Cumulative Distributions of Lithium, Magnesium, and Silicon of Sample DC-TF-2218 (SGS Canada, Inc., 2025) 71
Figure 10-5 Detailed QEMSCAN Field Image Of 100% -600 µm Sample. Calcite is Present as Discrete Finer Grains and Pervasively Penetrates the Surrounding Illite-Smectite Clay Minerals (Hazen Research Inc., 2024) 73
Figure 10-6 Thermogravimetric Analysis of DC-TF-2218 (Homogenized Clay) and DC-TF-2218-BC2 (Beneficiated Clay) 74
Figure 10-7 Lithium Recovery vs. Grade for Bench Scale Trials Carried Out by SGS (SGS Canada, Inc., 2025). HC-3 Gives a Highest Grade of Lithium in the Beneficiated Clay 75
Figure 10-8 Particle Size Distribution of DC-TF-2218-BC2. The D80, D50, and D10 of the Beneficiated Clay is 1.680 µm, 0.932 µm, 0.455 µm Respectively 76
Figure 10-9 Process Flow Sheet for Lithium Extraction from Claystone by Pretreated Selective Extraction 78
Figure 10-10 Lithium Hydroxide Monohydrate Battery-Grade Sample Certificate of Analysis Manufactured from ABTC Claystone Material 81
Figure 10-11 Photograph of ABTC’s Lithium Hydroxide Pilot Plant Processing Materials from the Tonopah Flats Sedimentary Claystone Deposit with a Nominal Plant Capacity of Multi-Kilograms of Products/Day. 82
Figure 11-1 Lithium PPM Histogram for the Upper Unit – Tcsu 86
Figure 11-2 Lithium (ppm) Histogram for the Middle Unit – Tcsm 87
Figure 11-3 Box Plot of the Tcsu, Tcsm, and Tcsl Geologic Units 87
Figure 11-4 Fault Traces Interpreted from Drilling (Left); Corresponding Fault Blocks Used to Constrain the Conditional Simulations (Right) 89
Figure 11-5 Perspective View Looking Down Towards the East Showing the Relative Positions of Qal (Yellow), Tcsu (Green), Tcsm (Brown) and Tcsl (Dk Green) Lithologies in Fault Block 3 90
Figure 11-6 Variogram for Tcsu with Ranges to Sill Included 91
Figure 11-7 Variogram for Tcsm with Ranges to Sill Included 92
Figure 11-8 Variogram for Tcsl with Ranges to Sill Included 92
Figure 11-9 Lithium Drillhole Sample Variography in Fault Block 3 93
Figure 11-10 Lithium Population Probability Distribution Graph 94
Figure 11-11 Cross Section Looking North Showing Lithium Domains 96
Figure 11-12 Cross Section Looking East Showing Lithium Domains 97
Figure 11-13 Comparison Of Drillhole Composite Lithium Grades (Bars) to Conditionally Simulated Block Grades (Red Line) 99

 

barr.com
xi

 

Figure 11-14 Swath Plots Comparing Drillhole Composite Lithium Grades (Black Lines) to Simulated Grades In 5 m by 5 m by 1 m Model (Red Lines) 100
Figure 11-15 Resource Classification 101
Figure 12-1 Tonopah Flats Open Pit Optimization - Overall Pit Shell Results 109
Figure 12-2 Final Pit Design 110
Figure 12-3 Measured and Indicated Resources Relative to the Final Pit Design 111
Figure 12-4 E470300 Cross Section of the Final Pit Showing Measured and Indicated Resources (Li ppm) 111
Figure 12-5 N4215200 Cross Section of the Final Pit Showing Measured and Indicated Resources (Li ppm) 112
Figure 13-1 Open Pit Geotechnical Boring Locations 116
Figure 13-2 Poles of Features Picked by IDS as Sealed (Type 0), Partial Open (Type 1), and Continuous Open (Type 2) Structures from TF25-GT1 and TF25-GT3 118
Figure 13-3 Density Concentrations and Mean Set Planes for Structures Picked by IDS As Type 1 and Type 2 (i.e., Potentially Structures Other Than Bedding Planes) 118
Figure 13-4 Shear Strength Data from Laboratory Testing 124
Figure 13-5 Tonopah Flats Ultimate Pit Design and Facilities 127
Figure 13-6 Tonopah Flats Ultimate Pit Design, Facilities, and In-Pit Backfill (Year 45) 128
Figure 13-7 Tonopah Flats Phase Design 129
Figure 13-8 Total Tonnage Scheduled by Phase 130
Figure 13-9 Process Feed and Li Grade 131
Figure 13-10 Process Feed and LHM Production 131
Figure 13-11 Production Schedule and Strip Ratio 131
Figure 13-12 LOM Material Movements 135
Figure 13-13 LOM Truck Hours 135
Figure 13-14 Tonopah Flats Phase 1 Mining (Year 5) 136
Figure 13-15 Tonopah Flats Phase 2 Mining and Backfill (Year 7) 137
Figure 13-16 Tonopah Flats Phase 3 Mining and Backfill (Year 13) 138
Figure 13-17 Tonopah Flats Phase 4 Mining and Backfill (Year 17) 139
Figure 13-18 Tonopah Flats Phase 5 Mining and Backfill (Year 21) 140
Figure 13-19 Tonopah Flats Phase 6 Mining and Backfill (Year 28) 141
Figure 13-20 Tonopah Flats Phase 7 Mining and Backfill (Year 37) 142
Figure 14-1 ABTC’s Process Block Flow Diagram 154
Figure 14-2 Comminution and Screening Flow Diagram 158
Figure 14-3 Beneficiation Flow Diagram 159
Figure 14-4 Filter Press Flow Diagram 160
Figure 14-5 Extraction Flow Diagram 160
Figure 14-6 Thickener and Leaching Flow Diagram 161
Figure 14-7 Precipitation Flow Diagram 162
Figure 14-8 Osmosis Flow Diagram 162
Figure 14-9 Crystallizer Flow Diagram 163
Figure 14-10 Ion Exchange Flow Diagram 164
Figure 14-11 Electrochemical Conversion Process Flow Diagram 164
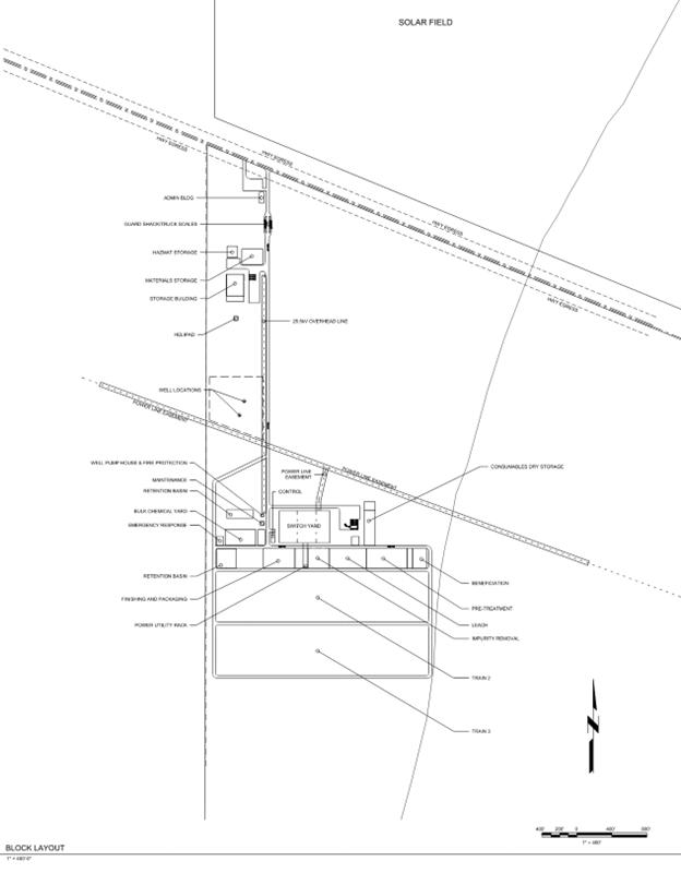
Figure 15-1 Refinery Block Layout 168
Figure 16-1 Industry Price Chart from S&P Global Market Intelligence (accessed July 31, 2025) Showing Historic 5-Year LHM Pricing 179
Figure 18-1 Mining Operating Costs (weighted $/t moved) 198

 

barr.com
xii

 

Figure 19-1 After Tax Cash Flow Sensitivity - NPV (8%) (US$ Billion) 211
Figure 20-1 Adjacent Properties 212

 

Appendices

 

Appendix AList of Unpatented Lode Claims of the Tonopah Flats Property

 

barr.com
xiii

 

Abbreviations, Acronyms, and Units

 

°C degrees Celsius
µg/g micrograms per gram
μm micrometer (micron)
45X MPTC Advanced Manufacturing Production Tax Credit
AACE Association for the Advancement of Cost Engineering (AACE International)
AAL American Assay Laboratory
ABA acid-base accounting
ABI acoustic borehole imagers
ABTC American Battery Technology Company
ac acres
AC air core (drilling)
ACOE U.S. Army Corps of Engineers
AGP acid generation potential
ALS ALS Limited - Geochemistry
AMSL above mean sea level
ANP acid neutralization potential
ARPD absolute relative percent difference
ATF U.S. Bureau of Alcohol, Tobacco, Firearms and Explosives
avg average
B billion
B&V Black & Veatch Corporation
BAPC NDEP Bureau of Air Pollution Control
BESS battery energy storage system
bgs below ground surface
BLM U.S. Bureau of Land Management
BMRR NDEP Bureau of Mining Regulation and Reclamation
BSDW NDEP Bureau of Safe Drinking Water
BWM NDEP Bureau of Waste Management
BWPC NDEP Bureau of Water Pollution Control
CAA U.S. Clean Air Act
CAPEX capital expenditures
CCD countercurrent decantation
CFR Code of Federal Regulations

 

barr.com
xiv

 

CG coarse gangues
CH high-plasticity clay
CI confidence interval
cm centimeter
cm/s centimeters per second
cm3 cubic centimeters
COA Certificate of Analysis
COG cut-off grade
CRM Certified Reference Material
CU consolidated-undrained (triaxial test)
Dahrouge Dahrouge Geological Consulting Ltd.
DC direct current
DDS NDWR Dams & Dam Safety
dm decimeters
DSFM NDPS Division of State Fire Marshal
EDX energy dispersive X-ray spectroscopy
EIS environmental impact statement
EMS Energy Management System
EPA U.S. Environmental Protection Agency
EPC engineering, procurement, and construction
EV electric vehicle
FCC U.S. Federal Communications Commission
FOB free on board
FOS factor of safety
FS feasibility study
FSS fully softened strength
ft foot/feet
ft/s feet per second
g gram
G&A general and administrative
g/cm3 grams per cubic centimeter
g/t grams per tonne
GPS global positioning system
h hour

 

barr.com
xv

 

ha hectares
Hazen Hazen Research, Inc.
IA Initial Assessment Report (April 2024)
IC ion chromatograph
ICP inductively coupled plasma
ICP-MS inductively coupled plasma mass spectrometry  
ICP-OES inductively coupled plasma optical emission spectrometry
ID Identification
IRA Inflation Reduction Act
IRR internal rate of return
IT information technology
ITC Investment Tax Credit
IX ion exchange
kg kilogram
kh seismic loading coefficient
km kilometer
kN/m3 kilonewtons per cubic meter
KOP Key Observation Points
kPa kilopascals
kph kilometers per hour
ktonnes kilotonnes
kV kilovolt
kWh kilowatt-hour
LCL Lower Control Limit
LHM lithium hydroxide monohydrate
Li lithium
Li-ion lithium ion
LNG liquefied natural gas
LOM life of mine
LSL lower specification limit
m meter
m2 square meter
m3 cubic meter
Ma mega-annum

 

barr.com
xvi

 

MEG Moment Exploration Geochemistry, LLC.
mg/kg milligrams per kilogram
mg/L milligrams per liter
mi mile
min minimum
MLRS BLM Mineral and Land Records System
mm millimeter
MPa megapascals
MPO mine plan of operations
MSHA U.S. Mine Safety and Health Administration
MST NDBI Mine Safety and Training
Mt million tonnes
Mtpa million tonnes per annum
MV medium voltage
MVR mechanical vapor recompression
MWdc megawatts direct current
MWMP Meteoric Water Mobility Procedure
NAAQS National Ambient Air Quality Standards
NAD North American Datum
NAMC Nevada Alaska Mining Company
NDBI Nevada Division of Industrial Relations
NDEP Nevada Division of Environmental Protection
NDOM Nevada Division of Minerals
NDOT Nevada Department of Transportation
NDOW Nevada Department of Wildlife
NDPS Nevada Department of Public Safety
NDWR Nevada Division of Water Resources
NEPA National Environmental Policy Act
Nexus Nexus Environmental Consultants
NOH net operating hours
NPDES National Pollutant Discharge Elimination System
NPV net present value
NREL National Renewable Energy Laboratory
O&M operations and maintenance

 

barr.com
xvii

 

OBI optical borehole imagers
OPEX operating expenditure
OSHA Occupational Safety and Health Administration
PAM polyacrylamide
Paragon Paragon Geochemical
pcf pounds per cubic foot
PFS Pre-Feasibility Study
PGA peak ground acceleration
PLS pregnant leach solution
Pocock Pocock Industrial Inc.
POF probability of failure
ppm parts per million
PSD particle size distribution
psf pounds per square foot
psi pounds per square inch
PTC Production Tax Credit
PV photovoltaic
PVSCM NREL PV System Cost Model
PVWatts NREL Photovoltaic Watts Calculator
QA/QC quality assurance / quality control
Qal Quaternary alluvium (unconsolidated silt, sand, and gravel deposited by modern streams)
QEMSCAN® Quantitative Evaluation of Minerals by Scanning Electron Microscopy
QP Qualified Person
qty quantity
R&D research and development
RC reverse circulation
REC Renewable Energy Certificate
REF refinery
RMA reduced major axis
RO reverse osmosis
ROM run of mine
ROW right-of-way
RPD relative percent difference
RQD rock quality designation

 

barr.com
xviii

 

s seconds
SAM NREL System Advisor Model
SCADA supervisory control and data acquisition
SEC U.S. Securities and Exchange Commission
SEM scanning electron microscopy
sg specific gravity
SGS SGS Canada, Inc.
SGSim Sequential Gaussian Simulation
SHPO Nevada State Historic Preservation Office
SI International System of Units
S-K 1300 SEC Regulation S-K, Subpart 1300 (S-K 1300)
SR stripping ratio
SWPPP Stormwater Pollution Prevention Plan
t metric tonne
TC total carbon
Tcsl Lower Siebert Formation (Tertiary tuffaceous sedimentary unit)
Tcsm Middle Siebert Formation (Tertiary tuffaceous sedimentary unit)
Tcsu Upper Siebert Formation (Tertiary tuffaceous sedimentary unit)
TFLP ABTC’s Tonopah Flats Lithium Project
TGA-DSC thermogravimetric analysis coupled with differential scanning calorimetry
TOC total organic carbon
tpa tonnes per annum
tpd tonnes per day
tph tonnes per hour
TRS Technical Report Summary
TSF tailings storage facility
TWh terawatt hour
UCL upper control limit
UCS uniaxial compressive strength
UPS uninterruptible power supply
US 6/95 US Highways 6 and 95
US/U.S. United States
USCS Unified Soil Classification System
USFWS U.S. Fish and Wildlife Service

 

barr.com
xix

 

USGS U.S. Geological Survey
USL upper specification limit
UTM Universal Transverse Mercator
UU unconsolidated-undrained
V volt
VFD variable frequency drive
VOC volatile organic compounds
Wi-Fi wireless fidelity
WMS Aquaveo’s Watershed Modeling System
Woods Woods Process Services, LLC
WRF waste rock facility
WRSF waste rock storage facility
XRD x-ray diffraction
yr year

 

barr.com
xx

 

1   Executive Summary

 

Barr Engineering Co. has prepared this Technical Report Summary (TRS) for the Tonopah Flats Lithium Project (TFLP), Esmeralda and Nye Counties, Nevada, USA, at the request of American Battery Technology Company (ABTC), a Nevada Corporation and a United States (U.S.) listed company (NASDAQ: ABAT) based in Reno, Nevada, USA. The purpose of this TRS is to disclose the results of a Pre-Feasibility Study (PFS) for the project. The Tonopah Flats property is considered a material property as defined under U.S. Securities and Exchange Commission (SEC) Regulation S-K, Subpart 1300 (S-K 1300).

 

ABTC is an integrated battery-critical material manufacturing company focused on the supply of low-cost, low-environmental impact, and domestically-sourced critical materials through its three core operations to support a sustainable closed-loop battery critical material economy. These core operations include the recycling of lithium-ion (Li-ion) batteries, the development of domestic critical mineral mines, and the refining of these primary critical materials into refined products. ABTC’s development of its lithium (Li) claystone resource and its associated claystone to lithium hydroxide refinery near Tonopah, Nevada, namely the Tonopah Flats Lithium Project, is a key project to achieving the company’s mission.

 

1.1Property Description and Ownership

 

The Tonopah Flats property consists of 517 unpatented federal lode mining claims covering approximately 4,322 hectares (ha) (10,680 acres [ac]) and is centered at 469500.9 E, and 4218056.0 N (NAD 83 UTM Meters Zone 11N). ABTC owns 100% of the claims comprising the Tonopah Flats property. Ownership of the unpatented mining lode claims is in the name of the holder (locator), subject to the paramount title of the United States of America. Under the Mining Law of 1872, the locator has the right to explore, develop, and mine minerals on unpatented mining lode claims without payments of production royalties to the U.S. government. The 517 unpatented lode claims include rights to all locatable subsurface minerals.

 

1.2Geology and Mineralization

 

The Tonopah Flats property is in a broad alluvial basin of subdued topography between the San Antonio Mountains to the east and the Monte Cristo Mountains to the west, approximately 11 kilometers (km) (seven miles) northwest of the town of Tonopah, Nevada. Quaternary alluvial fan and pediment sedimentary deposits cover most of the property and are generally composed of silt, sand, and gravel from local sources. The alluvial cover has an average thickness of less than 15 meters (m) (50 feet [ft]) over much of the property and overlies a thick sequence of fluvial and lacustrine epiclastic claystone, volcanic conglomerate, sandstone, siltstone, and tuff of the Miocene age Siebert Formation. The overall sedimentary package within the project area is flat lying to gently dipping.

 

Lithium mineralization occurs predominantly in the claystone of the Siebert Formation. Drilling by ABTC has so far defined an area of generally continuous lithium mineralization 7,925 m (26,000 ft) north to south by 1,524 m to 4,572 m (5,000 ft to 15,000 ft) east to west, with thicknesses ranging from 122 m to 436 m (400 ft to 1,430 ft).

 

barr.com
1

 

1.3Status of Exploration, Development, and Operations

 

In addition to the 5,704 m from 30 drill holes already reported, ABTC has conducted additional exploration through May 2025 consisting of 2,856 m from eight boreholes. From January 2025 to February 2025, eight core holes were drilled and from April 2025 to May 2025 an additional six sonic holes were drilled to collect geotechnical data on the alluvial gravels and assay data. Lithium mineralization was encountered in the majority of the boreholes drilled.

 

1.4Metallurgical Testing and Mineral Processing

 

ABTC has conducted material characterization, mineral processing, and metallurgical testing on sample cuttings from its drill programs and cuttings collected from bulk samples. Two processing routes were employed to empirically evaluate this material: i) conventional mineral acid leaching, and ii) internally-developed pretreatment and selective lithium leaching. Subsequent purification and conversion processes of the extracted lithium to battery grade lithium hydroxide monohydrate (LHM) were performed and evaluated for each processing route.

 

The conclusions from the conventional mineral acid leaching efforts were generally aligned with commercially reported observations. These trials demonstrated high lithium extraction efficiencies (>90%), however low selectivity for lithium extraction relative to other elements. This low selectivity resulted in the need for extensive purification and conversion processes that require high reagent and water consumption and result in significant operating expenses.

 

When implementing ABTC’s internally-developed pretreatment and selective lithium leaching processes, moderate lithium extraction (>65%) was demonstrated, however with very high selectivity of lithium to other elements. This resulted in the use of simplified purification and conversion processes with very low consumption of chemical reagents and water, and very low processing lithium losses.

 

ABTC has constructed and is operating a multi-tonne per day integrated demonstration scale facility that utilizes lithium-bearing claystone feedstock specifically from the Tonopah Flats deposit as feedstock and processing this material through each of the refining operations of ABTC’s internally-developed pretreatment, selective lithium leaching, and refining operations. This facility is demonstrating the attributes of the internally-developed pretreatment and selective lithium leaching technology and generating large quantities of battery grade lithium hydroxide for evaluation by customers and stakeholders.

 

In addition to this selective leaching technique, it has been observed that the lithium within the claystone is not uniformly distributed throughout the various mineralizations. Initial test work has been performed that has allowed for the beneficiation of this claystone material, where the non- and low-lithium bearing minerals are separated from the bulk material, and the high-lithium bearing minerals are concentrated. These initial trials have demonstrated an increase in the grade of approximately 2.85x to over 2,000 parts per million (ppm) lithium. These beneficiation processes have the potential to substantially increase overall lithium extraction efficiencies and further reduce reagent and energy consumption.

 

1.5Mineral Resource Estimate

 

The mineral resources for Tonopah Flats described and tabulated in this report are classified as Measured, Indicated, and Inferred in accordance with the SEC S-K 1300 New Mining Disclosure Rule and were estimated to reflect potential open-pit extraction. These resources were constrained with an optimization and cut-off grade satisfactorily to meet the requirement of reasonable prospects for economic extraction using a cut-off of 300 ppm within the mineralized units.

 

barr.com
2

 

Sequential Gaussian Simulation (SGSim) was used to generate the mineral resource estimate for Li (ppm), which reduced uncertainty from the previous results. The Measured mineral resource blocks were classified within approximately 300 m of multiple drill holes and where the simulation variance did not exceed ±15% at the 90% confidence interval (CI). The Indicated mineral resource blocks were classified within approximately 600 m of multiple drill holes and where the variance was within ±15% at the 70% CI. The Inferred mineral resource blocks comprise the remaining blocks that fell outside of those criteria or are located more than 600 m from multiple drill holes.

 

The mineral resource for 2025 reported below is inclusive of the mineral reserve based on a 300 ppm cut-off.

 

Table 1-1Tonopah Flats Mineral Resources

 

Classification ktonnes Grade Li (ppm) Li (ktonnes) LHM (ktonnes)
Measured 1,126,772 876 987 5,968
Indicated 2,534,419 640 1,621 9,800
Measured and Indicated 3,661,191 712 2,608 15,767
Inferred 2,151,227 424 911 5,508

a)The estimate of mineral resources was completed by ABTC and Dahrouge.
b)Tonopah Flats resources are classified as Measured, Indicated, and Inferred.
c)Mineral resources comprised all model blocks at a 300 ppm tonne Li cut-off that lie within an optimized pit.
d)Lithium hydroxide monohydrate (LHM) tonnes were calculated using a factor of 6.0459.
e)Mineral resources that are not mineral reserves do not have demonstrated economic viability.
f)Mineral resources potentially amenable to open pit mining methods are reported using a LHM price of US$23,000/tonne, assumed metallurgical recoveries of 48% for Li, mining costs of US$2.70/tonne mined, processing costs of US$7.50/tonne processed, minimum grade of 300 ppm lithium within claystone, and general and administrative costs of $0.83/tonne processed, and a 45,000-tpd processing rate.
g)The effective date of the estimate is as of the date of this PFS.
h)Rounding may result in apparent discrepancies between tonnes, grade, and contained metal content.

ktonnes = kilotonnes

ppm = parts per million

tonnes = metric tonnes

 

There is some risk that a significant commodity price drop would change the economic inputs to the pit constraints used to report this resource. As a result, a conservative cut-off concentration of 300 ppm Li within the optimized pit is used in this analysis. It should be noted that without this grade constraint, the resulting pit shell using these parameters would be larger than has been used for the resources reported herein.

 

1.6Mineral Reserves

 

To convert a mineral resource into a mineral reserve, estimates of commodity prices, mining dilution, process recovery, refining/transport costs, royalties, mining costs, processing, and general and administration costs were used to estimate cut-off grades (COGs). These input parameters, along with geotechnical slope recommendations, formed the basis for the selection of economic mining blocks.

 

The economic mining blocks were identified using the Lerchs-Grossmann Pit Optimization Algorithm in the Maptek Vulcan software package, which produced a series of optimized open-pit shapes. The Qualified Person (QP) has selected one of the pit shells for detailed design and quantified the mineral reserves at the determined COG within the final pit design.

 

barr.com
3

 

The lithium resources at Tonopah Flats are not subject to royalty. A mill recovery of 48% was utilized for the pit optimization. The mineral resources and reserves were reported undiluted, as the strip ratio is very low and the deposit shows little variability at the 300 ppm COG. No additional tonnage adjustment was necessary.

 

A summary of the mineral reserves for the TFLP is shown in Table 1-2 within the designed final pit for the Tonopah Flats deposit. In the detailed mine production schedule, the COG has been held constant at 300 ppm Li. The QPs have not identified any known legal, political, environmental, or other risks that would materially affect the potential development of the mineral reserves, except for the risk of not being able to secure the necessary permits from the government for the development and operation of the project; however, the QPs are not aware of any unique characteristics of the project that would prevent permitting.

 

Table 1-2Tonopah Flats Mineral Reserves Estimate Effective as of the Date of this PFS

 

Classification Tonnes
(ktonnes)
Grade Li
(ppm)
Contained Li
(ktonnes)
LHM Equivalent Mined
(ktonnes)
Proven 175,515 920 161 979
Probable 384,333 753 289 1,754
Total Proven and Probable 559,848 805 451 2,733

ktonnes = kilotonnes

LHM = lithium hydroxide monohydrate

ppm = parts per million

tonnes = metric tonnes

 

1.7Mining Methods

 

The mine will be developed using conventional open-pit mining, selected based on the resources and reserves defined in the previous section, and its relatively low cost. This method encompasses drilling, blasting, loading and hauling, and related support activities. Due to the predominantly soft rock conditions within the project area, drilling and blasting requirements are expected to be minimal, accounting for only approximately 5% of the clay material.

 

A pit optimization process was utilized to generate the ultimate pit shell, along with eight intermediate pit shells representing the phases (pushbacks). These pit shells served as the basis for the final pit and phase designs, which were subsequently used to develop the life of mine (LOM) production schedule. These phases are designed to optimize production rates, facilitate construction activities, and support backfill operations.

 

The pit designs utilize 10-m-high benches with a 9.65-m-wide catch bench installed on every other bench (double-benching), or 20 vertical meters apart. The bench face angle used is 45º. The resulting inter-ramp slope is 34º. The design road width of 30 m is used resulting in the overall stope angle of 33º.

 

barr.com
4

 

Ore production rate was established in alignment with the refinery’s throughput of 30,000 tonnes (t) of LHM per year, necessitating an approximate feed rate of 12,400,000 tonnes per annum (tpa) over the LOM. The mine is planned to operate continuously, with two 12-hour shifts per day, 365 days per year. Key milestones within the LOM production schedule are summarized as follows:

 

Pre-mining site development and earthworks: approximately six months

 

Pre-production mining (non-processing phase): approximately one year

 

Initial ramp-up production phase (5,000 tpa of LHM): 1-2 years

 

Full ramp-up phase achieving and sustaining 30,000 tpa: 1-3 years

 

Loading and transporting dry-stack tailings to the backfill dumps: year-6 to LOM

 

The waste management infrastructure comprises a waste rock facility (WRF), dry-stack tailings storage facility (TSF), a coarse gangues (CG) dump, and one backfill dump split into eight phases. These facilities were designed in accordance with geotechnical guidelines to ensure slope stability and overall structural integrity. The waste rock from the pit, along with waste generated from refinery, will be sent to these destinated waste management facilities.

 

As part of the comprehensive mine planning process, detailed plans have been developed for equipment selection, drilling, blasting, staffing, reclamation, ROM ore handling, tailings and coarse gangue handling, and overall costing. The primary mining fleet for this project will include hydraulic shovels, wheel loaders, haul trucks, dozers, graders, water trucks, etc. This primary equipment will be supplemented by ancillary equipment as required. Both routine and preventive maintenance will be conducted in-house, while the owner and equipment vendors will collaboratively manage major repairs and equipment overhauls.

 

1.8Processing and Recovery Methods

 

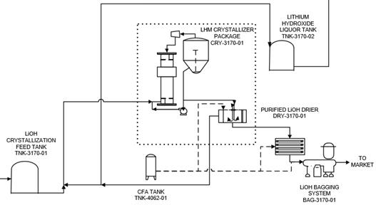
The initial process design is scaled to produce 30,000 tpa of battery grade LHM, and the process plant is based on achieving a nameplate feed tonnage of 11.9 million tpa (Mtpa) of claystone. Refinery installation is planned in three phases of 5,000 tpa, 12,500 tpa, and 12,500 tpa, in Phases 1-3, respectively. The process flow sheet consists of six process areas, namely: Feed Comminution and Screening, Extraction, Impurity Removal and Concentration, Impurity Crystallization, Sulfate Crystallization, and Lithium Hydroxide Conversion.

 

The refinery will receive lithium claystone from the open pit mine via mine haul trucks. Claystone will be processed through the comminution circuit where it will be sized, processed, and pretreated as part of the extraction. Lithium will be extracted into an aqueous phase from the pretreated claystone. Impurities are to be removed from the aqueous phase using precipitation, membrane technology, and crystallization. LHM will be produced using a combination of electrochemical conversion and crystallization. The filtered tailings from the extraction and impurity removal process, along with solids generated from off-gas handling, are planned to be combined and placed in a temporary dry-stack tailing impoundment. As areas of the pit are mined out, tailings will be placed as backfill.

 

1.9Infrastructure

 

A TSF is planned to be located between the proposed pit and the refinery facility. This TSF, storing both the CG and the tailings in two separate facilities, will be used until the tailings can be returned back into the open pit. A stability analysis was performed for both static and earthquake conditions, indicating that the TSF can be safely built using 2.5-horizontal to 1-vertical slopes (2.5H:1V) with a 9-m-high perimeter berm encapsulating both tailing facilities. Surface water from outside the mining site will be diverted to a series of ponds on the southern portion of the site. Runoff from within the mining site will be diverted to a pond located on the western edge of the facility.

 

barr.com
5

 

1.10Capital and Operating Costs

 

The capital and operating cost estimates for this project were based on the costs associated with mining, processing/refining, safety and training, infrastructure, site reclamation and closure, and all other relevant direct and indirect expenditures necessary to ensure the successful execution of this project. These cost estimates were developed using data collected from in-house databases, vendor quotations, contractors, reliable publicly available sources, benchmarking from similar lithium projects, operational experiences, and other industry-standard estimating factors.

 

These costs in this report are presented in 2025 USD on a calendar year basis. No escalation or inflation is included.

 

The capital cost projections were defined and developed based on expected quantities of materials, labor, and equipment. The expected quantities were derived from engineering drawings, early-stage 3D models, and preliminary facility layout. The capital costs in this report have an expected accuracy of +/-25% based on AACE International guidance related to Class 4 capital cost estimates.

 

Process capital costs were estimated by ABTC and Woods Process Services, LLC. (Woods), while mining, infrastructure, and other capital expenses were estimated by ABTC and Barr. The total estimated capital cost for the design, construction, installation, and commissioning of project facilities includes approximately $2.0 billion in pre-production and initial capital expenditures through year 5, and $205.6 million in new and sustaining capital costs over the remaining LOM, as reflected in Table 1-3, bringing the total capital requirement over the 45-year mine life considered in this PFS to an estimated $2.2 billion.

 

barr.com
6

 

Table 1-3Total Capital Cost Summary

 

Capital Costs ($000) YR -2 YR -1 YR 1-2 YR 3-5 YR 6-10 YR 11-20 YR 21-30 YR 31-40 YR 41-45 Total
Pre-Mining Cost $- $10,170 $- $- $- $- $- $- $- $10,170
Mining Capital $- $86,648 $53,360 $3,355 $37,252 $34 $10,099 $15,099 $34 $205,881
Mining Sustaining Capital $- $- $76 $2,141 $8,423 $19,374 $68,995 $21,371 $1,253 $121,632
Process/ Milling $91,234 $373,462 $746,924 $282,228 $- $- $- $- $- $1,493,848
Owner's Costs $778 $3,723 $7,446 $11,169 $14,114 $- $- $- $- $37,230
Closure Provisions $- $- $- $- $- $- $- $- $150 $150
Subtotal $92,012 $474,003 $807,806 $298,894 $59,789 $19,408 $79,094 $36,470 $1,437 $1,868,912
Contingency $18,247 $89,215 $157,389 $56,949 $5,588 $5 $1,515 $2,265 $5 $331,177
Total Capital $110,259 $563,219 $965,195 $355,843 $65,377 $19,413 $80,609 $38,735 $1,442 $2,200,090

yr = year

 

barr.com
7

 

The average LOM operating cost equates to $6,994/t of LHM produced. The project average annual operating cost is approximately $199.5 million, supporting a refinery’s throughput of 30,000 tpa of LHM, along with an average refinery feed rate of 12.4 Mtpa, and an average mining rate of 15.6 Mtpa. Table 1-4 presents a summary of the operating cost.

 

Table 1-4Operating Cost Summary

 

Cost Area Description LOM Total Cost LOM Average Unit Operating Expenditure Cost Operating Expenditure Percent
($000s) ($000s/Year) ($/t LHM) (%)
Total Mining Cost 3,247,358 70,595 2,476 35.4%
Process/Refining 5,649,008 122,805 4,307 61.6%
General & Administrative 171,953 3,738 131 1.9%
Reclamation Cost 105,331 2,290 80 1.1%
Operating Cost 9,173,699 199,428 6,994 100.0%

LOM = life of mine

t = metric tonne

LHM = lithium hydroxide monohydrate

 

1.11Economic Analysis

 

ABTC and Barr created a cash-flow model based on the production schedule and resulting revenue stream in accordance with the costs presented. Only Measured and Indicated mineral resources were used to create the revenue stream. The PFS limits the TFLP to a mine life of 45 years for approximately 599.8 Mt with an average of 805 ppm Li grade processed and a total recovery including beneficiation, extraction, and refining of 48%. With $2.0 billion in initial capital costs, processing costs of $4,307/t of LHM, overall operating costs of $6,994/t of LHM produced, and average production of 30,000 tpa of LHM, this project is estimated to have a $2.57 billion after-tax net present value (NPV) at an 8% discount rate. At a discount rate of 10%, the after-tax net NPV is $1.75 billion. The project has a 21.8% Internal Rate of Return (IRR) and 7.5-year payback of initial capital. Mineral resources that are not categorized as reserves do not have demonstrated economic viability.

 

1.12Economic Sensitivities

 

Revenues, operating costs, and capital costs were evaluated from +/-30% of the values in 10% increments, using the PFS cash flow model. Figure 1-1 shows the cash flow sensitivity in NPV (8%) graphically. The steeper slope of the revenue line shows that the project is most sensitive to the price of lithium and less sensitive to the operating and capital costs.

 

barr.com
8

 

 

Figure 1-1After-Tax Cash Flow Sensitivity - NPV (8%) US$ Billion

 

1.13Conclusions and Recommendations

 

This PFS has integrated drilling, testing, design, and economic evaluation data, as described in the various sections of this report. This PFS represents a significant step forward from the previously published IA, providing an updated resource estimate, reserve estimate, viable mining plan, technically feasible processing scenario, tailings and mine waste management approach, update on permitting considerations, and a resultant economic evaluation.

 

The Mineral Resource estimate has been updated with additional drilling conducted in 2025. This resulted in the updating of the geologic and mineralization domains. The Mineral Resource exclusive of the Mineral Reserve within Measured and Indicated categories consists of 2,333,767 ktonnes at 712 ppm Li.

 

The drilling has thus far defined an area of generally continuous mineralization 7,925 m (26,000 ft) north to south by 1,524 m to 4,572 m (5,000 ft to 15,000 ft) east to west, with known thicknesses up to 436 m (1,430 ft). Clay beds with higher concentrations of lithium are localized to semi-continuous, and the lithium-bearing beds are generally contained in a 1,219- to 3,048-m wide (4,000- to 10,000-ft wide) corridor in multiple stratigraphic horizons from 6.1 m to 35 m (20 ft to 115 ft) in thickness, running north to south through the central portion of the property.

 

ABTC, in partnership with Hazen Research, Inc. (Hazen), Pocock Industrial Inc. (Pocock), and SGS Canada, Inc. (SGS), has been conducting a comprehensive mineral processing and metallurgical testing program since Spring 2022 to produce high-purity lithium hydroxide from lithium-bearing claystone. Initial efforts using conventional acid leaching (HCl and H₂SO₄) achieved high lithium extraction rates (>80%) but also extracted unwanted gangue minerals and deleterious elements, increasing reagent consumption and complicating purification. To address this, ABTC developed pretreatment methods that improved selectivity by converting lithium into more leachable forms while minimizing impurity extraction. These methods maintained strong lithium recovery (70–85%) and significantly reduced impurities in the pregnant leach solution (PLS), streamlining downstream purification and improving economic viability.

 

barr.com
9

 

Building on successful bench-scale results, ABTC constructed and operated a 5-tpd pilot plant, validating the feasibility of producing battery-grade LHM. The team also explored beneficiation techniques to concentrate lithium-bearing minerals, achieving a 2.85x upgrade ratio from run-of-mine ore, which reduced processing costs and improved efficiency. Process simulations using METSIM and Aspen were employed to optimize operational parameters and economics. The report highlights bench-scale and pilot plant results, beneficiation and pretreatment studies, and ongoing efforts to refine reagent use and enhance final product purity. Further testing and pilot runs are planned to support the upcoming feasibility study (FS).

 

It should be noted that this PFS was limited to a mine life of 45 years and only a portion of the South Pit was included in the mine life and economic analysis. A 45-year mine life will not exhaust the known mineral reserves and resources.

 

The QPs believe that the data provided by ABTC, and the geological interpretations Dahrouge Geological Consulting Ltd. (Dahrouge) has derived from the data, are an accurate and reasonable representation of the project, subject to those concerns written elsewhere in this report.

 

The current lithium resources remain open to the south, southwest, and at depth. It is reasonable to assume that there is the potential to significantly expand the resources with further drilling extending to the south and southwest property boundaries, and at greater depths.

 

1.13.1Project Risks

 

Processing lithium-clay deposits is an uncommon practice in lithium production worldwide, currently. The work to date has demonstrated the likely economic extraction of the resources reported herein, based on the test work described in this report. To address this risk, ABTC has constructed and continues to operate a multi-tonne per day pilot plant that operates on representative bulk samples from the deposit and these operations will continue to derisk the processing approach.

 

The operating expenditure (OPEX) for this project are heavily weighted to the power consumption of the refinery. As a result, the power supply to the TFLP is a major risk factor. ABTC has addressed this through a combination of power sources, namely solar power production, with battery energy storage, combined with grid power supplied by NV Energy. Furthermore, ABTC has an operational plan that prorates production during times of high and low power availability or constraint. Further refinement of this approach through power system modeling and process design modifications will help reduce the risk in this area.

 

The price of LHM can vary widely. This represents a major risk to project economics. Expected reasonable near-term lithium price variations are addressed in the sensitivity analysis of this report.

 

barr.com
10

 

1.13.2Recommendations

 

While the PFS indicates positive cash flow, additional studies are needed to advance to the FS, as described below.

 

Additional study of mining, ore handling, and tailings handling to improve approaches and reduce risk.

 

Additional metallurgy and processing test work, supported by metallurgical drilling to provide composites for testing

 

Additional test campaigns in the pilot plant, incorporate ore beneficiation, stress test the operations, and provide longer-duration test campaign data

 

Develop a geometallurgical model, unified metallurgical dataset, and ore control methodology

 

A passive seismic study for the southern portion of the property south of US 6/95 to improve the understanding of the subsurface geologic structure and depth to basement rock in areas that have not yet been tested by exploration drilling

 

Additional geotechnical drilling and testing related to slope stability and deformation analysis

 

Additional baseline environmental studies, including raptor surveys, geochemistry, hydrology, and air quality to support the NEPA process

 

Completion of a FS to further reduce risk and further refine the economics of the project, including additional resource drilling, process recovery improvements, energy efficiency improvements, further detailed refinery design work, further tailings design work, environmental study advancement, and updated detailed economic evaluations

 

Table 1-5ABTC Estimated Costs for Tonopah Flats Recommended Work Program

 

Category Estimated Cost USD
Mining, Ore Handling, and Tailings Handling $250,000
Metallurgy and Processing $550,000
Passive Seismic Study $30,000
Geotechnical Drilling $300,000
Baseline Environmental Studies including NEPA Documentation $1,000,000
Feasibility Study $3,000,000 to $4,000,000
Total $5,130,000 to $6,130,000

 

NEPA = National Environmental Policy Act

 

barr.com
11

 

2    Introduction

 

Barr Engineering Co. (Barr). has prepared this Technical Report Summary (TRS) for the Tonopah Flats Lithium Project (TFLP), Esmeralda and Nye Counties, Nevada, USA, at the request of American Battery Technology Company (ABTC), a Nevada Corporation and a United States (U.S.) listed company (NASDAQ: ABAT) based in Reno, Nevada, USA. The purpose of this TRS is to disclose the results of a Pre-Feasibility Study (PFS) for the Project. The Tonopah Flats property is considered a material property under S-K 1300.

 

ABTC is an integrated battery critical material manufacturing company focused on the supply of low-cost, low-environmental impact, and domestically sourced critical materials through its three core operations to support a sustainable closed-loop battery critical material economy. These core operations include the recycling of lithium-ion (Li) batteries, the development of domestic critical mineral mines, and the refining of these primary critical materials into refined critical material products. ABTC’s development of its primary lithium claystone resource and its associated claystone-to-lithium-hydroxide refinery near Tonopah, Nevada, namely the TFLP, is a key project to achieving the company’s mission.

 

In this report, measurements are generally reported in metric (SI) units. However, some test work was originally conducted with U.S. customary units of measure and may not have been converted to metric units within the chapters and sections of this report.

 

Unless otherwise indicated, all references to dollars ($) in this report refer to 2025 United States Dollars.

 

2.1Sources of Information

 

The scope of this updated PFS includes a review of pertinent technical reports and data provided to Barr, Dahrouge Geological Consulting Ltd. (Dahrouge), and Woods Process Services, LLC (Woods) by ABTC relative to the general setting, geology, project history, exploration activities and results, methodology, quality assurance, interpretations, drilling programs, and metallurgy and mineral processing. Chapters 6 through 9 and chapter 11 were contributed by Dahrouge and chapters 10 and 14 were contributed by Woods.

 

Barr, Dahrouge, and Woods, as applicable, have relied on data and information provided by ABTC for the completion of this report as well as other sources of information cited specifically in portions of this PFS and listed in chapter 24, such as third-party laboratory test work and the associated reports. Additionally, information has been relied upon as previously disclosed in the initial assessment (IA) report for the Tonopah Flats Lithium Project, by Respec Company, LLC, and Woods Process Services (2024). The QPs have reviewed much of the available data and have made judgments about the general reliability of the underlying data. Where deemed either inadequate or unreliable, the data were either eliminated from use or procedures were modified to account for lack of confidence in that specific information. The QPs have made such investigations as deemed necessary in their professional judgment to be able to reasonably present the conclusions discussed herein.

 

2.2Personal Inspections

 

Barr’s QP conducted a site visit of the TFLP on September 27, 2024. The visit included a tour of the core storage shed and multiple stops throughout the Tonopah Flats property. A selection of core and bulk samples were reviewed at the core shed. The visit to the mine site included stops at some of the drill hole collars, test pits, lithium resource outcrops, powerline corridors, and general viewing of the property topography.

 

barr.com
12

 

On June 26, 2025, Barr QPs visited the ABTC pilot plant in Sparks, Nevada. The visit included a thorough tour of the pilot plant operation and viewing of the bulk feed materials being used for the pilot testing. Barr’s QPs also viewed bulk samples (supersacks) of combined tailings material from the pilot plant operations.

 

Mr. Jeff Woods, of Woods, the QP for chapters 10 and 14 of this report, has visited the pilot plant multiple times during the course of the project, including observing the pilot plant in operation.

 

2.3Effective Date

 

The effective date of the current mineral resources and of this TRS is the date of this report.

 

barr.com
13

 

3   Property Description and Location

 

Barr has relied fully on ABTC for the information in Section 3.1 through Section 3.5 as summarized in Section 25.

 

3.1Property Location

 

The Tonopah Flats property is in the southeastern portion of Big Smoky Valley approximately 11 km northwest of Tonopah in Esmeralda and Nye Counties, Nevada, USA. (Figure 3-1).

 

 

Figure 3-1Location Map for the Tonopah Flats Property

 

barr.com
14

 

3.2Property Area and Claim Type

 

The Tonopah Flats property (Figure 3-2) is centered at 469500.9E, and 4218065.9N (NAD 83 UTM Meters Zone 11N). The property consists of 517 unpatented federal lode mining claims covering approximately 4,322 hectares. Appendix A provides a list of the individual lode claims that comprise the Tonopah Flats property.

 

In 2021, ABTC acquired an exploration license with an option to purchase lode claims 1 through 305 from 1317038 Nevada Ltd. Inc. The option was exercised by ABTC after a due diligence period and the agreement closed escrow in October 2022. ABTC staked additional lode claims in December 2021 (lode claims 306 through 427) and February 2022 (lode claims 428 through 517).

 

 

Figure 3-2Tonopah Flats Property Map

 

barr.com
15

 

3.3Mineral Rights

 

Ownership of the unpatented mining lode claims is in the name of the holder (locator), subject to the paramount title of the United States of America, under the administration of the U.S. Bureau of Land Management (BLM). Under the Mining Law of 1872, which governs the location of unpatented mining lode claims on federal lands, the locator has the right to explore, develop, and mine minerals on unpatented mining lode claims without payments of production royalties to the U.S. government, and subject to the surface management regulation of the BLM. The 517 unpatented lode claims include rights to all locatable subsurface minerals. Currently, annual claim-maintenance fees of $200 per claim are the only federal payments related to unpatented mining lode claims. As of the effective date of this report, these fees have been paid in full. The annual Nevada Division of Mineral Claim Notice of Intent to Hold fee is currently $12 per claim and due on or before November 1st of each year. The annual claim holding costs a total of $109,604 (Table 3-1).

 

Surface rights sufficient to explore, develop, and mine minerals on the unpatented mining lode claims are inherent to the claims as long as the claims are maintained in good standing. The surface rights are subject to all applicable state and federal environmental regulations.

 

Table 3-1Summary of Annual Property Holding Costs

 

Type Annual Federal Claim Fees Annual State Claim Fees Total Annual Costs
Unpatented Lode Claims $103,400 $6,204 $109,604

 

3.4Significant Encumbrances and Permitting

 

The Tonopah Flats property is owned 100% by ABTC with no significant encumbrances or agreements such as leases, options, or purchase payments known to Barr. Tonopah Flats is currently operated as a mid-stage project with studies advancing for mineral resources, metallurgy and processing, engineering and economics, and environmental permitting. Key BLM permits and bonding for these activities are in place as of the effective date of this report and include:

 

BLM Notice of Operations NVN-100850

 

The reclamation bond associated with the above activity is:

 

Exploration Bond #4969389; current obligation $59,646

 

3.5Royalties

 

There are no royalties associated with the Tonopah Flats property.

 

3.6Significant Factors and Risks

 

Barr is not aware of any significant factors and risks that may affect access, title, or the right or ability to perform work on the property other than those described in Sections 3.1 through 3.5.

 

barr.com
16

 

4   Accessibility, Climate, Local Resources, Infrastructure and Physiography

 

The Tonopah Flats lithium property is located approximately 11 kilometers (km) northwest of Tonopah, Nevada and 129 km east of Bishop, California in the southeastern portion of the Big Smoky Valley. The property covers flat to gently sloping, shrub-covered high desert. Vegetation includes sage brush, rabbit brush, and other hardy desert plant communities. Elevations range from approximately 1,500 m in the northwestern portion of property to 1,640 m in the southeastern portion of the property.

 

4.1Property Access

 

Access to the Tonopah Flats lithium property is via U.S. Highways 6 and 95, (US 6/95) which bisects the central portion of the property from southeast to northwest. The Gabbs Pole Line Road parallels the eastern boundary of the property. Numerous unpaved roads extend through the property allowing for easy access throughout. The nearest commercial airport and railroads are in Reno, Nevada, approximately 266 km northwest of the property.

 

4.2Climate and Length of Operating Season

 

The climate at the Tonopah Flats property area is semi-arid. As shown in Table 4-1 January is the coldest month of the year, with an average high temperature of 6 °C and average low temperature of -7 °C. July is the hottest month with an average high temperature of about 33 °C and average low temperature of 14 °C. Average annual precipitation includes approximately 127 millimeters (mm) of rainfall and 406 mm of snow (Weather Averages Tonopah, Nevada, n.d.). In general, the area is dry, with monsoonal rains during the summer and cold, snowy storms in the winter. Exploration and mining activities can be conducted year-round.

 

Table 4-1Average Climate Data for Tonopah, Nevada

 

  Jan Feb Mar Apr May Jun Jul Aug Sep Oct Nov Dec
Average High in °C 6 9 13 17 23 29 33 32 27 20 12 7
Average Low in °C -7 -4 -2 2 6 11 14 13 9 3 -3 -7
Average Precipitation in mm 13 13 14 11 13 7 11 13 10 9 11 8
Average Snowfall in mm 101 76 76 25 0 0 0 0 0 0 50 76

°C = degrees Celsius Source: (Weather Averages Tonopah, Nevada, n.d.)

mm = millimeters

 

4.3Infrastructure

 

Power is available to the site from high-voltage powerlines that extend along the Gabbs Pole Line Road immediately east of the property and from lines that run along US 6/95 through the central portion of the property. ABTC has used metered municipal water from the city of Tonopah during their exploration drilling programs and will continue to do so for future drilling. ABTC has identified a suitable water source for the project through water exploration drilling. An exploration well and a water production well have been drilled on the project site. Current hydrologic studies by ABTC indicate sufficient water is available for the project. Anticipated future water usage for development of the property will require an application to the State of Nevada, Division of Water Resources for a temporary (25 years or less) mining and milling water usage permit.

 

barr.com
17

 

Tonopah is situated roughly equidistant from Reno and Las Vegas, Nevada. Necessary supplies, equipment, and services to carry out full sequence exploration and mining development projects are available in Tonopah and the larger Nevada communities. Additionally, a trained mining-industrial workforce is available in Tonopah and much of Nevada. The Tonopah Flats property area is uninhabited. The overall subdued topography that characterizes much of the property provides ample ground for the siting of mine facilities, tailings, and waste dumps. It is anticipated that a right-of-way (ROW) along US 6/95 corridor will be developed with appropriate federal, state, and local agencies as the project progresses.

 

ABTC currently has an office with storage and laboratory space located on South Main Street in Tonopah, approximately 11 km southeast of the subject property. An additional 139 square meters (m2) of warehouse and office space and fenced outdoor storage area for exploration equipment and sample storage bins are located on Ketten Road in Tonopah. The Ketten Road property also houses ABTC’s core logging and cutting facility.

 

barr.com
18

 

5   History

 

Exploration on the subject property, as an extension of the Tonopah mining district, dates to the early 20th century. At least two shallow, hand-dug vertical shafts for precious metal exploration are present in the southern and northwestern portions of the property. The shafts are caved but likely did not exceed 30 m in depth and did not reach bedrock. They were later used as water sources, as one has the remains of an old windmill.

 

Past exploration, estimated to date from the 1970s, consists of numerous shallow bulldozer excavations, likely completed as required annual assessment work for historical maintenance of BLM lode claims. Several historical drill holes have also been located on the property and are presumed to be part of the assessment. No further information is known about the historical exploration program or project owners at the time of this work.

 

In 2020, Nevada Alaska Mining Company (NAMC) staked 305 unpatented lode claims for lithium claystone similar to that found on the adjacent American Lithium TLC deposit. Forty-four surface samples were collected by hand-digging small pits to depths ranging from approximately 0.46 m to 0.9 m or more and placing representative material into labeled sample bags. The samples were collected at locations where tuff, sandstone, and clay crop out at the surface. Each sample location was recorded on paper maps at the time of collection. The samples were assayed at ALS Limited – Geochemistry (ALS) in Reno, Nevada and returned an average of 780 parts per million (ppm) lithium over an area of approximately 4 km by 3 km. The highest reported lithium value was 1,530 ppm.

 

NAMC’s claims were acquired by 1317038 Nevada Ltd. in 2020. In 2021, ABTC secured an exploration license with an option to purchase from 1317038 Nevada Ltd. Following a due diligence period, the option was exercised and ABTC gained 100% ownership of the claims in October 2022. ABTC subsequently staked 212 additional lode claims in December 2021 and February 2022.

 

A discussion of ABTC’s exploration activities is presented in Chapter 7 of this report.

 

barr.com
19

 

6   Geologic Setting, Deposit Type, and Mineralization

 

6.1Regional Geologic Setting

 

The TFLP is situated in a broad alluvial basin of subdued topography between the San Antonio Mountains to the east and the Monte Cristo Mountains to the west. The project area is along the eastern margin of the Walker Lane tectonic belt, an approximately 80 km wide, northwest- trending zone in western Nevada and eastern California (Stewart, 1988). Prominent northwest-trending strike-slip faults and related north-south to northeast trending normal faults characterize much of the Walker Lane tectonic belt and accommodate part of the motion between the Pacific Plate and the North American Plate. The belt separates the Sierra Nevada and Basin and Range physiographic provinces.

 

The regional geologic setting is characterized by late Miocene to Quaternary alluvial basins surrounded by uplifted ranges generally exposing Cretaceous intrusive cores which are structurally overlain by Paleozoic and Mesozoic sedimentary rocks and Cenozoic volcanic rocks. The Cenozoic volcanic rocks in the San Antonio Mountains are of Oligocene and Miocene ages that vary in composition from rhyolite to trachyandesite (Bonham & Garside, 1979). The Oligocene volcanic rocks include thick units of felsic ash-flow tuff erupted from the Central Nevada Caldera Complex north of the San Antonio Mountains. The Miocene units were interpreted to have been erupted from volcanic centers within the San Antonio Mountains (Bonham & Garside, 1979), including the Fraction caldera and the Heller caldera of the Tonopah volcanic center (John & Henry, 2022). Miocene volcanism near Tonopah has been linked to ancestral Cascade arc magmatism (du Bray et al., 2019; John & Henry, 2022).

 

6.2Regional Geology

 

The Tonopah Mining District lies on the eastern portion of a zone of NW-SE trending disrupted structure, known as the Walker Lane tectonic belt that separates the Sierra Nevada batholith from the Basin and Range province in the Great Basin of Nevada. The Basin and Range is a tectonic province west of the Rocky Mountains and Colorado Plateau, which underwent crustal extension and elevated thermal activity in the mid-Tertiary that developed the characteristic basin and range physiography. The ranges are comprised of fault-bounded mountain ranges that are dominantly composed of Proterozoic and Paleozoic sedimentary rocks, while the basins were filled with volcanic deposits and erosional detritus shed from the ranges (Bonham & Garside, 1979).

 

The Miocene-aged Siebert Formation is composed of epiclastic fluviatile and lacustrine conglomerates, sandstone, siltstone, and subordinate quantities of both subaerially and subaqueously deposited ashfall and lithic tuffs. Northerly-trending faults in the area are believed to be contemporaneous with Basin and Range faulting (Bonham & Garside, 1979). There is evidence of later plutonism as the Siebert Formation is locally intruded by intermediate to felsic plutons and dikes. Outcrops of the Siebert Formation are shown on Figure 7-1 and Figure 7-2 as “Ts.”

 

6.3District and Local Geology

 

Much of the geologic information presented in this section is from Bonham and Garside (1979), which included a geologic map of the Tonopah, Lone Mountain, Klondike, and Northern Mud Lake Quadrangles, Nevada, with accompanying text.

 

barr.com
20

 

The TFLP is entirely within a low-lying portion of the Big Smoky Valley. Quaternary fan and pediment deposits cover most of the property and are generally composed of silt, sand, and gravel from local sources. Ephemeral stream deposits are located along the southwestern edge of the property. The stream deposits are transitional between upland fans and pediments and lower relief areas and are distinguished from other alluvial fans by their position near valley floors (Bonham & Garside, 1979). The alluvial cover averages less than 12 to 15 m over much of the property and overlies a thick sequence of claystone interbedded with tuff and sandstone of the Miocene-age Siebert Formation. The Siebert Formation has been dated at 13 to 17 Ma and contains a wide range of sedimentary and pyroclastic rocks. The bulk of the formation includes fluvial and lacustrine epiclastic volcanic conglomerate, sandstone, siltstone, and lesser subaerial and subaqueous tuff (Bonham & Garside, 1979). The thickness of the formation varies from 183 to 450 m but may be as much as 914 m in the center of Montezuma Valley, approximately 24 km south of the property. The Siebert Formation was derived from local sources in the San Antonio Mountains and Lone Mountain, which bounds the southern part of the valley. Much of the formation was deposited under alternating fluvial and lacustrine conditions. Fossil mammals, fish, and invertebrates have been identified within the formation and fossil bird tracks have been identified approximately 5 m west of Tonopah.

 

In the project area, claystone and tuff beds of the Siebert Formation crop out in several locations. Bonham and Garside (1979) mapped a high-angle fault extending across the property from the southwest to the northeast (Figure 6-1). This structure is interpreted to be related to Basin and Range extensional faulting.

 

Precambrian rocks of the Wyman Formation, Deep Springs Formation, and Reed Dolomite are present along the flanks of Lone Mountain. These units are intruded by Mesozoic rocks of the Lone Mountain Pluton which range in composition from gabbro through quartz monzonite and granite. A silicic porphyry dike swarm of Tertiary age intrudes the plutonic units.

 

To the east of the Tonopah Flats property is the San Antonio Mountains and the center of the Tonopah mining district. The volcanic units east of the property generally consist of silicic flow-domes, intrusions, ash-flow tuffs, breccias, and tuffaceous sedimentary rocks of the Tonopah Formation, Mizpah Formation, and the Tonopah Summit Member of the Fraction Tuff.

 

barr.com
21

 

 

Source: RESPEC Company, LLC, and Woods Process Services, 2024

 

Figure 6-1Property Geologic Map of the Tonopah Flats Lithium Project - Modified from Bonham & Garside, 1979

 

barr.com
22

 

ABTC’s drilling, as summarized in Section 7.2 and 7.3 of this report, has intersected a thick sequence of massive to finely bedded, poorly lithified to unlithified, calcareous claystone below approximately 6 to 12 m of alluvium. The claystone appears to have been deposited in a reduced or anoxic environment. Thin (generally 3 m or less) interbeds of siltstone, tuffaceous sandstone, conglomerate, and tuffs are present to depths of up to approximately 436 m or more. A semi-continuous, one- to three-meter-thick crystal tuff “marker” bed has been intersected in many of the drill holes at depths ranging from 122 m to 159 m. Opal sinter and fault breccias have been locally intersected in drilling. ABTC geologists have divided the claystone into three separate units based on the observed depositional environments (upper, middle, and lower units) identified during core logging from the most recent drilling campaign (discussed in Section 7.3). The crystal tuff “marker” bed separates the lower and middle claystone units. Cross-sections through the Tonopah Flats property are presented in Figure 6-2 and Figure 6-3. A detailed stratigraphic column is shown in Figure 6-4.

 

barr.com
23

 

 

Alluvial gravel (light yellow), gray-green (upper lithium clay unit), brown-green (middle lithium clay unit), green (lower lithium clay unit), red dashed line (crystal tuff marker bed), blue dashed line (faults).

 

Figure 6-2Generalized North-South Cross Section Through the Central Portion of the Tonopah flats Property (provided by ABTC, 2023)

 

barr.com
24

 

Alluvial gravel (light yellow), gray-green (upper lithium clay unit), brown-green (middle lithium clay unit), green (lower lithium clay unit), red dashed line (crystal tuff marker bed), blue dashed line (faults).

 

Figure 6-3Generalized East-West Cross Section through the Central Portion of the Tonopah Flats Property (provided by ABTC, 2023)

 

barr.com
25

 

Source: RESPEC Company, LLC, and Woods Process Services, 2024

 

Figure 6-4Detailed Stratigraphic Column of the Tonopah Flats Lithologic Units from Drilling

 

barr.com
26

 

6.4Mineralization

 

Lithium mineralization has been identified within the Miocene Siebert Formation in the southeastern portion of Big Smoky Valley. Lithium mineralization occurs within a thick sequence of lacustrine claystones with thin (3 m or less) interbeds of silt, tuffaceous sandstone, and crystal tuffs. The identified claystone thickness in the project area exceeds 436 m and appears to thicken toward the sedimentary basin to the west. The overall sedimentary package within the project area is flat lying to gently dipping as indicated by a tuffaceous marker bed identified in drill hole chips and core.

 

A drill hole on the western edge of the drilled area encountered 160 m of alluvial cover and did not reach the claystone unit. However, the hole was collared adjacent to a fault mapped by Bonham and Garside (1979) that bounds thicker Quaternary fill to the west. Drilling on an adjacent property to the west of the Tonopah Flats property has also confirmed a thick sequence of alluvial material west of the fault. Oligocene and older Miocene volcanic rocks below the Siebert Formation have not been encountered at the maximum depth of present drilling (436 m).

 

Drilling by ABTC has so far defined an area of generally continuous lithium mineralization 7,925 m north to south by 1,524 m to 4,572 m east to west, with thicknesses up to 436 m. Clay beds with higher concentrations of lithium are localized to semi-continuous, and the lithium-bearing beds are generally contained in a 1,219 m- to 3,048 m-wide corridor in multiple stratigraphic horizons.

 

Elevated lithium mineralization from 6 m to 67 m in thickness and grading up to 1000 ppm trends north to south through the central portion of the property. Interbeds of tuffaceous sandstone, crystal tuff, and siltstone less than 3 m thick show a general decrease in lithium with values of 200 ppm or less

 

The lithium deposit, defined as of the effective date of this PFS, underlies and extends continuously, both north and south of US 6/95. For this reason, the lithium mineral resources estimated in Section 11.8 have been defined within two areas, the “North Pit” and the “South Pit”, which are located north and south of the highway, respectively. For the purpose of this PFS only the South Pit is being evaluated.

 

6.5Deposit Type

 

6.5.1Lithium Deposit Model

 

The TFLP is a sedimentary- or clay-hosted lithium deposit. The U.S. Geological Survey (USGS) presented a descriptive model of lithium in smectites of closed basins in the 2011 Open File Report 91-11A (Asher-Bolinder, 1991). These deposits are commonly tuffaceous, lacustrine rocks that contain swelling smectite clays. It has been suggested that the smectite clays may also be altered to illite during or post diagenesis.

 

This model proposed three forms of genesis for clay-hosted lithium deposits:

 

Alteration of volcanic glass to lithium-rich smectite

 

Precipitation from lacustrine water

 

Incorporation of lithium from groundwater or brines into existing smectites

 

Tectonic settings that typically accommodate sedimentary- or clay-hosted lithium deposits are characterized by crustal or rift extension and bimodal volcanism with a depositional environment consisting of high rates of sedimentation within a closed or semi-closed basin. Controlling factors for these types of deposits can include the extent of lacustrine beds and the source or availability of lithium from silicic volcanic rocks (Asher-Bolinder, 1991).

 

barr.com
27

 

6.5.2Sources of and Concentration of Lithium in Clays

 

During crystallization of lithium-enriched magma, lithium is incorporated into pyroxenes, amphiboles, and micas. If the magma then erupts, the lithium is deposited within phenocrysts contained in volcanic lavas and tuffs. Over thousands to millions of years, weathering and erosion of the volcanic rocks will preferentially leach lithium that can be redeposited in sediments in nearby basins. If the basin is a hydrologically closed or semi-closed system, such as were present during the Neogene and Quaternary in Nevada, the volcanic sediments can form clays by diagenetic processes.

 

Hydrothermal systems may also play an important role in deposition or remobilization of lithium. These systems can pick up lithium from downward percolating surface water, in-situ clays, or from leaching of lithium-bearing volcanic rocks and redeposit it into pre-existing clays (Starkey, 1982), particularly those of the montmorillonite (smectite) group.

 

Recent work by Dr. Thomas Benson and researchers at the University of Nevada, Reno, on the origin of the Thacker Pass lithium deposit in north-central Nevada, has suggested that in addition to leaching of lithium enriched tuffs by meteoric water, degassing and devitrification of tuffs underlying the McDermitt Caldera lake sediments resulted in the release of lithium and other metals. The lithium mobilized from the degassing was then incorporated into authigenic clays forming at the bottom of the caldera lake. The caldera served as a closed basin during degassing, sediment deposition, diagenesis, alteration, and weathering. The lithium captured within the caldera has resulted in one of the largest known lithium resources in the United States (Benson, 2022).

 

Additional work is required to better understand the origins of clay-type lithium enrichment. Figure 6-5 shows a recent schematic geologic model for sedimentary and clay-hosted lithium deposits.

 

barr.com
28

 

 

Figure 6-5Modified Schematic Model of Sedimentary or Clay Lithium Deposits (modified after Helvaci (2015), from Vardar Minerals Ltd, Viti Li-B Project, Kosovo)

 

Clay lithium deposits that formed in closed or semi-closed basins are located in a broad area of southwestern Nevada and adjacent to the TFLP, including the American Lithium TLC project, located immediately to the northeast and the Pan American Horizon project, located immediately to the south. These projects, including Tonopah Flats, may be part of a semi-continuous zone of enriched lithium-bearing sediments within the southeastern portion of Big Smoky Valley.

 

barr.com
29

 

7    Exploration

 

Exploration conducted by ABTC commenced in the summer of 2021 and has included surface sampling and drilling as summarized below.

 

7.1ABTC 2021 Surface Sampling

 

ABTC collected 29 surface samples in June 2021 prior to entering the agreement with 1317038 Nevada Ltd. The purpose of the sampling was to confirm elevated lithium values found in samples collected by NAMC and to conduct an initial survey of lithium mineralization present in alluvium and sedimentary units that are exposed at various locations throughout the property. Sample chips were generated utilizing a three-horsepower, two-cycle auger to depths ranging from 0.15 to 1.12 m. Samples were placed in 480 mm by 330 mm cloth sample bags and labeled with a unique identification number. The samples generally ranged in weight from 5 to 7 kilograms (kg). All samples were collected within the initial group of the 305 lode claims. Each sample location was recorded with a hand-held global positioning system (GPS) unit. All samples were collected under the supervision of Mr. Greg Kuzma, consulting geologist, or Mr. Ross Leisinger of ABTC. The NAMC and ABTC surface sample locations coded by lithium assay values are shown in Figure 7-1.

 

The ABTC 2021 samples were assayed at American Assay Laboratory (AAL) in Sparks, Nevada and returned an average of 314 ppm lithium over an area of approximately 5 km by 1.6 km. The highest reported lithium value for the surface samples was 882 ppm.

 

barr.com
30

 

 

Figure 7-1 Map of Tonopah Flats Surface Sample Locations

 

barr.com
31

 

7.2ABTC 2021 and 2022 Exploration Drilling

 

ABTC commenced drilling at the Tonopah Flats property in December 2021. A total of 3,658 m were drilled in 10 reverse circulation (RC) holes and 12 air core (AC) holes during 2021 and 2022 as summarized in Table 7-1. The drill hole locations were laid out in a rough grid within the initial 305 lode claims (Figure 7-2). Drillholes were spaced approximately 549 m to 1,067 m feet apart and were collared on easily accessible jeep roads that extend across the property. The purpose of the drilling program was early-stage exploration to determine the general depth, thickness, continuity, and tenor of the clay lithium mineralization at the property and to obtain samples to begin metallurgical testing. All holes were drilled vertically and ranged from 122 m to 270 m in depth.

 

Table 7-1ABTC Drilling 2021 - 2023

 

Phase of Drilling Reverse Circulation Holes Air Core Holes Core Holes Meters
December 2021 – March 2022 6 10 0 2,404.9
July – September 2022 4 2 0 1,252.7
August – September 2023 0 0 8 2,046.0
Totals 10 12 8 5,703.6

 

barr.com
32

 

 

Figure 7-2Map of Tonopah Flats Drillhole Collars

 

barr.com
33

 

The first six holes (TF-2101 through TF-2106) were drilled by Harris Exploration of Fallon, Nevada with a T-685 Schram track-mounted RC rig. The equipment included a 5 3/8-inch (136 mm) hammer bit and rotary splitter. The sample interval was 1.5 m with water injection. Each sample was collected in a cloth bag inside a 19-liter (L) bucket to assure that representative coarse and fine material was collected. Sample bags were numbered, labeled with pertinent information, and laid out sequentially. A separate line of bags was designated for duplicate samples which were collected for every 30 m of drilling. The samples were allowed to air dry at the drill site (weather permitting) prior to transportation to ABTC’s secure facility in Tonopah, Nevada. Chip samples from each 1.5 m interval were collected for geologic logging from a screen below the main outlet of the rotary sample splitter and placed in plastic chip trays. Separate geological samples were collected for each sample interval in labeled plastic bags for reference. Each drill hole collar location was recorded with a survey-grade GPS RTK unit accurate to 10 mm.

 

Drillholes TF-2207 through TF-2216 were drilled by Drill Rite NV, Inc. of Dayton, Nevada. The holes were advanced with a truck-mounted AC rig. The rig utilized a 5 3/8-inch (136 mm) AC bit, reduced to 3 7/8-inch (98.4 mm) as necessary and a rotary splitter. Samples were collected every 1.5 m in a cloth bag inside a 19-L bucket to assure that representative coarse and fine material was collected. Sample bags were numbered, labeled with pertinent information, and laid out sequentially. A separate line of bags was designated for duplicate samples which were collected every for every 30 m of drilling. The samples were allowed to air dry at the drill site (weather permitting) prior to removal to ABTC’s secure facility in Tonopah, Nevada. Chip samples for logging purposes were collected on a screen below the splitter and placed in plastic chip trays. Separate geological samples were collected for each sample interval in labeled plastic bags for reference. Each drill hole collar location was recorded with a survey grade GPS RTK unit accurate to 10 mm.

 

A second round of exploration drilling was conducted between July and September 2022. A total of 1,253 m were drilled in two AC and four RC holes (Table 7-1). Most of the holes for this phase of drilling stepped out from the initial holes or infilled the most widely spaced holes to test the continuity of lithium mineralization. Hole TF-2218 was collared approximately 61 m from hole TF-2208 to confirm continuation of a zone of higher-grade lithium mineralization. All the phase two exploration holes were drilled vertically and were collared within the original 305 claims.

 

Drillholes TF-2217 and TF-2218 were also drilled by Drill Rite NV, Inc. of Dayton, Nevada with an AC truck- mounted rig as described above for holes TF-2207 through TF-2216. Midway through hole TF-2218, the AC bit was exchanged for a rock bit to decrease plugging issues. Holes TF-2219 through TF-2222 were drilled with a track-mounted RC rig. The equipment included a 5 1/2-inch (139.7 mm) center pipe and a 5 3/8-inch (126 mm) rock bit. The drill rig was equipped with a Y-splitter set beneath a cyclone and rotary sample splitter. Samples were collected every 1.5 m in a cloth bag inside a 19-L bucket to assure that representative coarse and fine material was collected. Sample bags were numbered, labeled with pertinent information, and laid out sequentially. A separate line of bags was designated for duplicate samples which were collected every for every 15 m of drilling. The samples were allowed to air dry at the drill site (weather permitting) prior to removal to ABTC’s secure facility in Tonopah, Nevada. Chip samples for logging were collected on a screen below the main outlet of the rotary Y-splitter and placed in plastic chip trays. Separate geological samples were collected for each sample interval in labeled plastic bags for reference. Each drill hole collar location was recorded with a survey grade GPS RTK unit accurate to 10 mm.

 

Drillhole TF-2217 was drilled to 160 m at a location west of the fault shown in Figure 7-2 and only intersected alluvial gravels. No sample intervals from hole TF-2217 were submitted for laboratory analysis. Lithium mineralization was encountered in all the other 21 drill holes.

 

barr.com
34

 

7.3ABTC 2023 Exploration Drilling

 

ABTC commenced a core drilling program at the Tonopah Flats property in July 2023. A total of 2,046 m were drilled in eight core holes (Table 7-1). The purpose of the program was to infill drill an area of higher-grade mineralization in the southern portion of the property, “twin” one RC drill hole (TF-2219) to confirm assays and lithologic units from earlier drilling and extend exploration to the southern property boundary. All holes were drilled south of US 6/95. Drillhole spacing was generally decreased to less than 610 m for the area south of the highway, except for one hole drilled adjacent to the southern property boundary, which is approximately 838 m from the nearest drill hole. The holes were collared on easily accessible jeep roads that extend across the property to minimize surface disturbance from drilling activities (Figure 7-2).

 

Drillholes TF-2323 through TF-2330 were drilled by KB Drilling of Mound House, Nevada. The holes were advanced with an Atlas Copco CS-14 truck-mounted rig by conventional wireline core drilling methods. When difficult ground conditions were encountered in drill hole TF-2323, KB Drilling reduced the tooling from PQ to HQ diameter for the remainder of the drilling program. Water was injected continuously during drilling. Each drill hole collar location was recorded with a survey grade GPS RTK unit accurate to 10 mm. All holes were drilled vertically and ranged from 216 m to 436 m in depth. No downhole surveys were collected during this program.

 

KB Drilling recovered core on 3 m runs unless broken ground or difficult drilling conditions made shorter runs necessary. The drillers stored all recovered core in wax-coated core boxes. The drillers recorded drill-run lengths and recoveries on wooden blocks placed between runs in the core boxes. Redrilled or reamed core was identified by the drillers and that information relayed to the onsite geologists.

 

Each day, core boxes were transported by the drillers or ABTC staff to the secure core logging facility in Tonopah. ABTC geologists logged the core, recording core recovery, rock quality designation (RQD), lithology, rock alteration, veining, and geological structures. After logging but before splitting, geologists or technicians sprayed the whole core with water and photographed it.

 

ABTC geologists or technicians saw-split the drill core at a workstation at the core logging facility. One half-core was retained for reference. The other half-core was bagged and labeled for analysis and was prepared for transport to the laboratory.

 

7.4ABTC 2025 Exploration and Geotechnical Drilling

 

The 2025 drilling program was initiated to further inform the Mine Plan of Operations and provide geotechnical data for pit slope stability and waste rock storage facilities (WRSF) (Table 7-2). Drillholes TF25-GT1 through TF25-GT8 were drilled by True North Drilling of San Tan Valley, Arizona between January 19 and February 16, 2025. Total footage for this program was 2,056.5 m in eight holes. Additionally, shallow sonic drilling was done on six sites to provide geotechnical data on the alluvial gravels. A map of the sonic drill holes is shown below as Figure 7-3.

 

Table 7-2ABTC 2025 Drilling Program

 

Phase of Drilling Core Holes Sonic Holes Meters
January 19 – February 16, 2025 8   2,056.5
April 30 – May 3, 2025   6 86.6

 

barr.com
35

 

 

Figure 7-3ABTC 2025 Sonic Drillhole Locations

 

barr.com
36

 

 

 

Figure 7-4ABTC 2025 Diamond Drilled Core Hole Locations

 

barr.com
37

 

The holes were advanced utilizing a Torque Drill TD9000D track-mounted rig by conventional wireline core drilling methods using 3 m, HQ diameter equipment. Water was injected continuously during drilling. Each drill hole collar location was recorded with a survey grade GPS RTK unit accurate to 10 mm. Holes were drilled at angles ranging from –80 to –60 degrees and ranged from 233 m to 300 m in depth. Various downhole surveys were collected during this program. A map of the eight drill holes is shown as Figure 7-4.

 

True North recovered core on 3 m runs unless broken ground or difficult drilling conditions made shorter runs necessary. The drillers stored all recovered core in wax-coated core boxes. The drillers recorded drill-run lengths and recoveries on wooden blocks placed between runs in the core boxes. Redrilled or reamed core was identified by the drillers and that information relayed to the onsite geologists.

 

Core boxes were transported daily by the drillers or ABTC staff to the secure core logging facility in Tonopah. ABTC geologists logged the core, recording core recovery, RQD, lithology, rock alteration, veining, and geological structures. The core was also logged by Barr engineers for geotechnical analysis and select samples taken for laboratory analysis, after logging but before splitting, geologists or technicians sprayed the whole core with water and photographed it.

 

ABTC geologists or technicians saw-split the drill core at a workstation at the core logging facility. One half-core was retained for reference. The other half-core was bagged and labeled for analysis and was prepared for transport to the laboratory.

 

7.5Interpretation of Drilling Results and Adequacy of Sample Quality

 

Lithium mineralization has been encountered in 37 out of 38 holes drilled by ABTC at the Tonopah Flats property. One hole (TF-2217), drilled west of the fault identified by Bonham and Garside (1979) (Figure 6-1) intersected alluvial material to the total depth drilled of 160 m. No samples from this hole were submitted to the analytical laboratory for analysis. As presented in Section 6.3, drilling by ABTC has so far defined an area of generally continuous lithium mineralization 7,925 m north to south by 1,524 m to 4,572 m east to west, with thicknesses up to 436 m at the property. Assays have ranged from 27.6 ppm Li to 1,940 ppm Li in the drilling with an average of just over 584 ppm Li. Notable lithium assay intervals from the drilling programs are presented in Table 7-3 below.

 

Table 7-3Drill Intervals of Interest

 

Hole ID From (m) To (m) Length (m) Li (ppm)
TF-2104 53 79 11 1,029.9
TF-2105 108 119 15 1,018.5
and 133 148 11 1,008.5
TF-2207 108 119 34 982.7
TF-2208 50 84 6 922.9
and 146 152 12 1,072.8
TF-2209 61 73 3 936.8
TF-2213 47 50 5 1,460.0
and 56 61 3 1,440.0

 

barr.com
38

 

TF-2214 43 46 9 1,395.0
TF-2218 49 58 6 1,015.3
and 72 78 14 1,085.0
and 157 171 35 1,017.2
and 175 210 15 1,043.0
TF-2219 5 20 17 1,040.9
and 96 113 29 1,039.2
and 120 149 24 1,203.1
TF-2222 27 52 3 1,110.2
TF-2323 105 108 6 1,410
and 148 154 18 1,035
and 184 203 15 1,100.2
and 38 53 27 1,055.2
TF-2324 46 73 27 1,170.8
and 79 107 21 1,280.6
TF-2325 66 87 24 1,246.9
and 94 119 14 1,177.0
TF-2326 113 126 9 1,028.5
and 137 146 6 1,116.7
TF-2327 114 120 17 1,097.5
and 131 148 15 1,086.3
TF-2328 38 53 18 1,055.2
and 58 76 6 1,141.9
and 131 137 11 1,122.8
TF-2329 23 34 17 1,014.9
and 46 62 17 1,125.5
TF-2330 12 29 15 1,132.5
and 38 53 17 1,086.8
and 102 119 29 1,097.8
and 126 155 35 1,165.8
TF25-GT1 76 111 35 988.1
and 178 221 43 1,023.40
TF25-GT2 37 102 65 896.4
and 221 236 15 933.3
TF25-GT3 43 108 65 951.7
and 117 148 30 1,118.90
TF25-GT4 67 134 67 984.5

 

barr.com
39

 

TF25-GT5 9 46 37 880.3
and 69 134 65 991.30
TF25-GT6 18 67 49 851.6
and 87 125 38 1065.4
and 178 241 63 1,017.50
TF25-GT7 101 133 32 903.6
and 181 233 52 934.8
TF25-GT8 38 75 37 776.5
and 148 189 41 975

ID = identification

m = meter

ppm = parts per million

 

The ABTC procedures pertaining to the handling, logging, and security of RC, AC, and core samples generated during ABTC’s drilling programs have been reviewed and found suitable to industry practices. In the opinion of the QP, the samples are representative of the mineralized material at the site and are reliable for use in the estimation of a mineral resource.

 

Barr’s QP conducted a site visit of the TFLP on September 27, 2024. The visit included stops at the core storage shed and multiple stops at the Tonopah Flats property. A selection of core and bulk samples were reviewed at the core shed. The visit to the mine site included stops at some of the drill hole collars, test pits, lithium resource outcrops, powerline corridors, and general viewing of the property topography.

 

barr.com
40

 

8    Sample Preparation, Analysis, and Security

 

This section summarizes the data relating to sample preparation, analysis, and security, and the quality assurance/quality control (QA/QC) procedures that pertain to the TFLP. The information has been provided by ABTC. The QP has reviewed this information and believes it is materially accurate. Section 8.1 pertains to procedures carried out for historical surface sampling by NAMC, a previous owner of the original land holdings. Section 8.2 discusses sample preparation, analysis, and security procedures for ABTC’s exploration program. A summary statement regarding the adequacy of the samples for use in resource estimation is presented in Section 8.6.

 

8.1Historical Sample Preparation, Analysis, Quality Assurance/ Quality Control Procedures, and Historical Sample Security

 

NAMC submitted 59 surface samples to ALS, an independent, commercial laboratory in Reno, Nevada, between March and June 2020. The samples were crushed in their entirety to at least 70% at minus 19 mm and riffle-split to obtain 250 gram (g) subsamples. The subsamples were then pulverized to at least 85% at <75 microns. The samples were analyzed for 51 major, minor, trace, and rare-earth elements by inductively coupled plasma mass spectrometry (ICP-MS) following a laboratory-preferred 4-acid digestion for lithium analysis. QA/QC samples, such as field duplicates, blanks, and certified reference materials (CRMs), were not included in the surface sample program conducted by NAMC.

 

8.2Sample Preparation, Analyses, Sample Security, and Quality Assurance/Quality Control Procedures by ABTC

 

The following sections summarize sample preparation, analysis, sample security, and QA/QC procedures by ABTC.

 

8.2.1ABTC 2021 Surface Sampling

 

ABTC personnel collected 29 surface samples in June 2021. The samples were placed in cloth bags and labeled with unique numbers. Two QA/QC samples were inserted by ABTC into the sample stream, including one blank pulp and one CRM (MEG Li.10.11) pulp. The samples were transported by ABTC personnel to AAL in Sparks, Nevada, an independent geochemical analytical laboratory that retains ISO/IEC 17025:2017 Laboratory Accreditation.

 

The samples were dried, weighed, and then jaw-crushed to 85% at <6 mesh (3.4 mm). The crushed samples were then roll-crushed to 90% at <10 mesh (1.7 mm) and riffle split in a Jones splitter to obtain approximately 1.0001-kg subsamples, which were then ring-pulverized to 90% at <150 mesh (0.104 mm). The samples were analyzed for 48 major, minor, trace, and rare-earth elements by ICP-MS following a laboratory-preferred 4-acid digestion for lithium analysis.

 

8.2.2ABTC 2021-2022 Air Core and RC Drill Sampling

 

ABTC utilized AAL for all samples generated from drill holes TF-2101 through TF-2208 and Paragon Geochemical (Paragon) for all samples generated from drill holes TF-2209 through TF-2222. Both laboratories, located in Sparks, Nevada, are independent of ABTC and hold ISO/IEC 17025:2017 accreditation.

 

barr.com
41

 

All drill sample bags were labeled with a unique sample number prior to transportation to ABTC’s office in Tonopah. The samples were organized, QA/QC samples were inserted into the sample stream, and a log of drill hole samples, duplicates, blanks, and CRMs was prepared by ABTC personnel. The samples were then transported to ABTC’s secure, fenced yard, approximately 1 km from their office, and placed in storage bins. The bins were picked up by arrangement from the secure yard by AAL or Paragon personnel, and the date and the number of samples transported were recorded on a sample chain-of-custody form.

 

RC rig-duplicate samples were collected at the drill rig every 15 to 30 m (every 10th to 20th sample). Control blanks or CRMs accompanied each sample batch to the laboratory and were inserted every 20th sample. On average, one coarse blank, one CRM, and one field duplicate were inserted for every 20 drill samples.

 

The drill samples submitted to AAL were dried, weighed, and then jaw-crushed to 85% at <6 mesh (3.4 mm). The crushed samples were then roll-crushed to 90% at <10 mesh (1.7 mm) and riffle split in a Jones splitter to obtain approximately 1.0001-kg subsamples, which were then ring pulverized to 90% at <150 mesh (0.104 mm). The samples were analyzed for 48 major, minor, trace, and rare-earth elements by ICP-MS following a laboratory-preferred 4-acid digestion for lithium analysis. Two QA/QC samples were inserted by AAL into the sample stream, including one blank and one CRM (MEG Li.10.11).

 

The drill samples submitted to Paragon were oven dried at 110 °C and then single-stage crushed to a nominal 0.203-cm particle size. Each crushed sample was riffle split and pulverized to >85% at <200 mesh (<75 microns). The samples were analyzed for 48 major, minor, trace, and rare-earth elements by ICP-MS following an aqua-regia digestion process. Two QA/QC samples were inserted by Paragon into the sample stream, including one blank and one CRM (MEG-Li.10.11).

 

8.2.3ABTC 2023 Core Drill Sampling

 

ABTC utilized Paragon for all samples generated from drill holes TF-2323 through TF-2330. After completing core logging, an ABTC geologist or technician photographed each core box with relevant identifying information, including the hole number, core box number, and from–to footages.

 

Prior to sampling the core, the ABTC technician or geologist labeled cloth sample bags with the sample number and the from–to footages on the tag outside of each sample bag and added in-sequence QA/QC sample bags into the sample stream. Section 8.3 of this report addresses the QA/QC procedures employed by ABTC.

 

When the sequence of cloth sample bags was prepared, an ABTC technician or geologist then sampled the core. Competent core was cut in half lengthwise with a diamond-bladed core saw. The highly broken core was split by hand directly from the core box using a putty knife and/or chisel. The technician placed half of the split core into its pre-labeled cloth sample bag for analysis, and the other half back into the core box.

 

When collecting field duplicate samples, one-half of the split core was cut again lengthwise to make a quarter-core. The half core was used as the analytical sample, and one of the quarter cores was used as the field duplicate sample.

 

The samples were organized, QA/QC samples were inserted into the sample stream, and a log of drill hole samples, duplicates, blanks, and CRMs was prepared by ABTC personnel. The samples were then placed in storage bins. The bins were picked up by arrangement from the secure yard by Paragon personnel and the date and the number of samples transported were recorded on a sample chain-of-custody form.

 

barr.com
42

 

The drill hole samples submitted to Paragon were oven dried at 110 °C and then single-stage crushed to a nominal 0.203-cm particle size. Each crushed sample was riffle split and pulverized to >85% at <200 mesh (<75 microns). The samples were analyzed for 48 major, minor, trace, and rare-earth elements by ICP-MS following an aqua-regia digestion process. Two QA/QC samples were inserted by Paragon into the sample stream, including one blank and one CRM (MEG Li.10.11). A complete library of all drill core is stored at ABTC’s secured core storage facility in Tonopah.

 

8.2.4ABTC 2025 Core Drill Sampling

 

For the 2025 program, ABTC continued to utilize the Paragon Geochemical Laboratory in Reno, Nevada, for the analysis.

 

An ABTC geologist or technician photographed each core box with relevant identifying information, including the hole number, core box number, and from–to footages. Core was split and sampled in 1.5 m intervals.

 

Core was logged and prior to sampling the core, the ABTC technician or geologist labeled cloth sample bags with the sample number and the from–to footages on the tag outside of each sample bag and added in-sequence QA/QC sample bags into the sample stream.

 

The complete library of all drill core is stored at ABTC’s secured core storage facility in Tonopah.

 

8.3ABTC Quality Assurance/Quality Control Results

 

The analytical portion of the QA/QC program employed by ABTC aimed to provide a means by which the accuracy and precision of the assaying that was performed on the RC drilling samples can be assessed to ensure the highest possible data quality. To achieve this goal, ABTC personnel inserted samples of CRMs (standards), which are commercially available pulverized materials certified to contain a known concentration of an element - in this case, lithium. The ABTC protocol was to use several CRMs of varying lithium concentrations during the drilling campaign and to randomly insert one CRM sample pulp into the stream of actual drill samples at a rate of up to two in fifty, depending on the phase of the drill program. The analytical QA/QC measures employed by ABTC during the latter part of the 2021-2022 drill program and the entire 2023 drill program are sufficient to properly monitor analytical accuracy and precision, and possible in-laboratory contamination. For the 2022 drilling program, ABTC used three CRMs obtained from Moment Exploration Geochemical Laboratory (MEG) of Lamoille, Nevada. An additional CRM obtained from MEG was used in 2023, bringing the total count to four CRMs used in that program.

 

A typical criterion for accepting the analyses of CRMs in the mineral industry is that they should fall within a range determined by the certified average or expected value ± three standard deviations.

 

Blanks are samples known or thought to contain little or no values of the target element, lithium. They are inserted into the sample stream, and the results are monitored to be sure that the laboratory does not report significant values when little or no lithium should be present. ABTC used two blanks for their 2021-2022 drilling: two fine (pulp) blanks, both obtained from MEG. The pulp blank does not go through the sample preparation circuit and monitors only potential analytical contamination, which is extremely rare in commercial laboratories. For the drill programs, ABTC inserted blanks at a rate of about one blank for every two CRM samples.

 

barr.com
43

 

In the 2023 and 2025 drill programs, a single coarse blank from MEG Laboratory was used. For both drill programs, ABTC inserted blanks at a rate of about one blank for every two CRM samples. Normally, a blank would be considered evaluated for results greater than five times the detection limit. With an average crustal abundance of around 20 ppm, it may be difficult to find suitable commercial blanks for lithium, and ABTC may need to develop a custom blank for the TFLP. ABTC deliberately chose commercial blanks designed for use with gold and silver that would allow for immediate identification of laboratory contamination during ICP analysis.

 

Field (rig) duplicates were also inserted into the sample stream at rate of about one duplicate for every drill hole 15 to 20 m of drilling. During the 2023 and 2025 drill programs, field duplicates were used at a regular interval of around one field duplicate per 60 samples. In 2022, over 60 field duplicates were analyzed by Paragon. These cross-laboratory duplicates were used to validate the analytical results from the two laboratories. Table 8-1 summarizes the quantities of QA/QC sample insertions by ABTC.

 

Table 8-1Summary Counts of Tonopah Flats QA/QC Analyses

 

QA/QC Samples 2021 - 2022 2023 2025
QA/QC Type Li Li Li
CRMs
Number in Use 3 4 3
Number of Analyses 66 95 148
Number of Failures 9 8 7
Duplicates
Field Duplicate 6 24 26
Coarse (Prep) Duplicate 64 0 0
Pulp Duplicate or Replicate 0 0 0
Laboratory Prep Duplicate 97 0 0
Laboratory Pulp Duplicate 0 0 0
Blanks
Pulp Blank 21 0 0
Coarse Blank 8 27 30
Drillhole Samples 2,240 1,306 1,290
Total Insertion Percent* 4.42 10.06 13.8

*Does not include Coarse/Pulp blanks as those were not inserted into the sample stream.

CRM = certified reference material

 

8.3.1Standards

 

Three CRMs were used during the 2021-2022 drill program, all from MEG. All three CRMs were certified for lithium. One additional CRM was inserted during the 2023 program, also from MEG. The standard insertion rates for the 2022 and 2023 drill programs were 2.86% and 6.54%, respectively. Table 8-2 describes the CRMs used during the 2022 and 2023 drill programs:

 

barr.com
44

 

Table 8-2CRMs Used by ABTC

 

CRM ID Drill Year(s) Insertion Count Certified Li (ppm) Li Standard Deviation (ppm)
MEG Li.10.11 2022 21 723.1 29.0
2023 29 723.1 29.0
MEG Li.10.12 2023 29 1171.9 99.5
MEG Li.10.14 2022 27 813.9 72.3
2023 12 813.9 72.3
MEG Li.10.15 2022 18 1,606.4 104.8
2023 25 1,606.4 104.8

CRM = certified reference material

ID = identification

ppm = parts per million

 

8.3.2Lithium CRM Results in the 2021-2022 Drill Programs

 

Analyses of the three CRMs used in the 2021-2022 programs had three high failures and six low failures for lithium. Two of the three CRMs had a slight positive bias, with the third CRM having a slight negative bias. ABTC used AAL as the initial laboratory for the 2021-2022 drill programs and finished the programs with Paragon for over half of the final drill hole analyses. AAL also reported in-house laboratory standards, and these were evaluated with no failures, but are not shown or detailed in this document. Both laboratories used a 0.25 g sample aliquot with a 4-acid digestion for all ICP-MS analyses. Detection limits were <0.2 ppm for lithium for both laboratories. Results for the CRM lithium analyses are summarized in Table 8-3. Table 8-4 details the nine lithium failures in the 2021-2022 drilling.

 

Table 8-3Summary of Lithium Results for Certified Reference Materials, 2021-2022

 

CRM ID Grades Li (ppm) Counts Dates Used Failure Counts Bias Percent
Target Average Maximum Minimum First Last High Low
MEG Li.10.11 723.1 740.752 883.0 599.0 21 02/08/2022 10/14/2022 2 1 2.4
MEG Li.10.14 813.9 773.100 996.0 336.0 25 02/08/2022 10/28/2022 0 5 -5.0
MEG Li.10.15 1,606.4 1,695.372 1,990.0 1,530.0 18 02/28/2022 10/28/2022 1 0 5.5

CRM = certified reference material

ID = identification

ppm = parts per million

 

barr.com
45

 

Table 8-4Lithium CRM Failures in the 2022 Drill Program

 

CRM ID Hole ID Values Li (ppm) Sample Designation Certificate
Target Fail Type High/Low Fail Limit Failed Value
MEG Li.10.11 TF-2213 723.1 High 810.1 883.0 TF-2213 245-250S B22-0232
MEG Li.10.11 TF-2214 723.1 High 810.1 849.0 TF-2214 145-150S B22-0233
MEG Li.10.11 TF-2220 723.1 Low 636.1 599.0 TF-2220 245-250S B22-1141
MEG Li.10.14 TF-2211 813.9 Low 597.0 423.0 TF-2211 345-350S B22-0230
MEG Li.10.14 TF-2213 813.9 Low 597.0 576.0 TF-2213 145-150S B22-0232
MEG Li.10.14 TF-2215 813.9 Low 597.0 489.0 TF-2215 345-350S B22-0234
MEG Li.10.14 TF-2216 813.9 Low 597.0 336.0 TF-2216 445-450S B22-0235
MEG Li.10.14 TF-2222 813.9 Low 597.0 529.0 TF-2222 545-550S B22-1142
MEG Li.10.15 TF-2222 1,606.4 High 1,920.8 1,990.0 TF-2222 145-150S B22-1142

CRM = certified reference material

ID = identification

ppm = parts per million

 

All nine failures were analyses performed by Paragon, spanning seven certificates. The five low failures in the MEG Li.10.14 undoubtedly caused the slight negative bias. While two or three of the failures were very close to the failure limit, none of these could be mislabeled samples, as the values do not match another CRM in use at the time. The two laboratories were charted separately for each of the three CRMs. While the number of samples for both laboratories is low, it does appear that Paragon was failing more consistently for evaluating the CRM for lithium. Note that both laboratories used the same analytical method with the same detection limits. Figure 8-1 presents the control chart for the CRM MEG Li.10.14 and clearly illustrates the five low-side failures associated with Paragon’s certificates. Table 8-5 provides an explanation for Figure 8-1.

 

 

Figure 8-1Lithium Control Chart for MEG Li.10.14

 

barr.com
46

 

Table 8-5Explanation for Figure 8-1

 

Items Obtained from Certificate for CRM
USL Upper Specification Limit Target + 3 Standard Deviations (CRM)
Target Expected Value (CRM)  
LSL Lower Specification Limit Target - 3 Standard Deviations (CRM)
Items Calculated using ABTC Data
UCL Upper Control Limit Avg + 3 Standard Deviations (Population)
Average Mean Value (Population)  
LCL Lower Control Limit Avg - 3 Standard Deviations (Population)

avg = average

CRM = certified reference material

 

8.3.3Lithium CRM Results in the 2023 Drill Programs

 

The four standards used in this program had three high failures and five low failures for lithium. Two of the four CRMs had a slight positive bias, with a third CRM having a slight negative bias. ABTC used Paragon Laboratory of Sparks, Nevada, for all of the 2023 drill hole analyses. Paragon did not report in-house laboratory standards. The laboratory used a 0.25 gram ICP-MS with a multi-acid digestion for all analyses. Detection limits were <0.2 ppm for lithium. Results for the CRM lithium analyses for 2023 are summarized in Table 8-6. Table 8-7 details the eight lithium failures in the 2023 drilling.

 

Table 8-6Summary of Tonopah Flats Lithium Results for Certified Reference Materials, 2023

 

Standard ID Grades Li (ppm) Counts Dates Used Failure Counts Bias Percent
Target Average Maximum Minimum First Last High Low
MEG Li.10.11 723.1 780.793 1,770.000 623.000 29 09/13/2023 11/09/2023 3 2 8.0
MEG Li.10.12 1,171.9 1,169.897 1,430.000 669.000 29 09/13/2023 11/09/2023 0 1 -0.2
MEG Li.10.14 813.9 825.833 9,30.000 704.000 12 09/13/2023 10/12/2023 0 0 1.5
MEG Li.10.15 1,606.4 1,551.720 1,750.000 684.000 25 09/13/2023 11/09/2023 0 2 -3.4

ID = identification

ppm = parts per million

 

barr.com
47

 

Table 8-7Lithium Failures in the 2023 Drill Program

 

Standard ID Hole ID Values Li (ppm) Sample Designation Certificate
Target for Standard Fail Type High/Low Fail Limit Failed Value
MEG Li.10.11 TF-2324 723.1 High 810.1 851.0 TF-2324 695-700S B23-0390
MEG Li.10.11 TF-2323 723.1 High 810.1 1,770.0 TF-2323 505-510S B23-0390
MEG Li.10.11 TF-2323 723.1 High 810.1 1,590.0 TF-2323 58-61.5S B23-0390
MEG Li.10.11 TF-2329 723.1 Low 636.1 623.0 TF-2329 500-505 S B23-0523
MEG Li.10.11 TF-2330 723.1 Low 636.1 634.0 TF-2330 750-755 S B23-0538
MEG Li.10.12 TF-2323 1,171.9 Low 873.4 669.0 TF-2323 190-195S B23-0380
MEG Li.10.15 TF-2323 1,606.4 Low 1,292.0 684.0 TF-2323 325-330S B23-0380
MEG Li.10.15 TF-2323 1,606.4 Low 1,292.0 729.0 TF-2323 555-560S B23-0380

ID = identification

ppm = parts per million

 

All eight failures are from the same laboratory (Paragon) across four certificates. The three high failures in the MEG Li.10.11 CRM could be mislabeled samples, as the values match other CRMs in use at the time. Of the five low failures, three may also have been mislabeled samples. However, as the cut sheets clearly detail the CRM used, it is hard to prove the mislabeling of samples.

 

Figure 8-2 shows the control chart for the standard MEG Li.10.11, and clearly shows the three high-side failures associated with the Paragon Laboratory certificates. It is not known what actions ABTC took, if any.

 

 

Figure 8-2Lithium Control Chart for MEG Li.10.11, 2023 Drill Program

 

8.3.4Lithium CRM Results in the 2025 Drill Programs

 

Three standards were utilized throughout the sampling process. There were seven failures from the results returned from the laboratory. Failures have been determined to be a result of mislabeling of the CRM at the time of submission; no further action was taken in those batches.

 

barr.com
48

 

There was a negative bias on one of the CRM and a positive bias on the other two. Similar trends were observed during previous sampling campaigns where these CRMS have been utilized. In Figure 8-3, the majority of assay results fell within the three standard deviation limits.

 

 

Figure 8-3Li CRM MEG Li 10.12 Used for the 2025 Drill Program

 

Table 8-8Summary of Tonopah Flats Lithium Results for Certified Reference Materials, 2025

 

CRM Mean Value
Li (ppm)
Upper Limit
Li (ppm)
Lower Limit
Li (ppm)
Results Average
Li (ppm)
Failures Bias
MEG Li.10.11 723.1 810.1 636.1 785.2 2 -9%
MEG Li.10.12 1,171.9 1,470.4 873.4 1,084.1 4 7%
MEG Li.10.15 1,606.4 1,920.8 1,292 1,578.8 1 2%

CRM = certified reference material

ppm = parts per million

 

8.4Duplicates

 

Field duplicates were inserted into the sample stream at an insertion rate of 0.3% for the 2021-2022 drill program. For the 2023 drill program, a much more concerted effort was made with respect to duplicates, and field duplicates were inserted with an insertion rate of 1.65%. Duplicate pairs were evaluated by the charting in three distinct methods: a scatterplot showing an reduced major axis (RMA) regression, a quantile/quantile plot, and relative percent and absolute relative percent difference (ARPD) plots using both the maximum of the pair and the mean of the pair. The relative percent difference (RPD) of the maximum of the pair is expressed as follows:

 

barr.com
49

 

Equation 8-1RPD Maximum

 

 

The RPD of the mean of the pair is expressed as follows:

 

Equation 8-2RPD Mean

 

 

Two types of duplicates were evaluated for the 2021-2022 drill program including field (rig) duplicates and laboratory preparation duplicates.

 

Before changing analytical laboratories from AAL to Paragon, 63 rig duplicates from AAL were sent to Paragon for analyses. These duplicates were evaluated in total and by the two drill types, AC and RC. In addition, AAL did report laboratory preparation duplicates for 2021 and the first part of 2022. These laboratory preparation duplicates were evaluated both in total and by the two drill types. Although the data is insufficient to be statistically certain, it appears that the AC rig did not gather as good a sample as the RC rig. This is apparent in the field duplicates but is less so in the laboratory preparation duplicates. This may be a function of the sampling methodology used rather than the drilling method. There is also a slight negative bias between the AAL and Paragon coarse duplicate pairs.

 

All duplicate pairs were analyzed, with some issues found. Outliers were discarded as either a visual outlier on the scatterplot or an outlier with an ARPD of greater than 2,000. Outliers were removed for the purpose of calculating statistics, but they are important. They indicate that pairs of analyses that are expected to be similar are not. Efforts should be made to understand the reasons for outliers, and many outliers with unknown causes would be a concern.

 

The duplicate pairs were plotted for quality control for lithium only. Table 8-9 shows summary data for these duplicate pairs.

 

barr.com
50

 

Table 8-9Summary of Results for Field Duplicates and Laboratory Preparation Duplicates

 

Laboratory Type Element Drill Type Counts RMA Regression Averages as Percent
All Used Outliers

y = Duplicate

x = Original

RPD ARPD
Paragon Field Duplicate Li All 7 7 0 y = 1.0819x – 129.27 -12.49 50.86
AAL vs. Paragon Field Duplicate Li All 63 62 1 y = 1.2396x – 137.94 -11.25 43.50
AAL vs. Paragon Field Duplicate Li AC 13 13 0 y = 2.1279x – 961.52 -88.59 122.73
AAL vs. Paragon Field Duplicate Li RC 50 50 0 y = 1.1091x - 61.369 -7.37 38.48
AAL Laboratory Preparation Li All 97 97 0 y = 1.0014x - 0.5458 -0.05 1.65
AAL Laboratory Preparation Li AC 23 23 0 y = 0.9972x + 5.9706 0.6 1.58
AAL Laboratory Preparation Li RC 74 74 0 y = 1.0001x - 0.9142 -0.26 1.68

AC = air core

ARPD = absolute relative percent difference

RC = reverse circulation

RPD = relative percent difference

 

After removing the one outlier found on the scatterplot for the lithium field duplicates, the duplicate pairs showed less correlation between grades of about 400 and 1,200 ppm. An overall negative bias (-11.25) was found, showing that the original AAL values tended towards higher grades than the duplicate Paragon value. Charting only the RC samples removed some of the variation, but a slight negative bias was still observed. The following scatterplot shows some correlation across all grades, with higher variance at the mid-range lithium grades (Figure 8-4).

 

barr.com
51

 

 

Figure 8-4Lithium AAL vs. Paragon Scatterplot, 2021-2022

 

 

Figure 8-5Lithium Relative Percent Difference, AAL vs. Paragon, 2021-2022

 

The relative percent difference chart (based on the mean of the pair) for the duplicates shows all relative differences under 120%, with higher variance between the mid-range grades of 300 to 800 ppm lithium (Figure 8-4). A relative difference based on the mean pair of less than 200% is considered acceptable.

 

barr.com
52

 

Charting the laboratory preparation duplicates shows a well-behaved distribution of duplicate pairs, with almost no bias and a near-perfect regression line (Figure 8-5).

 

These laboratory preparation duplicates, while not ideal for evaluation, do show that the duplicate pairs taken are at least capable of a high degree of correlation.

 

For the 2023 drill program, field (rig) duplicates were inserted at a regular insertion rate of about one in sixty samples. No outliers were found, and all 24 rig duplicate pairs were used with a near-perfect scatterplot as shown below. Note the regression equation with an x-coefficient very near unity. Withstanding the small sample size of only 24 pairs, there appears to be good correlation across all grades. This gives confidence in both the rig sampling and analytical methods used.

 

 

Figure 8-6AAL Preparation Duplicate vs. Original for Lithium, 2021-2022

 

barr.com
53

 

 

Figure 8-7Lithium Field Duplicates Scatterplot, 2023

 

For the 2025 drilling program, field duplicates were taken similar to the 2023 program. The duplicates were taken at approximately one in sixty, together with the rest of the QA/QC.

 

The results showed a good correlation between duplicate pairs, with a total of three samples plotting outside of a 10% difference. One result returned only an 11% bias. The duplicates showed a correlation coefficient of 0.9 (R2= 0.8127), as shown in Figure 8-8. This results in high confidence in the analytical method used for the 2025 drilling program.

 

barr.com
54

 

 

Figure 8-8Field Duplicates for 2025 Program (Li ppm)

 

 

Figure 8-9Relative Percentage Difference Between Duplicates for the 2025 Drilling Program

 

barr.com
55

 

8.5Blanks

 

Pulp blanks were used throughout the ABTC 2021-2022 drill program for the TFLP. A second pulp blank was also added during the last few holes drilled in the summer of 2022. Both blanks were obtained from MEG. Neither of the two blanks used had lithium values below the detection limit of 0.2 ppm, so they were evaluated as a low-grade CRM would be. Normally, a blank would be evaluated by setting the warning limit to five times the detection limit. The blanks are both derived from barren silica sand with the average lithium value for the initial pulp blank (MEG Blank 17.11) of 3.42 ppm Li, with a median value of 2.35 ppm and an average lithium value of the second pulp blank (MEG Silica Blank.21.03) of 4.81 ppm Li, with a median value of 4.05 ppm. Table 8-10 shows a summary of the blanks in use during the 2021-2022 and 2023 drill programs.

 

Table 8-10Summary of Results for Blanks

 

Blank ID Drill Year(s) Element Type Counts Maximum Dates of Analyses
All Above Warning (ppm) Start End
MEG Silica Blank 21.03 2022 Li Pulp 7 0 7.9 10/12/2022 10/28/2022
2023 Li Pulp 27 0 10.8 09/13/2023 11/09/2023
MEG Blank 17.11 2022 Li Pulp 20 1 15.1 02/08/2022 10/07/2022

ID = identification

ppm = parts per million

 

8.5.1Results for Blanks in the 2021 to 2022 Drill Program

 

For the 2021-2022 drill program, seven pulp blanks from MEG Blank 21.03 were submitted with no lithium failure. ABTC also submitted 20 pulp blanks from MEG Blank 17.11 with one lithium failure. The single failure was based on a warning limit of the population average plus three times the standard deviation, after removing any outliers. The single failure for this drill program is shown in Table 8-11.

 

Table 8-11Blank Failures and Preceding Samples 2021-2022

 

Blank Certificate Element Method Preceding Blank

Warning Limit

(ppm)

Sample Value (ppm) Sample Value (ppm)
MEG Blank 17.11 B22-0951 Li ICP-MS TF-2219 245-250 544.0 TF-2219 245-250 S 15.1 13.76

ppm = parts per million

 

Figure 8-10 shows the lithium values of the MEG Silica Blank 21.03 pulp blanks plotted with the preceding sample values.

 

barr.com
56

 

 

Figure 8-10Lithium in "MEG Silica Blank 21.03" and Preceding Samples 2021-2022

 

8.5.2Results for Blanks in the 2023 Drill Program

 

In the 2023 drill program, 27 coarse blanks were submitted with no failures. Of these 27 blanks, six were “first blanks”, so they are the first sample in the sample stream. Since the previous value is unknown in the case of a “first blank”, these are plotted without reference to a previous value.

 

The chart in Figure 8-11 shows the 21 single coarse blanks used in 2023 and are plotted with the preceding sample grades for lithium.

 

 

Figure 8-11Lithium in "MEG Silica Blank 21.03" and Preceding Samples 2023

 

Although low-grade lithium values are inherent in the coarse blank in use, no failures were observed when applying a warning limit of the average blank value plus three times the population standard deviation.

 

barr.com
57

 

8.5.3Results for Blanks in the 2025 Drill Program

 

Utilizing a suitable Li blank for the project has been challenging. The silica blank utilized contains unknown quantities of Li (ppm), but it is utilized extensively in the gold mining industry.

 

It was determined that low-grade lithium values are inherent in the coarse blank in use; failure of the blank material results seemed not applicable since the content of the blank material used was unknown and did not appear on the silica blank certificate.

 

The results for the blanks were reviewed and determined to be non-indicative of any contamination within the lab. The results show that 53% of the samples returned values less than the previously utilized warning limit (Figure 8-12). This was determined as acceptable for this type of deposit.

 

The results of the blank material do not skew the results of the rest of the QA/QC program.

 

 

Figure 8-12Blank Analysis Completed on the 2025 Drilling Program

 

8.6Adequacy of Sample Preparation, Analyses, and Security

 

For all drilling programs from 2022-2025, the QA/QC measures applied have been sufficient to monitor accuracy and precision, as well as identify any external contamination that may occur during analysis. ABTC’s QA/QC program involved the use of field duplicates, pulp blanks, and CRMs at an overall insertion rate of 5% - 10% during the programs from 2022-2025.

 

For the 2023 - 2025 drill program, the overall insertion rates were above 10%, with the use of field duplicates, coarse blanks, and CRMs all within accepted industry recommendations.

 

The 2021-2022 drill program had nine lithium CRM failures across three out of three CRMs used, which were not addressed. One of the CRMs had five low failures, all from Paragon. While more of the CRMs (67%) were submitted to Paragon, it should be noted that all failures were with that laboratory, and no failures were associated with AAL, who was used earlier in the drill program.

 

barr.com
58

 

The 2023 drill program had eight lithium CRM failures. Five of these failures may have been the result of mislabeled samples, although this cannot be proven at this point.

 

The 2025 drill program had seven lithium CRM failures. The majority are considered mislabeling errors on the side of the ABTC geologists. Any other discrepancies were immediately reported to the assay lab and rectified.

 

Field duplicate analysis shows considerable variation across all lithium grades but is within accepted industry standards (<200% RDP with an average RDP of less than 20%). The cross-laboratory field duplicates showed considerable variability with a low correlation coefficient and a negative bias. Removal of the AC samples helped the RMA regression to a small extent. Laboratory preparation duplicates show an extremely well-behaved distribution.

 

Field duplicates were inserted with regularity in the 2023 and 2025 programs and showed an extremely well-behaved distribution. This lends confidence to the drill sampling and analytical methods used.

 

The blanks used were not low enough in lithium values to be used as conventional blanks, so they were treated as low-grade CRMs. Two of the three failures may well have been due to mislabeled samples. An effort should be made to find more suitable lithium blank material if it is available, which may be difficult because of the low detection limit (0.2 ppm) of the analytical method and the natural abundance of lithium in the Earth’s crust.

 

Overall, there are some indications in the data that occasional mix-ups of QA/QC samples occurred, particularly in the earlier drill campaigns, as some of the CRM failures matched the values of other CRMs in use at the time. However, as the cut sheets clearly detail the CRM used, it is hard to prove the mislabeling of samples.

 

Any issues observed during this assessment of the QA/QC process done by ABTC are not sufficient to preclude the use of the lithium assays in a mineral resource estimate. It is the QP’s opinion that the data are adequate to use for the resource estimate described herein.

 

barr.com
59

 

9    Data Verification

 

The current Tonopah Flats drill hole database, which forms the basis for the Tonopah Flats resource estimation, is comprised of information derived from 38 drill holes. Information from the 2025 diamond core drilling program is included in the current resource estimation. This database, inclusive of the 2025 core holes, was subjected to the data verification procedures discussed in Section 9.2 and below.

 

9.1Site Visit

 

Barr’s QP conducted a site visit of the TFLP on September 27, 2024. The visit included a tour of the core storage shed and multiple stops throughout the Tonopah Flats property. A selection of core and bulk samples were reviewed at the core shed. The visit to the mine site included stops at some of the drill hole collars, test pits, lithium resource outcrops, powerline corridors, and general viewing of the property topography.

 

On June 26, 2025, Barr QPs visited the ABTC pilot plant in Sparks, Nevada. The visit included a thorough tour of the pilot plant operation and viewing of the bulk feed materials being used for the pilot testing. Barr QPs also viewed bulk samples (supersacks) of combined tailings material from the pilot plant operations.

 

Mr. Jeff Woods, of Woods, the QP for chapters 10 and 14 of this report, has visited the pilot plant multiple times during the course of the project, including observing the pilot plant in operation, as well as ABTC’s research and development (R&D) and analytical laboratories located at the Nevada Center for Applied Research on the University of Nevada’s Reno campus.

 

9.2Drilling Database Verification

 

Data verification, as defined in Regulation S-K, is the process of confirming that data have been generated with proper procedures, have been accurately transcribed from the original sources, and are suitable to be used. Additional confirmation of the drill data’s reliability is based on the authors’ evaluations of the Tonopah Flats drill project QA/QC procedures and results, as described in Section 8.2, and in general working with the data.

 

Verification of ABTC’s TFLP Microsoft Excel database was conducted during the geological modeling and mineral resource estimate update phases. A review of the data was conducted to evaluate data integrity.

 

The initial phase of tests included performing a series of queries, listed below, to validate the database:

 

Drill collars were reviewed

 

Collars with missing depths

 

Collars with missing coordinates

 

Coordinates that might be swapped

 

Drillholes without assay intervals

 

Drillholes without collar survey information

 

Drillholes with nearly duplicate coordinates

 

barr.com
60

 

Drillholes without assays

 

Assay data was reviewed:

 

Excessively large or small sample intervals

 

Assay intervals that are greater than collar total depth

 

Gaps and overlaps in sample intervals

 

The verification process found no significant issues with the dataset, and it was determined to be valid for the estimation process. The database was then used as supplied by ABTC. Comments recorded by previous reviewers of the property were taken into account when conducting the 2025 update of the mineral resource estimate.

 

9.2.1Assays

 

The second phase of the data validation was the most comprehensive, comparing raw assay certificates to the database provided by ABTC. Any discrepancies were reported to ABTC and corrected in the database.

 

In 2025, all assay data was imported directly from Paragon Laboratory certificates with no data integrity issues found in the modeling database.

 

9.3Adequacy of Data

 

The QPs have reviewed the QA/QC data supplied by the client and verified the drilling for the previous drilling programs at the Tonopah Flats property. The QP agrees that the data are reliable.

 

Further verification of the drilling data was also accomplished through the generation of a substantive geological domain model generated from the lithological controls and the lithium assays, in the context of those variables as summarized in Section 11.5 through Section 11.7.

 

Explicit modeling of the lithium mineralization domains on cross-section was the most critical component to the estimation of the project mineral resources. Modeling of the continuity of geological controls, and the assays in the context of the variables, were carefully evaluated and considered.

 

No downhole surveys were collected during each of the three previous drill phases. In 2025, ABTC conducted downhole surveys on three geotechnical drill holes. Downhole televiewer surveys were conducted on TF25-GT1 and TF25-GT3, as well as a downhole deviation survey conducted on TF25-GT4 and the results were found to be within industry standards.

 

The QPs have found no limitations with respect to data verification for the TFLP.

 

barr.com
61

 

9.4Metallurgical Test Work and Pilot Plant Adequacy of Data

 

ABTC conducted in-house analytical chemistry to determine the elemental composition of claystone samples. The process involved several steps:

 

Elemental Analysis: Claystone samples were first ground and then digested using a 3-acid microwave digestion process. The resulting solution was analyzed with an Agilent 5800 inductively coupled plasma optical emission spectrometry (ICP-OES) instrument to measure the concentration of 25 different elements. This method was based on EPA 200.7 Rev. 4.4 and was validated with CRMs from MEG.

 

Two CRMs, MEG Li.10.14 and MEG Li.10.15 from MEG. These CRMs were lithium and boron containing claystone material from Central Nevada, USA. MEG Li.10.14 had a certified lithium value of 814 ppm and boron value of 0.17% while MEG Li.10.15 had a certified lithium value of 1606.4 ppm and boron value of 1.6 ppm. Control charts for reference materials MEG Li.10.14 and MEG Li.10.15 are shown in Figure 9-1 and Figure 9-2.

 

Inorganic Anion Analysis: A Thermo Scientific Dionex ICS-6000 ion chromatograph was used to measure inorganic anions such as fluoride, sulfate, and chloride, following a method similar to EPA 300.0.

 

Carbon Analysis: A Shimadzu TOC-L CSH system was used to determine total carbon, inorganic carbon, and organic carbon, using a method based on SM 5310B.

 

 

Figure 9-1Lithium Concentration Control Chart for Certified Reference Materials from Moment Exploration Geochemistry LLC, MEG Li.10.14

 

barr.com
62

 

 

Figure 9-2Lithium Concentration Control Chart for Certified Reference Material from Moment Exploration Geochemistry LLC, MEG Li.10.15

 

Detection limits for the methods run by analytical instruments are found in Table 9-1.

 

Table 9-1Limits of Detection for Analytical Methods

 

Instrument (Method) Limit of Detection (µg/g)
ICP-OES (EPA 200.7 Rev 4.4) 0.012 – 0.687
Ion Chromatograph (EPA 300.0) 0.001 – 0.013
Carbon Analyzer (SM 5310B) 0.086

ICP-OES = inductively coupled plasma optical emission spectrometry

µg/g = micrograms per gram

 

ABTC used several QA/QC procedures to ensure the accuracy and reliability of its analytical results.

 

Calibration Standards: ABTC used certified calibration standards to create multi-point calibration curves with an r² value of 0.995 or higher.

 

Checks and Blanks: Calibration checks from both primary and secondary sources were used to confirm accuracy. If a check deviated by more than 15%, the calibration standards were rerun. Blanks were also used to detect and account for any contamination.

 

Duplication: For ICP-OES analysis, most samples were digested and analyzed in duplicate to ensure precision and accuracy. CRMs were also periodically digested to further validate the results.

 

All these procedures were carried out using specific chemical reagents and documented in ABTC's internal standard operating procedures. In the QP’s opinion, the analytical methods and QA/QC procedures follow industry practices and are adequate for the purpose of this report and of the use of plant design, metallurgical performance and accounting, and recovery forecast.

 

barr.com
63

 

10    Mineral Processing and Metallurgical Testing

 

10.1Mineral Processing and Metallurgical Testing Summary

 

The mineral processing and metallurgical testing program has been managed by ABTC and supported by third-party institutions (Hazen Research, Inc. [Hazen], Pocock Industrial Inc. [Pocock], and SGS Canada, Inc. [SGS]). As of the effective date of this report, mineral processing, metallurgical testing, and processing optimization remain on-going for continued process enhancements. ABTC and Woods have prepared this section of the report based on the results of these programs.

 

The mineral processing and metallurgical testing campaign for the manufacturing of high purity lithium hydroxide product from this lithium bearing claystone material initiated in Spring 2022, where conventional mineral acid leaching of run of mine (ROM) materials was first explored.

 

In this initial program it was demonstrated that high lithium extractions could be achieved (>80%) with conventional processing when using mineral acids, such as HCl or H2SO4. In these trials leaching times greater than two hours were required at temperatures greater than 60 °C and with acid compositions of 450-1,000 kg acid per tonne of claystone. However, while high extraction efficiencies were achieved, this type of conventional mineral acid leaching was non-selective and resulted in a pregnant leach solution (PLS) with high concentrations of deleterious elemental species compared to the lithium content (Deleterious: Li > 500 mol/mol), thus requiring chemical intensive downstream purification. Due to the presence of carbonate minerals in the claystone feed, much of the acid consumption is due to carbonates and not efficiently utilized in leaching lithium within the claystone.

 

To improve the selectivity of the leaching (reduce the amount of non-lithium elements leached into the PLS), trials were next performed with various types of pretreatments on the claystone prior to leaching. Several of these pretreatment operations were able to selectively convert lithium to forms that could be readily leached, while deleterious elements (i.e., Mg, Fe, Al) were unaffected and remained within the solid claystone matrix during subsequent leaching. Also, the generated PLS was demonstrated to have a basic pH (i.e., pH ≥ 9), thus reducing the need for process pH adjustment for a final lithium product (i.e., hydroxide).

 

Initial pretreatment trials were carried out with claystone feed materials in batch using bench scale systems. A wide range of conditions were examined, and it was demonstrated that with pretreatment and subsequent leaching lithium extraction of 70% to 85% was achieved, with significant improvements in selectivity to lithium extraction observed (Deleterious: Li < 20 mol/mol).

 

With these significant reductions in deleterious elements leached into the PLS with the implementation of these pretreatment operations and improved lithium selectivity, simplified downstream purification methods and operations were tested and evaluated using conventional lithium processing techniques. Demonstration of a battery grade LHM product, as defined in the specifications shown in Figure 10-10, was demonstrated at the bench scale.

 

After demonstration of these processes at the bench scale, a pilot-scale processing plant (~5 t claystone per day capacity) was designed, constructed, commissioned, and operated demonstrating the extraction, purification, and conversion of lithium from the claystone resource to a battery-grade LHM product. Large scale samples of products from this system have been analyzed internally by ABTC, and also provided to prospective customers for their evaluation.

 

barr.com
64

 

While the pilot-scale processing plant confirmed that battery-grade lithium hydroxide could be produced with the existing process flow sheet, additional mineral deportment studies along with laboratory trials carried out using various beneficiation methods showed that the lithium clay minerals consist of fine particles compared to most gangue minerals and can be concentrated. Beneficiation was examined as a method to upgrade and concentrate the lithium bearing constituents of the claystone while rejecting the low or non-lithium bearing constituents.

 

This beneficiated material could then exhibit significantly increased grade at the entrance of the conversion plant, allowing for the same amount of product to be manufactured from significantly smaller equipment and with lower energy, chemical agent, and labor costs. Bench and pilot-scale beneficiation trials were carried out on the claystone material and demonstrated an initial upgrading ratio of the non-beneficiated to beneficiated material of 2.85x, and the subsequently produced beneficiated products were subjected to similar pretreatment and lithium extraction trials.

 

Generated laboratory process data was analyzed with process simulations (METSIM and Aspen) used to optimize and improve process parameters and associated economics.

 

The focus of the experimental campaigns in this report is on the ABTC pilot plant demonstration trials, and associated studies regarding beneficiation of the claystone feed materials, interim product dewatering, pretreatment studies of beneficiated materials, and subsequent downstream lithium processing and purification. At the time of writing, work continues on optimization of the process to improve reagent utilization, lithium product purity, and process economics.

 

10.2Sample Information

 

The samples used for this test campaign were obtained from two sample sets collected from ABTC’s Tonopah Flats claystone deposit and prepared for mineral processing and metallurgical testing. The first sample consisted of reverse circulation drill cuttings from the 2021-2022 drill hole program that were collected from TF-2218 (316 kg, referred to as sample DC-TF-2218). This sample was pulverized (Bico Braun Type UA disk pulverizer) to 100 mesh (75% passing) and homogenized to obtain a statistically representative sample of the entire drill hole depth (30 m to 213 m). Mineral processing of these materials was carried out at the University of Nevada, Reno’s Ore Dressing Laboratory. The homogenized bulk sample was analyzed in-house at ABTC’s analytical laboratories. The head grade data was compared with third-party assay data (Paragon) for validation and found to be statistically consistent and representative. This material, DC-TF-2218, was used for beneficiation test work as well as downstream extraction test work. The head grade of the beneficiated materials used for further downstream testing is referred to as sample DC-TF-2218-BC2 and was compared with third-party assay data (SGS Canada, Inc., 2025) for validation and found to be statistically consistent and representative.

 

A second bulk sample, consisting of approximately 100 t was excavated from the TF-2219 site and used for pilot plant campaigns, characterization, and mineral processing and metallurgical test work. This bulk sample was used in parallel to determine the characteristics of ROM material and can be considered part of the “upper zone” of the deposit. This sample is referred to as BS-TF-2219. This material was then crushed using a jaw crusher attachment on a skid steer (MB-HDS214) and is referred to as sample JC-BS-TF-2219. Samples BS-TF-2219 and JC-BS-TF-2219 were subject to deportment analysis. The head grade of each sieve size was averaged to obtain the overall composition. Assaying was determined by methods outlined in Section 10.2 and the average values are reported as shown in Table 10-1.

 

barr.com
65

 

Table 10-1 outlines the feed materials used for mineral processing and metallurgical test work and is based on ABTC’s in-house head grade assay data for samples used in this test work campaign. Units are in milligrams per kilogram (mg/kg) or ppm and are on a dry basis. “NQ” denotes elements not quantified and “ND” denotes a non-detect or below the detection limit of the machine.

 

Table 10-1Materials Used for Mineral Processing and Metallurgical Test Work

 

Element
(ppm)
Sample ID
DC-TF-2218 DC-TF-2218-BC2 BS-TF-2219 JC-BS-TF-2219
Li 797 1,982 622 690
Al 65,240 54,773 60,684 57,038
As 87 41 36 33
Ba 742 363 457 634
Ca 56,214 16,119 52,624 51,156
Co 13 18 7 9
Cr 30 38 23 17
Cu 28 30 85 71
Fe 25,954 39,881 24,104 23,432
K 42,118 46,315 50,384 40,454
Mg 19,933 43,906 18,040 18,246
Mn 611 719 534 529
Mo 16 4 “ND” “ND”
Na 18,482 16,819 11,861 10,454
Ni 17 29 14 12
P 641 555 575 540
Si 230,233 175,215 199,791 191,681
Sr 2,047 1231 766 780
Ti 2,670 3,910 2,491 2,492
V 91 163 86 104
Zn 103 113 65 58

ID = identification

ppm = parts per million

 

10.3Sample Analysis Methods and Validation

 

All analytical chemistry was carried out in-house by ABTC unless otherwise stated or studies carried out by third-party laboratories. Analysis of the elemental composition of claystone samples was carried out by an internally developed process which consisted of microwave digestion (three acids) and analysis of the leachate solution by ICP-OES multi-element analysis with the use of an Agilent 5800 ICP-OES instrument. The foundational method used for analysis was EPA 200.7 Rev. 4.4 for both total and dissolved metals. The digestion method was validated with the use of two CRMs, MEG Li.10.14 and MEG Li.10.15 from MEG. These CRMs were lithium and boron containing claystone material from Central Nevada, USA. MEG Li.10.14 had a certified lithium value of 814 ppm and boron value of 0.17% while MEG Li.10.15 had a certified lithium value of 1,606.4 ppm and boron value of 1.6 ppm. The instrument used for digestion was an Anton Parr Multiwave 5000 Microwave Reaction System. All claystone samples were ground with mortar and pestle prior to microwave digestion. The digestion method entailed a 10-minute ramp up to 180 °C followed by a 20-minute hold time. Analysis of the leachate by ICP-OES was subject to 25-element analysis, with both single and multi-element standards purchased from Sigma-Aldrich, Agilent, and Inorganic Ventures.

 

barr.com
66

 

In addition to elemental analysis, a Thermo Scientific Dionex ICS-6000 ion chromatograph (IC) system was used to determine inorganic anions, namely fluoride, sulfate, and chloride, by an analysis method similar to EPA 300.0. Total carbon, inorganic carbon, and organic carbon by high-temperature combustion oxidation was also employed by operation of a Shimadzu TOC-L CSH system. Method SM 5310B was used for the determination of total carbon, inorganic carbon, and organic carbon. Detection limits for the methods run by analytical instruments are found in Table 10-2.

 

Table 10-2Limits of Detection for Analytical Methods

 

Instrument (Method) Limit of Detection (µg/g)
ICP-OES (EPA 200.7 Rev 4.4) 0.012 – 0.687
Ion Chromatograph (EPA 300.0) 0.001 – 0.013
Carbon Analyzer (SM 5310B) 0.086

ICP-OES = inductively coupled plasma optical emission spectrometry

µg/g = micrograms per gram

 

QA/QC procedures for all analyses entailed the use of certified calibration standards, chemical reagents, calibration checks, duplicates, and CRMs which are described in the individual standard operating procedures for each method used (internal ABTC documentation). Calibration standards and reagents include, but are not limited to, Multielement Standard Solution 6 for ICP (Sigma Aldrich; P/N 43843-100ML), sodium carbonate 99.99% (Chem-Impex; P/N 15134), sodium bicarbonate 99.5-100.5% (Sigma-Aldrich; S6297-250G), potassium hydrogen phthalate >99.95% (Sigma-Aldrich;P1088-100G) for total carbon, inorganic carbon, and organic carbon, multi-element anion standard (Inorganic Ventures; P/N IC-FAS-1A), and Dionex seven anion standard (Thermo Scientific Dionex; P/N 056933) for IC.

 

For all major analytical methods, calibration standards were prepared to generate multi-point calibration curves across the analytical range, with r2 value ≥ 0.995. Blanks were used to monitor and account for contamination, and calibration check standards from first and second sources were prepared to ensure accuracy and validity. If calibration checks deviated ± 15% from known value, troubleshooting/rerunning of calibration standards was performed until deviation was within the acceptable limit. For ICP-OES analysis, most digestions and total metals analysis were performed in duplicate and CRMs digested periodically to ensure accuracy and precision throughout the analysis. Control charts for MEG Li.10.14 and MEG Li.10.15 reference materials are shown in Figure 10-2.

 

barr.com
67

 

 

 

Figure 10-1Lithium Concentration Control Charts for Certified Reference Materials from Moment Exploration Geochemistry LLC., MEG Li.10.14 and MEG Li.10.15.

 

In the QP’s opinion, the analytical methods and QA/QC procedures follow industry practices and is adequate for the purpose of this report and of the use of plant design, metallurgical performance, and recovery forecast.

 

10.4Mineralogy and Particle Properties

 

A series of advanced mineral characterization campaigns were conducted by ABTC, Hazen, and SGS to understand the minerology, particle properties, and thermal behavior of claystone materials. The mineral phases were identified using powder X-ray diffraction (XRD) and quantitative evaluation of minerals by scanning electron microscopy (QEMSCAN), while particle morphology and elemental mapping were carried out by scanning electron microscopy (SEM) coupled with energy dispersive X-ray spectroscopy (EDX). Particle size distribution (PSD) measurements (laser scattering) were carried out along with sieve analysis (wet and dry) for size and mass deportment. Hazen conducted mineralogy and size deportment analysis on “upper zone” materials (BS-TF-2219), whereas SGS conducted PSD and minerology of homogenized samples DC-TF-2218 and DC-TF-2218-BC2.

 

barr.com
68

 

10.4.1Particle Size and Mineralogy

 

A detailed particle size and mineralogy of BS-TF-2219 was conducted by Hazen Research, Inc. (2024). The size deportation of BS-TF-2219 (“upper zone” material) was conducted via wet screening (shown in Table 10-3). The wet screening studies showed that the majority of the upper zone material is smaller than 20 μm (~60 wt%). Figure 10-2 shows a bimodal particle size distribution of BS-TF-2219 clay material smaller than 20 μm. A bimodal distribution indicates that the finer material is associated with lithium enriched clay, whereas, the relatively coarse fraction is associated with the gangue. The mean size of the -20 μm particles is approximately 5 μm, with a D90 of 10 μm and a D20 <1 μm in size. In the overall head material, approximately 50% of the sample is <10 μm, with approximately 10% of the sample <1 μm. Assay analysis showed that about 90% of total lithium reports to the -20 μm size fraction, whereas, 50% of Si is rejected in the coarser size fractions indicating that the lithium enriched clay is concentrated in the finer size fraction (Figure 10-3). The head sample (BS-TF-2219) is mainly characterized by K-feldspar (orthoclase, approximately 38 wt%), plagioclase (approximately 19 wt%), mica (illite) (approximately 17 wt%), and calcite (approximately 11 wt%). Minor amounts of quartz (approximately 6 wt%), analcime zeolite (approximately 3 wt%), goethite (approximately 3 wt%), clinoamphibole (approximately 1 wt%), and smectite clay (approximately 1 wt%) make up the rest. The mica (illite) and calcite are concentrated in the - 20 μm fraction (approximately 22 wt% and 15 wt%, respectively), while the quartz is concentrated in the +75 μm fractions (≥8 up to 22 wt%).

 

Table 10-3 reflects the PSD determined by wet screening of BS-TF-2219 shows that about 59% of the upper zone material is smaller than 20 µm and about 90% of lithium mass reports to the -20 μm size fraction.

 

Table 10-3Particle Size Distribution for BS-TF-2219

 

Fraction (µm) Cumulative Passing % Li Cumulative Passing %
+600 100.0 100.0
300-600 90.2 98.2
150-300 81.2 95.0
75-150 75.3 93.7
38-75 68.2 92.0
20-38 61.8 90.0
-20 59.2 89.6

% = percent

µm = micron

 

Particle size distribution of -20 µm fraction, as shown in Figure 10-2, reflects a bimodal distribution of the head material BS-TF-2219. Bi-modal particle size distribution indicates that the upper material contains finer fraction concentrated in clays and coarser size fraction rich in gangue (Hazen Research, Inc., 2024).

 

barr.com
69

 

 

Figure 10-2Particle Size Distribution of -20 µm Fraction Showing a Bimodal Distribution of the Head Material For BS-TF-2219

 

 

Figure 10-3Cumulative Elemental Distribution of Clay Materials Shows That 90% of Li Mass is Reported in Less Than 20 µm Size Fraction for BS-TF-2219 (Hazen Research Inc., 2024)

 

barr.com
70

 

The size deportation of the homogenized DC-TF-2218 is shown in Figure 10-4. Similar to the “upper zone” materials, about 90% of the total lithium mass reports into <10 µm fraction whereas only 60% of the total silicon reported into <10 µm size fraction. This observation is consistent with the BS-TF-2219 sample. Internal results corroborate with the findings of third-party analysis carried out by SGS Canada, Inc. (2025).

 

 

Figure 10-4Cumulative Distributions of Lithium, Magnesium, and Silicon of Sample DC-TF-2218 (SGS Canada, Inc., 2025)

 

Figure 10-4 shows that most of the lithium is present in the finer size fractions of the head material, whereas silicon is present in the coarser size fractions of the head material (SGS Canada, Inc., 2025). Several mineral phases were identified in the homogenized samples (DC-TF-2218) using XRD analysis such as, quartz, calcite, orthoclase (feldspar), and clay fractions such as illite (mica) and montmorillonite (smectite). A semi-quantitative mineral composition for DC-TF-2218 homogenized clay is shown in Table 10-4 where an estimate amount of 4.5 wt% can be attributed to the clay fractions. To determine the average stoichiometry of the illite/smectite clay fraction, a procedure developed by the USGS was followed (U.S. Geological Survey Open-File Report 01-041). In short, the clay fraction was isolated from the silt fraction followed by a series of XRD measurements and elemental balances to determine the average stoichiometry. An average illite/smectite formulation was found to be K0.83Na0.47Ca0.29Li0.38Ti0.10[Al0.73Mg2.50Fe0.99][Si6.65P0.27Al1.08]O20(OH,F)4.nH2O. These findings are consistent with other illite/smectite clays found in Nevada (Morissette, 2012).

 

barr.com
71

 

Table 10-4Semi-Quantitative Mineralogical Composition of DC-TF-2218 (Head Material) and DC-TF-2218-BC2 (Beneficiated Clay) (SGS Canada, Inc., 2025)

 

Mineral DC-TF-2218 (Head Material) DC-TF-2218-BC2 (Beneficiated Clay)
(wt %) (wt%)
Orthoclase (Feldspar) 27.9 22.2
Albite 17.9 ND
Calcite 13.0 6.3
Quartz 11.4 4.0
Clinoptilolite 7.7 ND
Clinochlore 6.7 3.0
Actinolite 5.7 ND
Muscovite 2.3 ND
Clay fraction
Illite 2.3 6.4
Montmorillonite 2.2 32.7

ND=Not Detected

 

10.4.2QEMSCAN Field Imaging

 

A detailed QEMSCAN® analysis conducted by Hazen showed that the quartz and granitoid particles in the 80% -600 µm head sample are the coarsest grained, with a D50 of 40 µm and 50 µm respectively and approximately 21% and 27% greater than 190 µm in size (Figure 10-5). However, approximately 21% and 33% of quartz and granitoid particles are less than 10 µm in size. This reflects a bimodal size distribution. The distinct K-feldspar-volcanic glass and plagioclase-analcime grains are substantially finer grained than the quartz and granitoid particles, with a D50 of 15 µm and 20 µm respectively. The K-feldspar-volcanic glass and plagioclase-analcime also exhibit a bimodal size distribution. The calcite and calcite-illite intergrowths exhibit a much finer PSD than the silicate gangue, with a 65% and 44% respectively, less than 10 µm size distribution. QEMSCAN of the -300 µm fraction exhibited similar mineralogical characteristics.

 

barr.com
72

 

 

Figure 10-5Detailed QEMSCAN Field Image Of 100% -600 µm Sample. Calcite is Present as Discrete Finer Grains and Pervasively Penetrates the Surrounding Illite-Smectite Clay Minerals (Hazen Research Inc., 2024)

 

10.4.3Specific Gravity Analysis

 

The specific gravity of claystone rocks in the range of 12.7 mm to 25.4 mm (BS-TF-2219 and JC-BS-TF- 2219 samples) was estimated using water displacement with parafilm coated samples (Scorgins, 2015) and found to be 1.81 ± 0.10. The specific gravity was also measured on various sized fractions using helium gas pycnometery (BELPYCNO manufactured by Microtrac MRB, USA). The specific gravity was measured on size fractions from 38.1 mm down to -400 mesh. The range observed was from 1.80-2.34, with an average of 2.13 ± 0.18. Helium gas pycnometery of larger, single rock samples (i.e., 25.4 mm to 38.1 mm claystone rocks, seven samples in total) yielded an average specific gravity of 1.83 ± 0.03, similar to water displacement method results. Bulk density of the claystone was estimated to be 1.026 g/mL for 106 µm particle size and 1.023 g/mL for 75 µm particle size.

 

10.4.4Thermogravimetric Analysis

 

Thermogravimetric analysis coupled with differential scanning calorimetry (TGA-DSC) was performed on DC-TF-2218 samples and the beneficiated clay DC-TF-2218-BC2, scanning from 25 °C to 1,000 °C at a rate of 20 °C per minute under air atmosphere (Figure 10-6). The overall mass loss in the DC-TF-2218 and DC-TF-2218-BC2 is about 10-12 wt%. An initial sharp mass loss of about 3-4% below 150 °C takes place due to moisture removal and loss of freely bound water. This is evident in the endothermic peak observed at low temperatures associated with moisture evaporation. Between 150 and 550 °C with little mass loss (~2%) takes place due to exothermic events such as phase changes in some of the minerals and/or the oxidation of iron sulfide and/or iron-oxyhydroxide minerals in DC-TF-2218 and DC-TF-2218-BC2. A sharp exothermic event at 500 °C can be associated with the structural collapse of layered structures present in the DC-TF-2218 clay. However, no such sharp exothermic event is observed in the beneficiated clay DC-TF-2218-BC2. A significant mass loss occurs at around 600 to 800 °C which corresponds to a very strong endothermic peak. This event is due to the thermal decomposition of carbonate minerals (calcite) and the dehydroxylation of clay minerals (i.e., loss of structurally bound water). Thermal decomposition of calcite generally takes place between 650 and 800 °C (Karunadasa, Manoratne, Pitawala, & Rajapakse, 2019). It should be noted that mass loss in this region for DC-TF-2218 (~5 wt%) is significantly higher than DC-TF-2218-BC2 (~3 wt%). This is due to the removal of calcite phases after the beneficiation of the clay. From about 800 °C mass loss remains stable; however, a continuous endotherm is observed. This is likely a result of mineral phase changes.

 

barr.com
73

 

 

Figure 10-6Thermogravimetric Analysis of DC-TF-2218 (Homogenized Clay) and DC-TF-2218-BC2 (Beneficiated Clay)

 

Figure 10-6 demonstrates thermogravimetric analysis of DC-TF-2218 homogenized clay and DC-TF-2218-BC2 beneficiated clay and shows a significant mass loss due to the decomposition of calcite in the region of 600 to 850 °C. The dashed lines correspond to the DSC profile which represents the heat flow during the endothermic and exothermic events.

 

10.5Mineral Processing

 

10.5.1Bond Ball Work Index

 

Bond ball work index experiments were conducted (sample BS-TF-2219) to ascertain the hardness of the claystone material to closing screen sizes of 106 µm and 75 µm. Five cycles of milling test were conducted on a constant feed mass of 718.3 g using 106 µm test screen, and 715.9 g using the 75 µm test screen. A summary of the data is given in Table 10-5. These initial studies show that the material under investigation is relatively soft.

 

barr.com
74

 

Table 10-5Bond Ball Work for Two Closing Screen Sizes

 

Closing Screen Size Bond Ball Work Index (kWh/t)
75 µm 6.51
106 µm 7.18

µm = micrometer

kWh = kilowatt-hour

t = tonne

 

10.5.2Beneficiation

 

Sedimentary lithium-bearing claystone can contain several gangue minerals (e.g., calcite, quartz, gypsum, feldspars). These gangue minerals can be separated from the lithium bearing clay minerals by either particle size, gravitational methods, or a combination thereof (RESPEC Company, LLC, & Woods Process Services, 2024; Tita, Mends, Hussaini, Thella, Smith, & Chu, 2024; Arthur, Mends, Tita, & Chu, 2025). Various beneficiation strategies/flowsheet configurations utilizing well established technologies and unit operations have been examined with the objective to i) decrease the deportment of gangue minerals in downstream processing and, ii) increase the lithium grade and lithium mass pull in the system. Beneficiation unit operations examined included attrition scrubbing, wet screening, Falcon concentrators, hydrocyclone circuits, and various combinations and configurations of these unit operations.

 

Of the systems tested, a combination of attrition scrubbing and screening, followed by a series of hydrocyclones demonstrates the highest rejection of gangue materials and achieves the highest lithium grade. A test program was developed and carried out by SGS. Five bench-scale beneficiation tests (HC1-HC5) were conducted to determine the most efficient beneficiation configuration using DC-TF-2218 material. The results of these tests indicated the HC3 configuration to produce the highest lithium grade with the most satisfactory weight percentage and lithium distribution (Figure 10-7).

 

 

Figure 10-7Lithium Recovery vs. Grade for Bench Scale Trials Carried Out by SGS (SGS Canada, Inc., 2025). HC-3 Gives a Highest Grade of Lithium in the Beneficiated Clay

 

barr.com
75

 

Two bulk beneficiation tests campaigns (BC1 and BC2) were conducted, with the system configuration of HC3 being taken into consideration and using DC-TF-2218 materials. The products of the initial bulk test (BC1) were utilized for assaying and solid-liquid separation tests. The primary objectives of the second bulk test (BC2) were twofold: firstly, to obtain the requisite data for process mass balances, and secondly, to produce materials (~20 kg) further testing and validation work. The BC2 test produced a concentrate stream with a lithium grade of 2090 mg/kg, a lithium distribution of 80.2%, a weight percentage of 28.2%, and an enrichment ratio of 2.85 (SGS Canada, Inc., 2025). Bilmat software was utilized for data reconciliation to minimize mass balance error.

 

The beneficiation studies show that significant gangue materials can be rejected and a resulting high lithium grade (>1600 ppm), fine particle size distribution concentrate is obtained. Analysis of the fine fraction, i.e., -20 micron, for DC-TF-2218 and DC-TF-2218-BC2 shows to be similar in PSD and geochemically (Figure 10-8). Therefore, the application of a beneficiation circuit can be used to reduce the variability in the geochemistry and mineralogy of feed into the plant, thereby making the “upper, middle, lower zones” of the deposit geochemically and mineralogically similar.

 

 

Figure 10-8Particle Size Distribution of DC-TF-2218-BC2. The D80, D50, and D10 of the Beneficiated Clay is 1.680 µm, 0.932 µm, 0.455 µm Respectively

 

10.5.3Mineral Processing – Dewatering

 

Dewatering flocculation trials were carried out by Pocock, SGS, and ABTC on the gangue tailings from beneficiation, the beneficiated concentrate, and the post-leach concentrate tailings. A variety of tests were performed to evaluate their capacity for flocculation, dewatering, and the slurry rheology evaluated. The following parameters were evaluated for the flocculation of gangue tailings from beneficiation, the beneficiated concentrate, and the post-leach concentrate tailings:

 

Flocculant type (Anionic/Cationic Polyacrylamide [PAM])

 

pH

 

barr.com
76

 

Solids %

 

Flocculant dosage

 

Underflow density

 

10.5.3.1Beneficiated Concentrate Flocculation and Dewatering Performance

 

Two third-party laboratories were consulted by ABTC to develop flocculation, filtration, and dewatering strategies. Initial testing found that significant dosages of cationic and anionic polyacrylamide (PAM) flocculants in excess of 1,000 g/t were necessary for the concentrate to respond to flocculation. The best responses were to be dosing the concentrate slurry with 200 mg/L of Al2(SO4)3 and 1,000 g/t Magnafloc 1011 flocculant when sample was diluted to 0.5% w/w solids (from 2% w/w solids). Overall, even with the help of salt/pH adjustment, the concentrate failed to achieve a good settling response with reagents at a practical range of dosages.

 

Further testing had success but still observed challenges with flocculation with cationic/anionic PAM dosages ranging from 200 to 800 g/t, outside of practical addition values. In addition to PAM flocculation, the addition of a PolyDADMAC coagulant dosed at 500 g/t was found to have positive responses during pressure filtration. The addition of Ca(OH)2 to adjust the pH up to 11.8, was found to help form a more robust floccule structure with some flocculants, but not all. At pH 11.8, the concentrate material flocculated and settled well at approximately 1-2% solids. Settling performance was observed to decrease in conditions tested at higher solids concentrations. During dynamic thickening tests, underflow density reached a maximum of 10%, provided 400 g/t of anionic PAM flocculant were dosed into the feed (solids at 1.5-2.5%) with pH of 11.8.

 

In-house trials by ABTC observed a positive effect with the addition of Ca(OH)2 to the concentrate slurry. Although no significant settling occurred, coagulation did occur which allowed filtration of the slurry to be feasible by both vacuum filtration and pressure filtration. While pressure filtration was observed to be feasible, the filter cake moisture content remained high (~70% moisture). To reduce the capillary action formed between fine particle filter cakes, the addition of a recoverable filter agent was explored. Preliminary testing has shown that the use of a recoverable filter agent, filter cake moisture contents of ~40 wt% are achievable. Further studies are currently underway.

 

10.5.3.2Gangue Tailings Flocculation and Dewatering Performance

 

It was observed by ABTC and Pocock that the gangue tailings responded well to flocculation when feed solids were 10% (w/w). ABTC used a cationic PAM flocculant dosage of 150 g/t and after flocculation, thickened to an underflow density of 60% prior to pressure filtration. No pH adjustment was necessary. Pressure filtration carried out at 4.86 bar (70 psi) yielded a filter cake with an average moisture content of 25%.

 

10.5.3.3Post-Leach Concentrate Tailings Flocculation and Dewatering Performance

 

Studies carried out by ABTC and Pocock were consistent in observation. In a single batch leaching system, filter cake moisture contents between 17 and 25% with a clear filtrate and a fast filtration time, less than one minute were observed. In this scenario, no flocculant is used, and the average filter size was 11 µm.

 

barr.com
77

 

In a counter current decantation system, flocculation studies and dewatering results were investigated by Pocock. Here it was observed that with the use of SNF 920 SH flocculant at a dose of 40-45 g/t with a high-rate thickener, an underflow density in the range of 57 to 65% can be achieved. Pressure filtration of this slurry yields a filter cake with a moisture content of 16 to 17 wt%.

 

10.5.4Pulp Rheology

 

Rheology testing was carried out by Pocock. In all cases of materials (i.e., gangue tailings, concentrate, and post-leach concentrate tailings), a decrease in apparent viscosity with an increasing shear rate was observed (i.e., shear thinning). This behavior is an example of the pseudoplastic class of non-Newtonian fluids. This data demonstrates the need to maintain a specific velocity gradient or shear rate to initiate and maintain flow.

 

10.6Lithium Extraction – Pretreatment and Water Leaching of Beneficiated Claystone

 

Previous studies on lithium extraction from claystone using mineral acids have shown relatively high acid consumption (450-1000 kg acid/tonne of clay) namely due to the presence of acid consuming minerals such as carbonates. Removal of these gangue minerals by beneficiation processes did show some improvement in acid utilization, i.e., down to 250-400 kg acid/tonne of clay; however, selectivity remained poor compared to pretreated material and would result in more downstream processing equipment (increased CAPEX) and reagent use (increased OPEX). Therefore, testing campaigns continued with the pretreated extraction methods using beneficiated materials as the use of beneficiated materials would decrease the OPEX while increasing the mass pull of lithium in the system. Figure 10-9 shows a block flow diagram of the process of study.

 

 

Figure 10-9Process Flow Sheet for Lithium Extraction from Claystone by Pretreated Selective Extraction

 

10.6.1Counter Current Decantation Leaching

 

Countercurrent decantation (CCD) leach testing was performed by Pocock to determine the soluble value recovery in the leached claystone material. The CCD testing utilized an eight-stage system to determine optimal parameters for the recovery of soluble values. A solute removal efficiency above 99.5% can be achieved in three stages with an initial solid/liquid wash ratio above three and an underflow wash ratio above 4.5. The feed parameters for the CCD system are an underflow density of 60% in CCD stage 1 with a feed solids concentration of 10%. The initial solid to liquid wash ratio can be defined as the ratio of wash solution relative to the dry weight of solids entering the CCD at stage 1. The underflow wash ratio is defined as the ratio of wash solution relative to the weight of underflow liquor exiting each CCD stage.

 

barr.com
78

 

10.7PLS Purification and Polishing

 

10.7.1Alkaline-Earth Metal Removal by Precipitation

 

Bench-scale precipitation trials were performed in batch-reactor mode to identify operational conditions for the removal of alkaline-earth-metal removal applied to the PLS using carbonate minerals.

 

The primary goal was to optimize conditions for maximum removal of alkaline earth metals (i.e., Ca, Mg, and Sr) and minimize loss of Li. Trials were performed with both unfiltered leach slurry (slurry PLS) and filtered PLS (clear PLS). Various operational parameters and modes were tested, including type of PLS (slurry, clear, process-derived, mimic), types of pH-adjustors (NaOH and LiOH), PLS pre-precipitation pH, mode of precipitant addition (solid or in aqueous form, one-batch or stepwise), time of PLS/precipitant mixing, and precipitate settling time.

 

Conditions to remove over 95% of Ca (400-700 mg/L) were identified, although less Ca removal (~75%) was found to be beneficial in downstream pilot-scale processing (e.g., to avoid reverse osmosis [RO] fouling and to minimize acid consumption in carbonate removal). The feed concentration of Mg (0-150 mg/L) and Sr (0-50 mg/L) is significantly lower than the Ca concentration. Removal of Mg decreases from 33% to 23% while decreasing the feed pH from 11.5 to 9.5. Removal of Sr is independent of the basic feed pH and shows a removal of 81%. Under optimized conditions, lithium loss was negligible, <5% or below detection.

 

In pilot plant operations, ~90% removal of calcium is obtainable and satisfactorily avoids complications with ion transfer downstream, especially in the RO process. Lithium loss was observed to be negligible, <5% or below detection.

 

10.7.2Ion-Exchange Screening

 

Ion exchange (IX) resins are used commercially to remove multi-valent metal cations and oxo-metal anions from solutions. Batch and continuous metal stripping applications were tested with multiple process feeds. In resin screening campaigns, multiple resins with excellent operating capacities were identified. Their efficiency of removing targeted metals (i.e., multivalent cations) to a combined value below 5 ppm was demonstrated.

 

Laboratory bench-scale column breakthrough testing was carried out using selected resins. It was shown that divalent metal cations (Mg2+ and Ca2+) and oxo-anions of Mo, V, and Si can be removed from aqueous brines down to concentrations well below 5 ppm. An optimal feed pH between 5 and 6 was established.

 

In pilot plant testing campaigns, IX optimization was based on bench trial results. Engineering work was done on resin preconditioning as well as testing different solution feed flow rates and residence times.

 

Pilot plant studies confirmed laboratory-scale findings and were able to remove Mo/V/Si/Ca/Mg down to manageable levels (i.e., single digit ppm) to move forward to downstream processing. A >95% removal of Si, Mo, V, Ca, Mg was observed depending on the performance of resin and flowrates. Lithium loss was negligible at <5%. Numerous IX resins were used to remove multivalent metals ions down to a total sum of multivalent species to 5 ppm or less.

 

barr.com
79

 

10.8Sulfate to Hydroxide Conversion

 

The lithium sulfate solution generated from the PLS and subsequent purification processes was used as feed into a membrane electrodialysis unit. The lithium sulfate solution was converted to lithium hydroxide with sulfuric acid formed as a by-product. Laboratory-scale testing, as well as pilot plant testing using this technology have been carried out by ABTC, demonstrating its efficacy. Parameters such as sulfate carryover, feed composition, operating temperature, current, and voltage have been examined. Current efficiencies in the range of 69-85% have been demonstrated. Continued efforts for further optimization of these parameters are currently underway at laboratory and pilot scale.

 

10.9Crystallization of Lithium Hydroxide Monohydrate

 

A lithium hydroxide solution product from electrodialysis conversion process was used as feed for crystallization to produce a battery grade LHM product. Two crystallization steps were used with a washing step after each crystallization. With this method, the remaining impurities (i.e., Na, K, Ca) were reduced to below 50-100 ppm. After the second crystallization and washing step, the crystals were dried to obtain a LiOH concentration of ≥56% resulting in a battery-grade LHM product (Figure 10-10). This process has been demonstrated on both laboratory-scale and pilot-scale, being some of the first reports on the extraction and production of battery grade LHM from a domestic lithium claystone resource.

 

barr.com
80

 

 

Figure 10-10Lithium Hydroxide Monohydrate Battery-Grade Sample Certificate of Analysis Manufactured from ABTC Claystone Material

 

10.10Pilot Plant

 

Recent work includes a pilot plant demonstration (Figure 10-11) with a nominal capacity of producing multiple kg/day of LHM product was designed, installed, commissioned, and operated under several testing campaigns. Results from these pilot runs were used to inform the design of the commercial refinery process. The pilot plant was designed in the first half of 2023, installed during the fourth quarter of 2023 and the first quarter of 2024, then commissioned and initially operated throughout the remaining year of 2024. In early 2025, the pilot line was operated during a continuous two week demonstration to prove the robustness of the process/equipment, and repeatability of the individual processing steps. Materials used for the pilot plant were from a bulk excavated sample, BS-TF-2219. Continuous improvement and process optimization campaigns remain ongoing.

 

barr.com
81

 

 

Located at the ABTC Processing Facility in Reno, Nevada.

 

Figure 10-11Photograph of ABTC’s Lithium Hydroxide Pilot Plant Processing Materials from the Tonopah Flats Sedimentary Claystone Deposit with a Nominal Plant Capacity of Multi-Kilograms of Products/Day.

 

10.11Conclusions

 

Pilot plant operations have proven that downstream purification and hydroxide conversion, as well as crystallization, are achievable with claystone materials from ABTC’s resource.

 

During laboratory-based studies in this campaign, processing efficiencies and improvements were realized through the beneficiation of claystone materials. The lithium content in a homogenized sample representing the whole depth of a drill hole (DC-TF-2218) can be enriched by a factor > 2.85x. The beneficiated material demonstrated improvements in operational parameters for lithium extraction to non-beneficiated materials (i.e., kinetics, selectivity, and lithium mass pull). Although high lithium extraction (>80%) with excellent selectivity (Deleterious: Li < 20 mol/mol) have been demonstrated through various conditions, OPEX optimization of these parameters is gated by side stream recovery/recycling, energy use, and reagent consumption. Continued efforts on the optimization of the pretreatment, beneficiation, dewatering circuits, and downstream processing remain ongoing.

 

In the QP’s opinion, the metallurgical test work follows industry practices and is adequate for the purpose of this report and suitable for the use for plant design, metallurgical performance, and production forecasting.

 

barr.com
82

 

11    Mineral Resource Estimate

 

11.1Summary

 

The mineral resource estimate for the TFLP was prepared by ABTC in coordination with Dahrouge Geological Consulting (Dahrouge), in accordance with the U.S. Securities and Exchange Commission’s Regulation S-K 1300 guidelines. The estimate has been validated and supported by a quality-assured drill hole database containing 38 drill holes, of which 37 contain analytical analysis which was incorporated within this mineral resource estimate.

 

The mineral resource model utilizes domain boundaries that were defined by integrated geological and structural interpretations derived from core logging and assay data. Wireframe solids representing lithium grade shells were constructed to help estimate the various populations of lithium mineralization within the geological controls. Variography helped to inform the Sequential Gaussian Simulation (SGSim) to capture the grade variability within each geological domain.

 

Classification of resources was conducted on a block-by-block basis within the 25 m by 25 m by 10 m regular block model. The classification considered factors such as the local density of drill data, spatial continuity of lithium mineralization, and simulation confidence intervals.

 

The mineral resource estimate is based on drilling data collected through March 2025, with an effective date as of the date of this report.

 

11.2Key Assumptions and Methods

 

The mineral resource estimate for the TFLP is based on 38 drill holes completed through March 2025, with 37 containing lithium assay data used in the model. All data was compiled, validated, and audited prior to resources modeling.

 

A block model with the dimensions of 25 m by 25 m by 10 m was constructed using Maptek Vulcan software. The model is oriented due north, and lithium mineralization was estimated using SGSim constrained by interpreted geological and structural domains. The domains were defined using lithologic logging and fault block modeling to ensure the spatial continuity and geometry of mineralized zones were properly captured.

 

Experimental variograms were calculated and modeled for each of the primary lithological units. Variogram ranges and orientations were used to inform simulation parameters, which honored the observed spatial variability within each domain.

 

Resources were classified into Measured, Indicated, and Inferred based on the following criteria:

 

Drilling spacing and data density

 

Continuity of mineralization

 

Simulation variance and confidence intervals

 

Proximity to geological contacts and data clustering

 

barr.com
83

 

A pit optimization was conducted to demonstrate reasonable prospects for economic extraction. This included assumptions for:

 

Mining methods (open pit)

 

Lithium processing recoveries

 

Cost estimates for mining and processing

 

Market pricing appropriate for the context and reporting date

 

COGs were derived from pit optimization and applied during resource tabulation.

 

11.3Database

 

The mineral resource estimate is supported by a validated drill hole database provided by ABTC. The database includes 38 drill holes, of which 37 contain analytical analysis which was incorporated within this mineral resource estimate. One drill hole was excluded from estimation due to being entirely contained within the alluvium which contains no grade.

 

The drill hole data is stored in UTM Zone 11 NAD83 (meters) coordinate system, and includes collar locations, downhole surveys, lithology logs, and analytical results. ABTC maintained and updated the database throughout the drilling program, and the final quality control and verification of data was completed by 15 March 2025.

 

Descriptive statistics are shown in Table 11-1 and Table 11-2.

 

Table 11-1Descriptive Statistics of Sample Assays in Tonopah Flats Drillhole Database

 

  Count Mean Median Standard Deviation Coefficient of Variation Minimum Maximum Units
Li ppm 4971 625 627 336 0.54 0.001 1,940 ppm

 

ppm = parts per million

 

Table 11-2Drillhole Sample Statistics

 

Drillhole ID Number of Composites Total Drilled Length (m)
TF-2101 80 121.9
TF-2102 111 167.6
TF-2103 97 146.3
TF-2104 112 167.6
TF-2105 113 167.6
TF-2106 90 134.1
TF-2207 83 126.5
TF-2208 102 155.4
TF-2209 101 152.4
TF-2210 101 152.4

 

barr.com
84

 

Drillhole ID Number of Composites Total Drilled Length (m)
TF-2211 102 152.4
TF-2212 102 152.4
TF-2213 101 150.9
TF-2214 101 152.4
TF-2215 101 152.4
TF-2216 100 152.4
TF-2218 143 216.4
TF-2219 139 208.8
TF-2220 179 271.3
TF-2221 145 219.5
TF-2222 118 176.8
TF-2323 158 237.1
TF-2324 139 205.8
TF-2325 288 434.4
TF-2326 142 213.4
TF-2327 152 225.5
TF-2328 147 218.9
TF-2329 151 226.4
TF-2330 149 221.1
TF25-GT01 200 297.18
TF25-GT02 174 259.08
TF25-GT03 167 245.822
TF25-GT04 166 245.822
TF25-GT05 163 240.487
TF25-GT06 156 231.495
TF25-GT07 143 215.646
TF25-GT08 155 235.763

ID = identification

m = meter

 

Based on a comparison of capped and uncapped statistics, no capping was applied. The dataset shows stable central tendency and dispersion, with minimal influence from high-grade outliers.

 

The following table (Table 11-3) summarizes Li concentration statistics (in ppm) by geologic unit.

 

barr.com
85

 

Table 11-3Lithium Statistics by Geologic Unit

 

Geologic Unit Count Mean (ppm) Median Standard Deviation Coefficient of Variation Minimum Maximum
Qal 138 103.07 41.05 206.14 2.00 0.001 1,190.0
Tcsu 2,042 731.92 751.00 295.91 0.40 0.001 1,870.0
Tcsm 1,525 676.79 679.70 330.09 0.49 0.001 1,940.0
Tcsl 1,189 460.50 398.00 289.68 0.63 0.001 1,920.0

ppm = parts per million

Qal = Quaternary Alluvium

Tcsl = Lower Siebert Formation (Tertiary tuffaceous sedimentary unit)

Tcsm = Middle Siebert Formation (Tertiary tuffaceous sedimentary unit)

Tcsu = Upper Siebert Formation (Tertiary tuffaceous sedimentary unit)

 

The figures below present histograms of Li ppm for each geologic unit, illustrating their grade distribution characteristics.

 

 

Tcsu = Upper Siebert Formation (Tertiary tuffaceous sedimentary unit)

 

Figure 11-1Lithium PPM Histogram for the Upper Unit – Tcsu

 

barr.com
86

 

 

Tcsm = Middle Siebert Formation (Tertiary tuffaceous sedimentary unit)

 

Figure 11-2Lithium (ppm) Histogram for the Middle Unit – Tcsm

 

The upper (Tcsu), middle (Tcsm), and lower (Tcsl) Siebert Formation units are all Tertiary tuffaceous sedimentary rocks that support stratigraphic and geochemical zonation within their respective intervals. Tcsu and Tcsm exhibit normal distributions while Tcsl is semi-right skewed which could be a result of more complex heterogeneous mixing of the lithium concentrations.

 

 

Figure 11-3Box Plot of the Tcsu, Tcsm, and Tcsl Geologic Units

 

barr.com
87

 

11.4Interpretation and Modeling

 

The geological interpretation for the Tonopah Flats lithium deposit was developed using core logging, stratigraphic relationships, and structural analysis from the 2023 and 2024 / 2025 drilling programs. The deposit is hosted in a sequence of claystone-rich volcanic tuff units that are regionally continuous and have been subdivided into distinct lithologic domains based on composition, color, and textural features observed in core.

 

A structural model was constructed to account for faulting within the basin. This included interpretation of range-front faulting and internal fault blocks, which were critical for segmenting the deposit into geostatistically independent zones. Fault block boundaries were used to constrain variogram modeling and simulations, ensuring that grade continuity was modeled within, rather than across, structural domains. Based on the integrated geological and structural interpretations, three-dimensional wireframe solids were created to represent the boundaries of mineralized domains. These wireframes were used to code the block model by domain, allowing for grade estimation and simulation to be performed within geologically consistent volumes.

 

Lithium mineralization shows strong lithologic control, with higher grades associated with specific subunits of the claystone package. These domains were supported by statistical analysis of lithium assays by geologic unit, confirming the basis for geologic modeling. Histograms and box plots were also used to identify internal population changes. The resulting geological and domain models formed the foundation for all subsequent variography, estimation, and classification work. The domains were honored explicitly in the block model and during SGSim, ensuring that spatial continuity was modeled appropriately within each lithologic-fault block domain.

 

ABTC produced a three-dimensional digital geologic model based on downhole lithologic data and the historical regional surface geology map. A combination of large-scale range-front faulting with a general north-south orientation and local smaller-scale cross faulting aligned more southwest to northeast has been interpreted from the drilling. A district fault from Bonham and Garside (1979) was incorporated into the geologic interpretation and modified to account for 160 m of gravel intersected in TF-2217 on the west side of the deposit. Claystone units were interpreted to be dropped down to the west on this northeast fault (Figure 11-4) and no mineralization was projected west of the fault, though it may be present at depths of greater than 160 m.

 

barr.com
88

 

 

 

Figure 11-4Fault Traces Interpreted from Drilling (Left); Corresponding Fault Blocks Used to Constrain the Conditional Simulations (Right)

 

11.5Density

 

Density measurements were collected from drill hole samples within the property during the 2023 core drilling program. Fifty samples were collected from core and were analyzed by Paragon. Density values were evaluated in geologic context and by lithium grade. Density values were then grouped into two groups: claystone and all other lithologies categories. The Tonopah Flats density values applied by lithology types are summarized in Table 11-4. Density data should be collected from future core drill programs to continue to refine the density values in the block model. The current density dataset is adequate to support the Measured and Indicated resources in this report.

 

Table 11-4Tonopah Flats Deposit Average Specific Gravity Measurements by Lithology

 

Lithology g/cm3
Alluvium 1.51
Claystone - Tcsu 1.57
Claystone - Tcsm 1.49
Claystone - Tcsl 1.61

g/cm3 = grams per cubic centimeter

Tcsl = Lower Siebert Formation (Tertiary tuffaceous sedimentary unit)

Tcsm = Middle Siebert Formation (Tertiary tuffaceous sedimentary unit)

Tcsu = Upper Siebert Formation (Tertiary tuffaceous sedimentary unit)

 

In the block model, the bulk density values were either estimated on a nearest neighbor basis or assigned to model blocks on a unit average basis, so that all blocks below topography have a density value.

 

barr.com
89

 

 

Figure 11-5Perspective View Looking Down Towards the East Showing the Relative Positions of Qal (Yellow), Tcsu (Green), Tcsm (Brown) and Tcsl (Dk Green) Lithologies in Fault Block 3

 

11.6Compositing

 

Drillhole assay data for the Tonopah Flats lithium deposit were composited prior to resource estimation to standardize sample lengths and reduce bias related to variable sample intervals. The compositing process was conducted in Maptek Vulcan using downhole assay intervals, honoring lithological and domain boundaries to preserve geologic control during estimation. All valid lithium assays were composited to a fixed length of 1.5 m, which was selected based on the prevailing raw sample lengths and the desired resolution for modeling. This length represents a balance between maintaining resolution and minimizing variability due to extreme short intervals.

 

Compositing was restricted within lithologic units and estimation domains, meaning that composite intervals did not cross interpreted geological boundaries. This preserves the internal integrity of modeled domains and ensures that grade continuity reflects real geologic controls. Assay intervals that could not accommodate a full composite length at the end of a domain were either adjusted proportionally or excluded based on best practices to avoid introducing partial length bias. No capping or grade adjustment was performed during compositing; statistical treatment of high values was handled during exploratory data analysis and later simulation stages.

 

The composite database was then used for variography, estimation, and simulation. Compositing ensured equal sample support and mitigated the impact of clustered short intervals on spatial continuity models and grade interpolation.

 

11.7Outlier and Capping

 

Histograms, log probability plots, and boxplots were used to evaluate the lithium grade distribution both globally and within each interpreted lithologic domain. The dataset exhibited moderately skewed grade distributions, typical of lithium-bearing claystone deposits, but no extreme outliers were identified that warranted hard capping at this stage. Furthermore, domain-specific statistical analyses demonstrated that high-grade values were geologically reasonable and spatially clustered within the upper portions of certain claystone units. These zones were captured explicitly through wireframing and simulation domain coding, reducing the risk of isolated outliers influencing broader model estimates.

 

barr.com
90

 

While no numeric top cuts were applied during compositing or estimation, the data was monitored throughout the modeling workflow for local conditional bias or excessive smoothing. Future updates to the resource model may revisit grade capping based on additional drilling, metallurgical constraints, or reconciliation data.

 

11.8Variography

 

Experimental variograms were calculated for each geologic domain within the Tonopah Flats deposit to quantify spatial continuity of lithium grades and to inform simulation and classification parameters. Variogram modeling was completed using composited lithium assay (1.5 m intervals), with directional variograms evaluated in horizontal and vertical orientations.

 

Separate variograms were modeled for the primary claystone units Tcsu, Tcsm, and Tcsl and were further constrained within fault blocks to account for structural segmentation of the deposit. Variogram calculation included omnidirectional and directional analyses, with key directions defined based on deposit geometry, drilling orientation, and domain extents.

 

 

Figure 11-6Variogram for Tcsu with Ranges to Sill Included

 

barr.com
91

 

 

Figure 11-7Variogram for Tcsm with Ranges to Sill Included

 

 

Figure 11-8Variogram for Tcsl with Ranges to Sill Included

 

barr.com
92

 

ABTC examined the combined Tcsu and Tcsm lithium grades directionally in Fault Block 3 (Figure 11-9).

 

 

Figure 11-9Lithium Drillhole Sample Variography in Fault Block 3

 

Modeled variogram parameters were used directly in the SGSim process and influenced classification criteria by defining the search neighborhood and simulation variance confidence intervals.

 

Variogram reproduction was validated by comparing model fits to experimental data and ensuring consistency with known geologic structures. Cross-validation and swath plot analyses also confirmed that the modeled spatial continuity was appropriate for lithium grade interpolation within each domain.

 

11.9Lithium Block Modeling and Estimation

 

11.9.1Estimation Domains

 

A mineral domain encompasses a volume of rock that ideally is characterized by a single, natural, grade population of a metal or metals that occurs within a specific geologic environment or unit. To define the mineral domains at Tonopah Flats, the natural lithium population was first identified on population-distribution graphs that plot the lithium-grade distribution of all the drill hole assays (Figure 11-10). Breaks in slope on the graph delineate different grade populations. This analysis led to the identification of three grade populations for lithium. Ideally, each of these populations can be correlated with specific geologic characteristics that are captured in the project database. These characteristics can be used in conjunction with the grade populations to interpret the bounds of the lithium mineral domains. The Fault Block 3 approximate grade ranges of the lower-grade (domain 180), moderate-grade (domain 550), and higher- grade (domain 800) domains that were modeled for lithium are listed in Table 11-5.

 

barr.com
93

 

 

Figure 11-10Lithium Population Probability Distribution Graph

 

Table 11-5Approximate Grade Ranges of Lithium Domains for Fault Block 3

 

Domain Li Range (ppm) Li Mean (ppm)
180 0 to 1560 409
550 0 to 1700 659
800 0 to 1940 867

ppm = parts per million

 

barr.com
94

 

Table 11-6 Approximate Grade Ranges of Lithium Domains for Fault Block 4

 

Domain Li (ppm) Li Mean (ppm)
150 ~30 to ~1400 320
550 ~360 to ~970 747

 

ppm = parts per million

 

The Fault Block 4 approximate grade ranges of the lower-grade (domain 150) and moderate-grade (domain 550) domains that were modeled for lithium are listed in Table 11-6.

 

The lithium mineral domains were interpreted in the Vulcan modeling software package using the lithium drill hole assay data creating nested 3D solids. This information was used to discern the stratigraphic controls of the mineralization discussed in Section 11.4 and to model the domains accordingly in the block models. Domains were treated as hard boundaries outward only.

 

Cross-sections showing examples of the lithium mineral domains in the central portion of the Tonopah Flats deposit are shown in Figure 11-11 and Figure 11-12.

 

barr.com
95

 

 

Figure 11-11Cross Section Looking North Showing Lithium Domains

 

barr.com
96

 

 

Figure 11-12Cross Section Looking East Showing Lithium Domains

 

barr.com
97

 

11.9.2Grade Simulation

 

The parameters applied to the lithium grade estimations at TFLP are summarized in Table 11-7. Grade simulation was completed in three passes in Fault Block 3 and two passes in Fault Block 4 using length-weighted composites.

 

Due to the uniform nature of the sub-horizontal lithological controls, the modeled mineralization has one orientation of mineralization that covers most of the deposit with local areas of gently east dipping mineralization. The block model was therefore coded into two estimation areas. Fault Block 3 encompasses the majority of the Tonopah Flats deposit and is characterized by shallow dips of the stratigraphic host rocks of up to about 1-2° to the northwest. Fault Block 4 encompasses local areas of uplifted Tcsl.

 

Table 11-7Tonopah Flats Sequential Gaussian Simulation Parameters

 

All Simulation Passes
Description Parameter
Samples: Minimum/Maximum/Maximum Per Hole 1 / 12 / none
Search Distances (m): Major/Semimajor/Minor (Vertical) 850 / 850 / 15
Search Orientation: Bearing/Plunge/Dip 30 / 0 / 0
Maximum Block Samples Used in Simulation 10
High-Grade Restrictions (Grade in ppm Li/t, Distance in m) none
Low-Grade Restrictions (Grade in ppm Li/t, Distance in m) none
Number of Realizations Per Block 20

m = meter

ppm = parts per million

t = metric tonne

 

The Tonopah Flats lithium mineral resources were simulated using conditional SGSim. OK and NN estimations were completed only as statistical checks on the conditional simulation results.

 

The simulation passes were performed sequentially for each of the mineral domains, so that more lower grade samples were progressively added to the simulations as the grade shells expanded. Simulations were run on a block model with 5 m by 5 m by 1 m block size. The final resource grades, and their associated resource tonnages are from a 25 m by 25 m by 10 m block size model.

 

11.9.3Block Model Validation

 

The Tonopah Flats lithium block model underwent a comprehensive validation process to ensure it accurately represents the input data and underlying geology. Visual checks were performed by comparing estimated block grades with drill hole composite values in plan and section views, confirming that the model honors spatial trends and domain boundaries. Statistical comparisons between the block model and declustered composites showed strong agreement in mean grades and distribution shapes, indicating minimal global bias. Swath plots along easting, northing, and elevation directions further confirmed that the model preserves local grade trends without introducing significant smoothing. Variogram reproduction tests using multiple simulation realizations demonstrated that spatial continuity was appropriately modeled within each geologic and grade domain. In addition, simple kriging cross-validation was performed using both full and reduced sample sets, and the results showed low error, high correlation, and consistent performance across fault blocks. Collectively, these validation steps confirm that the block model is robust, geologically sound, and suitable for public reporting under S-K 1300 guidelines.

 

barr.com
98

 

 

Figure 11-13Comparison Of Drillhole Composite Lithium Grades (Bars) to Conditionally Simulated Block Grades (Red Line)

 

barr.com
99

 

 

Figure 11-14Swath Plots Comparing Drillhole Composite Lithium Grades (Black Lines) to Simulated Grades In 5 m by 5 m by 1 m Model (Red Lines)

 

barr.com
100

 

 

Figure 11-15Resource Classification

 

11.10Reasonable Prospects of Economic Extraction for Mineral Resources

 

To meet the requirement of reasonable prospects for economic extraction for the portion of mineral resources potentially amenable to open pit mining methods, pit optimizations were run using the parameters summarized in Table 11-8.

 

Table 11-8Pit Optimization Parameters

 

Item Value Unit
Mining Cost 2.70 $/tonne claystone
Processing Cost 7.50 $/tonne processed
Processing Rate 17.0 Mtpa processed
General & Administrative Cost 15,000,000 $/year
LHM Price 22,000 $/tonne
Li Recovery 48 percent
Minimum Li Grade 300 ppm

LHM = lithium hydroxide monohydrate

Mtpa = million tonnes per year

ppm = parts per million

 

barr.com
101

 

The two pit shells created by this optimization were used to constrain the mineral resources potentially amenable to open-pit mining methods. While the break-even COG is lower, the QP utilized an elevated COG of 300 ppm for material inside of the optimized pit shells to ensure a conservative approach. The lithium COG was calculated using the processing and general & administrative costs, as well as the lithium price, and recovery provided in Table 11-8. The mining cost is not included in the determination of the COG, as all material in the conceptual pits is potentially to be mined and the COG determines whether the mined materials are sent to be processed or to the WRSF. The reference point at which the mineral resources are defined is therefore at the top rim of the pits, where material having lithium equal to or greater than the COG would be processed. Also, a linear zone containing US 6/95 and powerlines, which crosses through the central portion of the project, and a buffer around it, were excluded from the optimization.

 

The metal prices used in pit optimization and the determination of the lithium COG are derived from a lithium hydroxide monohydrate (LHM) price of US$22,000/t. The reader is referred to sections 11.9 and 16 for a summary of ABTC’s reasoning for the selected commodity price. The open-pit resource estimates are based on a 46,575 tonne per day (tpd) processing rate, with processing assumed to consist of pretreatment followed by water leaching and LHM recovery.

 

The calculated lithium COG for Tonopah Flats is as follows:

 

Equation 11-1Calculated Lithium Cut-Off Grade

 

 

Where:
ProcCst = Processing cost in $/tonne
G&ACst = General & Administrative cost in $/tonne
SellPrice = Selling price of lithium in $/tonne LHM
SellCst = Selling cost of product in $/tonne
Roy = Royalty in NSR % Rec = Recovery in %

 

Using the input parameters outlined in this report, the lithium COG is:

 

(7.50+0.83) / (22,000*6.045-0)*(1-0)*48%)*1,000,000 = 130 ppm.

 

The pit shells created using these optimization parameters were further constrained to limit the project resources to a grade of 300 ppm within claystone only, which was done as a conservative measure to avoid extremely low COGs despite economics. It should be noted that without the grade constraint, the resulting pit shell using these parameters would be larger than has been used for the resources reported herein.

 

All mineral resources are contained within the ABTC property boundary. Results from the pit optimization define a resource of over 1.3 billion tonnes of Measured and Indicated material at an average grade of 755 ppm Li. This resource is estimated using a 300 ppm Li COG.

 

Table 11-9 presents the Tonopah Flats mineral resources compared to subsets of mineralized material tabulated with increasing COGs. This is presented to provide grade-distribution data that allows for detailed assessment of the project resources. All the tabulations are constrained as lying within the same optimized pit shells used to constrain the current mineral resources, which means the tabulations at cut-offs higher than the resource COG of 300 ppm Li represent subsets of the current resources.

 

barr.com
102

 

Table 11-9Tonopah Flats Inferred Mineral Resources at Various Cut-Offs (Exclusive of Measured and Indicated)

 

Cut-Off Li (ppm) ktonnes Li (ppm) Li (ktonnes) LHM (ktonnes)
300 3,661,191 712 2,607 15,767
400 3,284,290 752 2,471 14,941
500 3,037,226 780 2,367 14,314
600 2,665,845 808 2,146 12,977
700 1,721,274 905 1,558 9,420
800 1,602,392 917 1,468 8,880
900 1,248,344 929 1,159 7,009
1,000 38,230 1,021 3.9 235
1,100 515 1,127 .580 3.50

 

a)The project mineral resources are comprised of all model blocks at a 300 ppm Li cut-off
b)Tabulations at higher cut-offs than used to define the mineral resources represent subsets of the mineral resource
c)Mineral resources that are not mineral reserves do not have demonstrated economic viability
d)Rounding as required by reporting guidelines may result in apparent discrepancies between tonnes, grade, and contained metal content

ktonnes = kilotonnes

LHM = lithium hydroxide monohydrate

ppm = parts per million

 

11.11Mineral Resource Estimate

 

The mineral resources at Tonopah Flats have been classified and reported in accordance with the requirements of SEC Regulation S-K 1300. The resource model incorporates 38 drill holes completed through March 2025, of which 37 contain valid lithium assay data. The resource estimate is effective as of the date of this PFS and is based on geologically constrained modeling and geostatistical simulation within a fully validated block model. Lithium grades were estimated using SGSim, constrained by interpreted lithological and structural domains, and classification was assigned based on drill hole spacing, geological continuity, and simulation variance.

 

The current Tonopah Flats mineral resources are estimated in consideration of potential mining by open pit with 25 m by 25 m by 10 m blocks to accommodate open-pit engineering requirements. All other modeling steps and inputs that were used to estimate the lithium resources, including the mineral domain modeling, grade zoning, grade simulation, density assignment, and classification, were completed independent of potential mining methods.

 

Potential mining by open pit uses LHM prices that reflect current trends. The current resources are pit constrained based on a US $22,000/t LHM price. This price was determined by evaluating the three-year average of historical prices rounded to US $22,000/t. A more thorough discussion of pricing for both the mineral resources and economic analysis is presented in Chapter 16 of this PFS. Based on the current market conditions and demand for lithium, Barr believes that this price projection is reasonable. There is some risk that a significant commodity price drop could change the economics input to the pit constraints used to report this resource. Such a change could increase the COG and reduce the tonnage compared to the reported resources.

 

barr.com
103

 

Table 11-10Classified Lithium Mineralization Exclusive of the Mineral Reserve with a Cut-Off of 300 ppm Li

 

Classification ktonnes Grade Li (ppm) Li (ktonnes) LHM (ktonnes)
Measured 893,803 876 773 4,670
Indicated 1,439,965 639 832 5,022
Measured and Indicated 2,333,767 712 1,605 9,692
Inferred 532,343 423 75 444

ktonnes = kilotonnes

LHM = lithium hydroxide monohydrate

ppm = parts per million

 

Table 11-11Lithium Mineral Resources Inclusive of the Mineral Reserve with a Cut-Off of 300 ppm Li

 

Classification ktonnes Grade Li (ppm) Li (ktonnes) LHM (ktonnes)
Measured 1,126,772 876 978 5,976
Indicated 2,534,419 639 1,620 9,799
Measured and Indicated 3,661,191 712 2,607 15,767
Inferred 2,151,226 423 911 5,508
a)The estimate of mineral resources was completed by ABTC and Dahrouge
b)Tonopah Flats resources are classified as Measured, Indicated, and Inferred
c)Mineral resources comprised all model blocks at a 300  parts per million (ppm) tonne Li cut-off that lie within an optimized pit
d)Lithium hydroxide monohydrate (LHM) tonnes were calculated using a factor of 6.0459
e)Mineral resources that are not mineral reserves do not have demonstrated economic viability
f)Mineral resources potentially amenable to open pit mining methods are reported using a lithium hydroxide monohydrate price of US$22,000/t, assumed metallurgical recoveries of 48% for Li, mining costs of US$2.70/t mined, processing costs of US$7.50/t processed, minimum grade of 300 ppm lithium within claystone, and general & administrative costs of US$0.83/t processed, and a 45,000-tpd processing rate.
g)Rounding may result in apparent discrepancies between tons, grade, and contained metal content

ktonnes = kilotonnes

LHM = lithium hydroxide monohydrate

ppm = parts per million

 

11.12Qualified Person Statement

 

The confidence classification of the mineral resource estimate has been classified as a Measured, Indicated and Inferred Mineral Resource.

 

The mineral resource estimate will be influenced by further exploration and infill drill drilling and may increase or decrease as the data dictates.

 

11.13Mineral Resource Uncertainty

 

The economic viability of the TFLP is not necessarily demonstrated by the mineral resources estimate. The certainty that all or any part of the estimate can be converted into a viable economic plan cannot be guaranteed and depends heavily on key assumptions relevant for the conversion of mineral resources into mineral reserves. Uncertainty was decreased by the use of SGSim which was incorporated into the estimation and mineral resource classification.

 

As of the effective date of this PFS, Barr, and Dahrouge are not aware of any environmental, permitting, legal, title, taxation, socio-economic, marketing, or political factors that may materially affect the Tonopah Flats mineral resources and that are not otherwise discussed in this report. Barr and Dahrouge believe that any factors that would likely influence the prospect of economic extraction have either been addressed or could be resolved by further work.

 

barr.com
104

 

12    Mineral Reserves Estimates

 

12.1Approach

 

A mineral reserve is the economically mineable part of a Measured and/or Indicated mineral resource and is defined by studies at a pre-feasibility or feasibility level that include the application of modifying factors. This PFS includes adequate information and considerations regarding mining, processing, metallurgical, infrastructure, economic, marketing, environmental, and other relevant factors that demonstrate at the time of reporting that economic extraction can be reasonably justified.

 

The QP is responsible for reviewing all mining factors and costs to verify that the mineral reserve estimates are correct. The estimation of mineral reserves is the basis of an economically viable project. Mineral reserves are inclusive of diluting material that will be mined in conjunction with the mineral reserves and delivered to the treatment plant or equivalent facility. The term “mineral reserve” need not necessarily signify that extraction facilities are in place, operative, or that all governmental approvals have been received. It does signify that there are reasonable expectations of such approvals.

 

Mineral reserves are subdivided in order of increasing confidence into Probable mineral reserves and Proven mineral reserves. The reserve classifications used in this report conform to the definitions and guidelines set forth in U.S. SEC Regulation S-K 1300. These classifications are listed below.

 

A Probable mineral reserve is the economically mineable part of an Indicated mineral resource, and in some circumstances, a Measured mineral resource. The confidence in the modifying factors applying to a Probable mineral reserve is lower than that applying to a Proven mineral reserve. The QPs may elect to convert Measured mineral resources to Probable mineral reserves if confidence in the modifying factors is lower than that applied to a Proven mineral reserve.

 

A Proven (or Proved) mineral reserve is the economically mineable part of a Measured mineral resource and can only result from conversion of a measured mineral resource. Application of the Proven mineral reserve category implies that the QPs have the highest degree of confidence in the estimate and the consequent expectation in the minds of the readers of the report. The term should be restricted to that part of the deposit where production planning is taking place and for which any variation in the estimate would not significantly affect the potential economic viability of the deposit.

 

To convert a mineral resource into a mineral reserve, estimates of commodity prices, mining dilution, process recovery, refining/transport costs, royalties, mining costs, processing, and general and administration costs were used to estimate COGs. These input parameters, along with geotechnical slope recommendations, formed the basis for the selection of economic mining blocks.

 

The economic mining blocks were identified using the Lerchs-Grossmann Pit Optimization Algorithm in the Maptek Vulcan software package, which produced a series of optimized open-pit shapes. The QP has selected one of these shapes for detailed design and quantified the mineral reserves at the determined COG within the final pit design.

 

The lithium resources at Tonopah Flats are not subject to royalty.

 

A conventional truck/shovel open-pit mining method was selected for the deposit. Mining costs used in the pit optimization were based on first principles build-ups using a preliminary production schedule as guidance.

 

barr.com
105

 

Processing and general and administrative (G&A) operating costs were developed for the treatment of mineralized material. The battery limits for determining the process operating costs commence from the sizing and crushing facilities and continue through to the surface stacking of tailings. G&A costs cover items such as site services, transportation, and camp costs. The operating costs are based on a refinery production rate of 30,000 tpa LHM.

 

A mill recovery of 48% was utilized for the pit optimization. This information was sourced from both historical and current test work performed by SGS at its Lakefield laboratory in 2020, 2021, 2023, and 2024.

 

12.2Design Pit Selection

 

The pit shell that defines the ultimate pit limit was derived in Vulcan using the pit-optimization algorithm. The optimization procedure uses the block value and pit slopes to determine a group of blocks representing pits of valid slopes that yield the maximum profit. The block value is calculated using information stored in the geological block model, commodity prices, mining and processing costs, process recovery, and the sales pricing for the metals produced. The pit shell chosen for design was selected to limit mine life to approximately 40 years. Table 12-1 provides a summary of the primary optimization inputs and Table 12-2 provides the overall results.

 

Table 12-1Primary Pit Optimization Parameters

 

Parameter Value Unit
Mining Cost 2.70 $/tonne
Process Cost 10.70 $/tonne processed
G&A 0.90 $/tonne processed
LHM Price 22,000 $/tonne
Recovery 48 percent
Li Content In LiOH 0.165  
Li Price 133,333 $/tonne
Minimum Li Grade 300 ppm
Overall Pit Slope 33 degree

G&A = general and administrative

LHM = lithium hydroxide monohydrate

ppm = parts per million

 

barr.com
106

 

Table 12-2Overall Results of the Tonopah Flats Open Pit Optimization

 

Pit LHM Price Total Ore Waste SR Li Li LHM Rec LHM NPV Best NPV Lag NPV Worst
(US$/t) (Mt) (Mt) (Mt) w:o (ppm) (ktonnes) (ktonnes) (ktonnes) (US$M) (US$M) (US$M)
1 6,000 254 217 37 0.17 869 189 1,144 549 $3,996 $3,996 $3,996
2 6,200 335 288 47 0.16 861 248 1,503 722 $4,507 $4,487 $4,415
3 6,400 386 332 54 0.16 855 284 1,720 825 $4,722 $4,698 $4,566
4 6,600 451 386 65 0.17 848 328 1,987 954 $4,914 $4,888 $4,688
5 6,800 516 439 77 0.18 842 370 2,240 1,075 $5,047 $5,020 $4,752
6 7,000 602 511 91 0.18 830 425 2,574 1,236 $5,165 $5,136 $4,787
7 7,200 656 552 104 0.19 827 457 2,767 1,328 $5,215 $5,186 $4,776
8 7,400 913 744 169 0.23 811 603 3,657 1,755 $5,335 $5,301 $4,575
9 7,600 960 782 178 0.23 806 630 3,821 1,834 $5,346 $5,311 $4,540
10 7,800 987 804 183 0.23 803 645 3,911 1,877 $5,351 $5,316 $4,534
11 8,000 1,234 1,000 234 0.23 778 778 4,715 2,263 $5,376 $5,341 $4,459
12 8,500 1,269 1,025 244 0.24 776 795 4,817 2,312 $5,377 $5,342 $4,448
13 9,000 1,299 1,041 257 0.25 775 807 4,891 2,348 $5,378 $5,343 $4,436
14 9,500 1,332 1,058 274 0.26 775 819 4,966 2,384 $5,379 $5,344 $4,425
15 10,000 1,372 1,075 297 0.28 774 833 5,047 2,422 $5,380 $5,345 $4,411
16 11,000 1,396 1,085 311 0.29 774 840 5,091 2,443 $5,380 $5,345 $4,401
17 12,000 1,415 1,092 324 0.30 774 845 5,121 2,458 $5,381 $5,345 $4,394
18 13,000 1,432 1,097 335 0.31 774 849 5,145 2,470 $5,381 $5,346 $4,388
19 14,000 1,444 1,100 343 0.31 774 851 5,160 2,477 $5,381 $5,346 $4,383
20 15,000 1,454 1,103 351 0.32 774 853 5,172 2,483 $5,381 $5,346 $4,379
21 16,000 1,472 1,107 364 0.33 774 857 5,192 2,492 $5,381 $5,346 $4,372
22 18,000 1,490 1,112 379 0.34 773 860 5,210 2,501 $5,381 $5,346 $4,364
23 20,000 1,505 1,114 391 0.35 773 862 5,222 2,507 $5,381 $5,346 $4,359
24 22,000 1,505 1,114 391 0.35 773 862 5,222 2,507 $5,381 $5,346 $4,359

Best = NPV outcome calculated under the most optimistic set of assumptions

ktonne = kilotonne

Lag = delay between when project costs are incurred and when cash inflows are realized

LHM = lithium hydroxide monohydrate

Mt = million tonnes

NPV = net present value

ppm = parts per million

Rec = recovery

SR = stripping ratio

t = tonne

US$M = USD in millions

Worst = NPV outcome calculated under the most conservative set of assumptions

 

barr.com
107

 

 

Figure 12-1Tonopah Flats Open Pit Optimization - Overall Pit Shell Results

 

12.3Open-Pit Design

 

The selected optimized pit shell was converted into a detailed open-pit mine design that formed the basis of the mineral reserve estimate and production schedule. The pit wall slope angles, bench heights, and access ramp parameters are discussed in further detail below. The final pit design, located approximately 11 km west of Tonopah, Nevada, is approximately 1,900 m long with a maximum elevation of 1,625 m above mean sea level (AMSL) and a pit bottom elevation of 1,380 m AMSL. Ramp access varies through the mine life and progression of the back-fill plan. The final pit design is shown in Figure 12-2. Measured and Indicated resources above the economic COG of 300 ppm Li are shown relative to the final pit design in Figure 12-3, Figure 12-4, and Figure 12-5.

 

barr.com
108

 

 

Figure 12-2Final Pit Design

 

barr.com
109

 

 

Figure 12-3Measured and Indicated Resources Relative to the Final Pit Design

 

 

Figure 12-4E470300 Cross Section of the Final Pit Showing Measured and Indicated Resources (Li ppm)

 

barr.com
110

 

 

Figure 12-5N4215200 Cross Section of the Final Pit Showing Measured and Indicated Resources (Li ppm)

 

12.4Mining Dilution and Ore Loss

 

The mineral resources and reserves were reported undiluted, as the strip ratio is very low and the deposit shows little variability at the 300 ppm COG. No additional tonnage adjustment was necessary.

 

12.5Mineral Reserve Estimate

 

A summary of the mineral reserves for the project is shown in Table 12-3 within the designed final pit for the Tonopah Flats deposit. In the detailed mine production schedule, the COG has been held constant at 300 ppm Li. Any resources below the COG have been wasted. The effective date of the mineral reserve stated in this report is 15 March 2025. The QPs have not identified any known legal, political, environmental, or other risks that would materially affect the potential development of the mineral reserves, except for the risk of not being able to secure the necessary permits from the government for the development and operation of the project; however, the QPs are not aware of any unique characteristics of the project that would prevent permitting.

 

Table 12-3Tonopah Flats Mineral Reserves Estimate as of PFS Date

 

Classification Tonnes
(ktonnes)
Grade Li
(ppm)
Contained Li
(ktonnes)
LHM Equivalent Mined
(ktonnes)
Proven 175,515 920 161 979
Probable 384,333 753 289 1,754
Total Proven and Probable 559,848 805 451 2,733

ktonnes = kilotonnes

LHM = lithium hydroxide monohydrate

ppm = parts per million

 

barr.com
111

 

13    Mining Methods

 

The TFLP will be mined using conventional open-pit mining techniques, including drilling, blasting, loading, and hauling. Due to the relatively soft nature of the host rock, drilling and blasting is expected to be minimal, accounting for approximately 5% of the clay material. Overlying alluvium will be stripped and stockpiled for future use in site reclamation activities. The mine production rate has been optimized to support the refinery’s production goal of 30,000 tpa of LHM, resulting in an average ore feed rate of approximately 12.4 Mtpa.

 

The mine, waste dump, and backfill dump and stockpile designs have been developed in accordance with geotechnical guidelines. Both ore and waste materials will be mined in 10 m high benches using hydraulic shovels and front-end loaders. A fleet of 141-tonne haul trucks will transport the excavated materials to either the ROM stockpile or designated dumps. In alignment with the mine plan, the loading units and haul trucks will also be used to transport dry-stack tailings and coarse gangues from the refinery and the beneficiation circuits to the designated backfill dumps. In addition, the mine will conduct various mine and site development activities that are essential for the success of this project.

 

The mine is scheduled to operate continuously, 24 hours a day, 365 days per year, utilizing three rotating crews working two 12-hour shifts daily. This operating schedule accounts for non-productive time related to employee breaks, weather delays, blasting activities, equipment downtimes, etc.

 

Comprehensive details regarding mine designs and mining methods are discussed in this chapter. Mining cost estimates and economic analysis are addressed separately in chapters 18 and 19, respectively.

 

13.1Economic Parameters and Cut-Off Grades

 

The economic parameters used for mine design and production schedules in this PFS have been developed between ABTC and Barr. Table 13-1 presents the economic parameters used for mining, processing and general and administrative (G&A) costs. Mining costs assume contractor pre-stripping moving to owner-operator mining activities as the project has a significantly long mine life. Processing costs were provided by ABTC and Woods. G&A costs were based on a fixed cost of US$ 4.5 million per year for site management, environmental, general site maintenance, insurance, human resources, and other administrative costs. There are no royalties associated with the Tonopah Flats property.

 

Due to a highway running through the middle of the deposit, a constraint around the highway and the power line was used with a 200-m right-of-way (ROW). This ROW divided the deposit evenly into north and south portions (North Pit and South Pit) used for the resource pits. Only the South Pit was included in the mine life and pit designs of this PFS.

 

barr.com
112

 

Table 13-1Economic Parameters for Calculation of the Cut-Off Grade

 

Parameter Value Units
Mining Cost 2.70 $/tonne
Process Cost 10.70 $/tonne processed
G&A 0.90 $/tonne processed
LHM Price 22,000 $/tonne
Recovery 48 percent
Li Content in LiOH 0.165  
Li Price 133,333 $/tonne
Minimum Li Grade 300 ppm

G&A = general and administrative

LHM = lithium hydroxide monohydrate

ppm = parts per million

 

COGs were used to distinguish material that would be processed from waste material. A COG of 94 ppm Li is calculated when using the inputs in Table 13-1. However, an elevated COG of 300 ppm Li was used to determine in-pit material to be processed. This elevated COG advances the processing of higher-grade material and improves the project economics.

 

13.2Pit Optimization

 

Production constraints were considered when specifying mine parameters for pit optimization and subsequent pit design and production scheduling. Pit optimizations for the TFLP used a Vulcan pit-optimization algorithm to create three-dimensional pit shells. The metal selling price used for this analysis is US$22,000/t of LHM. Pit optimizations were generated using ranges of LHM prices from US$6,000/t to US$22,000/t. Only Measured and Indicated material above the elevated COG was allowed to be processed for the optimization. The pit optimization results at various prices are shown in Table 12-2 in Chapter 12.

 

13.3Road and Ramp Design

 

Detailed roads and ramp designs were not created for this study since the roads will be dynamic and move during the life of mine, but conceptual haul routes were used to develop haulage profiles and estimate truck requirements.

 

The ramps that will be utilized for production will be designed for the use of 150-t haul trucks with an operating width of 7.5 m. For two-way access, the goal of road design is to allow a running width of nearly 3.5 times the width of the trucks. Mine Safety and Health Administration (MSHA) regulations specify that safety berms are to be maintained at least the axle height of the haul trucks that will travel on the roads. The axle height of the 150-t truck is approximately 1.5 m. An extra 10% was added to the berm height design to ensure that all berms are sufficient in height, resulting in a total berm height of 1.7 m.

 

Safety berms assume a slope of 1.5 horizontal to 1.0 vertical. Considering that ramps in the pit only require one berm, the design road width of 30 m was determined for two-way traffic. Haul roads grades will be designed at a maximum of 10%.

 

barr.com
113

 

13.4Open Pit Design

 

Barr reviewed the previous geotechnical information, which was limited to the RQD measurements from eight boreholes within the 2023 exploration core drilling program. From this information, in addition to the project’s geologic setting, the 2025 geotechnical field and laboratory testing programs were carried out to build and/or update the structural, geotechnical, and hydrogeologic models to support the PFS. The 2025 field program was based on the permitted and accessible locations at the time of this study.

 

Detailed engineering analyses were completed using information collected from the 2025 work to update the open-pit design recommendations for the TFLP PFS.

 

13.4.1Open Pit Geotechnical Considerations

 

13.4.1.1Geology and Structure

 

The Tonopah Flats property, including the proposed open pit, is located in a broad alluvial basin of subdued topography between the San Antonio Mountains to the east and the Monte Cristo Mountains to the west, approximately 11 km northwest of the town of Tonopah, Nevada. Quaternary alluvial fan and pediment sedimentary deposits cover most of the property and are generally composed of silt, sand, and gravel from the nearby mountains. The alluvial cover has an average thickness of less than 15 m from east of the fault over much of the property. It also overlies a thick sequence of fluvial and lacustrine epiclastic claystone, volcanic conglomerate, sandstone, siltstone, and tuff of the Miocene age Siebert Formation. The overall sedimentary package within the project area is flat lying to gently dipping.

 

The project area is along the eastern margin of the Walker Lane tectonic belt, an approximately 15-m-wide, northwest-trending zone in western Nevada and eastern California (Stewart, 1988). Prominent northwest-trending strike-slip faults and related north- to northeast-trending normal faults characterize much of the Walker Lane tectonic belt and accommodate part of the motion between the Pacific plate and the North American plate. The belt separates the Sierra Nevada and the Basin and Range physiographic provinces.

 

13.4.1.2Open Pit Subsurface Investigations

 

Barr was contracted to oversee a geotechnical field investigation in support of an S-K 1300-compliant PFS for the open pit at the project site. The investigation consisted of three geotechnical borings along the east side of the south lobe of the open pit as per the project priorities and available permitted locations for drilling in early 2025.

 

The three borings were performed by advancing an HQ-size (85.7 mm [3 3/8 inch]) diamond core drill bit. The drill rig was operated by True North Drilling, based out of Gilbert, Arizona, on a 24/7 continuous basis. Continuous wireline coring was carried out with core runs ranging from 3 dm to 3 m. The boring locations are provided in Figure 13-1. The coordinates, azimuth, inclination, and completed total drill depth for the borings are presented in Table 13-2.

 

barr.com
114

 

Table 13-2Geotechnical Borings Drilled for South Lobe of the Open Pit

 

Borehole Easting 1 Northing 1 Ground Surface Elevation (m) Target Inclined Depth 2 Azimuth (degree) Plunge (degree)
(m) (ft)
TF25-GT1 470348 4214322 1,613 300 985.0 190 80
TF25-GT2 470762 4214689 1,605 275 893.5 95 60
TF25-GT3 470784 4215492 1,600 250 820.0 80 60

1 Coordinates and datum are NAD83 UTM Zone 11, in meters.

2 Borehole target inclined depths and orientations were adjusted by ABTC for exploration purposes that are still aligned with geotechnical purposes.

ft = feet

m = meter

 

 

Figure 13-1Open Pit Geotechnical Boring Locations

 

barr.com
115

 

The subsurface geology identified and described by ABTC geologists during the geotechnical drilling program generally coincided with the expected geology from the existing subsurface model provided to Barr by ABTC. Notable lithology present in the borings included alluvium, claystone, sandstone, and tuff. A summary description of lithology is provided below.

 

Alluvial sediments were present to an inclined depth of 13.25 m in hole TF25-GT2. They were present to inclined depths of 1.8 m and 5.0 m in holes TF25-GT1 and TF25-GT3, respectively.

 

Claystone was the thickest lithologic unit encountered at all three locations, as expected. The upper marker that separates the upper claystone unit from the mid claystone unit was noted at inclined depths of about 207.8 m, 219.4 m, and 115.2 m in holes TF25-GT1, TF25-GT2, and TF25-GT3, respectively. The lower marker that separates the mid claystone unit from the lower claystone unit was noted at about 288 m and 214.3 m in holes TF25-GT1 and TF25-GT3, respectively.

 

Sandstone layers exhibiting thicknesses from 7.6 dm to 3 m were interbedded at multiple depths within the claystone units in all three borings.

 

The drillers did not observe groundwater during drilling.

 

Televiewer surveys were performed by IDS, who was contracted directly by ABTC, immediately after the completion of drilling. The work was carried out in boreholes TF25-GT1 and TF25-GT3 to measure the true orientation of rock mass features such as bedding, joints, and faults. The surveys were carried out using optical borehole imagers (OBI) and acoustic borehole imagers (ABI). A total of 2,869 structures, including sealed (Type 0), partial open (Type 1), and continuous open (Type 2) structures from two boreholes, were picked by IDS on downhole images, and the pole plot by structure type is presented on the stereonet in Figure 13-2.

 

Figure 13-3 illustrates the density concentrations of picked structures (i.e., joints) other than Type 0 (i.e., bedding) without showing the poles, and the dip and dip direction values of mean sets, which was determined from the set boundaries drawn using the density concentration contours having concentrations greater than approximately 4% and 7% for TF25-GT1 and TF25-GT3, respectively.

 

barr.com
116

 

 

Figure 13-2Poles of Features Picked by IDS as Sealed (Type 0), Partial Open (Type 1), and Continuous Open (Type 2) Structures from TF25-GT1 and TF25-GT3

 

 

Figure 13-3Density Concentrations and Mean Set Planes for Structures Picked by IDS As Type 1 and Type 2 (i.e., Potentially Structures Other Than Bedding Planes)

 

barr.com
117

 

13.4.1.3Laboratory Testing

 

Barr selected core samples for laboratory testing to focus on soil characterization, strength of intact rock, and strength of and rock discontinuities, including faults, joints, and bedding. Barr prepared a laboratory testing program that included rock samples for unconfined compressive strength (ASTM D7012 Method C), Brazilian indirect tensile strength (ASTM D3967), triaxial compressive strength (ASTM D7012 Method A), and direct shear strength (ASTM D5607) on natural discontinuities with sampling depths determined primarily based on rock type and relevant structures. For claystone rock cores comprising fine-grained materials, unconsolidated-undrained (UU) triaxial compression (D2850), consolidated-undrained (CU) triaxial compression (ASTM D4767), and Atterberg limits (ASTM D4318) were performed. This was to characterize the fully softened shear strength and possibly the residual shear strength, which could be relevant shear strengths for excavations such as open pits in these materials. The complete test results are provided in Barr’s report (Greenwood & Sopaci, 2025).

 

The Atterberg limits results are summarized in Table 13-3. The liquid limit ranged from 55 to 101, with an average of 70, while the plasticity index ranged from 31 to 77, with an average of 45. All samples were classified as high-plasticity clay (CH) based on their index properties.

 

Table 13-3Atterberg Limits Summary

 

Hole ID Inclined Depth Lithology Liquid Limit Plastic Limit Plasticity Index USCS Classification
(m) (ft)
TF25-GT1 125 410 Claystone 101 24 77 CH
TF25-GT1 140 459 Claystone 65 23 42 CH
TF25-GT1 151 495 Claystone 55 23 32 CH
TF25-GT1 201 659 Claystone 64 33 31 CH
TF25-GT2 107 351 Claystone 87 23 64 CH
TF25-GT2 144 472 Claystone 55 22 33 CH
TF25-GT2 208 682 Claystone 70 23 47 CH
TF25-GT2 241 791 Claystone 65 20 45 CH
TF25-GT3 50 164 Claystone 58 21 37 CH
TF25-GT3 73 240 Claystone 71 30 41 CH
TF25-GT3 111 364 Claystone 74 27 47 CH
TF25-GT3 138 453 Claystone 69 20 49 CH
  Average 70 24 45  

CH = high-plasticity clay

ft = feet

ID = identification

m = meter

USCS = Unified Soil Classification System

 

The results and summary of the uniaxial compressive strength tests are provided in Table 13-4 and Table 13-5, and the splitting tensile strength test results and summary are provided in Table 13-6 and Table 13-7. The triaxial compression test results for Crystal-Lithic Tuff are provided in Table 13-8.

 

barr.com
118

 

Table 13-4Results of Uniaxial Compressive Strength Tests

 

Hole ID Inclined Depth Range Lithology UCS
(m) (ft) (kPa) (psi)
TF25-GT1 110.58 –110.73 362.8 – 363.3 Claystone 2,020 293
TF25-GT1 142.98 – 143.10 469.1 – 469.5 Claystone 2,730 396
TF25-GT1 161.57 – 161.69 530.1 – 530.5 Claystone 4,378 635
TF25-GT1 222.38 – 222.50 729.6 – 730.0 Claystone 7,012 1,017
TF25-GT1 237.28 – 237.43 778.5 – 779.0 Claystone 4,888 709
TF25-GT2 29.62 – 29.77 97.2 – 97.7 Claystone 193 28
TF25-GT2 51.02 – 51.17 167.4 – 167.9 Claystone 3,951 573
TF25-GT2 82.38 – 82.53 270.3 – 270.8 Claystone 1,392 202
TF25-GT2 96.37 – 96.53 316.2 – 316.7 Claystone 2,613 379
TF25-GT2 115.85 – 115.97 380.1 – 380.5 Claystone 586 85
TF25-GT2 258.92 – 259.08 849.5 – 850.0 Claystone 5,640 818
TF25-GT2 220.30 – 220.43 722.8 – 723.2 Tuffaceous Sandstone 2,758 400
TF25-GT3 131.73 – 131.85 432.2 – 432.6 Claystone 4,716 684
TF25-GT3 142.28 – 142.40 466.8 – 467.2 Claystone 3,303 479
TF25-GT3 155.81 – 155.96 511.2 – 511.7 Claystone 3,613 524
TF25-GT3 175.74 – 175.90 576.6 – 577.1 Claystone 4,233 614
TF25-GT3 219.39 – 219.51 719.8 – 720.2 Crystal-Lithic Tuff 8,081 1,172

ft = feet

ID = identification

kPa = kilopascals

m = meter

psi = pounds per square inch

UCS = Uniaxial compressive strength

 

Table 13-5Summary of Uniaxial Compressive Strength Tests

 

Lithology Number of Samples Tested Minimum UCS Average UCS Maximum UCS
(kPa) (psi) (kPa) (psi) (kPa) (psi)
Claystone 16 193 28 3,330 483 7,012 1,017
Tuffaceous Sandstone 1 2,758 400 2,758 400 2,758 400
Crystal-Lithic Tuff 1 8,081 1,172 8,081 1,172 8,081 1,172

kPa = kilopascals

psi = pounds per square inch

UCS = Uniaxial compressive strength

 

barr.com
119

 

Table 13-6Results of Splitting Tensile Strength Tests

 

Hole ID Inclined Depth Range Lithology Splitting Tensile Strength
(m) (ft) (kPa) (psi)
TF25-GT1 80.49-80.52 264.1-264.2 Claystone 228 33
TF25-GT1 107.04-107.7 351.2-351.3 Claystone 145 21
TF25-GT1 119.48-119.51 392.0-392.1 Claystone 317 46
TF25-GT1 166.66-166.69 546.8-546.9 Claystone 317 46
TF25-GT1 185.34-185.37 608.1-608.2 Claystone 600 87
TF25-GT1 228.32-288.35 749.1-749.2 Claystone 565 82
TF25-GT2 42.51-42.55 139.5-139.6 Claystone 228 33
TF25-GT2 69.70-69.73 228.7-228.8 Claystone 296 43
TF25-GT2 90.09-90.12 295.6-295.7 Claystone 186 27
TF25-GT2 125.82-125.85 412.8-412.9 Claystone 228 33
TF25-GT2 154.22-154.25 506.0-506.1 Claystone 331 48
TF25-GT2 183.09-183.12 600.7-600.8 Claystone 510 74
TF25-GT2 221.34-221.37 726.2-726.3 Claystone 427 62
TF25-GT2 232.04-232.04 761.3-761.3 Claystone 331 48
TF25-GT3 83.14-83.17 272.8-272.9 Claystone 469 68
TF25-GT3 95.70-95.73 314.0-314.1 Claystone 228 33
TF25-GT3 149.99-150.02 492.1-492.2 Claystone 490 71
TF25-GT3 188.82-188.85 619.5-619.6 Claystone 338 49
TF25-GT3 227.90-227.93 747.7-747.8 Claystone 552 80
TF25-GT3 249.63-249.66 819.0-819.1 Claystone 565 82

ft = feet

ID = identification

kPa - kilopascals

m = meter

psi = pounds per square inch

 

Table 13-7Summary of Splitting Tensile Strength Tests

 

Lithology Number of Samples Tested Minimum Splitting Tensile Strength Average Splitting Tensile Strength Maximum Splitting Tensile Strength
(kPa) (psi) (kPa) (psi) (kPa) (psi)
Claystone 20 144.8 21 365.4 53 599.8 87

kPa - kilopascals

psi = pounds per square inch

 

barr.com
120

 

Table 13-8Summary of Triaxial Compressive Strength Tests

 

Hole ID Inclined Depth Range Lithology Confining Pressure (kPa) Deviator Stress (σd) at Failure Failure Type
(m) (ft) (kPa) (psi)
TF25-GT3 217.93-218.21 715-715.9 Crystal-Lithic Tuff 2,000 13,000 1,940 Fracture / Bedding

ft = feet

ID = identification

kPa - kilopascals

m = meter

psi = pounds per square inch

 

The shear strength of rock discontinuities was evaluated by the direct shear test following ASTM D5607. The results of the direct shear strength tests are provided in Table 13-9.

 

Table 13-9Results of Direct Shear Strength Tests

 

Hole ID Inclined Depth Lithology Peak Post-Peak
(m) (ft) Friction Angle (degree) Cohesion Friction Angle (degree) Cohesion
(kPa) (psi) (kPa) (psi)
TF25-GT1 172 565 Claystone 38 0 0 37 0 0
TF25-GT2 103 337 Claystone & Sandstone 17 310.3 45 16 248.2 36
TF25-GT2 236 774 Claystone 19 310.3 45 23 0 0
TF25-GT2 235 771 Claystone 30 131.0 19 30 0 0
TF25-GT2 156 511 Claystone 25 158.6 23 27 62.1 9
TF25-GT3 216 709 Claystone 28 337.8 49 31 62.1 9
TF25-GT3 215 707 Claystone 30 448.2 65 30 337.8 49
TF25-GT3 66 216 Tuffaceous Claystone 42 75.8 11 40 82.7 12
TF25-GT3 79 259 Sandstone 27 441.3 64 38 62.1 9

ft = feet

ID = identification

kPa - kilopascals

m = meter

psi = pounds per square inch

 

The UU triaxial compression tests on rock samples followed ASTM D2850. The results of those tests are provided in Table 13-10.

 

barr.com
121

 

Table 13-10Summary of Unconsolidated-Undrained Triaxial Compression Test

 

Hole ID Inclined Depth Lithology Confining Pressure Deviator Stress (σd) at Failure Undrained Shear Strength
(m) (ft) σ3 (kPa) σ3 (psi) σ1-σ3 (kPa) σ1-σ3 (psi) q (kPa)
(σ1-σ3)/2
q (psi)
(σ1-σ3)/2
TF25-GT3 50 164 Claystone 108.2 15.7 3,093.7 448.7 1,547.2 224.4
TF25-GT3 73 240 Claystone 108.2 15.7 3,177.6 460.8 1,588.6 230.4
TF25-GT2 107 351 Claystone 108.2 15.7 2,511.1 364.2 1,255.5 182.1
TF25-GT3 111 364 Claystone 215.1 31.2 2,553.8 370.4 1,276.9 185.2
TF25-GT3 138 453 Claystone 215.1 31.2 3,335.7 483.8 1,667.8 241.9
TF25-GT2 144 472 Claystone 526.8 76.4 4,800.8 696.3 1,711.3 348.2
TF25-GT1 260 853 Claystone 526.8 76.4 7,518.0 1,090.4 3,759.0 545.2
TF25-GT2 208 682 Claystone 1,052.8 152.7 3,141.3 455.6 1,570.6 227.8
TF25-GT3 241 791 Claystone 1,052.8 152.7 5,413.1 785.1 2,706.2 392.5

ft = feet

ID = identification

kPa - kilopascals

m = meter

psi = pounds per square inch

 

The CU triaxial compression tests, with pore pressure measurements, on rock samples followed ASTM D4767. The results of the tests are provided in Table 13-11.

 

Table 13-11Results of Consolidated-Undrained Triaxial Compression Tests

 

Hole ID Inclined Depth Lithology Consolidation Stress Deviator Stress (σd) at Failure Mean Effective Stress at Failure Shear Strength
(m) (ft) σ’3c (kPa) σ’3c (psi) σ’1-σ’3 (kPa) σ’1-σ’3 (psi) p' (kPa)
(σ'1+σ'3)/2
p' (psi)
(σ'1+σ'3)/2
q (kPa)
(σ'1-σ'3)/2
q (psi)
(σ'1-σ'3)/2
TF25-GT3 125 410 Claystone 1,482.4 215 6,556.9 951 550.2 79.8 475.0 68.9
TF25-GT3 140 459 Claystone 3,633.5 527 23,021.6 3,339 1,949.8 282.8 1,700.2 246.6
TF25-GT2 200 656 Claystone 5,281.4 766 39,369.1 5,710 3,099.9 449.6 1,658.9 420.6

ft = feet

ID = identification

kPa - kilopascals

m = meter

psi = pounds per square inch

 

13.4.2Rock and Soils Strength Assessment

 

Claystone was the primary lithologic unit encountered at all three borehole locations, as expected. From a geotechnical perspective, claystone was generally described as weak sedimentary rocks that represent a stage in the transition from soil to rock based on the degree of induration. It was generally distinctively bedded.

 

To account for potentially varying strength and behavior of the claystone due to effects such as stress relaxation from excavation and/or softening as a result of opened fissures with an accompanying increase in water content, the fully softened strength (FSS) envelope was assessed for the intact rock and along the bedding.

 

barr.com
122

 

The shear strength of claystones and discontinuities (i.e., bedding planes) were assessed using the shear strength test results presented in Figure 13-4.

 

 

Figure 13-4Shear Strength Data from Laboratory Testing

 

13.4.3Stability Analysis

 

The acceptable factor of safety (FOS) and probability of failure (POF) for the planned TFLP open pit varies depending on the pit slope component and the likely consequences of failure. Based upon current plans, there is no major infrastructure set to be constructed proximally to any pit walls. If this were to change, it would be necessary to examine the selected acceptance criteria. Table 13-12 presents the selected acceptance criteria in bold for the TFLP pit slope design.

 

barr.com
123

 

Table 13-12Typical FOS and POF Acceptance Criteria Values (Read & Stacey, 2009)

 

Slope Scale Consequences of Failure Factor of Safety (Min) (Static) Factor of Safety (Min) (Dynamic) Probability of Failure (Max) P(FOS≤1)
Bench Low-High 1.1 NA 25-50%
Inter-Ramp Low 1.15-1.2 1.0 25%
Moderate 1.2 1.0 20%
High 1.2-1.3 1.1 10%
Overall Low 1.2-1.3 1.0 15-20%
Moderate 1.3 1.05 10%
High 1.3-1.5 1.1 5%

FOS = factor of safety

Max = maximum

Min = minimum

 

The pit slope design recommendations presented in the next section were supported by the following slope stability analyses.

 

Kinematic analysis of rock slopes to evaluate the potential for development of bench-scale and inter-ramp-scale planar and wedge failures.

 

Two-dimensional limit equilibrium analysis of pit slopes to evaluate the potential for the development of deep-seated pit slope instability, including the phreatic surface estimated at 189 m below existing ground surface based on available data obtained from exploration drilling records within the pit shell (M. Dusenbury, personal communication, April 10, 2025).

 

Bench-face and inter-ramp scale kinematic stability was evaluated by reviewing the stereonets, including dip and dip-direction of logged geologic structures, such as bedding and joints from the televiewer data. The most significant geologic structure controlling the pit slope angles along the east side of the south lobe of the open pit is horizontal bedding planes. Analysis results indicated a POF less than the design acceptance criteria for bench, inter-ramp, and overall slope scales.

 

The two-dimensional limit equilibrium analyses of rock slopes at inter-ramp and overall slope scales along the east side of the south lobe of the open pit were performed using the SEEP/W and SLOPE/W modules within the GeoStudio 2024 software suite. To estimate groundwater pressures and evaluate their impact on pit slope stability, finite-element seepage analyses were performed for two cross-sections using hydraulic conductivity values typical for claystone from the literature and the groundwater table at 189 m below existing ground surface. Additionally, to assess the effect of fully saturated conditions on rock mass strength, an anisotropic rock mass strength model was used, which assigned different shear strengths depending on the location of the slip surface passing through the rock mass with the estimated groundwater table. Results of the analysis indicated a FOS greater than the minimum FOS criteria (Table 13-12) for both the static (non-earthquake) and pseudo-static (dynamic or earthquake) analysis scenarios. In other words, the pit slope configuration provided in Table 13-13 meets the minimum FOS regarding slope stability for both cases.

 

barr.com
124

 

13.4.4Open-Pit Slope Design Recommendations

 

The slope recommendations for use in the PFS pit design for the TFLP are given in Table 13-13 below. The stability assessment of the pit slopes first started with the overall highwall (formed by claystone) stability checks, and then the bench configuration was fitted to the overall and/or inter-ramp-scale slopes by using currently available geotechnical and hydrogeological information via a 2D limit equilibrium analysis and rockfall analysis. This was based on an overall slope maximum vertical height of 240 m. The alluvium is thin and not yet well characterized, so it did not enter into the analysis at this stage. It was noted by others that there will not be any groundwater shallower than 189 m below existing ground surface in the proposed pit area (M. Dusenbury, personal communication, April 10, 2025). No mining facility (e.g., waste dump, refinery, tailings, etc.) near the pit crest would create a surcharge/loading for the highwalls or infrastructure, such as US 6/95, was included in the analysis. It was not needed to have separate slope sectors within the proposed pit shape as there were no major rock structures or geotechnically different materials identified to impact the stability of highwalls.

 

Table 13-13Recommended Open-Pit Design Slope Configuration

 

Parameter Recommendation Notes
Bench Height (m) 20 Stacking of two 10-m-high bench slopes (i.e., double-benching).
Bench Face Angle (degrees) 45 Slopes in claystone. Alluvial sediments above claystone were present to an inclined maximum depth of 13.3 m in drilled boreholes and were not separately analyzed for slope stability.
Bench Width (m) 9.65 Providing containment of approximately 85% of rockfall from the bench face that is performed in the rockfall analysis.
Inter-Ramp Angle (degrees) 34 This is for a sequence of benches separated by a haul road or a geotechnical ramp.
Ramp Width (m) 30 This is the same as an approximate road width for two-way traffic.
Typical Max. Slope Height Without a Ramp (m) 120 The typical slope height may locally be adjusted depending on the pit design optimization needs.
Overall Highwall Angle (degrees) 33 Incorporating a haul road or a geotechnical ramp.

m= meter

 

The following geologic, hydrogeologic, and operating recommendations related to pit design slopes and pit development should be considered in further project stages.

 

Additional geotechnical investigations in locations other than along the east side of the south lobe of the open pit

 

Groundwater and hydrogeology subsurface investigations

 

Infrastructure designed in close vicinity of pit crest

 

Mining method

 

Bench slope configuration

 

Horizontal bedding and subvertical rock joints and faults

 

barr.com
125

 

13.5Pit, Tailings, Coarse Gangue, Waste Dump, and Backfill Designs

 

Pit, tailings (tails), coarse gangue, waste dump, and in-pit backfill designs were completed for the TFLP using Vulcan software (Version 2025). The pit designs utilize benches that are 10 m high, with a 9.65 m wide catch bench installed on every other bench (double-benching), or 20 m vertical spacing. The bench face angle used is 45º. The resulting inter-ramp slope is 34º. The design road width of 30 m is used resulting in the overall stope angle of 33º. The minimum mining width for the design is 100 m and the mining width of 200 m is recommended. The final pit is located on the south side of US 6/95 and 200 m from the power line.

 

The tailings and coarse gangue designs utilize 10 m high benches with a 13 m wide catch bench. The bench face angle used is 40º. The slope requirement is 2.5:1 with 10 m high perimeter berms constructed with waste material during the pre-mining period.

 

The waste dump and in-pit backfill designs utilize 10 m high benches with a 5 m wide catch bench. The bench face angle used is 40º. In-pit backfill starts after Year 5 as mining allows.

 

The pit, tailings, coarse gangue, waste dump, and in-pit backfill designs are shown in the figures below.

 

 

Figure 13-5Tonopah Flats Ultimate Pit Design and Facilities

 

barr.com
126

 

 

Figure 13-6Tonopah Flats Ultimate Pit Design, Facilities, and In-Pit Backfill (Year 45)

 

13.6Phase Design

 

The ultimate pit design was split into eight phases to aid construction activities and help smooth production rates during operations. The approximate phase shapes were selected from the generated pit shells as part of the pit optimization process, which provides a sequence based on overall value. The design also considers an in-pit backfill schedule. The design parameters include a ramp width of 30 m, road grades of 10%, bench height of 10 m, and a minimum mining width of 100 m. The phase design and details are shown in the figure and table below.

 

barr.com
127

 

  

Figure 13-7Tonopah Flats Phase Design

 

Table 13-14Tonopah Flats Phase Design Report

 

Phase Quantity (t) Ore (t) Li (ppm) Waste (t) Stripping Ratio LHM Contained (t) LHM Recoverable (t)
Phase1 66,196,885 36,179,850 747.34 30,017,035 0.83 163,870 78,658
Phase2 64,135,974 40,831,653 729.58 23,304,321 0.57 180,545 86,662
Phase3 90,710,174 73,192,080 815.46 17,518,094 0.24 361,728 173,629
Phase4 60,774,371 52,303,914 800.74 8,470,458 0.16 253,830 121,838
Phase5 60,525,324 53,583,098 815.04 6,942,226 0.13 264,680 127,046
Phase6 99,065,746 84,380,447 841.55 14,685,300 0.17 430,366 206,576
Phase7 134,097,883 105,627,543 820.33 28,470,340 0.27 525,145 252,070
Phase8 141,213,657 113,749,789 801.22 27,463,868 0.24 552,354 265,130
Total 716,720,014 559,848,373 805.34 156,871,641 0.28 2,732,519 1,311,609

LHM = lithium hydroxide monohydrate

ppm = parts per million

t = tonne

 

barr.com
128

 

13.7Production Schedule

 

Production scheduling was completed using Datamine Minemax Scheduler software (Version 7.7). The production schedule was primarily driven by targeting the product produced to approximately 30,000 tpa of LHM after a two-year ramp up (Figure 13-10). Mining starts with initial pre-stripping and sustains the productivity required to feed the processing facility thereafter.

 

The production schedule is presented on a quarterly basis for the first five-years, and on an annual basis from Year 6 through Year 45.

 

The resulting production schedule requires approximately 12 months of preproduction to strip waste above the deposit. Production will be ramped up through the first two years of production, reaching full capacity at the beginning of Year 3 (Figure 13-11). Table 13-15 summarizes the 45-year production schedule.

 

The pit will be mined starting in Year -1 and will continue as the sole pit through Year 45. The mining has been planned in eight phases with Phase 1 mined first ending in year 5. Phase 8 will be mined last starting in year 36 and ending in year 45 as shown in Figure 13-8.

 

 

Figure 13-8Total Tonnage Scheduled by Phase

 

Processing starts at the beginning of production Year 1 and continues throughout the mine life, until mining ceases in Year 45 as shown in Figure 13-20. The average Li grade is 805 ppm and it increases slowly during the two-year ramp up then it is consistent (±10%) throughout LOM (Figure 13-9).

 

barr.com
129

 

 

Figure 13-9Process Feed and Li Grade

 

 

Figure 13-10Process Feed and LHM Production

 

 

Figure 13-11Production Schedule and Strip Ratio

 

barr.com
130

 

Table 13-1545-Year Production Schedule

 

Period Ore (t) Li (ppm) Li Contained (t) LHM Recoverable (t) Waste (t) Stripping Ratio Total Mined (t)
YR-1 - 0.00 - - 6,597,966 - 6,597,966
YR1 3,293,071 521.93 1,719 5,000 10,325,073 3.14 13,618,144
YR2 9,567,801 595.04 5,693 16,562 12,432,199 1.30 22,000,000
YR3 15,207,636 678.11 10,312 30,000 6,746,826 0.44 21,954,462
YR4 11,405,428 904.17 10,312 30,000 5,954,140 0.52 17,359,569
YR5 15,644,817 659.16 10,312 30,000 6,355,183 0.41 22,000,000
YR6 12,894,492 799.76 10,312 30,000 4,799,913 0.37 17,694,404
YR7 12,637,505 816.02 10,312 30,000 7,545,446 0.60 20,182,950
YR8 15,490,359 665.74 10,312 30,000 6,509,641 0.42 22,000,000
YR9 12,399,746 831.67 10,312 30,000 1,040,440 0.08 13,440,187
YR10 12,002,996 859.16 10,312 30,000 1,970,448 0.16 13,973,444
YR11 11,700,833 881.35 10,312 30,000 562,175 0.05 12,263,008
YR12 11,108,284 928.36 10,312 30,000 - - 11,108,284
YR13 14,046,014 734.19 10,312 30,000 6,033,753 0.43 20,079,767
YR14 14,608,718 705.91 10,312 30,000 172,133 0.01 14,780,851
YR15 11,835,947 871.29 10,312 30,000 2,253,696 0.19 14,089,643
YR16 11,421,775 902.88 10,312 30,000 10,875 0.00 11,432,650
YR17 13,317,946 774.33 10,312 30,000 5,632,473 0.42 18,950,419
YR18 14,424,246 714.94 10,312 30,000 933,724 0.06 15,357,971
YR19 12,189,414 846.02 10,312 30,000 376,029 0.03 12,565,443
YR20 11,138,068 925.88 10,312 30,000 - - 11,138,068
YR21 11,669,781 883.69 10,312 30,000 7,229,523 0.62 18,899,304
YR22 14,948,467 689.87 10,312 30,000 4,453,927 0.30 19,402,394
YR23 12,440,417 828.95 10,312 30,000 393,117 0.03 12,833,534
YR24 11,671,126 883.59 10,312 30,000 913,183 0.08 12,584,309
YR25 11,415,746 903.36 10,312 30,000 1,409,399 0.12 12,825,145
YR26 11,328,610 910.31 10,312 30,000 132,740 0.01 11,461,350
YR27 11,768,638 876.27 10,312 30,000 109,993 0.01 11,878,631
YR28 11,882,628 867.86 10,312 30,000 7,569,231 0.64 19,451,859
YR29 14,174,632 727.53 10,312 30,000 5,076,473 0.36 19,251,105
YR30 12,429,614 829.67 10,312 30,000 8,887,781 0.72 21,317,395
YR31 11,978,720 860.90 10,312 30,000 4,989,846 0.42 16,968,566
YR32 12,241,867 842.40 10,312 30,000 418,871 0.03 12,660,738
YR33 14,877,679 693.15 10,312 30,000 113,519 0.01 14,991,198
YR34 12,530,835 822.97 10,312 30,000 - - 12,530,835
YR35 11,237,767 917.66 10,312 30,000 82,666 0.01 11,320,433

 

barr.com
131

 

Period Ore (t) Li (ppm) Li Contained (t) LHM Recoverable (t) Waste (t) Stripping Ratio Total Mined (t)
YR36 11,195,052 921.17 10,312 30,000 9,973,322 0.89 21,168,374
YR37 11,920,177 865.13 10,312 30,000 10,079,823 0.85 22,000,000
YR38 12,516,442 823.92 10,312 30,000 3,971,541 0.32 16,487,983
YR39 12,468,694 827.07 10,312 30,000 3,295,221 0.26 15,763,915
YR40 11,805,773 873.51 10,312 30,000 882,558 0.07 12,688,331
YR41 12,009,248 858.71 10,312 30,000 291,100 0.02 12,300,348
YR42 12,267,691 840.62 10,312 30,000 13,278 0.00 12,280,969
YR43 13,769,132 748.96 10,312 30,000 59,448 0.00 13,828,580
YR44 16,261,498 634.17 10,312 30,000 149,905 0.01 16,411,403
YR45 12,703,043 813.09 10,329 30,047 123,040 0.01 12,826,083
Total 559,848,373 805.34 450,866 1,311,609 156,871,641 0.28 716,720,014

LHM = lithium hydroxide monohydrate

ppm = parts per million

t = tonne

yr = year

 

Table 13-16 45-Year Mining Quantities (tonnes)

 

Period Pit to Process Process to Tailings Process to Coarse Gangue Process to Backfill Waste to Backfill Waste to Waste Dump Total Material Moved
YR-1 - - - - - 6,597,966 6,597,966
YR1 3,293,071 987,921 2,305,150 - - 10,325,073 13,618,144
YR2 9,567,801 2,870,340 6,697,461 - - 12,432,199 22,000,000
YR3 15,207,636 4,562,291 10,645,345 - - 6,746,826 21,954,462
YR4 11,405,428 3,421,629 7,983,800 - - 5,954,140 17,359,569
YR5 15,644,817 4,693,445 10,951,372 - - 6,355,183 22,000,000
YR6 12,894,492 2,528,882 5,900,724 4,464,885 1,627,315 3,172,598 22,159,290
YR7 12,637,505 2,274,751 5,307,752 5,055,002 3,479,633 4,065,813 25,237,952
YR8 15,490,359 2,788,265 6,505,951 6,196,144 2,603,856 3,905,785 28,196,144
YR9 12,399,746 2,086,242 4,867,898 5,445,606 416,176 624,264 18,885,793
YR10 12,002,996 1,800,449 4,201,049 6,001,498 985,224 985,224 19,974,942
YR11 11,700,833 1,549,736 3,616,051 6,535,046 282,203 279,972 18,798,054
YR12 11,108,284 1,332,994 3,110,320 6,664,971 - - 17,773,255
YR13 14,046,014 2,188,329 5,106,101 6,751,584 2,456,037 3,577,716 26,831,351
YR14 14,608,718 1,008,002 2,352,004 11,248,713 132,543 39,591 26,029,564
YR15 11,835,947 634,306 1,480,048 9,721,592 1,839,374 414,322 23,811,235
YR16 11,421,775 513,980 1,199,286 9,708,508 9,244 1,631 21,141,158
YR17 13,317,946 1,200,819 2,801,911 9,315,217 2,928,886 2,703,587 28,265,636
YR18 14,424,246 2,077,091 4,846,547 7,500,608 485,537 448,188 22,858,579

 

barr.com
132

 

Period Pit to Process Process to Tailings Process to Coarse Gangue Process to Backfill Waste to Backfill Waste to Waste Dump Total Material Moved
YR19 12,189,414 1,755,276 4,095,643 6,338,495 195,535 180,494 18,903,938
YR20 11,138,068 1,603,882 3,742,391 5,791,795 - - 16,929,864
YR21 11,669,781 1,818,277 4,242,646 5,608,858 2,024,266 5,205,257 24,508,162
YR22 14,948,467 3,228,869 7,534,028 4,185,571 1,247,100 3,206,828 23,587,965
YR23 12,440,417 2,687,130 6,269,970 3,483,317 110,073 283,044 16,316,850
YR24 11,671,126 2,520,963 5,882,248 3,267,915 255,691 657,492 15,852,225
YR25 11,415,746 2,465,801 5,753,536 3,196,409 394,632 1,014,768 16,021,554
YR26 11,328,610 2,446,980 5,709,620 3,172,011 37,167 95,573 14,633,361
YR27 11,768,638 2,542,026 5,931,393 3,295,219 30,798 79,195 15,173,850
YR28 11,882,628 2,369,343 5,528,466 3,984,819 3,775,064 3,794,167 23,436,678
YR29 14,174,632 2,126,195 4,961,121 7,087,316 2,538,236 2,538,236 26,338,421
YR30 12,429,614 1,255,440 2,929,359 8,244,815 5,571,357 3,316,425 29,562,210
YR31 11,978,720 718,723 1,677,021 9,582,976 3,991,877 997,969 26,551,542
YR32 12,241,867 863,400 2,014,601 9,363,866 335,097 83,774 22,024,603
YR33 14,877,679 2,149,539 5,015,591 7,712,550 64,285 49,234 22,703,748
YR34 12,530,835 1,313,670 3,065,230 8,151,935 - - 20,682,770
YR35 11,237,767 1,000,005 2,333,345 7,904,418 66,133 16,533 19,224,851
YR36 11,195,052 2,955,269 6,895,628 1,344,154 1,015,048 8,958,274 22,512,528
YR37 11,920,177 2,797,771 6,528,132 2,594,274 1,300,789 8,779,034 24,594,274
YR38 12,516,442 2,337,600 5,454,399 4,724,443 1,359,317 2,612,224 21,212,426
YR39 12,468,694 2,232,847 5,209,976 5,025,870 1,318,089 1,977,133 20,789,785
YR40 11,805,773 1,770,866 4,132,021 5,902,887 441,279 441,279 18,591,218
YR41 12,009,248 1,528,402 3,566,271 6,914,575 145,550 145,550 19,214,923
YR42 12,267,691 743,212 1,734,162 9,790,317 7,967 5,311 22,071,287
YR43 13,769,132 826,148 1,927,678 11,015,306 47,558 11,890 24,843,886
YR44 16,261,498 975,690 2,276,610 13,009,198 119,924 29,981 29,420,601
YR45 12,703,043 762,183 1,778,426 10,162,435 98,432 24,608 22,988,518
Total 559,848,373 88,314,976 206,068,278 265,465,118 43,737,291 113,134,351 982,185,133

yr = year

 

The mining operation is responsible for moving ore, waste, tailings, and coarse gangue materials to different locations. There are six material movements that occur throughout the LOM. They are pit to process (stockpile), process to tailings, process to coarse gangue, process to in-pit backfill, waste to in-pit backfill, and waste to dump. A conveyor system is used to convey materials to tailings and coarse gangue. A conventional truck and loader is used to move materials for the rest. A truck cycle time study was conducted based on haulage profiles created using Vulcan software as shown in Figure 13-12 and Figure 13-13. The truck fleet size is based on the total truck hours from the LOM plan.

 

barr.com
133

 

 

Figure 13-12LOM Material Movements

 

 

Figure 13-13LOM Truck Hours

 

The ultimate pit design (Year 45) is shown in Figure 13-6, while additional pit progressions are shown as Figure 13-14 through Figure 13-19, starting with Phase 1. The pit will be backfilled as space allows throughout the mine life, while tailings, coarse gangue, and waste dump will be built as mining progresses.

 

barr.com
134

 

 

Figure 13-14Tonopah Flats Phase 1 Mining (Year 5)

 

barr.com
135

 

 

Figure 13-15Tonopah Flats Phase 2 Mining and Backfill (Year 7)

 

barr.com
136

 

 

Figure 13-16Tonopah Flats Phase 3 Mining and Backfill (Year 13)

 

barr.com
137

 

 

Figure 13-17Tonopah Flats Phase 4 Mining and Backfill (Year 17)

 

barr.com
138

 

 

Figure 13-18Tonopah Flats Phase 5 Mining and Backfill (Year 21)

 

barr.com
139

  

 

Figure 13-19Tonopah Flats Phase 6 Mining and Backfill (Year 28)

 

barr.com
140

 

 

Figure 13-20Tonopah Flats Phase 7 Mining and Backfill (Year 37)

 

13.8Mine Equipment

 

Mine production will utilize conventional open-pit mining methods, including drilling, blasting, loading, and hauling. Mining will be conducted on 10 m benches, with well-designed phases or pushbacks to enhance mining efficiency. The equipment selected for this project will support mine production, site developments, ore handling, and tailings handling. Equipment selection and requirements are based on the mine design, planned production rates, and site development activities. While the following subsections provide details of the LOM mining equipment, the information related to ore and tailings handling equipment is presented separately in the ROM and tailings section of this report. Pre-stripping activities include a small portable crusher and a screening plant, which has been accounted for in the capital expenditure (CAPEX) estimates.

 

barr.com
141

 

Table 13-17Major Mining Equipment – Maximum Units Required

 

Major Equipment YR -1 YR
1-2
YR
3-5
YR
6-10
YR
11-20
YR
21-30
YR
31-40
YR
41-45
Maximum
Hydraulic Face Shovel – 20 m3 1 2 2 2 2 2 2 2 2
Frontend Loader – 20 m3 1 2 2 2 2 2 2 2 2
Haul Truck – 141-t / 99 m3 6 12 13 20 20 23 26 24 26
Production Drill - 115 mm 1 1 1 1 1 1 1 1 1
Motor Grader – 32 t / 216 kW 1 2 2 3 3 3 3 3 3
Water Truck - 75,000 liters 1 2 2 3 3 3 3 3 3
Wheel Dozer (RTD) – 46 t / 336 kW 1 2 2 2 2 2 2 2 2
Track Dozer – 70 t / 462 kW 2 3 3 5 5 5 5 5 5
Hydraulic Excavator - 4.6 m3 1 1 1 1 1 1 1 1 1
Fuel/Lube Truck – 5,675 liters 1 1 1 1 1 1 1 1 1
Dewatering Pumps – 152 m head 1 1 1 1 1 1 1 1 1
Total Major Equipment 17 29 30 41 41 44 47 45 47

kW = kilowatt

m = meter

m3 = cubic meters

mm = millimeter

RTD = rear tow device

t = tonne

yr = year

 

13.8.1Drilling and Blasting

 

Given the soft nature of the rock in the project area, drilling and blasting requirements are expected to be minimal, accounting for approximately 5% of the clay material. Drilling will be self-performed by the owner while blasting and explosives handling will be managed by a specialized explosives contractor. Blasting is neither planned nor required for the overburden, as it is made of alluvial material.

 

Production drilling will be conducted using a 115 mm diameter drill on 10 m benches. Table 13-18 and Table 13-19 show drilling productivity by material type, the number of drills required, the average and total drill output.

 

Table 13-18Drilling Productivity

 

Parameter Unit Ore Waste Rock Wall Control
Hole Diameter millimeter 115.0 115.0 115.0
Penetration Rate meter / hour 38.2 37.4 37.4
Hole Length meter 11.2 11.2 20.0
Drilling Time per Hole minute / hole 17.6 17.9 32.1
Non-Drilling Time per Hole minute / hole 2.0 2.0 3.6
Total Time per Hole minute / hole 19.6 19.9 35.6
Drilling Productivity meter / hour 34.3 33.7 33.7

 

barr.com
142

 

Table 13-19Drilling Productivity by Period

 

Description / Period YR -1 YR
1-2
YR
3-5
YR
6-10
YR
11-20
YR
21-30
YR
31-40
YR
41-45
Average / Total
Production Drills 1 1 1 1 1 1 1 1 1
Pioneering Drills - - - - - - - - -
Average Feet Drilled 3,470 32,611 57,672 43,706 37,939 38,784 39,315 38,271 39,391
Average Meters Drilled 1,058 9,940 17,578 13,322 11,564 11,821 11,983 11,665 12,006
Average Hours - NOH 93 906 1,640 1,248 1,095 1,110 1,127 1,113 1,129
Total Feet Drilled 3,470 65,221 173,015 218,532 379,392 387,836 393,147 191,353 1,811,968
Total Meters Drilled 1,058 19,880 52,735 66,609 115,639 118,212 119,831 58,324 552,288
Total Hours - NOH 93 1,811 4,919 6,238 10,954 11,099 11,273 5,567 51,953

NOH = Net Operating Hours

yr = year

 

Blasting at this mine will primarily be done with a mixed explosive consisting of a 70/30 blend of emulsion and ANFO (ammonium nitrate fuel oil). The selected explosives contractor will be responsible for the manufacturing and delivery of explosives and blasting accessories. Blastholes loading and blasting will be a joint effort performed by both the owner and the explosives contractor. Table 13-20 and Table 13-21 present the blasting parameters (burden, spacing, etc.,) by material type, the targeted tonnages to be blasted, and the estimated quantities of explosives and blasting accessories required to meet those targets.

 

Table 13-20Blasting Patterns and Powder Factors

 

Parameter Unit Ore Waste-Rock Wall Control
Bench Height meter 10.0 10.0 20.0
Sub Drill meter 1.2 1.2 0.0
Hole Length meter 11.2 11.2 20.0
Hole Diameter millimeter 115.0 115.0 115.0
Burden meter 3.2 3.2 3.2
Spacing meter 4.0 4.0 4.0
Powder / Hole kilogram / hole 116.8 116.8 234.7
Powder Factor kilogram / tonne 0.58 0.59 0.59

 

barr.com
143

 

Table 13-21Blasting and Explosives by Period

 

Description / Period YR -1 YR
1-2
YR
3-5
YR
6-10
YR
11-20
YR
21-30
YR
31-40
YR
41-45
Average / Total
Average Blasted, t 60,401 562,587 1,021,887 769,105 668,125 707,251 702,644 676,474 701,290
Average ANFO, t 9 39 151 118 103 105 106 104 107
Average Emulsion, t 22 91 353 276 240 245 248 242 249
Average Boasters 0.45 kg 310 1,287 4,996 3,902 3,387 3,463 3,510 3,417 3,517
Average Detonators, No. 310 1,287 4,996 3,902 3,387 3,463 3,510 3,417 3,517
Total Blasted, t 60,401 252,641 3,938,195 3,845,523 6,681,251 7,072,513 7,026,437 3,382,369 32,259,331
Total ANFO, t 9 39 606 591 1,027 1,050 1,064 518 4,903
Total Emulsion, t 22 91 1,413 1,380 2,396 2,449 2,482 1,208 11,441
Total Boasters 0.45 kg 310 1,287 19,985 19,512 33,874 34,628 35,102 17,085 161,783
Total Detonators, No. 310 1,287 19,985 19,512 33,874 34,628 35,102 17,085 161,783

ANFO = Ammonium Nitrate Fuel Oil

t = tonne

yr = year

 

13.8.2Loading and Hauling

 

A fleet of 20 m3 hydraulic shovels and 20 m3 front-end loaders, along with 141-t haul trucks were selected for loading and hauling operations based on the results of an equipment trade-off study. This fleet will be used for handling ore and waste, transporting backfill tailings from the refinery to the backfill dumps, and moving reclamation materials. Table 13-22 summarizes the productivity and other key parameters of both the loading units and haul trucks. The required fleet size, hourly productivity, and operating hours for each loading and hauling unit are provided in Table 13-24. This project will incorporate the services of a mine dispatch system for real-time production optimizations.

 

Table 13-22Loading and Hauling Productivity

 

Parameters Shovel-Truck Loader-Truck
Material Bank Specific Gravity (sg) 1.510 1.510
Estimated Bucket Fill Factor (%) 95.0% 95.0%
Estimated Bucket Payload (t) 29 29
Rated Truck Payload (t) 142 142
Number of Passes/Truck (decimal) 5.5 5.5
Effective Passes Per Truck (No.) 6.0 6.0
Effective Truck Payload - Wet (t) 135 135
Loading Cycle Time (minutes) 3.5 4.5
Travel Time - Loaded (minutes) 12.1 12.1

 

barr.com
144

 

Parameters Shovel-Truck Loader-Truck
Travel Time - Empty (minutes) 8.1 8.1
Total Cycle Time (minutes) 25.2 26.2
Available Hours Per Day (h/day) 17.8 17.8
Shovel-Loader Availability (%) 85% 85%
Shovel-Loader Utilizations (%) 85% 85%
Shovel-Loader NOH Per Year (h/yr) 4,067 4,067
Maximum Production - Shovel-Loader (tph) 2,320 1,804
Shovel-Loader Operating Efficiency (%) 90% 90%
Effective Production - Shovel-Loader (tph) 2,088 1,624
Effective Production - Shovel-Loader (tpa) 8,490,515 6,603,734
Truck Availability (%) 85% 85%
Truck Utilizations (%) 85% 85%
Truck NOH Per Year (h/yr) 4,067 4,067
Maximum Production - Truck (tph) 322 310
Truck Operating Efficiency (%) 90% 90%
Effective Production - Truck (tph) 290 279
Effective Production - Truck (tpa) 1,179,238 1,134,229

% = percent

h = hours

sg = specific gravity

t = tonne

tpa = tonnes per year/annum

tph = tonnes per hour

yr = year

 

In addition to loading time, the productivity of the loading units and trucks includes waiting, maneuvering, and unproductive time. Although the shovel has a faster loading time and higher productivity, the front-end loader offers greater mobility and flexibility, thereby enabling it to move easily between the active mining areas, which is essential for selective mining to maintain consistent ore grades. The loading fleet will also be used to strip waste (when possible), load overburden and topsoil, pit clean up, feed ROM, and support road construction.

 

barr.com
145

 

Table 13-23Truck Speed Limits and Grade-Speed Bin

 

Road Segment and Grade Loaded Uphill (kph) Empty Uphill (kph) Loaded Downhill (kph) Empty Downhill (kph)
Max Speed 40.0 40.0 40.0 40.0
Flat 30.0 30.0 30.0 30.0
2% 15.0 15.0 20.0 20.0
4% 15.0 15.0 20.0 20.0
6% 15.0 15.0 20.0 20.0
8% 11.5 15.0 20.0 20.0
10% 10.0 15.0 20.0 20.0
12% 6.0 15.0 14.9 20.0

kph = kilometers per hour

 

As previously mentioned, haul truck productivity is influenced by travel times, among other factors. To estimate travel times for hauling ore, waste, and tailings, various haulage profiles were developed for the 141-t truck. These profiles were created for each mining bench, by phase, to all the potential destinations. Table 13-23 outlines the grade-speed bin, and the haul truck speed limits used to reflect actual operating conditions within the haul profiles. These profiles were integrated into haulage-simulation software and a route-estimation model to calculate individual travel times for each bench in every pushback. These travel times combined with loading times, were used to determine total cycle times, which were subsequently incorporated into the mine's production estimates.

 

Table 13-24Average Load-Haul Units and Productivity by Period

 

Description / Period YR -1 YR
1-2
YR
3-5
YR
6-10
YR
11-20
YR
21-30
YR
31-40
YR
41-45
Average
Shovel - 20 m3: Average Quantity 1 2 2 2 2 2 2 2 2
Shovel - 20 m3: t/NOH 2,088 2,124 2,243 2,168 2,211 2,223 2,198 2,168 2,197
Shovel - 20 m3: NOH/yr 1,376 4,421 4,693 5,387 5,160 4,676 4,996 5,665 4,954
Loader - 20 m3: Average Quantity 1 2 2 2 2 2 2 2 2
Loader - 20 m3: t/NOH 1,624 1,680 1,694 1,712 1,713 1,732 1,721 1,688 1,711
Loader - 20 m3: NOH/yr 2,294 5,038 5,886 6,520 6,267 5,904 6,341 6,829 6,128
Truck – 141-t: Average Quantity 6 11 13 16 17 17 23 21 18
Truck – 141-t: t/NOH 330 515 455 371 334 313 241 277 323
Truck – 141-t: NOH/yr 19,851 34,743 44,913 62,128 66,208 65,474 90,987 85,454 69,319

m3 = cubic meter

NOH = Net Operating Hours

t = tonne

yr = Year

 

barr.com
146

 

13.8.3ROM Ore Handling

 

Ore extracted from the mine will be transported to the ROM pile located on the east side of the processing mill/refinery. This lithium-bearing ore will be fed into the ROM hopper by loading units and conveyed to the feeder-sizer, which will reduce the material to the target size for beneficiation and further refining processes. Table 13-25 shows the required ROM ore handling equipment for this project.

 

Table 13-25Feed Handling Equipment By Period

 

ROM Ore Handling Equipment YR -1 YR
1-2
YR
3-5
YR
6-10
YR
11-20
YR
21-30
YR
31-40
YR
41-45
Maximum
Front-end Loader - 20 m3 - 2 2 2 2 2 2 2 2
Feeder-Sizer Assembly - 1 1 1 1 1 1 1 1
ROM Ore Handling Equipment - 3 3 3 3 3 3 3 3

m3 = cubic meters

 

13.8.4Tailings And Coarse Gangues Handling

 

As detailed in chapter 14, the oversized barren lithium material generated from the attrition scrubbing process is removed and conveyed to the coarse gangue dump, where it is combined with other tailings streams. The coarse gangue dump will be enclosed by a perimeter berm constructed to a height of 10 m with side slopes of 2.5:1 (horizontal:vertical) to ensure operational safety and containment. Table 13-25 shows the estimated for feed handling while the estimated equipment for coarse gangues handling is shown in Table 13-26.

 

Additionally, dry-stack tailings produced from the refining process will be transported via conveyors to the TSF. The tailings will be placed within the TSF using grasshopper conveyors that feed a stacking conveyor for efficient placement. The TSF will be contained by a perimeter berm constructed to a height of 10 m with side slopes of 2.5:1 (horizontal:vertical) to ensure or maintain structural stability and safe containment.

 

A bulldozer is used for compaction and final contouring of both the coarse gangue and tailings dumps. As sections of the open-pit are mined out, the tailings and coarse gangue material will be redirected to the pit for in-pit backfilling. Table 13-26 presents the equipment required for both the coarse gangue and tailings handling operations.

 

barr.com
147

 

Table 13-26Tailings Handling Equipment By Period

 

Tailings Handling Equipment YR -1 YR
1-2
YR
3-5
YR
6-10
YR
11-20
YR
21-30
YR
31-40
YR
41-45
Maximum
CG Conveyor 1:
size =1.2 m x 35 m
- 1 1 1 1 1 1 1 1
CG Conveyor 2:
size = 1.2 m x 414 m
- 1 1 1 1 1 1 1 1
CG Conveyor 3:
size = 1.2 m x 670 m
- 1 1 1 1 1 1 1 1
CG Conveyor 4:
size = 1.2 m x 1400 m
- - 1 1 1 1 1 1 1
REF Conveyor 1R:
size = 1.2 m x 35 m
- 1 1 1 1 1 1 1 1
REF Conveyor 2R:
size = 1.2 m x 414 m
- 1 1 1 1 1 1 1 1
REF Conveyor 3R:
size = 1.2 m x 519 m
- 1 1 1 1 1 1 1 1
CG Conveyor:
size = 1.0 m x 35 m
- 28 57 57 57 57 57 57 57
CG Stacker - 2 2 2 2 2 2 2 2
Total Tailings Handling Equipment - 36 66 66 66 66 66 66 66

CG = coarse gangue

m = meter

REF = Refinery

 

13.8.4.1Tailings Storage Facility

 

The TSF will be enclosed by a perimeter berm constructed to a height of 10 m with side slopes of 2.5:1 (horizontal:vertical) to ensure operational safety and containment.

 

13.8.5Support and Service Equipment

 

The support and service equipment play a vital role in the effective execution of daily mining, processes, and site development activities. This equipment includes graders, water trucks, rubber-tire dozers, track dozers, excavators, fuel/lube trucks, dewatering pumps, mechanic service trucks, backhoes, snow sand truck, light plants, skid-steers, and other units. A detailed list of this equipment, along with the required quantities, is provided in Table 13-27. Key tasks performed by this support fleet include:

 

Construction and maintenance of roads

 

Bench prep and build safety berms

 

Shovel and loader support/cleanup

 

Building waste management facility

 

Support tailings management facility

 

barr.com
148

 

Build and support coarse gangue dump

 

Stockpile construction/maintenance

 

Backfill construction/maintenance

 

Blasting support and cleanup work

 

Support and service field equipment

 

Pioneering and phase development

 

Dust control and water for drills, etc.

 

Ditch construction and maintenance

 

Build sediment ponds and ROM pad

 

Reclamation and closure activities

 

Table 13-27Support and Service Equipment-Maximum Units Required

 

Support Equipment YR -1 YR
1-2
YR
3-5
YR
6-10
YR
11-20
YR
21-30
YR
31-40
YR
41-45
Maximum
Sand Truck – 37-t 1 1 1 1 1 1 1 1 1
Light Plant - PL80 4 7 7 10 10 10 10 10 10
Small Backhoe/Loader 1 1 1 1 1 1 1 1 1
Lowboy – 91-t 1 1 1 1 1 1 1 1 1
Oper Skid Steer - S510 1 1 1 1 1 1 1 1 1
Mechanic Service Truck 1 2 2 2 2 2 2 2 2
Tire Handler Truck 1 1 1 1 1 1 1 1 1
Crane – 100-t 1 1 1 1 1 1 1 1 1
Telehandler – 13-t 1 1 1 1 1 1 1 1 1
Forklift – 10-t 1 1 1 1 1 1 1 1 1
Maintenance Fuel/Lube Truck 1 1 1 1 1 1 1 1 1
Maintenance Flatbed Trailer 1 1 1 1 1 1 1 1 1
Maintenance Skid Steer - S510 1 1 1 1 1 1 1 1 1
Total Support Equipment 16 20 20 23 23 23 23 23 23

t = tonne

 

13.9Mine Personnel

 

The staffing plan for the mine is designed to support continuous, year-round operations, 24 hours per day, and 7 days per week, including salaried and hourly personnel. A total of 196 employees are planned for a typical full production year—comprising of 25 salaried and 171 hourly—distributed across key mining functioning areas including mine operations, maintenance, technical services, and administration. Both mine operations and maintenance staff will work rotating shifts to ensure full coverage, while the technical services team will provide specialized support. Details of the mining staffing requirements are outlined in Table 13-28. In addition, contract personnel will provide supplementary services such as blasting, major equipment repairs or overhaul, consulting, environmental services, and other specialized tasks.

 

barr.com
149

 

Table 13-28Mining Labor Requirements

 

Job Title / Designation Staff
Non-Crew
Prod Crew A Prod Crew B Prod Crew C Total Staff
Mine Manager 1 - - - 1
Mine Clerk 1 - - - 1
Mine Clerk Assistant 1 - - - 1
Subtotal - Mine Administration 3 - - - 3
Mine Operations Superintendent/Manager 1 - - - 1
Mine/Plant Supervisor - 1 1 1 3
Mine/Plant Assistant Supervisor - 2 2 2 6
Superintendent/Utility Supervisor - 2 2 2 6
Driller - 1 1 1 3
Shovel Operator - 2 2 2 6
Loader Operator - 2 2 2 6
Truck Driver - 26 26 26 78
Support/Utility Operator - 1 1 1 3
Loader Operator - Run-of-Mine - 2 2 2 6
Crusher/Feeder/Sizer Operator - 1 1 1 3
Utility Operator – Run-of-Mine/Tailings - 1 1 1 3
Ore/Tailings Handling Assistant Supervisor - 1 1 1 3
Subtotal - Mine Operations 1 42 42 42 127
Mine Maintenance Superintendent/Manager 1 - - - 1
Mine Maintenance Senior Planner 2 - - - 2
Maintenance/Electrical Supervisor - 1 1 1 3
Field Mechanic - 3 3 3 9
Oiler/Fuel Truck - 2 2 2 6
Shop Mechanic - 5 5 5 15
Mine Maintenance Clerk - 1 1 1 3
Mine Electrician - 1 1 1 3
Heavy Equipment Mechanic 1 2 2 2 7
Subtotal - Mine Maintenance 4 15 15 15 49

 

barr.com
150

 

Job Title / Designation Staff
Non-Crew
Prod Crew A Prod Crew B Prod Crew C Total Staff
Technical Services Superintendent/Manager 1 - - - 1
Senior Mine Engineer 1 - - - 1
Senior Geotechnical Engineer 1 - - - 1
Dispatch Engineer 3 - - - 3
Mining Engineer 2 - - - 2
Chief Geologist 1 - - - 1
Senior Geologist 1 - - - 1
Mine Geologist 1 - - - 1
Senior Surveyor 1 - - - 1
Surveyor/Survey Technician 4 - - - 4
Technical Service Technicians 1 - - - 1
Subtotal - Technical Services 17 - - - 17
Grand Total – Life-Of-Mine Mining 25 57 57 57 196

 

13.10Reclamation and Closure

 

This project will include both concurrent reclamation during the LOM and final reclamation following the completion of mining operations. Upon the cessation of mining activities, the site will transition into final reclamation and closure activities. It is assumed that final reclamation will be completed using the existing equipment fleet that supported the mining operation. Based upon the implementation of concurrent reclamation throughout the LOM, it is assumed that the demolition and most of final reclamation activities will be completed in approximately one year.

 

The refinery, all facilities, foundations, etc., will be demolished and removed, or broken up and buried in place as applicable. The debris will be disposed of in the final pit and covered in accordance with the State of Nevada mining regulations. Haul roads, access roads, and facility pads will be ripped and regraded to approximate original contours. The WRSF, TSF, coarse gangues dump, and backfilled dumps will be built to design, and reclaimed in accordance with an agency-approved reclamation plan that complies with federal and state regulations for closure and reclamation.

 

Results of a Meteoric Water Mobility Procedure (MWMP) analyses indicate some potential for constituent leaching from material sampled. Aluminum, arsenic, beryllium, fluoride, iron, lead, manganese, pH, sulfate, total dissolved solids, and uranium were observed in concentrations greater than the Nevada Division of Environmental Protection (NDEP) reference values for drinking water in one or more samples. The concentrations of elements observed are not unusual for the alkaline, high-clay content soils in the project area and Nevada in general. Arsenic, in particular, is endemic and pervasive in Nevada soils.

 

Results of an Acid-Base Accounting (ABA) analyses on ore and alluvium are universally good with high ratios of Acid Neutralization Potential to Acid Generation Potential (ANP:AGP). The probability of acid generation from ore and alluvium is very low. Special handling of tuffaceous marker bed material may be warranted due to lower pH (5.83) and potentially marginal ratio of 1.3:1 ANP:AGP. Geochemical analyses are ongoing with additional ore samples currently undergoing MWMP and ABA analyses. Tailings analyses are planned as the proposed humidity cell testing may be undertaken pending evaluation of comprehensive results by the NDEP Bureau of Mining Regulation and Reclamation (BMRR) and the BLM.

 

Topsoil or alluvium growth medium material salvaged during operations will be spread on the regraded areas where additional growth medium is required to establish vegetation. All areas will be reseeded with an agency approved seed mix in accordance with reclamation permit requirements. Final reclamation monitoring and maintenance are assumed to be required and have been incorporated into the mine’s operating cost estimate, for a ten-year period following the completion of reclamation activities.

 

barr.com
151

 

14    Processing and Recovery Methods

 

14.1Introduction

 

ABTC and third-party consultant Woods have prepared this PFS chapter. Test work discussed in Chapter 10 of this report developed the basis for the process block flow diagram as shown in Figure 14-1 and defined in the high-level process design criteria (Table 14-3) used for the beneficiation and refining plant development.

 

The refining process presented here has been developed using industry-standard, commercially proven unit operations. The block flow diagram provides the basis for operating costs presented in this report. ABTC has designed and is currently piloting its own internally developed proprietary process for producing battery-grade LHM from claystone feed material and intends to detail the performance of this system in future reports.

 

The commercial processing plant will produce battery-grade LHM from lithium claystone supplied by ABTC’s Tonopah Flats mine. The beneficiation and refining facility is designed to process 11.9 Mtpa of claystone and have an overall production capacity of 30,000 tpa of LHM. The refinery will be constructed in three phases. The first phase is designed to produce 5,000 tpa of battery-grade LHM. The second and third phase refinery expansions are each designed to produce 12,500 tpa of battery grade LHM. Figure 14-1 illustrates the block flow diagram highlighting the major processing steps.

 

 

Figure 14-1ABTC’s Process Block Flow Diagram

 

barr.com
152

 

The Tonopah Flats plant is designed to include:

 

Comminution and Screening

 

Beneficiation

 

Pretreatment and Extraction

 

Impurity Removal and Concentration

 

Impurity Crystallization

 

Sulfate Crystallization

 

Lithium Hydroxide Conversion

 

Tailings Management

 

Utilities

 

14.2ABTC’s Pilot-Scale Plant

 

ABTC has successfully designed, installed, commissioned, and operated a pilot plant (approximately 5 tpd claystone capacity) to inform the design of the commercial refinery process. The pilot was designed in the first half of calendar year 2023, installed during the fourth quarter of 2023 and into the first quarter of 2024, then commissioned and operated throughout 2024. In early 2025, the pilot line was operated continuously for two weeks to demonstrate the robustness of the process, selection of equipment, reliability, and consistency of the individual process unit operations.

 

14.2.1Pertinent Results

 

ABTC’s lithium pilot-scale plant was designed, built, and commissioned by its in-house engineering team. The design includes both manual and continuous processes to demonstrate process conditions as well as cost metrics at this scale. The pilot plant is controlled by an in-house supervisory control and data acquisition (SCADA) system, including process monitoring/control, data collection, and analysis tools. Validation of the process was achieved in collaboration of ABTC’s analytical lab team, who performed regular quality analysis of in-process samples.

 

To date, the pilot plant has processed over 50 t of claystone and generated kilogram-level samples of LHM product that meet battery grade specifications, as shown in Figure 10-9. Feedstock for these pilot scale trials was provided directly from ABTC’s Tonopah Flats resource and is representative of the expected feed to the commercial scale process facilities in Li composition, deleterious element content, as well as physical condition (moisture, debris, particle size). It is the QP’s opinion that the pilot plant feed utilized in runs is an adequate representation of the deposit.

 

14.2.2Key Findings and Scale-Up Differences

 

Various learnings applied to the commercial scale-up effort are detailed below.

 

barr.com
153

 

14.2.2.1Differences Between Pilot and Commercial Scale

 

Due to various design considerations, some process steps were operated at conditions different than what would be expected on a commercial scale. These are detailed below:

 

Table 14-1Differences Between Pilot and Commercial Scale

 

Step Pilot Commercial Comment
Centrifuges Manual/Batch Continuous Continuous centrifuges are not suitable for pilot-scale throughputs. Manual basket centrifuges are typical for characterizing the process and solid product for scale-up.
Precipitation Batch Continuous In-line quality analysis to enable continuous precipitation intended at pilot scale but not yet validated. Batch-wise operation of single filter press upstream at pilot scale limits continuous operation of precipitation.
Evaporation Steam-Driven + Vacuum MVR MVRs are not cost- or timeline-effective at pilot scale. Evaporation at pilot scale occurs at a lower temperature and vacuum than MVR conditions.
Ion Exchange (IX) Regeneration Offline Online IX beds regenerated with offline reagent system, at commercial scale will be managed with automated carousel operation.
LHM Product Crystallization 1-step w/ manual reprocessing 2-Step (Crude, Pure) To achieve product quality, the pilot system utilized a single-stage crystallization system with manual redissolution/washing and reprocessing for any subsequent stages.

MVR = Mechanical vapor recompression

 

14.2.2.2Key Findings

 

Pilot scale operations have resulted in observation of multiple available design enhancements, some of these are detailed below:

 

Table 14-2Design Requirements Not Previously Identified

 

Step Process Parameter Comment
Monovalent Impurity Removal pH Control pH control of PLS in the recirculation loop is critical to ensure proper removal of impurities
Ion Exchange Resin Type Impurity buildup identified at levels that could affect downstream processes – additional resins specified to keep these below problematic levels.
Distillate Recovery Quality Evaporator operation has a large impact on distillate quality. Poor distillate quality is unsuitable for re-use in high-purity applications (e.g., product washing). Continuous quality monitoring and evaporator equipment improvements should be added upon diagnosis of poor distillate quality; polishing bed recommended for commercial scale.
Water Imbalance Tank Size/Level Control Arrangement/size of leach, precipitation, and recycle water tanks may lead to an imbalance. Recommend commercial sizing increase to prevent blockage/bottleneck due to provisional location of water volume in the process.

PLS = pregnant leach solution

 

barr.com
154

 

14.3High Level Design Criteria

 

The Process Design Criteria is presented in Table 14-3. Although much of the following portions of Chapter 14 are written in the present tense, the text herein refers to the proposed or planned process, of the future, rather than any existing infrastructure or process arrangement as of the effective date of this report.

 

Table 14-3High Level Process Design Criteria

 

Parameter Unit Nominal
General
Life of Mine year (yr) 45
Plant Design Lithium Hydroxide Production (Total) tonnes per annum (tpa) 30,000
Phase 1 Lithium Hydroxide Production tonnes per annum (tpa) 5,000
Phase 2 Lithium Hydroxide Production tonnes per annum (tpa) 12,500
Phase 3 Lithium Hydroxide Production tonnes per annum (tpa) 12,500
Crushing Plant
Run of Mine (ROM)
Feed Specific Gravity - 2.69
Bond Abrasion Index grams (g) 0.5
Bond Ball Work Index kilowatt-hour per tonne (kWh/t) 7.18
Unconfined Compressive Strength (UCS) megapascal (MPa) 21
ROM Moisture percent (%) 15
Design ROM Lithium Grade parts per million (ppm) 742
Throughput – Phase 1
Annual Crushing Throughput tonnes per annum (tpa) 2,300,000
Crushed Material Size P100 millimeter (mm) 25
Beneficiation
Throughput – Phase 1
Annual Beneficiation Throughput tonnes per annum (tpa) 2,300,000
Hourly Throughput tonnes per hour (tph) 290
Planned Beneficiation Effective Utilization percent (%) 90.3
Planned Beneficiation Operating Hours, Annual hours (h) 7,906
Beneficiation Concentrate – Phase 1
Claystone Concentrate Produced Hourly tonnes per hour (tph) 90
Lithium grade parts per million (ppm) 2090
Lithium recovery percent (%) 79.30
Lithium Extraction and Purification
Nominal Lithium Extraction percent (%) 67.4
Nominal Lithium Recovery-Purification/Conversion percent (%) 93.3

 

barr.com
155

 

14.4Comminution and Screening

 

 

Figure 14-2Comminution and Screening Flow Diagram

 

The mine will deliver lithium claystone feed mined by a hydraulic shovel and transported by haul truck to the ROM hopper. The apron feeder conveys the mineralized material out of the ROM hopper to the vibrating grizzly for preliminary sizing. The oversized material discharges to the sizer while the undersize discharges to the beneficiation transfer conveyor. The sizer reduces the mineralized material and discharges it to the beneficiation transfer conveyor for deagglomeration in the attrition scrubber at the refinery.

 

The beneficiation transfer conveyor deposits sized material into a ROM hopper at the feed to the refinery. This ROM hopper feeds material into the attrition scrubber, where recycled process water is added. Overflow from the attrition scrubber is discharged to the scalping screen, where the oversized barren lithium material is removed and conveyed to a coarse gangue dump, which will be combined with other tailings streams.

 

barr.com
156

 

14.5Beneficiation

 

 

Figure 14-3Beneficiation Flow Diagram

 

The underflow slurry from the scalping screen is collected in a pump box where additional process water is added to adjust the slurry pulp density to its optimal condition for classification using hydrocyclones. The classification circuit consists of two hydrocyclone clusters fed in series. Overflow from the first hydrocyclone cluster (hydrocyclone #1) is discharged into the hydrocyclone overflow collection tank. The underflow is discharged to a pump box that feeds the second hydrocyclone cluster (hydrocyclone #2). Additional recycled process water is added to the pump box to adjust the slurry pulp density. Overflow from hydrocyclone #2 is combined with the overflow from hydrocyclone #1 in the hydrocyclone overflow collection tank. Underflow from hydrocyclone #2 is pumped to the beneficiation tailings filter feed tank. The hydrocyclone overflow collection tank gravity feeds the hydroclassifier. In the hydroclassifier, the coarse feed settles to the bottom, and the lithium-rich fine solids stay suspended and report to the hydroclassifier overflow. Underflow from the hydroclassifier is pumped to the beneficiation tailings filter feed tank, where it combines with the hydrocyclone underflows. This slurry is filtered in a set of filter presses, and the cake is sent to the tailings backfill pile. Filtrate is recycled back to the beneficiation process.

 

barr.com
157

 

 

Figure 14-4Filter Press Flow Diagram

 

The hydroclassifier overflow is sent to the concentrated claystone filter feed tank, which is then pumped to a set of filter presses. The solid cake is collected and conveyed to the agglomeration hopper, and the filtrate is recycled back to the beneficiation process.

 

14.6Extraction

 

 

Figure 14-5Extraction Flow Diagram

 

The beneficiated claystone is stored in the agglomeration hopper and transferred to the briquetter via the briquetter feed conveyor. Recycled and fresh reagents are also added to the briquetter feed conveyor where they are combined with the beneficiated claystone.

 

barr.com
158

 

Due to variable onsite electrical generation, transmission capacity constraints, and the requirements for this step, the feed rate of claystone will be modulated to reduce demand whenever electricity supply is constrained. Feed rate during periods of high-power constraints may be as low as a quarter of the continuous design rate, while the “surge” rate during minimal power constraints may exceed nominal plant design rates to achieve the net daily production rate. The opportunity to optimize equipment operation during the daily power cycles will be investigated in the next phase of design.

 

The pretreated beneficiated claystone is discharged, where it is converted to a slurry by adding process water. The slurry is then pumped to the leach circuit, and during surge production, excess converted claystone will be stored locally in order to maintain a constant feed rate to the downstream refinery. Pretreated claystone storage logistics and arrangement will be investigated in the next phase of design.

 

 

Figure 14-6Thickener and Leaching Flow Diagram

 

The leach circuit consists of three agitated tanks (TNK-3125-01/2/3) operating in a cascading overflow fashion. The retention time in each tank is fifteen minutes. This slurry is then sent to a countercurrent decantation (CCD) circuit of three thickeners in series (TNK-3130-01/2/3), the underflow of each, feeding into the next.

 

The leached slurry from the 3rd CCD underflow is pumped to the leach filter feed tank (TNK-3130-04) for processing to recover the PLS. The leach filter feed tank feeds a recessed plate filter (FP-3130-01) to separate the solid phase from the aqueous phase. The PLS is advanced to the precipitation circuit for impurity removal. Once the filter is full, the slurry feed to the filter is stopped and wash water is added to the filter to recover interstitial fluid remaining in the filter cake to recover additional lithium. The wash water is recovered and recycled to the leach/CCD circuit to lower water consumption and reduce lithium losses.

 

barr.com
159

 

14.7Impurity Removal and Concentration

 

 

Figure 14-7Precipitation Flow Diagram

 

Following the leach circuit, the PLS is fed to a series of three cascading tanks (TNK-3140-01/2/3) where metal impurities are precipitated out through a series of reagent additions by the addition of a recycled hydroxide solution from the LiOH crystallizer, soda ash, and ferrous sulfate. The discharge from the last precipitation tank is pumped to the precipitation filter for processing.

 

The precipitation filter feed tank (TNK-3140-04) feeds a candle filter (FLT-3140-01) to remove the fine precipitates and recover the PLS. Filtrate is collected in the PLS reverse osmosis feed tank (TNK-3140-05) prior to concentration in the reverse osmosis (RO) circuit. The filter cake, comprised of carbonates and hydroxides of calcium, strontium, magnesium, etc., is washed with process water to recover entrained PLS and the wash water is recycled to the quench tank to minimize lithium losses.

 

 

Figure 14-8Osmosis Flow Diagram

 

The pH of the PLS is adjusted prior to pumping it through a RO membrane (RO-3140-01) to concentrate the dissolved salts and lower the energy requirement on the downstream crystallizer. The permeate from the reverse osmosis unit is collected and recycled as process water to reduce net water consumption and recover any lithium that may report to the permeate stream. The concentrate is collected in the monovalent crystallizer feed tank (TNK-3150-01).

 

barr.com
160

 

14.8Impurity Crystallization

 

 

Figure 14-9Crystallizer Flow Diagram

 

The concentrated PLS is then further processed in the impurity crystallizer circuit (CRY-3150-01) to remove the bulk of impurities by mechanical vapor recompression crystallization. The evaporative crystallizer and cooling crystallizer series are operated at conditions to minimize the loss of lithium to the crystal phase. Discharged slurry from the evaporative crystallizer is then filtered through a pusher style centrifuge, where the salt mixture is recovered and recycled back to supplement the upstream reagent requirements and recycle any entrained lithium. The filtrate stream after cold-crystallization is lithium-rich, and advances to the lithium sulfate crystallizer system (CRY-3155-01).

 

14.9Sulfate Crystallization

 

The filtrate from the crystallizer is processed in a second mechanical vapor recompression crystallizer (the lithium sulfate crystallizer, CRY-3155-01) to precipitate lithium as lithium sulfate monohydrate to reduce the amount of monovalent and divalent impurities. Discharged slurry from the crystallizer is filtered through a pusher style centrifuge, similar to the previous unit operation. The filtrate stream is recycled back to the impurity crystallizer to remove excess impurities. The lithium sulfate crystals from the centrifuge are transferred to an agitated tank where they are mixed with process water and dissolved to form a lithium sulfate solution.

 

barr.com
161

 

14.10Hydroxide Conversion and Crystallization

 

 

Figure 14-10Ion Exchange Flow Diagram

 

The lithium sulfate solution is then pumped through a series of IX columns (IX-3160-01) to remove any remaining impurities that precipitated upstream with the lithium sulfate and carried over to redissolution. The IX resin will be periodically stripped with sulfuric acid and regenerated with sodium/lithium hydroxide produced from downstream operations.

 

Concentrated lithium sulfate solution is converted to lithium hydroxide solution by an electrochemical conversion process system (MED-3160-01). The dilute sulfuric acid by-product is collected in TNK-4040-01, and recycled in the process to strip the IX resin, adjust the pH prior to RO, as well as any other minor pH adjustments upstream. The lithium hydroxide stream produced by the electrochemical system is collected in the lithium hydroxide crystallizer feed tank (TNK-3170-01).

 

 

barr.com
162

 

Figure 14-11Electrochemical Conversion Process Flow Diagram

 

This final crystallizer train (CRY-3170-01) precipitates LHM crystals from the caustic solution of lithium, potassium, and sodium. The LHM crystals are washed, dried in DRY-3170-01, and bagged for shipping in BAG-3170-01. The excess liquor from crystallization is collected in TNK-3170-02, and recycled back to precipitation for pH adjustment, and to IX for pre-loading of the resin.

 

14.11Tailings

 

The filtered and washed residue from the extraction and impurity removal process, along with gypsum generated from off-gas handling, are combined and placed in a dry-stack. As areas of the pit are mined out, the tailings will be directed to the pit for backfill and not to the TSF. The tailings will be transported via conveyor to the TSF and placed via grasshopper conveyors to a stacking conveyor for placement. A bulldozer is used for compaction and final contouring.

 

14.12Utilities

 

14.12.1Off-Gas Handling

 

If required, the off gas from the sulfate conversion step is scrubbed using a lime system and the solids generated will be disposed to the TSF.

 

14.12.2Water

 

Process water for comminution and beneficiation is delivered via pipeline from a well field, stored in a process water tank, and distributed as required. The overall process recovers and recycles roughly 93% of the process water required for operation, and between 300 to 700 m3/h of freshwater makeup is required for the full plant buildout. Grinding water is stored proximally at each refinery train, and distributed to the lime scrubber, attrition scrubber, and beneficiation circuit.

 

Process water for refining is collected from RO steps and excess distillate, with some feed-forward from the beneficiation filtrate water. It is stored in a tank proximal to each refinery train. It is pumped to various unit operations as needed, including leach, quench, and various reagent dosing systems. A minimum operating level is reserved in the tank for fire water, which can be pumped to the sprinklers in the case of a fire.

 

High-purity water users are supplied by recovered distillate from the mechanical vapor recompression (MVR) evaporators that is sent to a secondary purification step (similar to typical condensate polishing). The distillate from the MVRs is collected into the distillate tank, where it is pumped through a resin bed or other polishing system prior to being sent to the pure water users. Excess distillate is repurposed and added to the process water supply tank.

 

14.12.3Chilled Water

 

Chilled water is fed to the cooling crystallization step in the monovalent crystallization circuit to precipitate impurities. This water/glycol mixture is recirculated locally through chillers that can operate down to sub-freezing temperatures if required.

 

14.12.4Cooling Water

 

Cooling water is required for electrodialysis cooling and the cooling screws. This is provided via cooling towers, which are installed proximally for each refinery train.

 

barr.com
163

 

14.12.5Reagents

 

14.12.5.1Flux

 

Flux for processing is recycled from the process at approximately 75%, with the additional amount being made up with fresh supply. The makeup quantity is brought in via tractor trailer, where it is unloaded into covered stockpiles and mixed with recycled flux prior to agglomeration in the briquetter.

 

14.12.5.2Soda Ash

 

Soda ash is received in bulk bags and stored proximally at each precipitation train, where it is fed into the process. The bulk bags are loaded into a silo/hopper via standard bulk bag unloading system(s), then fed into the refinery via a screw conveyor and loss-in-weight feeder. Solids are dropped directly into the precipitation tank(s) where they are consumed.

 

14.12.5.3Ferrous Sulfate

 

Ferrous sulfate is received in bulk bags and stored proximally at each precipitation train, where it is fed into the process. The bulk bags are loaded into a silo/hopper via standard bulk bag unloading system(s), then fed into the refinery via a screw conveyor and loss-in-weight feeder. Solids are dropped directly into the leach and precipitation tank(s) where they are consumed.

 

14.12.5.4Hydroxide Solution

 

Hydroxide solution is liquor (a blend of sodium, potassium and lithium hydroxide) produced in the lithium hydroxide crystallization step. Composition may vary depending on how the final product crystallization steps are operated. It is collected in a proximally located storage tank where it is recycled to various upstream users, including precipitation, IX regeneration, and lithium crystallization feed. The storage tank and associated lines are heated and insulated to prevent precipitation. A startup quantity may be required for initial commissioning and operation of precipitation and IX regeneration, which will be trucked in as a 50% sodium hydroxide solution.

 

14.12.5.5Sulfuric Acid

 

Dilute sulfuric acid is produced in the lithium hydroxide conversion step and is stored in a tank local to each refinery train. The process is a net producer of sulfuric acid, so excess acid will be concentrated and sold to customers off-site.

 

14.12.5.6Lime

 

Lime (CaO), if needed, is trucked in and pneumatically conveyed into a silo with baghouse at the scrubber system. The silo feeds a slaking system, producing milk of lime, which feeds into the scrubber recirculation line. Spent reagent is collected in another silo and trucked off as waste.

 

barr.com
164

 

15   Infrastructure

 

15.1Site General Arrangement

 

The TFLP location is approximately 11 km west of Tonopah, Nevada, along US 6/95. The primary entrance will be south of the highway, providing access to the Tonopah Flats Lithium Claystone Refinery. The refinery will be constructed on condemned claims approximately one kilometer west of the initial pit phases (see Figure 13-7).

 

15.1.1Access Roads

 

From the primary site entrance, service roads will be built to access areas throughout the property, including the Tonopah Flats Lithium Claystone Refinery as well as the mine office and truck shop.

 

Mining roads will be developed for haulage of claystone and tailings material between the pit, refinery, TSF, and other infrastructure located within the property boundary.

 

15.1.2Process Plant General Arrangement

 

The refinery is set within an 81-hectare (200-acre) boundary constructed adjacent to the NV Energy power line easement to the south along the west boundary of the Tonopah Flats Property (Figure 15-1). Refinery process equipment for Phase 1 is to be constructed in scheduled equipment “trains” to meet the production target of 30,000 tpa of product. The initial process train to be constructed will produce 5,000 tpa of product. Subsequent train construction will be staggered after the start of the initial train’s production to complete Phase 1 of the Tonopah Flats Lithium Claystone Refinery. Subsequent trains are planned at a capacity larger than the initial train to capture economies of scale and further system efficiency improvements.

 

barr.com
165

 

 

Figure 15-1Refinery Block Layout

 

barr.com
166

 

15.1.3Reagents, Consumables, and Shipping

 

15.1.3.1Reagents

 

The stockpile of primary reagents will be located in a covered facility and filled via truck offload. Reagents are also recovered and recycled within the process. Fresh reagent makeup will be added to the recycled feed lines to supplement consumption from the refinery process.

 

15.1.3.2Consumables

 

Other bulk solid consumables including lime and soda ash are delivered to the facility via truck and offloaded into silos. Material consumables (e.g., cubic meter bags) are delivered via truck to the material warehouse and distributed to facility use areas.

 

15.1.3.3Shipping

 

The primary site warehouse is developed for LHM product storage and outbound shipping. This facility will be constructed in a secure space between the administrative offices and the refinery and will also house the logistics office.

 

15.1.4Ancillary Buildings

 

15.1.4.1Administration

 

Administrative functions supporting the mine and refinery will be housed directly south of US 6/95, outside the main gate to the plant. This administrative office will provide offices, meeting space, and related facilities without need for site access beyond the gatehouse.

 

15.1.4.2Gatehouse

 

A gatehouse, located just south of the administration building, will provide security, controlled personnel access to the site, and delivery management. A weigh scale will be installed near the gatehouse to coordinate with logistics and shipping.

 

15.1.4.3Warehouses and Workshops

 

Separate from reagent handling and product storage, additional outbuildings installed around the facility will contain spare parts and material storage. The refinery maintenance workshop will include maintenance offices, some storage, and shop space with tooling for refinery equipment repairs.

 

15.1.4.4Laboratory

 

Onsite analytical laboratory space and equipment will be installed within the building containing the refinery’s final purification processes. This laboratory will provide quality control testing for the process and will be used to produce Certificates of Analysis (COA) of refinery products.

 

barr.com
167

 

15.2Mine Infrastructure and Tailings Facility

 

15.2.1Mine Workshop and Truck Maintenance

 

A mine office with a mobile maintenance shop and fueling stations will be situated further east of the main entrance, also directly south of the highway. This provides a separate service entrance for mine fleet operations, maintenance, and refueling.

 

The truck shop will be developed for maintenance on the mining haul fleet and other rubber-tired equipment. The shop will feature cranes, hydraulic lifts, tire changing equipment, diagnostic and calibration systems, and other fleet repair tooling.

 

15.2.2Fuel Storage and Distribution

 

Fuel will be delivered to the fuel depot situated near to the mining office and truck shop. Fuel trucks will deliver fuel to the mobile pit fleet at designated locations along the haul roads.

 

15.2.3Tailings Storage Facility

 

The TSF is to be located along the west boundaries of the mine pit south of the refinery. Tailings will be conveyed from the refinery to the TSF by use of a conveyor system. The tailings will be spread by bulldozers or loaders and compacted by the wheel loads of the associated equipment. The TSF will be utilized until tailings backfilling into the pit begins. The location of the TSF is shown on Figure 13-16 and shows tailings, backfill, and pit layout.

 

15.2.3.1Tailings Storage Facility Geotechnical Parameters

 

The geotechnical parameters for the TSF design were established from data collected during the alluvium investigation in March 2025 and tailings samples collected and tested as part of site visits conducted in June 2025.

 

Lab testing was performed as part of the alluvium investigation to assess geotechnical parameters for the in place alluvial soils and to establish strength parameters for recompacted alluvium to be used in construction of the starter dam. Detailed lab results are included the technical memorandum regarding the Tonopah Flats PFS Study – Alluvium GDR (Barr Engineering Co., 2025).

 

Lab testing in conjunction with the tailings facility visit was performed to assess the strength of the placed tailings material. The lab testing included particle size distribution, Atterberg Limits, Standard Proctor compaction, and direct shear testing. A summary of the tailings lab test results is provided in Table 15-1 and Table 15-2.

 

barr.com
168

 

Table 15-1 Tailings Index Properties

 

Material PSD Results Atterberg Limits Proctor
Gravel (%) Sand (%) Silt (%) Clay (%) Liquid Limit Plastic Limit Plasticity Index Dry Density Optimum Water Content (%)
(pcf) (kg/m3)
Tailings 1.0 38.7 44.3 16.0 NP NP NP 80.8 1,294 34.4
%= percent

kg/m3 = kilograms per cubic meter

NP = Non-Plastic

pcf = pounds per cubic foot

 

Table 15-2 Direct Shear Test Results for Tailings

 

Material Drained Shear Strength
Apparent Cohesion Friction Angle, ϕ (degree)
c (psf) c (kPa)
Tailings at 20.1% Moisture 42 2.01 36.9
Tailings at 25.1% Moisture 4 0.19 36.8
Tailings at 30.1% Moisture 282 13.50 35.6

kPa = kilopascals

psf = pounds per square foot

 

A summary of the geotechnical parameters used in the stability analysis is provided in Table 15-3.

 

Table 15-3 Geotechnical Model Parameters

 

Material Conductivity, k Moist Unit Weight Mohr-Coulomb Parameters Shear-Normal Points
(ft/s) (cm/s) (pcf) (kN/m3) Cohesion c’ (psf) Friction Angle
ϕ’ (deg.)
(psf) (kPa)
Tailings1 1x10-5 – 1x10-8 3x10-4 – 3x10-7 94.6 14.8 0 37 (2000, 1593), (4000, 3053), (8000, 6027)

(114.9, 76.3),

(191.5, 146.2), (383.0, 288.6)

Fill (Alluvium)2 4.59x10-8 1.40x10-7 129.6 20.4 0 30 (3168, 3510), (6336, 5292), (12672, 10306) (151.7, 168.1), (303.4, 253.4), (606.7, 493.5)
Native Alluvium3 8.20x10-6 2.50x10-4 94.3 14.8 0 36 (7845, 4675), (13132, 9797), (31541, 18868) (375.6, 223.8), (628.8, 469.1), (1510.2, 903.4)
Claystone4 1x10-12 3x10-11 -   Impenetrable (Infinite Strength)

1 Derived from 30.1% MC testing

2 Derived from alluvium triaxial testing at 98% of Standard Proctor Compaction

3 Derived from alluvium direct shear testing at 80% of Standard Proctor Compaction

4 Claystone modeled as Impenetrable (Infinite Strength) with low conductivity

deg = degree

ft = feet

kN/m3 = kilonewtons per cubic meter

kPa = kilopascals

pcf = pounds per cubic foot

psf = pounds per square foot

s = second

 

barr.com
169

 

15.2.3.2Tailings Storage Facility Stability Analysis

 

A series of stability analyses were performed to assess the stability of the TSF throughout the deposition process. A simplified geometry of the TSF was used in the model. Two sections were checked, one on the north side of the TSF and the other on the west side where a proposed ramp will be located (Table 15-4). The TSF was modeled with a 2.25H:1V slope angle to a maximum height of 140 m. A 9 m high perimeter berm was included to act as a buttress and provide containment for the initial tailings placement. The downstream slope of the buttress was modeled at 3H:1V. A 0.69-m-deep ditch was also included in the model as a flow pathway for any runoff from the TSF stack.

 

Model scenarios were performed to assess the stability of the TSF under planned operating conditions throughout the life of the stack under static conditions. The target FOS under static conditions is 1.50. Models were run at ~40 m, 75 m, 100 m, 125 m, and 140 m heights.

 

In addition, a seismic factor was applied to the models to assess stability under seismic loading. A seismic loading coefficient (kh) of 1/2 the horizontal peak ground acceleration (PGA) is typically used in seismic analysis. The PGA for the site was determined to be 0.32 based on the ASCE/SEI 7-22 Hazards Report (ASCE, 2025). Based on a PGA of 0.32, a kh of 0.16 was chosen for the analysis. The target FOS for seismic conditions is 1.10.

 

Table 15-4 Tailings Storage Facility Stability Modeling Results

 

Model Number/Location Height Strength Parameter Seismic Factor Factor Of Safety
(m) (ft)
2.0.2 – North 40.7 133.52 Mohr-Coulomb N/A 1.71
3.0.1 – West 40. 133.52 Mohr-Coulomb N/A 1.52
4.0.1 - North 41. 135.3 Shear-Normal N/A 2.04
4.0.2 - North 41.2 135.3 Shear-Normal 0.16 1.37
5.0.1 - North 75 246.1 Shear-Normal N/A 1.96
5.0.2 - North 75 246.1 Shear-Normal 0.16 1.28
6.0.1 - North 100 328.1 Shear-Normal N/A 1.89
6.0.2 - North 100 328.1 Shear-Normal 0.16 1.24
7.0.1 - North 125 410.1 Shear-Normal N/A 1.85
7.0.2 - North 125 410.1 Shear-Normal 0.16 1.20
8.0.1 - North 140 459.3 Shear-Normal N/A 1.82
8.0.2 - North 140 459.3 Shear-Normal 0.16 1.18

ft = feet

m = meters

 

In addition to the overall stability analysis, two sensitivity analyses were conducted. The first was to assess the effects of variable horizontal seismic coefficients. The second was to assess the influence of free water within the stack on overall stability. The results of the sensitivity analyses are provided in Table 15-5 and Table 15-6.

 

barr.com
170

 

Table 15-5 Seismic Sensitivity Results

 

Model Number/Location Height Strength Parameter Seismic Factor Factor of Safety
(m) (ft)
2.0.4 – North 40.7 133.52 Mohr-Coulomb 0.05 1.50
2.0.4 – North 40.7 133.52 Mohr-Coulomb 0.1 1.32
2.0.4 – North 40.7 133.52 Mohr-Coulomb 0.15 1.15
2.0.4 – North 40.7 133.52 Mohr-Coulomb 0.16 1.12

ft = feet

m = meters

 

Table 15-6 Water Sensitivity Analysis

 

Model Number/Location Height Strength Parameter Seismic Factor Factor Of Safety
(m) (ft)
2.1.1 – 20% Free Water 40.7 133.52 Mohr-Coulomb N/A 1.71
2.2.1 – 30% Free Water 40.7 133.52 Mohr-Coulomb N/A 1.62
2.3.1 – K = 1e-5 cm/s 40.7 133.52 Mohr-Coulomb N/A 1.67
2.3.2 – K = 1e-6 cm/s 40.7 133.52 Mohr-Coulomb N/A 1.71
2.3.3 – K = 1e-8 cm/s 40.7 133.52 Mohr-Coulomb N/A 1.71

cm = centimeter

ft = feet

m = meters

s = second

 

The models and results are provided in the Technical Memorandum (Barr Engineering Co., 2025).

 

15.3Power Infrastructure

 

Electrical power for the processing facility and mine will be supplied through a hybrid model that combines on-site generation with utility-provided power. A 120 kV and 55 kV transmission corridor runs west to east across the project site, interconnecting with NV Energy’s Miller’s Substation. ABTC has completed an initial load transmission study in collaboration with NV Energy, confirming that the existing infrastructure has sufficient capacity to support initial operational needs and support approximately 1/3 of final operating load. ABTC is actively engaged with NV Energy to continue studying the import and export system capacity abilities of the site.

 

To integrate both utility power and on-site renewable generation, ABTC will construct a new 120 kV high-voltage substation onsite. This substation will function as the central hub for electrical distribution across the entire project, including the processing facility, mine, and auxiliary loads.

 

15.3.1Site Power Distribution

 

ABTC will construct a 120 kV high-voltage substation to serve as the primary utility interconnection point. This substation will manage high-voltage transmission power and step the voltage down to 34.5 kV for distribution across the site. Power will be supplied through a blended model, combining utility imports with onsite solar generation and battery storage connected behind the meter. This approach reduces reliance on grid power, lowers energy costs, and improves operational flexibility, while also enabling potential export of surplus energy.

 

barr.com
171

 

The 34.5 kV medium-voltage (MV) distribution loop will serve as the electrical backbone for the site, supplying power to both the processing plant and mining infrastructure. Power from this loop will be routed to multiple MV switchgear lineups and strategically located power distribution centers, which will further step-down voltage for local use. To enhance reliability and maintainability, the 34.5 kV loop will be configured as a normally open ring, enabling sectional isolation and back feeding capabilities. Critical loads will be backed by uninterruptible power supply (UPS) systems or directly supported by the direct current (DC) bus.

 

A 4.16 kV distribution network will support large process and mining equipment, including high-horsepower motors, crushers, pumps, compressors, and electrochemical systems. General plant and auxiliary systems will be powered through 480 V low-voltage distribution boards, while lighting, controls, and small equipment will be served via 208/120 V transformers and panels.

 

In selected areas of the processing facility, ABTC will implement a DC system to serve DC-native loads such as variable frequency drives (VFDs), electrochemical systems, and other process and building systems designed for DC operation. The DC architecture is intended to reduce conversion losses, enhance efficiency in high-duty-cycle applications, and enable direct integration with distributed DC generation and energy storage resources across the site.

 

15.3.2Onsite Power Generation

 

ABTC intends to construct an 800 megawatts direct current (MWdc) solar photovoltaic generation facility integrated with a utility-scale battery energy storage system (BESS) on the northern section of the project site. The system may employ a DC-coupled architecture, enabling solar power to be fed directly into the batteries without intermediate inversion to AC, thereby improving round-trip efficiency and overall system responsiveness.

 

Tonopah’s unique geographic characteristics make it ideally suited for solar energy production. The site benefits from some of the highest solar irradiance levels in the U.S., with extended sunlight hours, minimal cloud cover, and low humidity. These conditions maximize photovoltaic energy yield and strengthen the business case for on-site renewable generation.

 

The onsite solar and battery system is targeted to produce more than 1.5 terawatt-hours (TWh) of energy per year, a quantity that is expected to substantially offset both the facility’s operating load and contribute surplus energy for potential grid exports and service. ABTC’s strategy to co-locate onsite solar generation with battery storage and an integrated energy management system allows the project to produce low-cost power while improving operational flexibility and grid responsiveness. This approach enables real-time control over energy dispatch, demand shifting, and time-of-use optimization, allowing the facility to minimize peak demand charges and reduce reliance on grid imports during high-cost periods. It also enhances ABTC’s ability to align production with grid constraints, respond to utility signals, and potentially participate in ancillary service markets. By managing both generation and load in a unified system, ABTC positions itself to reduce energy-related operating costs while increasing system resiliency and long-term energy autonomy.

 

An energy management system (EMS) will monitor, control, and forecast energy flows across the solar array, battery storage, processing plant, mine, and utility interconnection. The EMS will manage dispatch between on-site generation, storage, and the utility grid to maximize power delivery to the facility while minimizing utility charges during periods of high electricity prices. Additionally, the EMS will enable export control and support participation in load demand response programs in coordination with the utility and wholesale energy markets.

 

barr.com
172

 

ABTC has designated the 120 kV substation as an integral component of the solar and battery project, and has included all associated costs, such as substation infrastructure, protection systems, metering, and interconnection equipment, within the solar and battery financial model. This approach reflects the substation’s core role in enabling utility interconnection, managing bidirectional power flow, and supporting import/export metering for the solar facility.

 

ABTC has engaged NV Energy to perform a combined system impact study evaluating both the import and export capabilities of the facility. This analysis is essential to confirm the site’s ability to draw power during high-demand periods while also exporting surplus solar generation back to the grid.

 

15.3.3Financial Incentives and Revenue Opportunities

 

ABTC is currently evaluating eligibility under several incentive programs, including the Investment Tax Credit (ITC) and Production Tax Credit (PTC) programs as enabled by the Inflation Reduction Act (IRA). Depending on final system configuration, ownership structure, and grid interconnection parameters, the project may elect the ITC for upfront capital cost recovery or the PTC to monetize ongoing renewable energy production over time. Both programs offer potential enhancements for domestic content, energy community location, and prevailing wage compliance, further increasing their value to the project. While certain eligibility factors such as final design, milestone timing, and regulatory interpretation are still being evaluated, ABTC is proactively working to align the project to capture the full benefit of these incentives wherever possible.

 

In addition to federal tax incentives, ABTC will generate Renewable Energy Certificates (REC) for each megawatt-hour of solar energy produced. These RECs represent a marketable environmental attribute and can be sold into voluntary or compliance markets. ABTC plans to register its solar generation with compliance organizations to track and monetize these credits. The RECs may either be retired to support ABTC’s own emissions reduction goals or sold to third parties, creating a recurring revenue stream independent of electricity sales.

 

Furthermore, ABTC is exploring opportunities to participate in grid services markets through its battery energy storage system. Services under consideration include frequency regulation, voltage support, and processing plant demand response participation managed by the site EMS. These ancillary services provide potential for monetization while supporting regional grid stability and reliability in coordination with NV Energy.

 

The combination of federal tax incentives, environmental credit revenues, and energy market participation supports a positive financial evaluation of the proposed power system. These mechanisms not only reduce the project’s effective capital and operating costs but also demonstrate alignment with long-term sustainability and decarbonization goals.

 

barr.com
173

 

15.4Water Infrastructure

 

15.4.1Water Supply

 

Onsite well water will support site fire water, refinery, and mine loads. This is accomplished via multiple site wells and pump houses at locations near to primary water consumers’ buffer tanks.

 

ABTC is in the process of changing the point of diversion on 40.52 acres of water rights it owns in Basin 137a Permit No. 31053 to the well and acquiring additional water rights. Water usage associated with mining and processing may additionally require an application to the State of Nevada, Division of Water Resources for a water use permit as the project progresses.

 

The Tonopah Flats Property currently has one production well and one exploration well.

 

15.4.2Process Water Treatment and Recovery

 

The majority of water in the refining system is recycled within the process. Process water from beneficiation is purged to the downstream extraction processes, and high purity waters from evaporation distillate and RO operations are fed into refinery processes requiring high purity water.

 

15.4.3Water Discharge

 

Process water is designed to be recycled within the system, with some losses to tailings. The beneficiation and refinery trains have water purification steps local to the operations. The process does not require an on-site water treatment plant due to integrated process recycle loops. A less than one-acre lined evaporation pond has been included in the design for intermediate holding maintenance drains for refinery processes.

 

Site sanitary wastewater is designed with localized haul-off or site septic systems.

 

15.4.4Storm Water Handling

 

Storm water runoff through the property primarily occurs via slime wash travelling west-northwest. A diversion trench provides stormwater re-direction into retention basins along the south boundary of the property. Local runoff from the tailing facilities will be directed into a collection pond on the west side of the facilities.

 

Refinery process sections will have containment in accordance with a National Pollutant Discharge Elimination System (NPDES) and site Stormwater Pollution Prevention Plans (SWPPP) requirements. Rainwater collected via any secondary containment will be pumped off as needed.

 

15.5Waste Management

 

The commercial and light industrial site waste disposal will be contracted through the Nye County Class II Landfill in Tonopah, Nevada.

 

15.6Communications

 

The site information technology (IT) internet service is expected to be fulfilled by Starlink or hardwired methods.

 

barr.com
174

 

Refinery facility operations connections will be provided on an ethernet network with firewalled subnets and wireless fidelity (Wi-Fi) for operator interaction.

 

Mine operations will be controlled via a GPS, radar, and node networked dispatch system controlled via the mine office. This system will provide automated scheduling and haulage traffic controlling for the fleet moving between the mine pit and refinery stockpiles.

 

15.7Mobile Equipment

 

Site operations, supervisors, and maintenance staff will travel within the secure refinery area roads via truck or utility vehicles.

 

The refinery product warehouse will be equipped with three electric forklifts for pallet management and truck loading. The product finishing building will also feature forklifts for local staging of product. Autonomous guided vehicles and/or outdoor rated forklifts will be used to transport sealed product bags to the product warehouse.

 

15.8Rail

 

The area around Tonopah, Nevada is not currently served by an active rail line or depot. The TFLP does not assume rail as a primary means of transportation for reagents or other materials.

 

15.9Fossil Fuels

 

The area around Tonopah, Nevada is not currently served by a natural gas pipeline or liquefied natural gas (LNG) terminal. The refinery is designed around this constraint and the process equipment planned does not directly rely on liquid or gas fuels for production.

 

Provision for liquid fuels for the mobile fleet is accounted for in the mine infrastructure design.

 

barr.com
175

 

16   Market Studies

 

According to the U.S. Department of the Interior and U.S. Geological Survey’s Mineral Commodity Summary (2025), although lithium uses vary by location, global end uses were estimated as follows: batteries, 87%; ceramics and glass, 5%; lubricating greases, 2%; air treatment, 1%; continuous casting mold flux powders, 1%; medical, 1%; and other uses, 3%. Lithium consumption for batteries increased significantly due to the growing use of rechargeable lithium batteries in the growing market for electric vehicles (EVs), portable electronic devices, electric tools, and energy grid storage applications. Lithium minerals were also used directly, as mineral concentrates, in ceramics and glass applications.

 

Commercial-scale lithium production in the U.S. is currently from a single continental brine operation in Nevada. Owing to lower lithium prices in 2024, commercial production from the brine-sourced waste tailings of a Utah-based magnesium producer was idled. Two companies produced a wide range of downstream lithium compounds in the U.S. from domestic or imported lithium carbonate, lithium chloride, and lithium hydroxide.

 

Excluding U.S. production, worldwide lithium production in 2024 increased by 18% to approximately 240,000 t from 204,000 t in 2023. This was in response to strong demand from the lithium-ion battery market, high lithium prices from 2021 to early 2023, and an increase in global lithium production capacity. Global consumption of lithium in 2024 was estimated to be 220,000 t, a 29% increase from revised consumption of 170,000 t in 2023. Concern about a short-term lithium oversupply and weaker-than-expected EV sales worldwide during the first half of 2024 caused the price for lithium to decrease considerably throughout the year. Owing in part to incentives and discounts, EV sales in the third quarter of 2024 saw considerable growth in Canada, China, and the U.S.

 

A 5-year Lithium price graph (Figure 16-1) from S&P Global Market Intelligence (n.d.) shows the rise in lithium pricing from 2021 through 2023, with lithium pricing returning closer to historic levels in 2024.

 

S&P Capital IQ shows the historic 3-year LHM pricing FOB North America in Table 16-1.

 

barr.com
176

 

Source: S&P Capital IQ

 

Figure 16-1Industry Price Chart from S&P Global Market Intelligence (accessed July 31, 2025) Showing Historic 5-Year LHM Pricing

 

Table 16-1Historic 3-Year LHM Pricing FOB North America (S&P Global Market Intelligence, n.d.)

 

Date Lithium Hydroxide - FOB North America (US$/tonne)
7/1/2022 $ 54,500
8/1/2022 $ 54,000
9/1/2022 $ 54,000
10/1/2022 $ 60,250
11/1/2022 $ 60,250
12/1/2022 $ 61,500
1/1/2023 $ 71,500
2/1/2023 $ 71,500
3/1/2023 $ 71,500
4/1/2023 $ 59,750
5/1/2023 $ 52,375
6/1/2023 $ 49,750

 

barr.com
177

  

Date Lithium Hydroxide - FOB North America (US$/tonne)
7/1/2023 $ 48,750
8/1/2023 $ 40,000
9/1/2023 $ 39,750
10/1/2023 $ 31,500
11/1/2023 $ 25,000
12/1/2023 $ 22,500
1/1/2024 $ 16,000
2/1/2024 $ 15,000
3/1/2024 $ 13,750
4/1/2024 $ 14,400
5/1/2024 $ 14,250
6/1/2024 $ 12,750
7/1/2024 $ 11,700
8/1/2024 $ 10,950
9/1/2024 $ 10,950
10/1/2024 $ 11,550
11/1/2024 $ 11,550
12/1/2024 $ 11,550
1/1/2025 $ 10,450
2/1/2025 $ 10,600
3/1/2025 $ 10,700
4/1/2025 $ 10,590
5/1/2025 $ 9,950
6/1/2025 $ 9,500
7/1/2025 $ 9,250
3-Year Average $ 31,184

FOB = Free on Board

 

Using monthly price data from above, a three year (July 2022 to July 2025) average price for LHM is $31,184/t.

 

16.1Demand

 

A Benchmark Mineral Intelligence (2024) report states that in 2034, the lithium and nickel markets are expected to be in deficits of 572,000 t and 839,000 t, respectively. These shortfalls are around seven times larger than the current surpluses for each material. Benchmark analysis found that of the US$514 billion investment needed to meet battery demand in 2030, upstream projects require US$220 billion. Nickel and lithium require the largest investment of any of the materials, at US$66 billion and US$51 billion, respectively. It is Benchmark’s view that lithium will be the bottleneck for the growth of the battery industry more than any other part of the supply chain. Though more than one million tonnes of mined lithium carbonate equivalent is expected to be produced in 2024, the mined supply will need to reach 2.7 Mt to meet demand in 2030, the majority of which is driven by the EV and grid scale energy storage markets.

 

barr.com
178

 

16.2Comparable Pricing

 

Barr reviewed several lithium-related technical reports published in the past two years. The table below shows the LHM pricing data (or equivalent) used for each of the reports (some were converted from lithium carbonate pricing, depending on the project):

 

Table 16-2Industry LiOH Pricing Data

 

Company Study Effective Date Battery Quality LiOH US$/tonne
Frontier Lithium NI 43-101 PFS May-23 $ 22,000
Piedmont Lithium SK-1300/NI 43-101 PFS May-23 $ 26,000
Standard Lithium SK-1300/NI 43-101 PFS Jul-23 $ 30,000
E3 Lithium NI 43-101 PFS Jul-24 $ 31,000
Zinnwald Lithium JORC PFS Mar-25 $ 23,800
European Lithium JORC PFS Mar-23 $ 29,600
Lithium Americas NI 43-101 FS Jan-23 $ 26,000

 

The research by Barr indicates that the historically high prices in 2022 and early 2023 are unsustainable. Because of the oversupply of LHM in the current market, prices are expected to be somewhat stable through 2030. Due to the significant market deficits in the 2030s and beyond, the consensus is that prices should increase based on market pressure. Using information on past pricing, projected future estimates, and prices used in comparable recent technical reports, a conservative long term average price of $23,000/tonne for LHM FOB USA was used for this PFS. This also corresponds with a three-year look back plus a two-year look forward pricing approach:

 

Table 16-3Average LiOH Prices Using a Five-Year Pricing Window

 

Price Year(s)
$ 31,184 Average - Prior 3 Years
$ 9,300 2026 Pricing
$ 11,025 2027 Pricing
$ 22,775 5-Year Average

Sources: Macquarie Group Limited (2025), S&P Global Market Intelligence (n.d.)

 

barr.com
179

 

17   Environmental Studies, Permitting, and Plans; Negotiations or Agreements with Local Individuals or Groups

 

17.1Introduction

 

The TFLP is located primarily on federal lands managed by the BLM. Consequently, federal law governs operations and environmental compliance, with the State of Nevada and local governments having concurrent authority over certain aspects of the TFLP, such as permitting and water rights.

 

The anticipated environmental permits and social impacts of the TFLP are summarized based on the conceptual design presented in this PFS, environmental baselines, and current regulatory requirements. If changes to the scope, area, or design of the TFLP occur as planning and designs advance, this information may require review and reassessment.

 

Initial results of previous exploration drilling campaigns from the summer of 2021 through the summer of 2023 on ABTC’s BLM-administered Lode Claims under Notice-level permit (NVN-100850) established feasibility for the expansion of the TFLP operations to greater than five acres of surface disturbance. Proposed operations exceeding five acres of surface disturbance on federal lands require a Mine Plan of Operations (MPO) to be prepared and submitted along with a conceptual approach to closure and reclamation and the associated estimated costs based on the anticipated development for the TFLP. Potential impacts of the MPO must be analyzed, and alternatives assessed, pursuant to the National Environmental Policy Act (NEPA).

 

ABTC submitted documentation in December 2022 describing the proposed surface disturbance, schedule of operations, and conceptual site plans for a proposed mine and mineral processing operation within a defined plan area boundary to the BLM Battle Mountain District Office.

 

A Baseline Needs Assessment meeting was conducted on March 9, 2023, to review the TFLP and discuss the requisite environmental analyses and baseline resource inventories. The meeting detailed the initial requirements to initiate the NEPA process. Baseline analyses were determined based on feedback from the BLM resource specialists and related government stakeholders, including the U.S. Environmental Protection Agency (EPA), Nye and Esmeralda County government representatives, the Nevada Division of Environmental Protection (NDEP), and the Nevada Department of Wildlife (NDOW). Of a total of 29 categories of baseline studies, 21 were identified as required for the TFLP based on several factors, ranging from location to forecasted area of disturbance. Categories of studies required are indicated in Table 17-1; multiple studies are indicated under super categories (general wildlife, soils, vegetation, among others for biology, wetlands, seeps and springs under hydrology, etc.).

 

17.2Environmental Baseline Studies

 

ABTC has retained multiple third-party specialists to conduct the necessary baseline analyses and provide reporting for BLM review. ABTC has initiated required baseline evaluations, many of which have concluded fieldwork and are either submitted to the BLM for review or nearing final submission.

 

Table 17-1 provides the status of environmental baseline studies that have been completed, are in progress, or are pending to support project permitting and EIS preparation.

 

barr.com
180

 

Table 17-1 Required Baseline Studies for TFLP

 

Baseline Study Status
Visual Completed
Environmental Justice Completed
Human Noise Completed
Paleontology Completed
Grazing Completed
Lands and Realty Completed
Socioeconomics Completed
Floodplains Completed
Cultural Resources Completed
Biological Completed
Raptors Ongoing
Geochemistry Ongoing
Hydrology Ongoing
Air Quality Ongoing

 

17.2.1Visual

 

A visual resources baseline survey was conducted by a third-party consultant in January and June 2024. Photographs were taken at four Key Observation Points (KOP). A KOP is a specific place on a public travel route or in an existing or potential use area where the view of a management activity or project would be most revealing for purposes of the contrast rating. The BLM Form 8400-4 (Visual Contrast Rating Worksheet) was used to record the various design elements that characterize the land and water features, vegetation cover, and structures that comprise each KOP landscape.

 

The TFLP area is fully located within the Visual Resource Management Class 4 Objective, the Objective with the fewest restrictions on development indicating level of change to the characteristic landscape can be high (BLM, 1997).

 

17.2.2Environmental Justice

 

An Environmental Justice analysis was conducted by a third-party consultant in June 2024. The Environmental Justice analysis screens populations that are in the analysis area to identify communities that are present and may be disproportionately and adversely impacted by the TFLP.

 

17.2.3Human Noise

 

Potential impact to human receptors from proposed activities was assessed by a third-party consultant in January 2024. Protocol for potential impacts extends analyses to a 4.83 km buffer around the TFLP area. One residential building was located 4.67 km away and one municipal building was located 4.51 km away at the eastern extremity of the area of analysis.

 

barr.com
181

 

17.2.4Paleontology

 

A third-party consultant was retained to provide the paleontological baseline analysis in June 2024. The analysis provided the results of the literature review, museum, and records search for the TFLP area. The analysis determined that no fossils are known from the TFLP area. The third-party consultant concluded that the TFLP will not have an adverse effect to paleontological resources, and no further mitigation was recommended.

 

17.2.5Grazing

 

A grazing analysis was conducted by a third-party consultant in February 2024. The analysis provided baseline information to analyze the TFLP’s effects to grazing resources. The area of analysis for project-related grazing impacts encompassed the project boundary and an 8.05 km buffer around the TFLP. The analysis area is contained within the Monte Cristo, Montezuma (buffer only), and San Antone Grazing Allotments. The entire project area (4,320.03 ha) covers 2.2% of the Monte Cristo and 0.004% of the San Antone Grazing Allotments.

 

17.2.6Lands and Realty

 

A land status analysis was conducted by a third-party consultant in January 2024. Public land records were compiled from the BLM Mineral and Land Records System (MLRS). Land records were queried for all Townships, Ranges, and Sections that overlap the TFLP area. Land use authorizations other than those associated with ABTC include power and telephone transmission line ROW, roads and material borrow sites for roads, and a fiber optic facility.

 

17.2.7Socioeconomics

 

A socioeconomic analysis was conducted by a third-party consultant in July 2024. The analysis estimated workforce needs and provided baseline information for the BLM to analyze project effects on socioeconomic resources. Analysis included review of housing, education, employment, wages, poverty, commuting patterns, community services, public finance, and fiscal conditions impacts. The analysis area included Esmeralda, Mineral, and Nye counties in Nevada and Inyo County in California. Populations and communities within these counties could be a workforce source to the TFLP and impacts on social and community services and housing may occur in these counties because of worker relocation.

 

Significant strain on analysis area infrastructure and services is not anticipated.

 

17.2.8Floodplains

 

An analysis of floodplains within and adjacent to the TFLP area was completed by a third-party consultant in October 2023. The floodplain analysis was completed for the proposed TFLP and potential impacts from 100-year (53.34 mm) and 500-year (73.41 mm) events and 24-hour magnitude storm events. Analyses used Aquaveo’s Watershed Modeling System (WMS) version 11.2, and its HEC-1 and HEC-HMS sub-modules.

 

Operational stormwater flow control facilities will need to be engineered and sized to withstand the 100-year event pursuant to State of Nevada regulations. Closure stormwater flow control facilities will need to be engineered and sized to withstand the 500-year event.

 

barr.com
182

 

17.2.9Cultural Resources

 

An archeological evaluation of the property was completed by a third-party consultant in 2024. The consultant completed a Class III pedestrian investigation over the entire project area with additional minor considerations adjacent to the claim block (4,320.03 ha). Although the investigation identified two sites eligible for listing in the National Park Service’s National Register of Historic Places, the TFLP will avoid them throughout the life of the project. Avoidance is the preferred method compared to disturbance and mitigation which results in additional time and costs. Should avoidance become impossible, ABTC will engage BLM to develop a mitigation plan.

 

ABTC has participated in BLM-coordinated government-to-government engagement with interested tribal communities and one site tour. Additional tours are planned. ABTC is committed to working directly with descendant communities to help preserve and protect places of important cultural value.

 

17.2.10Biological

 

Biological analyses were conducted by a third-party consultant in November 2024. Analyses were conducted over the entirety of the claim block (4,320.03 ha). Field survey protocol was developed in coordination with the Tonopah BLM biologists. Field surveys conducted included soils, vegetation, noxious weeds/non-native invasive species, plant and wildlife special status species, general wildlife, migratory birds, raptors and eagles, monarch butterfly, burrowing owl, pale and dark kangaroo mouse, and bat (passive acoustic).

 

No species listed on the Nevada Department of Agriculture’s Noxious Weed List were located within the TFLP area during field surveys. No special status plant species and no milkweed was observed in the project area.

 

ABTC understands its obligation to comply with the Migratory Bird Treaty Act, Endangered Species Act, BLM, and State of Nevada regulations regarding the need to avoid disturbing special status species during the conduct of the proposed exploration operations. Applicant-committed environmental protection measures will be developed and customized in coordination with the BLM for each species of concern within the project area as needed.

 

17.2.11Raptors

 

Raptor and eagle surveys were included as part of the biological analyses that were conducted by a third-party consultant in November 2024. Analyses were conducted over the entirety of the claim block (4,320.03 ha) and included the 16.09 km buffer zone recommended by the U.S. Fish and Wildlife Service (USFWS) for initial surveys. The survey identified the Golden Eagle as a special status species within the TFLP area.

 

A final report on two years of raptor surveys is expected in August 2025.

 

17.2.12Geochemistry

 

ABTC is undertaking geochemical evaluation of its ore, overburden, and tailings, and submitted analyses to the BLM in September of 2024. ABTC has analyzed seven separate samples for materials characterization (Meteoric Water Mobility Procedure [MWMP] for Profile I constituents and ABA) to date. These include:

 

barr.com
183

 

Two alluvial (cover) quaternary gravel composite samples.

 

One sample of the claystone ore from the near-surface horizon (oxidized claystone) excavated from a shallow pit.

 

Three composite claystone ore samples from a drill hole specifically drilled for metallurgical process testing (composites of the upper, middle, and lower claystone units) There is not an operational or handling difference between the near-surface and composite ore. They are undifferentiated and will be handled as ore in the same stream and processed without special routing.

 

One composite sample of tuffaceous sandstone that contains sub-economic lithium values, which is being characterized as waste rock for the purpose of this report.

 

17.2.13Hydrology

 

ABTC contracted a third-party consultant to perform an analysis of hydrologic resource baseline conditions in September of 2023. The TFLP is located within hydrographic basin 137A, Lower Smoky Valley. Hydrologic analyses included review of seeps and springs, Waters of the U.S., groundwater inventory and characterization, and groundwater drawdown modeling.

 

No seeps, springs, or Waters of the U.S. are within an 8-km radius of the TFLP area.

 

Well drillers’ logs downloaded from the Nevada State Engineer’s office and the Nevada Bureau of Mines and Geology Bulletin’s 92 and 99A, State of Nevada Water Resources Bulletin No. 41, and USGS Water-Supply Paper 243 were reviewed. Due to the limited number of extant wells and well logs within an 8 km radius of the TFLP area, the inventory and model boundary was extended north to capture the center of basin 137A, where production and monitoring wells in support of the Liberty Mine and solar facility were located, and to the west to capture the Miller’s facility and associated wells. Historical water levels have been relatively stable. A monitoring well near the center of the basin has had its water level decline measured at 1.12 m during the past 54 years (2 cm/year).

 

In February 2024, ABTC drilled and installed two wells about 610 m west of the down-drop fault: EW-01 and MW-01. Each well was drilled to a depth of about 213 m below ground surface (bgs). Wells EW-01 and MW-01 are about 51.8 m apart. Groundwater is measured at depths of about 79.6  m bgs in each well.

 

To calculate aquifer parameters and develop a conceptual numerical model of groundwater dynamics in the basin, a conceptual numerical model was prepared. The Aquaveo groundwater modeling system and MODFLOW were used. Available data used in the model included a digital elevation map of the land surface, area geologic map, pumping test data (EW-01 included), well drillers’ logs, NDWR well log database, Water Resources Bulletin 41, precipitation data, and groundwater level measurements. The groundwater model was calibrated by comparing water levels at six observation wells and pilot points placed throughout the basin.

 

The model demonstrated up to four production wells (35.56 cm) spaced about 762 m apart will provide the proposed 7,570.82 liters per minute process demand for the 45-year project life. Recovery of pre-mining groundwater elevations occurred after 70 years (year 2137). From literature review, a rough transmissivity value was estimated at less than 121,133.12 liters per 0.3 m/day.

 

barr.com
184

 

17.2.14Air Quality

 

Air quality baseline analysis is underway by a third-party contractor. The contractor is conducting air dispersion modeling and providing an air quality impact analysis for the TFLP. The purpose of this air dispersion modeling protocol is to outline the proposed modeling procedures that will be used to determine the impacts on ambient air quality from the air pollutant emissions emanating from facility operations. The modeling analysis will utilize the AERMOD modeling system, the EPA-approved near-field air dispersion modeling package. Predicted impacts from the modeling analysis, including background concentrations, will be compared against the National Ambient Air Quality Standards. Air dispersion modeling will be performed for criteria pollutants under the maximum potential to emit scenario for the facility. Pollutants to be modeled include carbon monoxide (CO), nitrogen dioxide (NO2), sulfur dioxide (SO2), particulate matter with an aerodynamic diameter less than 10 micrometers (PM10), particulate matter with an aerodynamic diameter less than 2.5 micrometers (PM2.5), and ozone (O3), which will use a screening analysis of the photochemical reaction of volatile organic compounds (VOC) and NO2. Modeling will conform with Appendix W of 40 CFR Part 51 and the General Air Dispersion Modeling Guidelines from the Nevada Bureau of Air Pollution Control.

 

The model will use the maximum hourly emission rates, with the exception of annualized hourly emission rates where applicable, which will be calculated using the maximum throughputs, projected hours of operation, manufacturers data, EPA AP-42 emission factors, and/or other credible sources as needed, all of which will be documented in the final evaluation report.

 

Pursuant to the Clean Air Act (CAA), as amended [42 U.S.C. §§ 7401 et seq.], the EPA has developed classifications for distinct geographic regions known as air basins. Under these classifications, for each federal criteria pollutant, each air basin (or portion of an air basin [or “planning area”]) is classified as in “attainment” if the air basin (or planning area) has “attained” compliance with (i.e. not exceeded) the adopted National Ambient Air Quality Standards (NAAQS) for that pollutant; is classified as “non-attainment” if the levels of ambient air pollution exceed the NAAQS for that pollutant; or is classified as “maintenance” if the monitored pollutants have improved from non-attainment levels to attainment levels. Air basins for which sufficient ambient monitoring data are not available or are designated as “unclassified” for those particular pollutants until actual monitoring data supports formal “attainment” or “non-attainment” classification. The proposed TFLP is within Hydrographic Basin 137A, which is unclassified and therefore, presumed to be in attainment.

 

17.3Permitting

 

The environmental studies, permitting, and social aspects of the TFLP are being managed, and planned to support the proposed mine and mineral processing operation on ABTC’s lode claims. As the MPO is in the process of being drafted, the project mine closure plans, remediation plans, and reclamation plans have not been fully developed and approved. ABTC will continue to work with federal, state, and local agencies to ensure that all permitting will be reviewed and approved in accordance with all applicable regulations (Table 17-2, Table 17-3)

 

Additionally, ABTC intends to develop community engagement plans to identify and ensure an understanding of the needs of the surrounding communities, including Native American communities, and to determine appropriate programs for addressing those needs.

 

barr.com
185

 

Table 17-2 Federal Environmental Permits, Reviews, and Approvals

 

Permit/Approval Agency Requirement Project Phase Status
Exploration Permit BLM and BMRR Required in order to perform any exploration activities on publicly managed federal land.

Preconstruction

Active permit issued

Ongoing
Exploration Reclamation Permit & Bond BLM and BMRR Prior to the initiation of certain exploration projects

Preconstruction

Active permit issued

In Process
Right of Way for Road Access, SF-299 BLM and NDOT Required to establish roadway development for access. Requires public notice & environmental analysis. Preconstruction In Process
Right of Way for Electric Transmission BLM, BMRR, and NDOT Required to establish a Powerline corridor for construction. Requires public notice & Environmental analysis. Preconstruction In Process
Mine Plan of Operations (MPO) & Notice of National Environmental Policy Act (NEPA) Action BLM Notice of NEPA action request submitted with MPO. BLM will determine the level of NEPA action and associated requirements, i.e., Environmental Assessment (EA), Environmental Impact Statement (EIS), etc. Preconstruction In Process
NEPA Compliance BLM For projects that need federal authorizations, permits, or approvals (such as SF-299 issuance for right-of-way). Preconstruction In Process
Section 7 Concurrence USFWS Required as part of NEPA to review projects for compliance with Section 7 of the Endangered Species Act and issue a determination of affect for federally listed threatened or endangered species and any designated critical habitat. Preconstruction Concurrent with NEPA process Not Initiated
Section 106 Concurrence SHPO Required as part of NEPA to review projects for compliance with Section 106 of the National Historic Preservation Act and issue a determination of affect for resources that are either listed or eligible for listing in the National Register of Historic Places. Preconstruction Concurrent with NEPA process Not Initiated
Federal Mine ID Number MSHA Obtained from the MSHA district office where the mine is located Exploration or, Preconstruction Not Initiated
FCC License(s) FCC Required to register through the FCC's Commission Registration System (CORES) to be assigned an FCC Registration Number (FRN). Licenses will be issued for mine radio communication systems.

Construction

Prior to the installation and use of mine radio communications

Not Initiated
Explosives License & Permit ATF Required for blasting on-site

Operation

Prior to active blasting and storage of explosives on site

Not Initiated

 

barr.com
186

 

Permit/Approval Agency Requirement Project Phase Status
Eagle Incidental Take Permit USFWS Required if eagle nesting pairs are identified within the project boundary during EIS baseline surveys

Construction Submit permit application following issuance of ROD

In Process
Water of U.S. Designation ACOE Activities in wetlands and/or Waters of the U.S. (includes dry washes, creeks, lakes, etc.) Preconstruction Concurrent to NEPA process In Process

ACOE = U.S. Army Corps of Engineers

ATF = U.S. Bureau of Alcohol, Tobacco, Firearms and Explosives

BLM = Bureau of Land Management

BMRR = NDEP Bureau of Mining, Reclamation and Regulation

FCC = U.S. Federal Communications Commission

ID = identification

MSHA = U.S. Mine Safety and Health Administration

NDEP = Nevada Division of Environmental Protection

NDOT = Nevada Department of Transportation

SHPO = Nevada State Historic Preservation Office

USFWS = U.S. Fish and Wildlife Service

 

Table 17-3 State of Nevada Environmental Permits, Reviews, and Approvals

 

Permit/Approval Agency Requirement Project Phase Status
Permit to Mine BMRR Required to license and permit all hard rock metal/non-metal mines in Nevada Preconstruction In Preparation
Reclamation Permit BMRR This includes the Bond estimate (SRCE), prior to initiation of mining operations Preconstruction In Preparation
Opening & Closing Mines MST Operators shall notify the Administrator before opening and upon the closing of mine operations

Pre-operation

Minimum of 30 days prior to startup.

In Preparation
Nevada Mine Registration NDOM Operators shall submit a completed form for registration within 30 days after a mine operation begins Operation In Preparation
NDOT ROW Occupancy/ Encroachment Permit NDOT An encroachment permit and an NDOT-approved traffic control plan must be secured before performing the construction of the turn-off connection within the NDOT ROW Preconstruction In Preparation
State General Groundwater Permit BWPC Required prior to construction Preconstruction In Preparation
Air Quality Permit(s) BAPC Required due to air emissions associated with the Project. May have multiple air permits dependent upon applicability (MOPTC, Class I, II, etc.) Preconstruction In Preparation
Dam Permit(s) DDS Permit to Construct Dam; (J-) for ponds & tailings impoundment Preconstruction In Preparation
Water Pollution Control Permit BWPC Process water permit for Operations, prior to the initiation of construction of a process component, or any mining Preconstruction In Preparation

 

barr.com
187

 

Permit/Approval Agency Requirement Project Phase Status
National Pollutant Discharge Elimination System (NPDES) Permit BWPC Prior to construction Preconstruction In Preparation
Stormwater Discharge Permit BWPC Existing Facilities: Within 90 days of issuance of a new General Groundwater Permit. New Facilities: No later than 2 days prior to discharge; Notice of Intent (NOI), Stormwater Pollution Prevention Plan

Preconstruction

Submittal following issuance of General Permit

In Preparation
IAP BWPC Industrial Artificial Pond Permit Preconstruction In Preparation
Class III Landfill Permit BWM Site landfill construction or operation Preconstruction In Preparation
Onsite Sewage Disposal Systems (OSDS) BWPC Septic discharge is regulated under NV General Permit: GNEVOSDS09; depending on volume other agency approval may be required Preconstruction In Preparation
Hazardous Waste Management Permit BWM Prior to the construction of a facility for management or recycling of hazardous waste as identified by NAC 444.8850 Preconstruction In Preparation
State Fire Marshal DSFM Permit to Store Hazardous Material on site Preconstruction In Preparation
Water of the State Appropriations Permits NDWR Required to procure water rights from within the basin to facilitate start-up and operations Preconstruction In Preparation
PWS Operating Permit BSDW Potable water supply system Preconstruction In Preparation
Temporary water use waivers for mineral exploration NDWR Obtain a permit or waiver for temporary use of water for mineral exploration prior to drilling Preconstruction Active - Issued Permit(s) Ongoing
Utilities Permit NDOT and NV Energy Required to locate a utility within a highway ROW or for a utility to cross a highway ROW. Preconstruction In Preparation

BAPC = NDEP Bureau of Air Pollution Control

BMRR = NDEP Bureau of Mining, Reclamation and Regulation

BSDW = NDEP Bureau of Safe Drinking Water

BWM = NDEP Bureau of Waste Management

BWPC = NDEP Bureau of Water Pollution Control

DDS = NDWR Dams & Dam Safety

DSFM = NDPS Division of State Fire Marshal

MST = NDBI Mine Safety and Training

NDBI = Nevada Division of Industrial Relations

NDEP = Nevada Division of Environmental Protection

NDOM = Nevada Division of Minerals

NDOT = Nevada Department of Transportation

NDOW = Nevada Department of Wildlife

NDPS = Nevada Department of Public Safety

NDWR = Nevada Division of Water Resources

ROW = Right of way

 

barr.com
188

 

It should be noted that ABTC holds three claims in Nye county and the current plan considers no operations on those claims.

 

Considering the current regulatory framework, it is reasonable to expect that all required permits and authorizations can likely be obtained for the TFLP due to:

 

The project plans, which optimize the use of site and infrastructure design to limit surface disturbance and include environmental design features to promote environmental protection;

 

The ongoing collaboration between ABTC and the regulatory and administrative agencies at the federal, state, and local levels; and

 

The continued stakeholder engagement actions by ABTC in the local communities as well as at the regional level.

 

Development of the TFLP is likely to have positive impacts on the local communities by providing direct employment in the mining industry and secondary employment in the support industries, income generated from wages and by secondary job employers, and local and state revenues generated through taxes paid by ABTC.

 

barr.com
189

 

18   Capital and Operating Costs

 

18.1Introduction

 

This chapter provides an outline of the estimated capital expenditure (CAPEX) and operating expenditure (OPEX) for the development of the TFLP. The CAPEX and OPEX estimates are based on an ultimate targeted production capacity of 30,000 tpa of LHM.

 

The overall project cost is categorized into two major components within the project boundary:

 

Mining: Inclusive of the ore extraction equipment and infrastructure, as well as the systems required to transport the ore to the refinery

 

Refinery: Inclusive of the processing plant equipment and infrastructure required to convert ore into lithium products

 

Some capital components within the mine scope will be phased in alignment with the refinery’s production scale-up from an initial capacity of 5,000 tpa LHM in year 1, to full production of 30,000 tpa LHM in year 3 along with the commencement of tailings backfill into the mine in year 6.

 

Electrical power for the mining operations and processing facility will be supplied through a hybrid energy model that combines both on-site generation and utility-grid power supply. The capital and operating expenditure associated with this hybrid model have been incorporated into the overall OPEX figures within the mine and processing cost estimates. For further details on this component of the project cost, refer to Section 18.3.3.

 

The costs in this report are presented in 2025 USD on a calendar year basis. No escalation or inflation is included.

 

18.2Capital Cost Estimate

 

The capital cost projections were defined and developed based on the expected quantities of materials, labor, and equipment. The expected quantities were estimated by using engineering drawings, early-stage 3D models, and preliminary facility layouts. The cost data was compiled from vendor quotes, benchmarking from similar lithium projects, and industry-standard estimating factors. All cost values are presented in U.S. dollars and reflect a Class 4 cost estimate classification, as defined within the AACE International Recommended Practice No. 47R-11. This classification typically carries an expected accuracy range of -15% to -30% on the low side, and +20% to +50% on the high side.

 

Mining CAPEX was developed in collaboration with Barr

 

Refining CAPEX was developed by engineering, procurement, and construction (EPC) partner Black & Veatch Corporation (B&V) and validated by Woods

 

Table 18-1 presents the project capital cost estimates, which includes approximately $2.0 billion in initial and pre-production capital expenditures through year 5, and $205.6 million in new and sustaining capital over the remaining mine life. Bringing the total capital requirement over the 45-year mine life considered in this PFS to an estimated $2.2 billion.

 

barr.com
190

 

Table 18-1 Project Capital Estimates

 

Capital Costs ($000) YR
-2
YR
-1
YR
1-2
YR
3-5
YR
6-10
YR
11-20
YR
21-30
YR
31-40
YR
41-45
Total
Pre-Mining Cost $- $10,170 $- $- $- $- $- $- $- $10,170
Mining Capital $- $86,648 $53,360 $3,355 $37,252 $34 $10,099 $15,099 $34 $205,881
Mining Sustaining Capital $- $- $76 $2,141 $8,423 $19,374 $68,995 $21,371 $1,253 $121,632
Process/ Milling $91,234 $373,462 $746,924 $282,228 $- $- $- $- $- $1,493,848
Owner's Costs $778 $3,723 $7,446 $11,169 $14,114 $- $- $- $- $37,230
Closure Provisions $- $- $- $- $- $- $- $- $150 $150
Subtotal $92,012 $474,003 $807,806 $298,894 $59,789 $19,408 $79,094 $36,470 $1,437 $1,868,912
Contingency $18,247 $89,215 $157,389 $56,949 $5,588 $5 $1,515 $2,265 $5 $331,177
Total Capital ($000) $110,259 $563,219 $965,195 $355,843 $65,377 $19,413 $80,609 $38,735 $1,442 $2,200,090

yr = year

 

Process capital was estimated by ABTC and Woods, while mining, infrastructure, and other capital were estimated by ABTC and Barr.

 

Preproduction capital was estimated based on mining, processing, owner’s, and contingency costs required in the preproduction period in Year -1 and -2. The mining capital cost estimates assume the owner will procure and own the mining equipment and hire the personnel needed to achieve the proposed production targets. It is worth mentioning that most of the cost for site closure is included in the mine OPEX because most of the mine reclamation and closure activities will be self-performed.

 

The infrastructure costs for the project are allocated across the mining and refining CAPEX as presented in Table 18-2 and Table 18-3. Additional details on infrastructure costs will be developed through subsequent studies. Contingencies were individually added to the areas of the project at an average of approximately 18% of the estimated capital costs for the project. Capital costs in this report have an expected accuracy of +/-25% based on AACE International guidance related to Class 4 capital cost estimates.

 

18.2.1Mining Capital Cost Estimates

 

The capital cost for mining is based on mine design, mine plan, production schedules, and planned mine development activities. The mining fleet is comprised of primary loading and hauling equipment as well as road maintenance and dump support units. A significant expansion of the fleet occurs prior to the refinery capacity increase to 30,000 tpa of LHM production, and when in-pit backfilling operations commence following the completion of mining Phase 1.

 

barr.com
191

 

Ther truck shop facility is a service center designed to support heavy equipment operations. It includes areas for equipment maintenance, spare parts warehousing, mine and maintenance offices, logistics coordination, and wash bays equipped with water recycling systems. The facility is designed to service a fleet of up to thirty 240 t haul trucks, with four full-size service bays. The service bays are equipped with 50 t capacity overhead cranes, mobile hydraulic column lifts, tire handling systems, diagnostic and calibration systems, welding and fabrication tools, and specialized tooling for servicing both electric and autonomous trucks.

 

General shop tools include heavy-duty tool sets, hydraulic and pneumatic tools, shop floor equipment, workbenches with integrated storage, as well as portable lighting and power tools to support a wide range of maintenance tasks.

 

Table 18-2 Mining Capital Estimates

 

Mine Capital Costs ($000) YR
-2
YR
-1
YR
1-2
YR
3-5
YR
6-10
YR
11-20
YR
21-30
YR
31-40
YR
41-45
Total
Mine Development $- $10,170 $- $- $- $- $- $- $- $10,170
Mine Equipment $- $46,240 $35,593 $3,355 $30,307 $- $10,065 $10,065 $- $135,625
Mine Infrastructure $- $16,436 $7,311 $- $6,082 $- $- $- $- $29,829
Mine Communications $- $384 $1,031 $- $829 $- $- $- $- $2,244
Mine Contingency Cost $- $14,544 $8,004 $503 $5,588 $5 $1,515 $2,265 $5 $32,429
Initial Mine Capital ($000) $- $111,501 $61,364 $3,858 $42,840 $39 $11,614 $17,364 $39 $248,619
Mine Sustaining Capital $- $- $76 $2,141 $8,423 $19,374 $68,995 $21,371 $1,253 $121,632
Total Mine Capital ($000) $- $111,501 $61,440 $6,000 $51,262 $19,413 $80,609 $38,735 $1,292 $370,252

yr = year

 

The initial stock and spare parts inventory will cover haul truck tires, engine and transmission components, hydraulic and electrical components, and wear parts sufficient for the initial year of production. Other supporting infrastructure will cover power supply equipment, HVAC and ventilation systems, water and waste systems, IT and communications systems, and safety and environmental equipment.

 

NDEP and MSHA regulations mandate proper management of wash water to prevent contamination (e.g., oil, grease, heavy metals). A dedicated truck wash with water recycling and waste treatment is standard for large mining fleets. The wash bay facility is steel framed and enclosed with drainage and waterproofing. An automated high-pressure wash system will employ gantry or robotic arms for 360-degree cleaning. The water recycling system treats sludge to meet NDEP standards.

 

It is assumed that the initial mining fleet is diesel powered. The fuel farm facility requires diesel storage tanks for up to two weeks of capacity, as well as pumps, dispensers, secondary containment, and fire suppression and monitoring systems. The facility must be constructed to meet MSHA, Nevada Occupational Safety and Health Administration (OSHA), and NDEP compliance regulations.

 

barr.com
192

 

Ultimate capacity of the fuel farm is scaled at 1,200,000 liters. The facility will be constructed in phases with three 400,000-liter capacity above-ground, double-walled steel tanks.

 

Beneficiation and refinery tailings will be conveyed away from the refinery and stacked at storage and transfer facilities via 1.2 m (48-inch) wide conveyors.

 

The mine is designed to reach depths exceeding 200 m from the surface, with concurrent mining and backfilling activities taking place in adjacent mining phases. To ensure the safety of personnel and equipment, highwalls will be continuously monitored using a radar-based slope stability monitoring system.

 

The mine will require a communications mesh to facilitate equipment dispatching, fleet monitoring, and production reporting.

 

Pre-stripping and site capital includes approximately six months of pre-mining site development projects such as access and haul roads construction, slime wash diversion with water retention ponds, and the ROM pad base construction.

 

18.2.2Refinery CAPEX

 

Refinery direct capital cost estimates were developed in coordination with B&V estimating. Engineering and project management staff are based on FEL2 design work conducted in 2024-2025. The refinery CAPEX was detailed in a Class 4 estimate inclusive of Work Breakdown Structure (WBS) coding. Refinery Phase 1 CAPEX cost is inclusive of all the sitework, supporting buildings, and the initial processing equipment installation for a 5,000 tpa product output. Phase 2 and Phase 3 CAPEX are inclusive of expansion of processing capacity of 12,500 tpa each, to meet the 30,000 tpa product output (Table 18-4). During the Class 4 estimate, primary equipment costs were obtained through vendor quotations, while secondary equipment costs were derived from industry-standard cost database(s). Preliminary G&A and 3D modeling were completed as part of this phase. Bulk material quantities and cost estimates were benchmarked against recent, comparable projects in the region. For non-modeled areas, costs were generated using an industry-standard Lang Factor-Based Approach to calculate the installation cost.

 

Refinery indirect capital cost was estimated with the industry-standard estimating factor of 5% over direct cost, and contingency cost was estimated with the industry-standard estimating factor of 20%.

 

barr.com
193

 

Table 18-3 Overview of Refinery Direct Capital Costs ($000)

 

Refinery Area ($ 000)
Comminution & Screening $15,069
Beneficiation $97,231
Extraction $270,813
Impurity Removal $252,700
Sulfate Crystallization $27,746
Hydroxide Conversion $229,296
Site Infrastructure $642,158
Total Direct Capital Cost $1,422,713

 

Table 18-4 Refinery Capital Cost Timeline ($ 000s)

 

Description YR -2 YR -1 YR 1-2 YR 3-5 Total
Phase 1 (5,000 tpa) $86,890 $86,890 $173,779 $- $347,558
Phase 2 (12,500 tpa) $- $134,808 $269,617 $134,808 $539,234
Phase 3 (12,500 tpa) $- $133,980 $267,960 $133,980 $535,921
Subtotal - Direct $86,890 $355,678 $711,356 $28,789 $1,422,713
Indirect $4,344 $17,784 $35,568 $13,439 $71,136
Contingency $18,247 $74,692 $149,385 $56,446 $298,770
Total Capital Cost $109,481 $448,155 $ 896,309 $338,674 $1,792,618

tpa = tons per annum

yr = year

 

18.3OPEX Estimate

 

The LOM operating cost estimates for the project are presented in Table 18-5. These estimates include costs associated with mining, processing and refining, G&A expenses, ore handling, tailings handling, coarse gangue handling, tailings backfill, energy consumption, reclamation and closure, maintenance, and other operational support services. The data used to estimate these costs was derived from a combination of vendor quotes, current equipment performance, operational experience, and historic data with appropriate escalation.

 

barr.com
194

 

Table 18-5 Operating Cost Summary

 

Cost Area Description LOM Total Cost LOM Average Unit OPEX Cost OPEX Percent
($ 000s) ($ 000s/Year) ($/t LHM) (%)
Total Mining Cost $3,247,358 $70,595 $2,476 35.4%
Process/Refining $5,649,008 $122,805 $4,307 61.6%
General & Administrative $171,953 $3,738 $131 1.9%
Reclamation Cost $105,331 $2,290 $80 1.1%
Operating Cost $9,173,650 $199,428 $6,994 100.0%
%= percent

LHM – lithium hydroxide monohydrate

LOM = life of mine

OPEX = operating expenditure

t = tonne

 

The operating costs are based on the LOM production schedule and mine plan, which were developed to support the refinery’s ore feed rate of approximately 12.4 Mtpa and LHM production rate of 30,000 tpa.

 

18.3.1Mining OPEX Estimates

 

Mine operating cost estimates were developed based on key functional areas, including mine production (drill, blast, load, haul), mine maintenance, labor and staffing, ROM ore handling, tailings handling, tailings backfilling, mine support services, and other direct mining-related overhead costs. As previously noted, the cost data were sourced from vendors, current equipment performance, operational experience, and historical data. Primary cost drivers include consumables (fuels, parts, blasting supplies, tires, power, etc.), tailings handling, equipment maintenance, labor, and overhead costs associated with mining operations and mobile equipment support.

 

As shown in Table 18-6, the mine operating costs are organized into the following major categories:

 

Mining Cost: Include direct pre-production and LOM costs associated with the extraction of both for ore and waste materials

 

Stockpile Rehandling: No costs are allocated under this category, as the project mine plan does not include any stockpile rehandling activities

 

Ore Handling: Represents the operating cost of sizing and transporting ore or mill feed from the ROM pad to the ROM hopper or bin

 

Tailings Handling: Covers the cost of transporting tailings and coarse gangues materials from the refinery to the designated tailings and coarse gangue dumps using conveyors and stackers

 

Tailings Backfill: Encompasses the costs of loading and transporting tailings and coarse gangues from the mill area (or other designated locations) to the backfill dumps

 

barr.com
195

 

Table 18-6 Mining Operating Costs Summary

 

Cost Activity Material Moved OPEX Total Cost OPEX Unit Cost Weighted Moved
(ktonnes) ($000) ($/t) ($/t moved)
Total Mining 716,720 $2,328,377 $3.25 $1.27
Stockpile Rehandle - $- $- $-
Ore Handling 559,848 $281,320 $0.50 $0.15
Tailings Handling 294,383 $260,758 $0.89 $0.14
Tailings Backfill 265,465 $376,902 $1.42 $0.21
Mining OPEX 1,836,417 $3,247,358 N/A $1.77

ktonnes = kilotonnes

OPEX = operating expenditure

t = tonne

 

The weighted average mining costs, as presented in Table 18-6 and Figure 18-1, provide a consistent basis for comparing the key cost categories. While mining accounts for the largest cost component, it also includes the costs for supporting activities such as dozer and grade operations, water truck usage, fuel and lube truck usage, and other ancillary services.

 

 

Figure 18-1 Mining Operating Costs (weighted $/t moved)

 

barr.com
196

 

Table 18-7 shows mine production tonnages, operating costs, and unit operating costs, categorized by the key components and specific production intervals throughout the LOM.

 

Table 18-7 Mining Operating Costs By Period

 

Description / Period YR
-1
YR
1-2
YR
3-5
YR
6-10
YR
11-20
YR
21-30
YR
31-40
YR
41-45
Total/ Average
Total Mining Quantity, ktonne 6,598 35,618 61,314 87,291 141,766 159,905 156,580 67,647 716,720
Ore Handling Quantity, ktonne - 12,861 42,258 65,425 125,791 123,730 122,773 67,011 559,848
Tailings Handling Quantity, ktonne - 12,861 42,258 38,262 46,215 78,203 60,466 16,119 294,383
Tailings Backfill Quantity, ktonne - - - 27,163 79,577 45,526 62,307 50,892 265,465
Total Mining Cost, $000 $17,449 $65,886 $130,108 $254,842 $548,412 $492,669 $565,465 $253,546 $2,328,377
Ore Handling Cost, $000 $- $12,509 $18,757 $31,254 $62,508 $62,520 $62,508 $31,266 $281,320
Tailings Handling Cost, $000 $- $6,886 $17,715 $29,516 $59,032 $59,047 $59,032 $29,531 $260,758
Tailings Backfill Cost, $000 $- $- $- $32,366 $103,757 $61,337 $104,194 $75,248 $376,902
Total Mining
$/t-mined
$2.64 $1.85 $2.12 $2.92 $3.87 $3.08 $3.61 $3.75 $3.25
Ore Handling $/t-ore $- $0.97 $0.44 $0.48 $0.50 $0.51 $0.51 $0.47 $0.50
Tailings Handling
$/t-tailings
$- $0.54 $0.42 $0.77 $1.28 $0.76 $0.98 $1.83 $0.89
Tailings Backfill $/t-backfill $- $- $- $1.19 $1.30 $1.35 $1.67 $1.48 $1.42

ktonnes = kilotonnes

t = tonne

yr = year

 

The mine operating cost breakdown provided above includes the costs of diesel and power. Table 18-8 summarizes the diesel and power consumption, with local supply price rate estimated at $0.69 per liter and $0.035 per kWh, respectively. Over the LOM, total consumption will be approximately 813 million liters of diesel and 8 million kWh of power to support mining and closure activities.

 

barr.com
197

 

Table 18-8 Energy Usage By Mining Activity

 

Mining Category Diesel Usage Power Usage OPEX Cost
(liters) (kWh) (US$)
Mining/Tailings-Backfill 548,138,913 - $378,659,976
Stockpile Rehandling - - -
ROM Ore Handling 73,515,739 1,138,047 $50,825,257
Tailings/Coarse Gangue Handling - 7,076,482 $247,677
Reclamation/Closure 192,243,656 - $132,803,887
Total Mining Energy 813,898,308 8,214,528 $562,536,796

kWh = kilowatt

 

18.3.2Refining OPEX

 

Refinery process operating costs were developed by ABTC and validated by Woods.

 

Reagent and energy consumption are the key drivers of refining OPEX (Table 18-9). Both reagent and energy consumption rates were developed and modeled in both METSIM and Aspen software and validated at ABTC’s lithium pilot plant facility, including a two-week continuous run.

 

Table 18-9 Refinery OPEX Cost Summary

 

OPEX $/t LHM
Energy $2,877
Reagents $913
Labor $517
Total $4,307

LHM = lithium hydroxide monohydrate

OPEX = operating expenditure

t = tonne

 

18.3.2.1Refining Reagents

 

The primary reagent cost is from flux added during pretreatment. This reagent is locally recycled within the process, with a recovery rate expected above 80%. The net reagent consumption rate is therefore used in OPEX calculations. Other produced intermediate products are internally recycled. The process is expected to produce a surplus of sulfuric acid, though at this time no revenue offsets are considered within the OPEX calculations. Reagent costs per tonne were determined through a mix of vendor quotes and industrial database or market study references.

 

The primary waste from the process consists of leach tailings and precipitation solids, but no OPEX is attributed to these within the refinery as they are handled by backfilling operations under the mining and infrastructure areas. Insignificant quantities of impurity purge waste are expected from concentrated IX regeneration and purge streams, which will be handled at the site’s small local collection basin to concentrate before offsite disposal. This disposal is included in the reagent OPEX estimate.

 

barr.com
198

 

18.3.2.2Refining Energy

 

Energy is the primary cost driver for lithium production from the facility. A blended energy rate was developed for pass-through from the solar facility and grid to satisfy the plant energy demands. Primary energy uses were specifically modeled where accessory energy uses were factored. Overall plant demand factors were also used to develop an overall annual and per-product-tonne energy consumption.

 

The project infrastructure includes a shared 120 kV interconnection substation, facilitating efficient use of equipment and streamlined distribution between the solar and battery system and the plant’s electrical network. This co-location and system integration strategy minimizes redundancy costs, reduces capital and operational costs, and improves reliability. ABTC has designated the 120 kV substation as an integral component of the solar and battery project, and has included all associated costs, such as substation infrastructure, protection systems, metering, and interconnection equipment, within the solar and battery financial model. This approach reflects the substation’s core role in enabling utility interconnection, managing bidirectional power flow, and supporting import/export metering for the solar facility. Critically, this approach also insulates the project from long-term utility electricity price inflation. By securing a majority of the facility’s energy needs through fixed-cost, on-site generation, ABTC has de-risked and optimized a major input cost over the life of the project. While grid power may still be used during periods of low solar output, the dependence on volatile wholesale and retail electricity markets is significantly reduced.

 

The resulting blended electricity rate of $0.035/kWh reflects the effective cost of delivering both utility-sourced and self-generated electricity to the processing plant and mine. This internal rate is used directly in the project’s energy cost model and is not tracked as a separate OPEX item, as the energy infrastructure is fully integrated into the facility’s overall capital and operating structure. The approach to providing onsite power generation and storage is described further below.

 

18.3.2.3Refining Labor

 

The refinery process operation is expected to require a staff of approximately 125 personnel separate from mining and G&A labor. An organizational structure was developed including salaried and hourly staff counts along with shift teams and shift schedule. Fully burdened labor rates were developed using Nevada and mining industry reference data. Table 18-10 shows the staff count by job type for the refinery.

 

Table 18-10 Estimated Refinery Labor

 

Job Type Staff Count
Plant Management 4
Plant Operations 72
Maintenance Personnel 29
Metallurgy and Laboratory 13
Warehouse and Support 5

 

barr.com
199

 

18.3.3Energy Cost

 

The project’s electrical energy supply will be sourced from a combination of NV Energy grid power and an on-site solar and battery storage system. The solar and battery storage system is structured as an internal power provider, functioning as a cost-neutral entity that delivers electricity directly to the mine and refinery.

 

To evaluate the cost of energy supply for the facility, a capital cost model was developed for the co-located solar photovoltaic and battery storage system using industry-standard tools and benchmarks. System sizing was informed by real-world solar irradiance profiles specific to Tonopah, Nevada, based on modeled daily production curves for both summer and winter conditions. These profiles informed system capacity sizing to align with seasonal energy production to match generation to the plant demand. The model was developed by the ABTC’s engineering team and reviewed by Barr.

 

System performance and output were analyzed using the National Renewable Energy Laboratory’s (NREL) Photovoltaic (PV) Watts, PV System Cost Model (PVSCM), and System Advisor Model (SAM) calculation modules, which provided detailed hourly energy generation forecasts and system loss modeling. The capital cost estimate was developed using NREL utility-scale cost benchmarks and reflects a full EPC deployment consistent with current industry norms for similar projects.

 

The capital cost model also includes the construction of a 120 kV substation, which serves as the primary interconnection point between the facility and the utility grid. ABTC has designed the solar, battery, and substation systems holistically to optimize infrastructure between the plant substation and the energy substation. Which enabled shared transformers, switchgear, and protection systems where practical. This approach minimizes redundant equipment, reduces capital costs, and supports system resilience and operational flexibility.

 

The site’s estimated electric utility bill was determined by calculating grid import requirements during periods of low on-site generation and applying NV Energy’s LGS-3 (Large General Service) rate structure. The utility billing analysis consolidates demand charges, energy charges, and facility charges into a simplified $/kWh rate for modeling costs in a financial model. The seasonal effective rates are summer at $0.067/kWh and winter at $0.065/kWh.

 

Solar operations and maintenance (O&M) costs were estimated based on ongoing operational, maintenance, and financial support requirements, using published cost benchmarks from NREL. These values were adjusted to reflect the project’s scale, configuration, and regional labor and service conditions.

 

The implied blended electricity rate of $0.0350/kWh represents a levelized cost of energy from a hybrid model, including delivery from the on-site solar generation and battery storage facility and the estimated cost of grid electricity supplied by NV Energy under LGS-3 tariff. The blended rate was derived from a discounted cash flow model that solved for the minimum rate needed to achieve financial breakeven (NPV = $0) after accounting for all solar generation and battery storage system capital and operating costs (including escalation), the estimated utility bill for purchased power from the grid, taxes, and debt service. Debt financing was assumed within the financial model using market comparable debt terms.

 

As this internal rate fully accounts for lifecycle system costs, ABTC has not presented a separate solar financial model; all solar-related expenses are embedded within the blended electricity rate and treated as part of the facility’s electricity cost included in the project’s OPEX, effectively structured as an internal power provider.

 

barr.com
200

 

18.3.4General and Administrative OPEX

 

The G&A operating costs have been estimated based on personnel, supplies, and expenses. G&A costs are shown in Table 18-11 and Table 18-12, with a total 45-year cost of $172 million.

 

Table 18-11 G&A Operating Costs – Personnel ($000s)

 

Personnel Costs YR
-1
YR
1-2
YR
3-5
YR
6-10
YR
11-20
YR
21-30
YR
31-40
YR
41-45
Total
Construction Management Personnel $458 $170 $- $- $- $- $- $- $628
Admin Personnel $648 $2,436 $3,654 $6,090 $12,181 $12,181 $12,181 $6,090 $55,461
Safety & Security Personnel $313 $1,213 $2,225 $3,757 $8,036 $7,514 $7,891 $4,047 $34,997
Environmental Personnel $329 $659 $988 $1,647 $3,295 $3,295 $3,295 $1,647 $15,156
Total Personnel Costs $1,748 $4,479 $6,868 $11,495 $23,511 $22,990 $23,366 $11,785 $106,242

yr = year

 

Table 18-12 G&A Operating Costs – General ($000s)

 

General Costs YR
-1
YR
1-2

YR

3-5

YR

6-10

YR

11-20

YR

21-30

YR

31-40

YR

41-45

Total
Construction Management Expenses $200 $100 $- $- $- $- $- $- $300
Supplies & General Maintenance $144 $288 $432 $720 $1,440 $1,440 $1,440 $720 $6,624
Land Holdings $115 $230 $345 $575 $1,150 $1,150 $1,150 $575 $5,290
Off Site Overhead $18 $36 $54 $90 $180 $180 $180 $90 $828
Legal, Audits, Consulting, MSHA $49 $98 $147 $245 $490 $490 $490 $245 $2,254
Computers, IT, Internet, Software, Hardware $66 $132 $198 $330 $660 $660 $660 $330 $3,036
Environmental, Monitoring Wells, Reporting $200 $400 $600 $1,000 $2,000 $2,000 $2,000 $1,000 $9,200
Expense Exploration Drilling $100 $200 $300 $500 $1,000 $1,000 $1,000 $500 $4,600
Donations, Dues, Public Relations $30 $60 $90 $150 $300 $300 $300 $150 $1,380

 

barr.com
201

 

General Costs YR
-1
YR
1-2

YR

3-5

YR

6-10

YR

11-20

YR

21-30

YR

31-40

YR

41-45

Total
Fees, Licenses, Misc Taxes, Insurance $240 $480 $720 $1,200 $2,400 $2,400 $2,400 $1,200 $11,040
Travel, Lodging, Meals, Entertainment $54 $108 $162 $270 $540 $540 $540 $270 $2,484
Telephones, Computers, Cell Phones $78 $156 $234 $390 $780 $780 $780 $390 $3,588
Light Vehicle Maintenance, Fuel $121 $295 $448 $747 $1,493 $1,493 $1,493 $747 $6,837
Small Tools, Janitorial, Safety Supplies $66 $132 $198 $330 $660 $660 $660 $330 $3,036
Equipment Rentals $60 $120 $180 $300 $600 $600 $600 $300 $2,760
Access Road Maintenance $48 $96 $144 $240 $480 $480 $480 $240 $2,208
Office Power $- $11 $16 $27 $55 $55 $55 $27 $247
Total General G&A Costs $1,589 $2,942 $4,268 $7,114 $14,228 $14,228 $14,228 $7,114 $65,711

G&A = general and administrative

IT = information technology

MSHA = U.S. Mine Safety and Health Administration

yr = year

 

barr.com
202

 

19   Economic Analysis

 

The economic analysis is based on the sale of the lithium product at $23,000/t LHM and nominal 2025 dollars. Capital costs are expressed in U.S. dollars with no escalation or inflation unless stated otherwise.

 

The PFS results are as follows:

 

The economic analysis presented in this report limits the project to a mine life of approximately 45 years without exhausting the known mineral resources

 

Approximately 559.8 Mt processed over the 45-year LOM

 

Average head grade of 805 ppm Li, and beneficiated grade of approximately 2,100 ppm

 

$2.0 billion in total facility initial capital costs

 

Processing costs of $4,307/t LHM

 

Overall mining, processing, and G&A operating costs of $6,994/t produced LHM

 

Average production of 30,000 tpa of LHM

 

$4.70 billion After-Tax NPV (5%)

 

$2.57 billion After-Tax NPV (8%)

 

$1.75 billion After-Tax NPV (10%)

 

21.8% IRR

 

7.5-year payback of initial investment

 

The economic assumptions include the costs as summarized in Section 18.0, with other assumptions as follows:

 

Selling price of $23,000/t LHM

 

Federal tax rate of 21%

 

Nevada net proceeds tax of 5%

 

The mining and process physicals used for the economic analysis were summarized based on the mine and process production schedules and are presented in Table 19-1. Total LHM produced is 1,311,609 tonnes over the 45-year course of the mine life.

 

barr.com
203

 

Table 19-1 PFS Production Schedule

 

Mine Production Units YR
-1
YR
1
YR
2
YR
3
YR
4
YR
5
YR
6-10
YR
11-20
YR
21-30
YR
31-40
YR
41-45
Total
Total Above Cut-Off ktonnes - 3,293 9,568 15,208 11,405 15,645 65,425 125,791 123,730 122,773 67,011 559,848
ppm Li - 522 595 678 904 659 788 820 833 840 770 805
Li Tonnes - 1,719 5,693 10,312 10,312 10,312 51,562 103,125 103,125 103,125 51,579 450,866
ppm LHM - 3,163 3,606 4,110 5,480 3,995 4,776 4,969 5,051 5,091 4,665 4,881
LHM Tonnes - 10,417 34,504 62,500 62,500 62,500 312,500 625,000 625,000 625,000 312,598 2,732,519
Total Waste ktonnes 6,598 10,325 12,432 6,747 5,954 6,355 21,866 15,975 36,175 33,807 637 156,872
Total Mined ktonnes 6,598 13,618 22,000 21,954 17,360 22,000 87,291 141,766 159,905 156,580 67,647 716,720
Strip Ratio W:O NA 3.14 1.30 0.44 0.52 0.41 0.33 0.13 0.29 0.28 0.01 0.28
Material Processed Units YR
-1
YR
1
YR
2
YR
3
YR
4
YR
5
YR
6-10
YR
11-20
YR
21-30
YR
31-40
YR
41-45
Total
  ktonnes - 3,293 9,568 15,208 11,405 15,645 65,425 125,791 123,730 122,773 67,011 559,848
ppm Li - 522 595 678 904 659 788 820 833 840 770 805
Li Tonnes - 1,719 5,693 10,312 10,312 10,312 51,562 103,125 103,125 103,125 51,579 450,866
ppm LHM - 3,163 3,606 4,110 5,480 3,995 4,776 4,969 5,051 5,091 4,665 4,881
LHM Tonnes - 10,417 34,504 62,500 62,500 62,500 312,500 625,000 625,000 625,000 312,598 2,732,519
LHM Tonnes Recovered - 5,000 16,562 30,000 30,000 30,000 150,000 300,000 300,000 300,000 150,047 1,311,609

ktonnes = kilotonnes

ppm = parts per million

LHM = Lithium hydroxide monohydrate

W:O = Waste-to-Ore ratio

yr = year

 

barr.com
204

 

Table 19-2 Project Cash Flow

 

Cash Inflows ($000) YR
- 2
YR
- 1
YR
1
YR
2
YR
3
YR
4
YR
5
YR
6
YR
7
YR
8
YR
9
YR
10
YR
11
YR
12
YR
13
YR
14
YR
15
LHM Sales $- $- $115,000 $380,926 $690,000 $690,000 $690,000 $690,000 $690,000 $690,000 $690,000 $690,000 $690,000 $690,000 $690,000 $690,000 $690,000
Total Revenue $- $- $115,000 $380,926 $690,000 $690,000 $690,000 $690,000 $690,000 $690,000 $690,000 $690,000 $690,000 $690,000 $690,000 $690,000 $690,000
Cash Outflows ($000s) YR
- 2
YR
- 1
YR
1
YR
2
YR
3
YR
4
YR
5
YR
6
YR
7
YR
8
YR
9
YR
10
YR
11
YR
12
YR
13
YR
14
YR
15
Operating Cost ($000)
Mining $- $(17,449) $(37,309) $(47,971) $(56,021) $(53,687) $(56,872) $(62,413) $(66,876) $(74,614) $(71,454) $(72,621) $(71,479) $(76,482) $(82,387) $(76,082) $(75,570)
Processing $- $- $(20,693) $(70,893) $(129,238) $(129,238) $(129,238) $(129,238) $(129,238) $(129,238) $(129,238) $(129,238) $(129,238) $(129,238) $(129,238) $(129,238) $(129,238)
G&A $- $(3,337) $(3,814) $(3,606) $(3,693) $(3,722) $(3,722) $(3,722) $(3,722) $(3,722) $(3,722) $(3,722) $(3,722) $(3,722) $(3,722) $(3,722) $(3,751)
Total Operating Cost   $(20,786) $(61,817) $(122,470) $(188,952) $(186,646) $(189,832) $(195,373) $(199,835) $(207,573) $(204,413) $(205,581) $(204,438) $(209,442) $(215,346) $(209,041) $(208,558)
Taxes ($000)
NV Net Proceeds Tax (5%) $- $- $(1,541) $(10,324) $(20,614) $(20,659) $(20,505) $(20,171) $(19,904) $(19,450) $(19,587) $(24,909) $(24,954) $(24,720) $(24,448) $(24,701) $(24,727)
Federal Income Tax (21%) $- $- $- $- $- $(13,717) $(13,614) $(12,925) $(12,748) $(27,664) $(65,472) $(64,043) $(64,852) $(63,957) $(62,419) $(63,310) $(64,141)
45X MPTC Tax Credit
(-10%)
$- $- $- $- $- $13,717 $10,779 $5,685 $- $- $- $- $- $- $- $- $-
Total Income Taxes $- $- $(1,541) $(10,324) $(20,614) $(20,659) $(23,339) $(27,412) $(32,652) $(47,113) $(85,059) $(88,951) $(89,806) $(88,676) $(86,867) $(88,011) $(88,867)
Capital Expenditures ($000)
G&A Capital $(778) $(3,723) $(3,723) $(3,723) $(3,723) $(3,723) $(3,723) $(3,723) $(3,723) $(3,723) $(2,945) $- $- $- $- $- $-
Mining Capital $- $(111,341) $(16,192) $(45,248) $(3,943) $(1,057) $(1,000) $(12,721) $(12,733) $(20,544) $(1,000) $(4,264) $(1,505) $(1,000) $(2,689) $(4,500) $(1,000)
Process Capital $(109,481) $(448,155) $(448,155) $(448,155) $(338,674) $- $- $- $- $- $- $- $- $- $- $- $-
Sitework and Reclamation $- $- $- $- $- $- $- $- $- $- $- $- $- $- $- $- $-
Total Capital Expenditures $(110,259) $(563,219) $(468,070) $(497,125) $(346,340) $(4,780) $(4,723) $(16,444) $(16,456) $(24,267) $(3,945) $(4,264) $(1,505) $(1,000) $(2,689) $(4,500) $(1,000)
Grants ($000)
Government Grant Payments $- $54,740 $3,002 $- $- $- $- $- $- $- $- $- $- $- $- $- $-
Total Grants $- $54,740 $3,002 $- $- $- $- $- $- $- $- $- $- $- $- $- $-
Cash Flow ($000) YR
- 2
YR
- 1
YR
1
YR
2
YR
3
YR
4
YR
5
YR
6
YR
7
YR
8
YR
9
YR
10
YR
11
YR
12
YR
13
YR
14
YR
15
After Tax Cash Flow Analysis (Unlevered)
Revenue $- $- $115,000 $380,926 $690,000 $690,000 $690,000 $690,000 $690,000 $690,000 $690,000 $690,000 $690,000 $690,000 $690,000 $690,000 $690,000
Operating Costs $- $(20,786) $(61,817) $(122,470) $(188,952) $(186,646) $(189,832) $(195,373) $(199,835) $(207,573) $(204,413) $(205,581) $(204,438) $(209,442) $(215,346) $(209,041) $(208,558)
Tax Payables $- $- $(1,541) $(10,324) $(20,614) $(20,659) $(23,339) $(27,412) $(32,652) $(47,113) $(85,059) $(88,951) $(89,806) $(88,676) $(86,867) $(88,011) $(88,867)
Capital Expenditures $(110,259) $(563,219) $(468,070) $(497,125) $(346,340) $(4,780) $(4,723) $(16,444) $(16,456) $(24,267) $(3,945) $(4,264) $(1,505) $(1,000) $(2,689) $(4,500) $(1,000)
Grants Reimbursement $- $54,740 $3,002 $- $- $- $- $- $- $- $- $- $- $- $- $- $-
Net Cash Flow (unlevered) $(110,259) $(529,264) $(413,425) $(248,993) $134,095 $477,915 $472,106 $450,772 $441,056 $411,046 $396,583 $391,204 $394,250 $390,882 $385,097 $388,449 $391,574
Cumulative Net Cash Flow $(110,259) $(639,523) $(1,052,948) $(1,301,941) $(1,167,846) $(689,931) $(217,825) $232,947 $674,003 $1,085,050 $1,481,632 $1,872,837 $2,267,087 $2,657,968 $3,043,066 $3,431,514 $3,823,088

 

barr.com
205

 

Cash Inflows ($000) YR
16
YR
17
YR
18
YR
19
YR
20
YR
21
YR
22
YR
23
YR
24
YR
25
YR
26
YR
27
YR
28
YR
29
YR
30
YR
31
LHM Sales $690,000 $690,000 $690,000 $690,000 $690,000 $690,000 $690,000 $690,000 $690,000 $690,000 $690,000 $690,000 $690,000 $690,000 $690,000 $690,000
Total Revenue $690,000 $690,000 $690,000 $690,000 $690,000 $690,000 $690,000 $690,000 $690,000 $690,000 $690,000 $690,000 $690,000 $690,000 $690,000 $690,000
Cash Outflows ($000) YR
16
YR
17
YR
18
YR
19
YR
20
YR
21
YR
22
YR
23
YR
24
YR
25
YR
26
YR
27
YR
28
YR
29
YR
30
YR
31
Operating Cost ($000)
Mining $(74,354) $(84,671) $(79,787) $(76,189) $(76,707) $(75,562) $(70,806) $(73,597) $(73,385) $(73,075) $(70,974) $(72,156) $(69,238) $(77,202) $(82,349) $(83,267)
Processing $(129,238) $(129,238) $(129,238) $(129,238) $(129,238) $(129,238) $(129,238) $(129,238) $(129,238) $(129,238) $(129,238) $(129,238) $(129,238) $(129,238) $(129,238) $(129,238)
G&A $(3,838) $(3,838) $(3,838) $(3,838) $(3,751) $(3,722) $(3,722) $(3,722) $(3,722) $(3,722) $(3,722) $(3,722) $(3,722) $(3,722) $(3,722) $(3,722)
Total Operating Cost $(207,430) $(217,747) $(212,862) $(209,264) $(209,696) $(208,522) $(203,765) $(206,556) $(206,345) $(206,035) $(203,933) $(205,115) $(202,198) $(210,162) $(215,308) $(216,227)
Taxes ($000)
NV Net Proceeds Tax (5%) $(24,779) $(24,342) $(24,657) $(24,825) $(24,820) $(24,883) $(25,109) $(24,938) $(24,966) $(24,981) $(25,077) $(25,042) $(25,228) $(24,844) $(24,602) $(24,534)
Federal Income Tax (21%) $(64,355) $(61,523) $(63,252) $(63,972) $(63,883) $(60,841) $(62,953) $(64,002) $(64,555) $(62,590) $(64,334) $(64,798) $(63,529) $(61,666) $(60,832) $(60,851)
45X MPTC Tax Credit
(-10%)
$- $- $- $- $- $- $- $- $- $- $- $- $- $- $- $-
Total Income Taxes $(89,134) $(85,865) $(87,908) $(88,797) $(88,702) $(85,724) $(88,063) $(88,940) $(89,522) $(87,570) $(89,411) $(89,840) $(88,757) $(86,510) $(85,434) $(85,385)
Capital Expenditures ($000)
G&A Capital $- $- $- $- $- $- $- $- $- $- $- $- $- $- $- $-
Mining Capital $(1,057) $(4,662) $(1,000) $(1,000) $(1,000) $(17,097) $(11,065) $(3,459) $(1,000) $(10,657) $(4,355) $(1,000) $(9,774) $(11,065) $(11,137) $(9,940)
Process Capital $- $- $- $- $- $- $- $- $- $- $- $- $- $- $- $-
Sitework and Reclamation $- $- $- $- $- $- $- $- $- $- $- $- $- $- $- $-
Total Capital Expenditures $(1,057) $(4,662) $(1,000) $(1,000) $(1,000) $(17,097) $(11,065) $(3,459) $(1,000) $(10,657) $(4,355) $(1,000) $(9,774) $(11,065) $(11,137) $(9,940)
Grants ($000)
Government Grant Payments $- $- $- $- $- $- $- $- $- $- $- $- $- $- $- $-
Total Grants $- $- $- $- $- $- $- $- $- $- $- $- $- $- $- $-
Cash Flow ($000) YR
16
YR
17
YR
18
YR
19
YR
20
YR
21
YR
22
YR
23
YR
24
YR
25
YR
26
YR
27
YR
28
YR
29
YR
30
YR
31
After Tax Cash Flow Analysis (Unlevered)
Revenue $690,000 $690,000 $690,000 $690,000 $690,000 $690,000 $690,000 $690,000 $690,000 $690,000 $690,000 $690,000 $690,000 $690,000 $690,000 $690,000
Operating Costs $(207,430) $(217,747) $(212,862) $(209,264) $(209,696) $(208,522) $(203,765) $(206,556) $(206,345) $(206,035) $(203,933) $(205,115) $(202,198) $(210,162) $(215,308) $(216,227)
Tax Payables $(89,134) $(85,865) $(87,908) $(88,797) $(88,702) $(85,724) $(88,063) $(88,940) $(89,522) $(87,570) $(89,411) $(89,840) $(88,757) $(86,510) $(85,434) $(85,385)
Capital Expenditures $(1,057) $(4,662) $(1,000) $(1,000) $(1,000) $(17,097) $(11,065) $(3,459) $(1,000) $(10,657) $(4,355) $(1,000) $(9,774) $(11,065) $(11,137) $(9,940)
Grants Reimbursement $- $- $- $- $- $- $- $- $- $- $- $- $- $- $- $-
Net Cash Flow (unlevered) $392,379 $381,726 $388,229 $390,939 $390,602 $378,657 $387,107 $391,045 $393,133 $385,738 $392,301 $394,045 $389,271 $382,263 $378,121 $378,448
Cumulative Net Cash Flow $4,215,468 $4,597,194 $4,985,423 $5,376,363 $5,766,965 $6,145,728 $6,532,835 $6,923,880 $7,317,014 $7,702,752 $8,095,053 $8,489,098 $8,878,370 $9,260,633 $9,638,965 $10,017,571

 

barr.com
206

 

Cash Inflows ($000) YR
32
YR
33
YR
34
YR
35
YR
36
YR
37
YR
38
YR
39
YR
40
YR
41
YR
42
YR
43
YR
44
YR
45
Total
LHM Sales $690,000 $690,000 $690,000 $690,000 $690,000 $690,000 $690,000 $690,000 $690,000 $690,000 $690,000 $690,000 $690,000 $691,081 30,167,007
Total Revenue $690,000 $690,000 $690,000 $690,000 $690,000 $690,000 $690,000 $690,000 $690,000 $690,000 $690,000 $690,000 $690,000 $691,081 30,167,007
Cash Outflows ($000) YR
32
YR
33
YR
34
YR
35
YR
36
YR
37
YR
38
YR
39
YR
40
YR
41
YR
42
YR
43
YR
44
YR
45
Total
Operating Cost ($000)
Mining $(80,503) $(79,761) $(87,020) $(76,925) $(78,348) $(80,426) $(77,010) $(86,270) $(77,392) $(74,185) $(77,395) $(83,104) $(89,091) $(92,650) $(3,352,688)
Processing $(129,238) $(129,238) $(129,238) $(129,238) $(129,238) $(129,238) $(129,238) $(129,238) $(129,238) $(129,238) $(129,238) $(129,238) $(129,238) $(129,442) $(5,649,008)
G&A $(3,722) $(3,722) $(3,809) $(3,751) $(3,722) $(3,838) $(3,838) $(3,751) $(3,722) $(3,722) $(3,722) $(3,780) $(3,838) $(3,838) $(171,953)
Total Operating Cost $(213,463) $(212,720) $(220,066) $(209,913) $(211,307) $(213,501) $(210,086) $(219,258) $(210,351) $(207,144) $(210,355) $(216,122) $(222,167) $(225,929) $(9,173,650)
Taxes ($000)
NV Net Proceeds Tax (5%) $(24,654) $(24,712) $(24,370) $(24,833) $(24,875) $(24,767) $(24,894) $(24,478) $(24,863) $(25,015) $(24,856) $(24,559) $(24,313) $(24,133) (1,044,161)
Federal Income Tax (21%) $(61,867) $(62,504) $(61,799) $(63,834) $(61,987) $(62,600) $(63,995) $(62,156) $(63,542) $(64,587) $(63,683) $(62,791) $(61,580) $(61,005) (2,413,933)
45X MPTC Tax Credit (-10%) $- $- $- $- $- $- $- $- $- $- $- $- $- $- 30,019
Total Income Taxes $(86,521) $(87,217) $(86,170) $(88,667) $(86,862) $(87,367) $(88,889) $(86,635) $(88,405) $(89,603) $(88,539) $(87,350) $(85,893) $(85,138) $(3,439,408)
Capital Expenditures ($000)
G&A Capital $- $- $- $- $- $- $- $- $- $- $- $- $- $- (37,230)
Mining Capital $(6,995) $(5,154) $(1,000) $(1,000) $(8,863) $(3,858) $- $- $(1,925) $- $(1,253) $(39) $- $- (370,091)
Process Capital $- $- $- $- $- $- $- $- $- $- $- $- $- $- (1,792,618)
Sitework and Reclamation $- $- $- $- $- $- $- $- $- $- $- $- $- $(150) (150)
Total Capital Expenditures $(6,995) $(5,154) $(1,000) $(1,000) $(8,863) $(3,858) $- $- $(1,925) $- $(1,253) $(39) $- $(150) $(2,200,090)
Grants ($000)
Government Grant Payments $- $- $- $- $- $- $- $- $- $- $- $- $- $- $57,743
Total Grants $- $- $- $- $- $- $- $- $- $- $- $- $- $- $57,743
Cash Flow ($000) YR
32
YR
33
YR
34
YR
35
YR
36
YR
37
YR
38
YR
39
YR
40
YR
41
YR
42
YR
43
YR
44
YR
45
Total
After Tax Cash Flow Analysis (Unlevered)
Revenue $690,000 $690,000 $690,000 $690,000 $690,000 $690,000 $690,000 $690,000 $690,000 $690,000 $690,000 $690,000 $690,000 $691,081 30,167,007
Operating Costs $(213,463) $(212,720) $(220,066) $(209,913) $(211,307) $(213,501) $(210,086) $(219,258) $(210,351) $(207,144) $(210,355) $(216,122) $(222,167) $(225,929) (9,173,650)
Tax Payables $(86,521) $(87,217) $(86,170) $(88,667) $(86,862) $(87,367) $(88,889) $(86,635) $(88,405) $(89,603) $(88,539) $(87,350) $(85,893) $(85,138) (3,427,914)
Capital Expenditures $(6,995) $(5,154) $(1,000) $(1,000) $(8,863) $(3,858) $- $- $(1,925) $- $(1,253) $(39) $- $(150) (2,200,090)
Grants Reimbursement $- $- $- $- $- $- $- $- $- $- $- $- $- $- 57,743
Net Cash Flow (unlevered) $383,021 $384,909 $382,764 $390,420 $382,968 $385,274 $391,025 $384,107 $389,319 $393,253 $389,853 $386,489 $381,940 $379,864 $15,423,097
Cumulative Net Cash Flow $10,400,592 $10,785,608 $11,168,372 $11,558,792 $11,941,865 $12,327,245 $12,718,270 $13,102,377 $13,491,696 $13,884,949 $14,274,802 $14,661,292 $15,043,233 $15,423,097  

45X MPTC = Advanced Manufacturing Production Tax Credit

G&A = general and administrative

LHM = lithium hydroxide monohydrate

NV = Nevada

yr = year

 

barr.com
207

 

19.1Sensitivity Analysis

 

After-tax cash flow sensitivity to lithium prices was evaluated at LHM sales prices from $13,000/t to $43,000/t LHM and are shown in Table 19-3. Note the sensitivities have been done in the PFS cash flow model, thus there is no change in the pit designs or production schedules.

 

Table 19-3 After Tax Cash Flow Lithium Price Sensitivity

 

Lithium Price Net Cash Flow NPV at 8% Internal Rate of Return Payback (years)
$13,000 $5.0B $0.0B 8.2% 14.7 yr
$15,500 $7.6B $0.7B 11.8% 11.3 yr
$18,000 $10.2B $1.3B 15.3% 9.4 yr
$20,500 $12.8B $2.0B 18.6% 8.3 yr
$23,000 $15.4B $2.6B 21.8% 7.5 yr
$25,500 $18.0B $3.8B 25.0% 6.9 yr
$28,000 $20.6B $3.8B 28.0% 6.5 yr
$30,500 $23.2B $4.4B 31.1% 6.2 yr
$33,000 $25.8B $5.0B 34.0% 5.9 yr
$38,000 $31.1B $6.2B 39.6% 5.5 yr
$43,000 $36.3B $7.4B 45.4% 5.2 yr

B = billion

NPV = net present value

yr = year

 

Revenue, operating cost, and capital cost were evaluated from +/-30% of the values in 10% increments, using the PFS cash flow model. Table 19-4 and Table 19-5 shows the cash flow sensitivity results in tabular form for revenue, operating, and capital cost adjustments, respectively. Figure 19-1 shows the cash flow sensitivity graphically to the NPV (8%). Economic viability is positive for revenue and operating cost as well as positive under market value and capital cost.

 

Table 19-4 After Tax Cash Flow Capital Cost Sensitivity (US$ Billion)

 

Capital Cost Net Cash Flow NPV at 8% Internal Rate of Return Payback (years)
70% $16.1B $3.1B 31.4% 6.2 yr
80% $15.9B $2.9B 27.5% 6.6 yr
90% $15.6B $2.7B 24.3% 7.1 yr
100% $15.4B $2.6B 21.8% 7.5 yr
110% $15.2B $2.4B 19.7% 8.0 yr
120% $15.0B $2.2B 18.0% 8.4 yr
130% $14.8B $2.0B 16.5% 8.9 yr

B = billion

NPV = net present value

yr = year

 

barr.com
208

 

 

Figure 19-1 After Tax Cash Flow Sensitivity - NPV (8%) (US$ Billion)

 

After-tax cash flow sensitivity to energy cost was evaluated at $0.005 per kWh increments, using the PFS cash flow model given that energy is the primary cost driver for lithium production from the facility, and results are shown in Table 19-5.

 

Table 19-5 After Tax Cash Flow Energy Cost Sensitivity (US$ Billion)

 

Energy Cost ($/kWh) Net Cash Flow NPV at 8% Internal Rate of Return Payback (years)
$0.0050 $17.9B $3.1B 24.8% 6.9 yr
$0.0150 $17.0B $2.9B 23.8% 7.1 yr
$0.0250 $16.2B $2.8B 22.8% 7.3 yr
$0.0350 $15.4B $2.6B 21.8% 7.5 yr
$0.0450 $14.6B $2.4B 20.8% 7.7 yr
$0.0550 $13.8B $2.2B 19.8% 8.0 yr
$0.0650 $13.0B $2.0B 18.7% 8.2 yr

B = billion

kWh = kilowatt hour

NPV = net present value

yr = year

 

barr.com
209

 

20   Adjacent Properties

 

The paragraphs below briefly describe projects adjacent to the Tonopah Flats property. The descriptions of the projects and ownership are current as of May 30, 2025. Figure 20-1 presents the locations of the projects in the immediate vicinity of Tonopah Flats.

 

 

Figure 20-1 Adjacent Properties

 

barr.com
210

 

American Lithium’s TLC project is located about 10 km northwest of Tonopah, Nevada, about 1.6 km to the northeast of the Tonopah Flats property and includes two continuous claim packages. The TLC project is a lithium claystone deposit analogous to the Tonopah Flats lithium deposit. A PEA was completed for the project by DRA Global and Stantec Consulting Ltd. in early 2023. DRA Global has been engaged as the lead engineering firm for an upcoming PFS. Barr has not been able to verify this information, and this information is not necessarily indicative of the mineralization at the Tonopah Flats property.

 

Enertopia’s 712 ha West Tonopah Lithium project is located approximately 6 km west of Tonopah, Nevada and borders the Tonopah Flats property to the east, straddling US 6/95. Enertopia completed exploration drill programs in 2022 and 2023 for a total of 1,497 m of drilling (Shaas, 2023). They released the maiden resource for the project On November 21, 2023. The company reports that two distinct horizons of mineralized claystone were intersected in the drill holes to a depth of 61 m. Barr has not been able to verify this information, and this information is not necessarily indicative of the mineralization at the Tonopah Flats property.

 

POWR Lithium’s Halo project (formerly Clear Sky Lithium Corporation) is immediately east of the Tonopah Flats property, to the north of US 6/95 (Power Lithium, 2024). The property is comprised of 98 claims totaling 819 ha. The company completed their Phase I exploration drilling program consisting of four core holes for a total of 884 m in November 2023. Drilling was completed to a maximum depth of 245.4 m. According to Chariot Corporation’s website POWR also released the Halo claims back to Chariot Corporation/Mustang Lithium LLC. Barr has not been able to verify this information, and this information is not necessarily indicative of the mineralization at the Tonopah Flats property.

 

Pan American Energy’s Horizon project is located immediately south of the Tonopah Flats property and includes 839 claims totaling more than 6,880 ha. Pan American completed an initial 21-core hole exploration program in the spring of 2023 for a total of 4,399 m drilled. Lithium bearing claystone was intercepted to the maximum depth of exploration of 304 m. The company released their maiden resource estimate for the property in November 2023 (Murray, 2023). The mineral resource estimate was completed by RESPEC. The mineralization on the Horizon property may be continuous with that of the Tonopah Flats property. Pan American Energy released the property back to the underlying claim owner Chariot Corporation/Mustang Lithium LLC in a public announcement dated August 29, 2024.

 

Future Battery Mineral’s early-stage Nevada Lithium Project consists of five prospects near Tonopah, Nevada. The Lone Mountain and Western Flats prospects are early-stage exploration projects located to the north, west, and southwest of the Tonopah Flats property. An initial 9-hole RC exploration drill program on the Western Flats prospect completed in March 2023 intersected lithium-bearing claystones of the Siebert Formation. Results include intersections of thick sequences (up to 182 m or more) of lithium mineralization. A follow up drill program is currently undergoing permitting (Mulholland, 2023). The property changed ownership to Austroid Corporation and announced acquiring 80% of the project from Future Battery Minerals November 4th, 2024 (Austroid Corporation, 2024). Barr has not been able to verify this information, and this information is not necessarily indicative of the mineralization at the Tonopah Flats property.

 

Tearlach Resources (through its subsidiary Pan Am Lithium) and Blackrock Silver own the joint venture Gabriel project east of the Tonopah Flats property. The property consists of approximately 1,586 ha of unpatented mining claims. Previous exploration drilling on the property by Blackrock Silver intersected lithium-bearing claystone of the Seibert Formation. Tearlach began an additional 19-hole drill program at the project in March 2023 to confirm previous drill results by Blackrock Silver, collect material for

 

metallurgical testing, and explore other prospective areas of the land package (Tearlach Resources Ltd., 2025). ABTC contacted BlackRock Silver in June of 2025, and BlackRock confirmed that Tearlach had released the Gabriel Project Claims back to BlackRock. Barr has not been able to verify this information, and this information is not necessarily indicative of the mineralization at the Tonopah Flats property.

 

Blackrock Silver’s Tonopah West project is located on the west side of Tonopah. The Tonopah West project is centered on several low sulfidation epithermal silver-gold veins (Lindholm and Bickel, 2022). Lithium mineralization has also been identified in the Siebert Formation at this project. Barr has not been able to verify this information, and this information is not necessarily indicative of the mineralization at the Tonopah Flats property.

 

barr.com
211

 

21   Other Relevant Data and Information

 

The QPs have no other relevant data and information to report that would be necessary to provide a complete and balanced preliminary feasibility of the Project.

 

barr.com
212

 

22   Interpretations and Conclusions

 

This PFS has integrated drilling, testing, design, and economic evaluation data provided by ABTC or developed by the QPs or third parties, as described in the various sections of this report. This PFS represents a significant step forward from the IA published for this project in 2023, providing an updated resource estimate, reserve estimate, viable mining plan, technically feasible processing scenario, tailings and mine waste management approach, update on permitting considerations, and a resultant economic evaluation.

 

22.1Conclusions

 

The Mineral Resource estimate has been updated with the additional drilling conducted in 2025. This resulted in the updating of the geologic and mineralization domains. The model was estimated with SGSim to effectively estimate grade and reduce the uncertainty of the Mineral Resource. The resulting Measured and Indicated Mineral Resource is of sufficient quality and confidence for conversion into a Mineral Reserve. The Mineral Resource exclusive of the Mineral Reserve within Measured and Indicated categories consists of 2,333,767 ktonnes, at 712 ppm Li.

 

The drilling has so far defined an area of generally continuous mineralization 7925 m (26,000 ft) north to south by 1,524 m to 4,572 m (5,000 ft to 15,000 ft) east to west, with known thicknesses up to 436 m (1,430 ft). Clay beds with higher concentrations of lithium are localized to semi-continuous, and the lithium-bearing beds are generally contained in a 1,219- to 3,048-m wide (4,000- to 10,000-ft wide) corridor in multiple stratigraphic horizons from 6.1 m to 35 m (20 ft to 115 ft) in thickness, running north to south through the central portion of the property.

 

ABTC, in collaboration with Hazen, Pocock, and SGS, has been conducting an ongoing mineral processing and metallurgical testing program to produce high-purity LHM from lithium-bearing claystone. Initiated in Spring 2022, the program began with conventional acid leaching methods (using HCl and H₂SO₄), which achieved high lithium extraction rates (>80%) but also leached gangue minerals increasing reagent consumption as well as deleterious element extractions, complicating purification.

 

To improve selectivity, pretreatment methods were developed that converted lithium into more easily leachable forms while minimizing both reagent consumption and extraction of deleterious elements from the solid matrix. These methods improved lithium extraction (70–85%) and significantly reduced impurities in the PLS, simplifying downstream purification and improving economics.

 

Following successful bench-scale trials, a pilot plant with a feed capacity of 5 tpd was built and operated, confirming the feasibility of producing battery-grade LHM. Beneficiation techniques were also explored to concentrate lithium-bearing minerals, reducing processing costs, and improving efficiency. These trials showed a 2.85x upgrade ratio from run of mine ore to beneficiated material.

 

Process simulations using METSIM and Aspen were employed to optimize parameters and economics. The report focuses on bench scaled data as well as the pilot plant demonstration results, beneficiation studies, pretreatment of beneficiated materials, and ongoing efforts to enhance reagent use regarding final product purity, and overall process economics. Additional test work and pilot plant runs are scheduled to be conducted to further optimize the process design for the FS.

 

barr.com
213

 

Based on these results, there are sufficient Measured and Indicated resources as well as Proven and Probable reserves to advance the project to a FS. The Mineral Reserves are also supported by the 2024 IA Study for this project. Reserves are based on lithium price of $133,333/t, LHM price of $22,000/t, mining cost of $2.70/t, processing/milling cost of $10.7/t-processed, G&A cost of $0.90/t-processed, lithium content in LHM of 0.165, flat recovery of 48%, and with minimum lithium COG of 300 ppm. Furthermore, based on this PFS, and building on previous work to date, Tonopah Flats has been shown to be a robust lithium clay resource which is a strong candidate for advanced project development and economic studies.

 

The evaluations described in this report define approximately 559.8 Mt of Proven and Probable reserves at an average grade of 805 ppm Li for a planned average production of 30,000 tpa of LHM, resulting in a 45-years mine life. The overall operating cost is expected to be $6,994/t of LHM produced. The project has a positive after-tax NPV of $2.57 billion at an 8% discount rate and an IRR of 21.8%, or $4.70 billion NPV at a 5% discount rate. These values indicate a 7.5-year payback from the initial capital investment of $1.6 billion. With sustaining capital of $561 million, the total capital for the 45-year mine life is expected to be $2.2 billion.

 

It should be noted that this PFS was limited to a mine life of 45 years and only a portion of the South Pit was included in the mine life and economic analysis. A 45-year mine life will not exhaust the known mineral reserves and resources. Future studies should review the potential for additional refineries with supplementary capacity that could be built in parallel to further increase the productivity of the estimated reserves and resources.

 

The QPs have reviewed the project data for the TFLP, conducted field work, directed laboratory work, and observed operations of various types during this evaluation. Key QPs have visited the project site as well as the pilot plant during 2025. The QPs believe that the data provided by ABTC, and the geological interpretations Dahrouge has derived from the data, are an accurate and reasonable representation of the project, subject to those concerns written elsewhere in this report.

 

22.2Tonopah Flats Expansion Potential

 

The current lithium resources remain open to the south, southwest, and at depth. It is reasonable to assume that there is the potential to significantly expand the resources with further drilling extending to the south and southwest property boundaries, and at greater depths. Conversion of additional Inferred resources to those of improved classification can be achieved with more infill drilling, especially in the northern half of the property, although the current Measured and Indicated resources are likely sufficient to begin more advanced project development.

 

22.3Project Risks

 

Processing lithium-clay deposits is an uncommon practice in producing mines worldwide. Although there are currently several development projects for these deposits, the processing techniques and associated costs have little historical application and are not easily comparable to lithium in pegmatite and other existing types of lithium operations such as brine-based projects. The work to date has demonstrated the likely economic extraction of the resources reported herein, based on the test work in Chapter 10 and the process design and evaluation in Chapter 14. To address this risk, ABTC has constructed and continues to operate a multi-tonne per day pilot plant that operates on representative bulk samples from the deposit and these operations will continue to derisk the processing approach.

 

barr.com
214

 

Due to large ore deposits and limited availability of non-ore land, it is very crucial to backfill the mined-out open pit to ensure the success of this project. Implementation of a mine dispatch system will help optimize material routing in real time. This plan includes ROM ore handling and tailings handling to their respective dumps through conveyors and stackers, this however, poses a risk when the conveyors and stackers break down outside of their planned downtimes. To mitigate this risk, mining equipment or a mining contractor could be used to perform this ROM ore handling and tailings handling operations when needed.

 

The OPEX for this project is heavily weighted to the power consumption of the refinery. As a result, the power supply to the TFLP is a major risk factor. ABTC has addressed this through a combination of power sources—namely solar power production, with battery energy storage combined with grid power supplied by NV Energy. Furthermore, ABTC has an operational plan that prorates production during times of high and low power availability or constraint. Further refinement of this approach through power system modeling and process design modifications will help reduce the risk in this area.

 

As all developers and producers in the lithium space have experienced over the past several years, the price of LHM can vary widely. This represents a major risk to project economics. Expected reasonable near-term lithium price variations are addressed in the sensitivity analysis in Chapter 19. Sensitivity to product sale prices can often be reduced by seeking further refinements and optimizations in design (capital cost) and operations. As the project progresses to FS evaluations, this type of refinement will provide for project economics that are more robust against product price fluctuations.

 

There is some risk associated with modeling of faults at Tonopah Flats, which ultimately could affect the mineral resource estimate. Specifically, faults offsetting favorable lithologies for lithium can create deep alluvial channels which are barren of mineralization, as is the case at the western edge of the current model at Tonopah Flats. While it has been linked to mapped faults in the area, the supporting drill hole data to accurately place the location of the fault is limited. Although ABTC intentionally drilled to the east of the fault, once it was identified during the initial drilling, this risk could be mitigated with more drilling on the western portion of the deposit to control further geologic modeling. Additionally, minor offsets within the deposit probably exist, but have not been modeled due to the wide spacing of the drilling.

 

barr.com
215

 

23   Recommendations

 

While the PFS indicates cash flow, additional studies are needed to advance to the FS, as described below.

 

23.1Mining, Ore Handling, and Tailings Handling

 

The following mining studies are recommended to advance this project to the level of an FS and the estimated cost for these studies is $250,000.

 

Conduct additional study on material density and swell factors for both ore and waste to support the accurate sizing of mining equipment, including haul truck beds and excavator buckets

 

Undertake more detailed engineering and cost analysis for pre-mining site development activities

 

Assess the feasibility of integrating electric, hybrid, and autonomous mining equipment to improve project economics and reduce the environmental footprint

 

Complete detailed engineering for the ROM ore handling system to improve operational efficiency and throughput

 

Update mine planning, costing and operational trade-off analyses (e.g., contractor vs. owner operated fleet, lease vs. purchase scenarios) to incorporate findings from the recommended studies

 

23.2Metallurgy and Processing

 

To support the FS, a comprehensive metallurgical testing and process development program is recommended. This work should be based on samples that are representative of the deposit, with an estimated cost of $550,000 excluding pilot plant improvements. Note that metallurgical drilling may be required to obtain sufficient material for testing; this cost is not included in the current estimate.

 

23.2.1Recommended Metallurgical Test Work

 

The proposed test work should encompass a wide range of laboratory and pilot-scale evaluations, including:

 

Mineral Beneficiation: Evaluate separation techniques to improve recovery and concentrate quality

 

Solid – Liquid Separation: Evaluate separation techniques

 

Tailings Management: Analyze tailings composition, mineralogy, and washing efficiency to optimize disposal and potential reuse

 

Thermophysical Data Collection: Support optimization of pretreatment conditions

 

Hydroxide Conversion and Crystallization Optimization: Refine chemical conversion processes for final product quality

 

Feed Variability Testing: Conduct variability assessments at both bench and pilot scale

 

barr.com
216

 

23.2.1.1Geometallurgical Modeling and Data Integration

 

Develop a geometallurgical model using exploration drilling and metallurgical testing data. The model should be designed to incorporate future drilling and standardized batch testing results

 

Compile ABTC metallurgical testing data into a unified dataset to enable statistical analysis and development of a standardized batch testing procedure. This will support spatial variability testing and form the basis for production ore control

 

23.2.1.2Pilot Plant Enhancements

 

Incorporate the full beneficiation circuit into the existing pilot plant to reflect the complete process flow sheet

 

Conduct 24-hour and 30-day continuous run campaigns to validate process stability and performance

 

Perform stress testing to identify operational limits and failure modes

 

Identify points of off-specification material generation and evaluate options for extraction or recirculation

 

Develop operational strategies for underperforming unit operations

 

23.2.1.3Process Safety and Ore Control

 

As engineering further defines the process flow sheet, perform a high-level hazard assessment to guide safe and efficient design

 

Establish ore control methodologies and procedures aligned with analytical laboratory QA/QC protocols to ensure consistent and reliable production

 

23.3Passive Seismic Study

 

A passive seismic study is recommended for the southern portion of the Tonopah Flats property, south of US 6/95. The survey could improve the understanding of the subsurface geologic structure and depth to basement rock in areas that have not yet been tested by exploration drilling. The cost for the seismic study is estimated to be approximately $30,000.

 

23.4Geotechnical

 

Additional geotechnical drilling, laboratory testing and slope stability analyses need to be performed to support the FS. These include:

 

Drilling/Lab (Alluvium and Claystone)

 

Hydraulic conductivity testing on in situ material

 

Additional hydraulic conductivity testing on reconstituted

 

Additional consolidation testing on in situ material

 

barr.com
217

 

Additional triaxial testing on in situ and remolded material

 

Static DS on in situ and remolded material

 

Cyclic DSS on reconstituted samples

 

Possibly augment boring program with test pits to obtain intact block samples if we have problems getting intact samples

 

Permeability and standard proctor testing of claystone at various compaction levels for use as a liner

 

Lab (Tailings)

 

Direct simple shear (DSS) testing

 

Consolidated-undrained triaxial testing (CIU)

 

Cyclic DSS

 

Hydraulic conductivity testing

 

Additional slope stability analyses including deformation analyses are needed due to earthquake potential.

 

Costs for these items, including laboratory testing and drilling, are estimated to total approximately $250,000 to $300,000.

 

23.5Baseline Environmental Studies and NEPA Documentation

 

ABTC submitted documentation presenting a description of proposed surface disturbance, schedule of operations, and conceptual site plans relating to a proposed mine and mineral processing operation at the Tonopah Flats property to the BLM Battle Mountain District Offices in December 2022. A Baseline Needs Assessment meeting was conducted in March 2023 to review the project and discuss the requisite baseline environmental analysis required to begin the NEPA process. Of the 21 identified baseline studies determined to be needed for the project, all but four have been completed. ABTC retained third-party specialists to conduct all required baseline analysis including biological, cultural, air, and water studies, among others. The four baseline studies still in progress and required to be completed include:

 

Raptor Surveys

 

Geochemistry

 

Hydrology

 

Air Quality

 

As these studies are completed, they provide data and key information for portions of the NEPA review process. The data will also be essential for the development of future mine operations permit applications, operating plans, and reclamation plans. ABTC forecasts that the NEPA document preparation will begin in the fourth quarter of 2025. The cost estimate to complete all baseline studies and documentation for the NEPA process is $1,000,000.

 

barr.com
218

 

23.6Feasibility Study

 

The results of this PFS have been favorable, indicating that an FS should be developed as a next step. The cost of developing the FS, beyond the individual costs shown in other parts of Chapter 23, should range from $3,000,000 to $4,000,000. This budget assumes additional drilling, refinement of the process to optimize in terms of recovery as well as energy utilization, longer term demonstration of the pilot facility, additional process modeling, further detailed refinery design work, further tailings design work, environmental study advancement, and updated detailed economic evaluations. The work of the FS should bring the TFLP economics to an expected accuracy of +/-15% with an applied contingency not exceeding 10%. The budget does not include corporate and overhead costs, nor does it account for third-party test work.

 

barr.com
219

 

24   References

 

American Society of Civil Engineers (ASCE). (2025, June 26). ASCE Hazards Report [Design hazards report generated via ASCE Hazard Tool]. https://ascehazardtool.org/

 

Arthur, S. E., Mends, E. A., Tita, A. M., & Chu, P. (2025). The development of a beneficiation process to remove carbonates from lithium sedimentary claystones. Cleaner Engineering and Technology, 26, Article 100949. https://doi.org/10.1016/j.clet.2024.100949

 

Asher-Bolinder, S. (1991). Descriptive model of lithium in smectites of closed basins (Model 25lc). In G. J. Orris & J. D. Bliss (Eds.), Some industrial mineral deposit models: Descriptive deposit models (U.S. Geological Survey Open-File Report 91-11A, pp. 11–12). U.S. Geological Survey. https://doi.org/10.3133/ofr9111A

 

Austroid Corporation. (2024, November 4). Nevada Lithium Project [Project overview]. Rivaz Resources. Retrieved from Rivaz Resources website. https://www.rivaz-resources.com/posts-projects/nevada-lithium-project

 

Barr Engineering Co. (2025, August 7). Technical Memorandum regarding the Tonopah Flats PFS Study – Alluvium GDR. Unpublished internal report, prepared by Charlie Rehn, PE. Confidential; not publicly available.

 

Benchmark Mineral Intelligence. (2024, May 23). Battery cathode material deficits continue to be expected by the end of decade. Benchmark Source. https://source.benchmarkminerals.com/article/battery-cathode-material-deficits-continue-to-be-expected-by-the-end-of-decade

 

Benson, T. (2022, October 13). The origin of the Thacker Pass lithium deposit, the largest known lithium resource in the United States [Unpublished presentation]. Seminars on Lithium, co-sponsored by the Department of Natural Resources and Environmental Science and the Department of Civil and Environmental Engineering, University of Nevada, Reno

 

Bonham, H. F., & Garside, L. J. (1979). Geology of the Tonopah, Lone Mountain, Klondike, and Northern Mud Lake quadrangles, Nevada (Bulletin No. 92). Nevada Bureau of Mines and Geology.

 

du Bray, E. A., John, D. A., Colgan, J. P., Vikre, P. G., Cosca, M. A., & Morgan, L. E. (2019). Petrology of volcanic rocks associated with silver-gold (Ag-Au) epithermal deposits in the Tonopah, Divide, and Goldfield mining districts, Nevada (U.S. Geological Survey Scientific Investigations Report 2019–5024, 22 p.). U.S. Geological Survey. https://doi.org/10.3133/sir20195024

 

Fulcrum Lithium Ltd. (2025, April 7). Drill programs at the Alkali Flats and Fairway projects [Exploration results report]. Retrieved from https://static1.squarespace.com/static/64d05d4c0ae1111293327188/t/67f588479578de79617b4c43/1744144457183/pjn12583.pdf

 

Grand View Research, Inc. (2024). U.S. lithium market size, share & trends analysis report by product, by application, and segment forecasts, 2024–2030. https://www.grandviewresearch.com/industry-analysis/us-lithium-market-report

 

Greenwood, J., & Sopaci, E. (2025, April 18). 2025 open pit geotechnical investigation program (Barr Engineering Co. Technical Memorandum). ABTC Tonopah Flats Lithium Mine PFS Project.

 

Hazen Research, Inc. (2024, March 7). Ore characterization of the lithium claystone sample (Hazen Project 13098). Unpublished internal report, prepared by Solly Theron. Confidential; not publicly available.

 

Helvacı, C. (2015). Geological features of Neogene basins hosting borate deposits: An overview of deposits and future forecast, Turkey. Bulletin of the Mineral Research and Exploration, 151, 169–215. https://doi.org/10.19111/bmre.05207

 

barr.com
220

 

John, D. A., & Henry, C. D. (2022). Magmatic-tectonic settings of Cenozoic epithermal gold-silver deposits of the Great Basin, western United States. In Geological Society of Nevada Symposium Proceedings (pp. 765–796).

 

Karunadasa, K. S., Manoratne, C. H., Pitawala, H. M. T. G. A., & Rajapakse, R. M. G. (2019). Thermal decomposition of calcium carbonate (calcite polymorph) as examined by in situ high temperature X ray powder diffraction. Journal of Physics and Chemistry of Solids, 134, 21–28. https://doi.org/10.1016/j.jpcs.2019.05.023

 

Lindholm and Bickel. (2022). Technical Report and Estimate of Resources for the Tonopah West Silver-Gold Project, Nye and Esmeralda Counties, Nevada, USA.

 

Macquarie Group Limited. (2025, June 27). Macquarie Desk Strategy – Commodities. [Research report, distributed in the U.S. by Macquarie Capital (USA) Inc. and affiliates].

 

Morissette, C. L. (2012). The impact of geological environment on the lithium concentration and structural composition of hectorite clays (Master’s thesis). University of Nevada, Reno, 244 pp.

 

Mulholland, H. (2023, April 13). Future Battery Minerals unearths lithium claystones at Nevada Project in the US - Mining.com.au. Mining.com.au. Retrieved from https://mining.com.au/future-battery-minerals-unearths-lithium-claystones-at-nevada-project-in-the-us/

 

Murray, I. (2023, November 20). Pan American Energy Corp announces one of the largest identified lithium deposits in the US at the Horizon Lithium Project - Pan American Energy. Pan American Energy. Retrieved from https://panam-energy.com/pan-american-energy-corp-announces-one-of-the-largest-identified-lithium-deposits-in-the-us-at-the-horizon-lithium-project/

 

POWR Lithium. (2024, September 6). Halo Lithium Project - POWR Lithium. Retrieved from https://powrlithium.com/projects/halo-lithium-project-backup/

 

Read, J., & Stacey, P. (2009). Guidelines for open pit slope design. CSIRO Publishing. https://doi.org/10.1071/9780643101104

 

RESPEC Company, LLC, & Woods Process Services. (2024, April 5). Amended resource estimate and initial assessment with project economics for the Tonopah Flats lithium project, Esmeralda and Nye Counties, Nevada, USA (SK1300 Report RSI-M0219). Prepared for American Battery Technology Company

 

S&P Global Market Intelligence. (n.d.). Industry price chart [Data tool]. Retrieved July 31, 2025, from https://www.capitaliq.spglobal.com/web/client#industry/priceChart

 

Scorgins, A. (2015). Bulk density of industrial minerals: Reporting in accordance with the 2007 SME Guide. SME Mining Engineering, 1–10.

 

SGS Canada, Inc. (2025, June 23). An investigation into beneficiation process development for samples from the Tonopah property, Nevada, USA (Project 19832-01). Unpublished internal report, prepared by Arash Rafiei. Confidential; not publicly available.

 

Shaas. (2023, November 2). Enertopia announces inaugural 43-101 West Tonopah Mineral Resource Report. Enertopia Corporation. Retrieved from https://enertopia.com/enertopia-announces-inaugural-43-101-west-tonopah-mineral-resource-report/

 

Starkey, H. C. (1982). The role of clays in fixing lithium (U.S. Geological Survey Bulletin 1278–F, 17 pp.). U.S. Government Printing Office. https://doi.org/10.3133/b1278F

 

Stewart, J. H. (1988). Tectonics of the Walker Lane belt, western Great Basin: Mesozoic and Cenozoic deformation in a zone of shear. In W. G. Ernst (Ed.), Metamorphism and crustal evolution of the western United States (Rubey Vol. VII, pp. 683–713). Englewood Cliffs, NJ: Prentice-Hall.

 

Tearlach Resources Ltd. (2025, August 27). Tearlach’s Gabriel Project in Tonopah, Nevada — drill results assay up to 1,410 ppm lithium [Press release]. Seeking Alpha. Retrieved from Seeking Alpha website.  https://seekingalpha.com/pr/19312018-tearlach-s-gabriel-project-in-tonopah-nevada-drill-results-assay-up-to-1410-ppm-lithium

 

barr.com
221

 

Tita, A. M., Mends, E. A., Hussaini, S., Thella, J., Smith, Y., & Chu, P. (2024). Beneficiation of Li bearing sedimentary claystone by centrifugation. Minerals Engineering, 218, Article 109042. https://doi.org/10.1016/j.mineng.2024.109042

 

U.S. Department of the Interior & U.S. Geological Survey. (2025). MINERAL COMMODITY SUMMARIES 2025. In U.S. Geological Survey (Version 1.2). https://pubs.usgs.gov/periodicals/mcs2025/mcs2025.pdf

 

Weather averages Tonopah, Nevada. (n.d.). US Climate Data. Last accessed 31 July 2025 https://www.usclimatedata.com/climate/tonopah/nevada/united-states/usnv0091

 

barr.com
222

 

25   Reliance on Information Provided by the Registrant

 

The following categories of information have been provided to Barr by ABTC:

 

Electronic copies of reports, maps and assay data that ABTC acquired from NAMC, a previous operator of the Tonopah Flats property.

 

Electronic copies of documents, reports, maps and tables provided by ABTC with the results of drilling and sampling carried out by ABTC through the effective date of this report.

 

Economic model of the solar generation and battery energy storage system intended to support operations at the site. Barr has relied upon the solar plant financial model as a key input to the economic evaluation of the TFLP.

 

Barr has taken all appropriate steps, in our professional judgment, to ensure that the work, information, or advice from the above noted information and companies is sound.

 

Barr has fully relied on ABTC, to provide complete information concerning the pertinent legal status of ABTC and its affiliates, as well as current legal title, material terms of all agreements, and material environmental and permitting information that pertains to the TFLP.

 

Barr has relied fully upon information and opinions provided by ABTC with regard to the land tenure. Barr has no reason to believe that any material facts have been withheld or misstated and therefore Barr considers it reasonable to rely upon the registrant for the information summarized in Chapter 3 of this report.

 

Woods has relied upon pilot test work conducted by ABTC, in preparation of Chapters 10 and 14 of this report, as well as the preliminary engineering work of B&V, as provided by ABTC, in preparation of Chapter 14 of this report.

 

barr.com
223

 

Appendix A

 

List of Unpatented Lode Claims of the Tonopah Flats Property

 

 

 

List of Unpatented Mining Lode Claims

 

BLM Number Claim Name
105265103 ABTC 1
105265104 ABTC 2
105265105 ABTC 3
105265106 ABTC 4
105265107 ABTC 5
105265108 ABTC 6
105265109 ABTC 7
105265110 ABTC 8
105265111 ABTC 9
105265112 ABTC 10
105265113 ABTC 11
105265114 ABTC 12
105265115 ABTC 13
105265116 ABTC 14
105265117 ABTC 15
105265118 ABTC 16
105265119 ABTC 17
105265120 ABTC 18
105265121 ABTC 19
105265122 ABTC 20
105265123 ABTC 21
105265124 ABTC 22
105265125 ABTC 23
105265126 ABTC 24
105265127 ABTC 25
105265128 ABTC 26
105265129 ABTC 27
105265130 ABTC 28
105265131 ABTC 29
105265132 ABTC 30
105265133 ABTC 31
105265134 ABTC 32
105265135 ABTC 33
105265136 ABTC 34

 

barr.com
Appendix A – Page 1

 

BLM Number Claim Name

105265137 ABTC 35
105265138 ABTC 36
105265139 ABTC 37
105265140 ABTC 38
105265141 ABTC 39
105265142 ABTC 40
105265143 ABTC 41
105265144 ABTC 42
105265145 ABTC 43
105265146 ABTC 44
105265147 ABTC 45
105265148 ABTC 46
105265149 ABTC 47
105265150 ABTC 48
105265151 ABTC 49
105265152 ABTC 50
105265153 ABTC 51
105265154 ABTC 52
105265155 ABTC 53
105265156 ABTC 54
105265157 ABTC 55
105265158 ABTC 56
105265159 ABTC 57
105265160 ABTC 58
105265161 ABTC 59
105265162 ABTC 60
105265163 ABTC 61
105265164 ABTC 62
105265165 ABTC 63
105265166 ABTC 64
105265167 ABTC 65
105265168 ABTC 66
105265169 ABTC 67
105265170 ABTC 68
105265171 ABTC 69
105265172 ABTC 70
105265173 ABTC 71

 

barr.com
Appendix A – Page 2

 

BLM Number Claim Name
105265174 ABTC 72
105265175 ABTC 73
105265176 ABTC 74
105265177 ABTC 75
105265178 ABTC 76
105265179 ABTC 77
105265180 ABTC 78
105265181 ABTC 79
105265182 ABTC 80
105265183 ABTC 81
105265184 ABTC 82
105265185 ABTC 83
105265186 ABTC 84
105265187 ABTC 85
105265188 ABTC 86
105265189 ABTC 87
105265190 ABTC 88
105265191 ABTC 89
105265192 ABTC 90
105265193 ABTC 91
105265194 ABTC 92
105265195 ABTC 93
105265196 ABTC 94
105265197 ABTC 95
105265198 ABTC 96
105265199 ABTC 97
105265200 ABTC 98
105265201 ABTC 99
105265202 ABTC 100
105265203 ABTC 101
105265204 ABTC 102
105265205 ABTC 103
105265206 ABTC 104
105265207 ABTC 105
105265208 ABTC 106
105265209 ABTC 107
105265210 ABTC 108

 

barr.com
Appendix A – Page 3

 

BLM Number Claim Name

105265211 ABTC 109
105265212 ABTC 110
105265213 ABTC 111
105265214 ABTC 112
105265215 ABTC 113
105265216 ABTC 114
105265217 ABTC 115
105265218 ABTC 116
105265219 ABTC 117
105265220 ABTC 118
105265221 ABTC 119
105265222 ABTC 120
105265223 ABTC 121
105265224 ABTC 122
105265225 ABTC 123
105265226 ABTC 124
105265227 ABTC 125
105265228 ABTC 126
105265229 ABTC 127
105265230 ABTC 128
105265231 ABTC 129
105265232 ABTC 130
105265233 ABTC 131
105265234 ABTC 132
105265235 ABTC 133
105265236 ABTC 134
105265237 ABTC 135
105265238 ABTC 136
105265239 ABTC 137
105265240 ABTC 138
105265241 ABTC 139
105265242 ABTC 140
105265243 ABTC 141
105265244 ABTC 142
105265245 ABTC 143
105265246 ABTC 144
105265247 ABTC 145

 

barr.com
Appendix A – Page 4

 

BLM Number Claim Name

105265248 ABTC 146
105265249 ABTC 147
105265250 ABTC 148
105265251 ABTC 149
105265252 ABTC 150
105265253 ABTC 151
105265254 ABTC 152
105265255 ABTC 153
105265256 ABTC 154
105265257 ABTC 155
105265258 ABTC 156
105265259 ABTC 157
105265260 ABTC 158
105265261 ABTC 159
105265262 ABTC 160
105265263 ABTC 161
105265264 ABTC 162
105265265 ABTC 163
105265266 ABTC 164
105265267 ABTC 165
105265268 ABTC 166
105265269 ABTC 167
105265270 ABTC 168
105265271 ABTC 169
105265272 ABTC 170
105265273 ABTC 171
105265274 ABTC 172
105265275 ABTC 173
105265276 ABTC 174
105265277 ABTC 175
105265278 ABTC 176
105265279 ABTC 177
105265280 ABTC 178
105265281 ABTC 179
105265282 ABTC 180
105265283 ABTC 181
105265284 ABTC 182

 

barr.com
Appendix A – Page 5

 

BLM Number Claim Name

105265285 ABTC 183
105265286 ABTC 184
105265287 ABTC 185
105265288 ABTC 186
105265289 ABTC 187
105265290 ABTC 188
105265291 ABTC 189
105265292 ABTC 190
105265293 ABTC 191
105265294 ABTC 192
105265295 ABTC 193
105265296 ABTC 194
105265297 ABTC 195
105265298 ABTC 196
105265299 ABTC 197
105265300 ABTC 198
105265301 ABTC 199
105265302 ABTC 200
105265303 ABTC 201
105265304 ABTC 202
105265305 ABTC 203
105265306 ABTC 204
105265307 ABTC 205
105265308 ABTC 206
105265309 ABTC 207
105265310 ABTC 208
105265311 ABTC 209
105265312 ABTC 210
105265313 ABTC 211
105265314 ABTC 212
105265315 ABTC 213
105265316 ABTC 214
105265317 ABTC 215
105265318 ABTC 216
105265319 ABTC 217
105265320 ABTC 218
105265321 ABTC 219

 

barr.com
Appendix A – Page 6

 

BLM Number Claim Name

105265322 ABTC 220
105265323 ABTC 221
105265324 ABTC 222
105265325 ABTC 223
105265326 ABTC 224
105265327 ABTC 225
105265328 ABTC 226
105265329 ABTC 227
105265330 ABTC 228
105265331 ABTC 229
105265332 ABTC 230
105265333 ABTC 231
105265334 ABTC 232
105265335 ABTC 233
105265336 ABTC 234
105265337 ABTC 235
105265338 ABTC 236
105265339 ABTC 237
105265340 ABTC 238
105265341 ABTC 239
105265342 ABTC 240
105265343 ABTC 241
105265344 ABTC 242
105265345 ABTC 243
105265346 ABTC 244
105265347 ABTC 245
105265348 ABTC 246
105265349 ABTC 247
105265350 ABTC 248
105265351 ABTC 249
105265352 ABTC 250
105265353 ABTC 251
105265354 ABTC 252
105265355 ABTC 253
105265356 ABTC 254
105265357 ABTC 255
105265358 ABTC 256

 

barr.com
Appendix A – Page 7

 

BLM Number Claim Name

105265359 ABTC 257
105265360 ABTC 258
105265361 ABTC 259
105265362 ABTC 260
105265363 ABTC 261
105265364 ABTC 262
105265365 ABTC 263
105265366 ABTC 264
105265367 ABTC 265
105265368 ABTC 266
105265369 ABTC 267
105265370 ABTC 268
105265371 ABTC 269
105265372 ABTC 270
105265373 ABTC 271
105265374 ABTC 272
105265375 ABTC 273
105265376 ABTC 274
105265377 ABTC 275
105265378 ABTC 276
105265379 ABTC 277
105265380 ABTC 278
105265381 ABTC 279
105265382 ABTC 280
105265383 ABTC 281
105265384 ABTC 282
105265385 ABTC 283
105265386 ABTC 284
105265387 ABTC 285
105265388 ABTC 286
105265389 ABTC 287
105265390 ABTC 288
105265391 ABTC 289
105265392 ABTC 290
105265393 ABTC 291
105265394 ABTC 292
105265395 ABTC 293

 

barr.com
Appendix A – Page 8

 

BLM Number Claim Name

105265396 ABTC 294
105265397 ABTC 295
105265398 ABTC 296
105265399 ABTC 297
105265400 ABTC 298
105265401 ABTC 299
105265402 ABTC 300
105265403 ABTC 301
105265404 ABTC 302
105265405 ABTC 303
105265406 ABTC 304
105265407 ABTC 305
NV105283737 ABTC 306
NV105283738 ABTC 307
NV105283739 ABTC 308
NV105283740 ABTC 309
NV105283741 ABTC 310
NV105283742 ABTC 311
NV105283743 ABTC 312
NV105283744 ABTC 313
NV105283745 ABTC 314
NV105283746 ABTC 315
NV105283747 ABTC 316
NV105283748 ABTC 317
NV105283749 ABTC 318
NV105283750 ABTC 319
NV105283751 ABTC 320
NV105283752 ABTC 321
NV105283753 ABTC 322
NV105283754 ABTC 323
NV105283755 ABTC 324
NV105283756 ABTC 325
NV105283757 ABTC 326
NV105283758 ABTC 327
NV105283759 ABTC 328
NV105283760 ABTC 329
NV105283761 ABTC 330

 

barr.com
Appendix A – Page 9

 

BLM Number Claim Name

NV105283762 ABTC 330
NV105283763 ABTC 332
NV105283764 ABTC 333
NV105283765 ABTC 334
NV105283766 ABTC 335
NV105283767 ABTC 336
NV105283768 ABTC 337
NV105283769 ABTC 338
NV105283770 ABTC 339
NV105283771 ABTC 340
NV105283772 ABTC 341
NV105283773 ABTC 342
NV105283774 ABTC 343
NV105283775 ABTC 344
NV105283776 ABTC 345
NV105283777 ABTC 346
NV105283778 ABTC 347
NV105283779 ABTC 348
NV105283780 ABTC 349
NV105283781 ABTC 350
NV105283782 ABTC 351
NV105283783 ABTC 352
NV105283784 ABTC 353
NV105283785 ABTC 354
NV105283786 ABTC 355
NV105283787 ABTC 356
NV105283788 ABTC 357
NV105283789 ABTC 358
NV105283790 ABTC 359
NV105283791 ABTC 360
NV105283792 ABTC 361
NV105283793 ABTC 362
NV105283794 ABTC 363
NV105283795 ABTC 364
NV105283796 ABTC 365
NV105283797 ABTC 366
NV105283798 ABTC 367

 

barr.com
Appendix A – Page 10

 

BLM Number Claim Name

NV105283799 ABTC 368
NV105283800 ABTC 369
NV105283801 ABTC 370
NV105283802 ABTC 371
NV105283803 ABTC 372
NV105283804 ABTC 373
NV105283805 ABTC 374
NV105283806 ABTC 375
NV105283807 ABTC 376
NV105283808 ABTC 377
NV105283809 ABTC 378
NV105283810 ABTC 379
NV105283811 ABTC 380
NV105283812 ABTC 381
NV105283813 ABTC 382
NV105283814 ABTC 383
NV105283815 ABTC 384
NV105283816 ABTC 385
NV105283817 ABTC 386
NV105283818 ABTC 387
NV105283819 ABTC 388
NV105283820 ABTC 389
NV105283821 ABTC 390
NV105283822 ABTC 391
NV105283823 ABTC 392
NV105283824 ABTC 393
NV105283825 ABTC 394
NV105283826 ABTC 395
NV105283827 ABTC 396
NV105283828 ABTC 397
NV105283829 ABTC 398
NV105283830 ABTC 399
NV105283831 ABTC 400
NV105283832 ABTC 401
NV105283833 ABTC 402
NV105283834 ABTC 403
NV105283835 ABTC 404

 

barr.com
Appendix A – Page 11

 

BLM Number Claim Name

NV105283836 ABTC 405
NV105283837 ABTC 406
NV105283838 ABTC 407
NV105283839 ABTC 408
NV105283840 ABTC 409
NV105283841 ABTC 410
NV105283842 ABTC 411
NV105283843 ABTC 412
NV105283844 ABTC 413
NV105283845 ABTC 414
NV105283846 ABTC 415
NV105283847 ABTC 416
NV105283848 ABTC 417
NV105283849 ABTC 418
NV105283850 ABTC 419
NV105283851 ABTC 420
NV105283852 ABTC 421
NV105283853 ABTC 422
NV105283854 ABTC 423
NV105283855 ABTC 424
NV105283856 ABTC 425
NV105283857 ABTC 426
NV105283858 ABTC 426
NV105759793 ABTC 428
NV105759794 ABTC 429
NV105759795 ABTC 430
NV105759796 ABTC 431
NV105759797 ABTC 432
NV105759798 ABTC 433
NV105759799 ABTC 434
NV105759800 ABTC 435
NV105759801 ABTC 436
NV105759802 ABTC 437
NV105759803 ABTC 438
NV105759804 ABTC 439
NV105759805 ABTC 440
NV105759806 ABTC 441

 

barr.com
Appendix A – Page 12

 

BLM Number Claim Name

NV105759807 ABTC 442
NV105759808 ABTC 443
NV105759809 ABTC 444
NV105759810 ABTC 445
NV105759811 ABTC 446
NV105759812 ABTC 447
NV105759813 ABTC 448
NV105759814 ABTC 449
NV105759815 ABTC 450
NV105759816 ABTC 451
NV105759817 ABTC 452
NV105759818 ABTC 453
NV105759819 ABTC 454
NV105759820 ABTC 455
NV105759821 ABTC 456
NV105759822 ABTC 457
NV105759823 ABTC 458
NV105759824 ABTC 459
NV105759825 ABTC 460
NV105759826 ABTC 461
NV105759827 ABTC 462
NV105759828 ABTC 463
NV105759829 ABTC 464
NV105759830 ABTC 465
NV105759831 ABTC 466
NV105759832 ABTC 467
NV105759833 ABTC 468
NV105759834 ABTC 469
NV105759835 ABTC 470
NV105759836 ABTC 471
NV105759837 ABTC 472
NV105759838 ABTC 473
NV105759839 ABTC 474
NV105759840 ABTC 475
NV105759841 ABTC 476
NV105759842 ABTC 477
NV105759843 ABTC 478

 

barr.com
Appendix A – Page 13

 

BLM Number Claim Name

NV105759844 ABTC 479
NV105759845 ABTC 480
NV105759846 ABTC 481
NV105759847 ABTC 482
NV105759848 ABTC 483
NV105759849 ABTC 484
NV105759850 ABTC 485
NV105759851 ABTC 486
NV105759852 ABTC 487
NV105759853 ABTC 488
NV105759854 ABTC 489
NV105759855 ABTC 490
NV105759856 ABTC 491
NV105759857 ABTC 492
NV105759858 ABTC 493
NV105759859 ABTC 494
NV105759860 ABTC 495
NV105759861 ABTC 496
NV105759862 ABTC 497
NV105759863 ABTC 498
NV105759864 ABTC 499
NV105759865 ABTC 500
NV105759866 ABTC 501
NV105759867 ABTC 502
NV105759868 ABTC 503
NV105759869 ABTC 504
NV105759870 ABTC 505
NV105759871 ABTC 506
NV105759872 ABTC 507
NV105759873 ABTC 508
NV105759874 ABTC 509
NV105759875 ABTC 510
NV105759876 ABTC 511
NV105759877 ABTC 512
NV105759878 ABTC 513
NV105759879 ABTC 514
NV105759880 ABTC 515

 

barr.com
Appendix A – Page 14

 

BLM Number Claim Name

NV105759881 ABTC 516
NV105759882 ABTC 517

 

barr.com
Appendix A – Page 15