EX-10.2 3 ef20050005_ex10-2.htm EXHIBIT 10.2

Exhibit 10.2
 
Execution Version

 
NEW JERSEY ECONOMIC DEVELOPMENT AUTHORITY
 
AND
 
DRP URBAN RENEWAL 4, LLC
 
LEASE AGREEMENT
 
Dated May 28, 2025
 
The interest of the New Jersey Economic Development Authority in the Company Sublease (as defined herein) and all amounts receivable under this Lease Agreement (except the Payment Rights (as defined herein) of the New Jersey Economic Development Authority, the right of the Authority, at its option, to enforce its Reserved Rights (as defined herein), without limiting the right of the Trustee (as defined herein) with respect thereto and the concurrent right of the Authority to receive any and all notices, reports, surveys, certificates and evidences of performance which the Company may be required to furnish pursuant to the terms of this Lease Agreement) has been assigned to the Trustee under the Indenture of Trust dated May 28, 2025 between the New Jersey Economic Development Authority and the Trustee; provided, however that the Authority has not assigned to the Trustee the right to grant or withhold consent pursuant to Sections 7.11 and 7.15 of this Lease Agreement or the additional remedies set forth in Section 10.03 of this Lease Agreement; and provided further that, other than any rights of the Trustee or the Collateral Agent pursuant to the Secured Obligation Documents, no Property Interests (as defined herein) have been pledged, assigned or granted.
 

TABLE OF CONTENTS
 
   
PAGE
     
ARTICLE I
DEFINITIONS
4
     
Section 1.01.
Defined Terms and Incorporation of Definitions by Reference
4
Section 1.02.
Construction of Terms
11
     
ARTICLE II
LEASE TERMS
12
 
   
Section 2.01.
Grant of Authority Sublease and Company Sublease
12
Section 2.02.
Term of this Agreement
13
Section 2.03.
Mortgage Provisions
14
     
ARTICLE III
RENTAL PROVISIONS
16
     
Section 3.01.
Assignment to Trustee
16
Section 3.02.
Rental Payments
16
Section 3.03.
Additional Amounts Payable by the Company
17
Section 3.04.
Payments Unconditional; No Defense or Set-Off
18
Section 3.05.
Limitation of Liability
18
Section 3.06.
Nature of Obligations Hereunder
18
     
ARTICLE IV
PREPAYMENT
19
     
Section 4.01.
Prepayment
19
Section 4.02.
Notice of Prepayment
19
Section 4.03.
Redemption or Repurchase of Bonds with Advance Rental Payments
19
     
ARTICLE V
COMPLETION OF THE PROJECT; APPLICATION OF BOND PROCEEDS
20
     
Section 5.01.
Construction of Series 2025 Facilities; Payment of Cost of Project
20
Section 5.02.
The Company Required to Pay if Bond Proceeds Insufficient
21
Section 5.03.
Governmental Approvals
21
Section 5.04.
Completion of Project
21
Section 5.05.
Agreement to Issue Series 2025 Bonds; Application of Proceeds of the Series 2025 Bonds
21
Section 5.06.
Agreement Not to Change the Project
21
Section 5.07.
Title to Series 2025 Facilities, including any Personal Property, Financed with Proceeds of the Series 2025 Bonds
21
     
ARTICLE VI
REPRESENTATIONS AND WARRANTIES OF THE COMPANY
22
     
Section 6.01.
Organization, Powers, Etc
22
Section 6.02.
Execution of Documents
22
Section 6.03.
Accuracy and Completeness of Disclosure
22

-i-

Section 6.04.
Litigation
23
Section 6.05.
No Material Adverse Change
23
Section 6.06.
Project Authorized by Act
23
Section 6.07.
Ground Lease
23
Section 6.08.
Tax Status of Series 2025 Bonds
23
Section 6.09.
No Federal Guarantee
23
Section 6.10.
Necessary Approvals
24
Section 6.11.
Inducement
24
Section 6.12.
Affirmative Action and Prevailing Wage
24
Section 6.13.
Compliance with Applicable Laws
24
Section 6.14.
Business Treatment of Cannabis Establishments, Distributers, and Delivery Services
24
     
ARTICLE VII
COVENANTS OF THE COMPANY
25
     
Section 7.01.
Condition of Terminal
25
Section 7.02.
Compliance with Laws
26
Section 7.03.
Certain Covenants with Respect to the Ground Lease
26
Section 7.04.
Tax Covenants
26
Section 7.05.
Inspection
30
Section 7.06.
Public Purpose Covenants
30
Section 7.07.
Disposition of Series 2025 Facilities, including any Personal Property; Options upon Retirement of All Bonds
30
Section 7.08.
Certificates of No Default and Other Information
31
Section 7.09.
Costs and Expenses
31
Section 7.10.
Indemnification
32
Section 7.11.
Maintain Existence; Covenant Against Sale and Removal
33
Section 7.12.
Certain Acknowledgments
34
Section 7.13.
Prohibited Facilities
34
Section 7.14.
Books and Records
34
Section 7.15.
No Assignment by the Company
34
Section 7.16.
Qualified Exempt Facility
36
Section 7.17.
Compliance with Authority Requests
36
Section 7.18.
Secondary Market Disclosure
36
Section 7.19.
Project Occupant Applications
36
Section 7.20.
Project Sign
36
Section 7.21.
Advances by Authority
36
Section 7.22.
Financing Statements
37
Section 7.23.
Construction
37
Section 7.24.
Affirmative Action and Prevailing Wage Regulations; Completion Date
37
Section 7.25.
Reserved
39
Section 7.26.
Representation Letter
40
Section 7.27.
Relocation of the Series 2025 Facilities
40
Section 7.28.
No Untrue Statements
40
Section 7.29.
Fiduciary Indemnity
40
Section 7.30.
Company’s Irrevocable Waiver with Respect to Depreciation and Investment Tax Credit
40

-ii-

Section 7.31.
Taxes
41
Section 7.32.
Environmental Matters
41
     
ARTICLE VIII
REPRESENTATIONS, WARRANTIES AND COVENANTS OF THE AUTHORITY
47
     
Section 8.01.
Organization, Powers, Etc
47
Section 8.02.
Approval of Bond Issuance, Etc
47
Section 8.03.
No Assignment by the Authority
48
Section 8.04.
Findings and Determinations
49
Section 8.05.
Tax‑Exemption Covenant
49
Section 8.06.
Right or Responsibility for Leased Premises
50
Section 8.07.
Limitation on Interests, Rights and Remedies
50
     
ARTICLE IX
INSURANCE REQUIREMENTS, DAMAGE, DESTRUCTION, CONDEMNATION AND OTHER PAYMENTS
51
     
Section 9.01.
Property Insurance Required
51
Section 9.02.
Liability Coverages Required
51
Section 9.03.
General Insurance Provisions
51
Section 9.04.
Damage, Destruction or Condemnation
52
     
ARTICLE X
DEFAULTS AND REMEDIES
54
     
Section 10.01.
Events of Default
54
Section 10.02.
Remedies
55
Section 10.03.
Additional Authority Remedies on Default
56
Section 10.04.
Service of Process
57
Section 10.05.
No Remedy Exclusive
57
Section 10.06.
Agreement to Pay Attorneys’ Fees and Expenses
57
Section 10.07.
No Waiver Implied
57
Section 10.08.
Default by Authority - Limited Liability
58
Section 10.09.
No Obligation or Right to Re-Let
58
     
ARTICLE XI
MISCELLANEOUS
59
     
Section 11.01.
Notices
59
Section 11.02.
Survival of Covenants - Concerning Successors and Assigns
59
Section 11.03.
Governing Law
60
Section 11.04.
Modifications in Writing
60
Section 11.05.
Captions
60
Section 11.06.
Severability
60
Section 11.07.
Prior Agreements Superseded
60
Section 11.08.
Counterparts
60
Section 11.09.
Concurrent Ability of the Trustee to Exercise Reserved Rights; Survival of Authority Reserved Rights
60
Section 11.10.
Authorized Company Representative
61
Section 11.11.
Intention of Parties
61

-iii-

Section 11.12.
Company to Perform Certain Covenants Under Indenture
61
Section 11.13.
Amendments to Law
61
Section 11.14.
Right to Cure Defaults Under Indenture
61
Section 11.15.
No Merger or Washout of this Agreement
61
Section 11.16.
Application of New Jersey Contractual Liability Act
62
Section 11.17.
No Obligation to Act
62
Section 11.18.
Third-Party Beneficiary; No Imposition of Liability
62
Section 11.19.
New Jersey Conflicts of Interest Law
62
   
SCHEDULE A
Schedule A-1
SCHEDULE B
Schedule B-1
SCHEDULE C
Schedule C-1
EXHIBIT A – IRREVOCABLE ELECTION
A-1
EXHIBIT B – TAX COMPLETION CERTIFICATE
B-1
EXHIBIT C – ANNUAL COMPLIANCE CERTIFICATE AS TO TAX COVENANTS
C-1

-iv-

LEASE AGREEMENT
 
THIS LEASE AGREEMENT is made May 28, 2025 (this “Agreement”) between NEW JERSEY ECONOMIC DEVELOPMENT AUTHORITY (the “Authority”), a public body corporate and politic duly organized and existing under the laws of the State of New Jersey and DRP URBAN RENEWAL 4, LLC (the “Company”), a limited liability company duly organized and existing under the laws of the State of Delaware and qualified to do business in the State of New Jersey.
 
W I T N E S S E T H:
 
WHEREAS, the New Jersey Economic Development Authority Act, constituting Chapter 80 of the Pamphlet Laws of 1974 of the State of New Jersey, approved August 7, 1974, as amended and supplemented prior to the date hereof (the “Act”), declares that the Legislature has determined that Department of Commerce and Economic Development statistics of recent years indicate a continuing decline in manufacturing employment within the State of New Jersey (the “State”) which is a contributing factor to the drastic unemployment existing within the State, which far exceeds the national average, thus adversely affecting the economy of the State and the prosperity, safety, health and general welfare of its inhabitants and their standard of living; and that the availability of financial assistance and suitable facilities are important inducements to new and varied employment promoting enterprises to locate in the State, and to existing enterprises to remain and expand in the State; and
 
WHEREAS, the Authority was created to aid in remedying the aforesaid conditions and further to implement the purposes of the Act, and the Legislature has determined and declared as a matter of express legislative determination that the authority and powers conferred upon the Authority under the Act and the expenditure of moneys pursuant thereto constitutes a serving of a valid public purpose and that the enactment of the provisions set forth in the Act is in the public interest and for the public benefit and good; and
 
WHEREAS, the Authority, to accomplish the purposes of the Act, is empowered to extend credit or make loans to any person for the planning, designing, acquiring, constructing, reconstructing, improving, equipping and furnishing of a project for which credits or loans may be secured by loan agreements, security agreements, mortgages, leases, contracts and any other instruments, upon such terms and conditions as the Authority shall deem reasonable, and to require the inclusion in any loan agreement, security agreement, mortgage, lease, contract, and any other instrument, such provisions for the construction, use, operation and maintenance and financing of a project as the Authority may deem necessary or desirable and to enter into contracts with respect to the planning, designing, financing, constructing, reconstructing, improving, equipping, furnishing, operating and maintaining of a project, for such consideration and upon such terms and conditions as the Authority may determine to be reasonable; and
 

WHEREAS, Delaware River Partners LLC, a Delaware limited liability company and the indirect parent of the Company (“DRP”), and the Company have determined to finance a project (the “Project”) consisting of: (i) the expansion, renovation, construction and/or equipping of certain dock and dock-related facilities at the Repauno Port & Rail Terminal (the “Terminal”), a port and rail terminal located on a brownfield site within DRP’s approximately 1,630-acre property in Gibbstown, New Jersey, located in the Township of Greenwich, County of Gloucester, New Jersey of which property approximately 18.5 acres is to be so improved, including the expansion, renovation, construction and/or equipping of (a) two new loading arms and related facilities at the Terminal dock; (b) a functionally related new above-ground cryogenic tank for storing bulk liquid products at very low temperatures, together with associated product chilling facilities; (c) new piping and related facilities connecting the cryogenic tank facilities to the new liquids dock facilities, and connecting the new system with the other Terminal facilities; and (d) facilities ancillary to the foregoing (collectively, the “Series 2025 Facilities”); (ii) paying certain costs incurred in connection with the issuance of the Series 2025 Bonds (as hereinafter defined); (iii) funding a deposit into the Series 2025 Debt Service Reserve Account securing the payment of principal and interest on the Series 2025 Bonds; (iv) funding a deposit into the Tax-Exempt Funded Interest Account (established under, and as defined in, the Collateral Agency Agreement) to pay interest during the construction of the Series 2025 Facilities; and (v) funding a deposit into the Ramp-Up and Project Operating Reserve Account (established under, and as defined in, the Collateral Agency Agreement) to pay Costs of the Project or O&M Expenditures (as defined in the Collateral Agency Agreement) in connection with the anticipated ramp-up of operations of the Series 2025 Facilities and with facilities functionally-related and subordinate to such Series 2025 Facilities; and
 
WHEREAS, the Series 2025 Facilities are to be located on the Series 2025 Facilities Land (as defined herein); and
 
WHEREAS, pursuant to an Amended and Restated Ground Lease Agreement between DRP, as lessor, and the Company, as lessee, dated on even date herewith (as amended from time to time, the “Ground Lease”), DRP has granted certain rights and interests to the Company in respect of the Series 2025 Facilities Land, including a leasehold interest in the Cryo Site (as defined herein) together with the associated Land Rights (as defined herein); and
 
WHEREAS, the Company desires to sublease the Cryo Site and provide the associated Land Rights to the Authority and to provide other rights and interests in the Leased Premises (as defined herein) to the Authority, all pursuant to this Agreement (the “Authority Sublease”); and
 
WHEREAS, the Authority desires to sub-sublease the Cryo Site and provide the associated Land Rights and to provide other rights and interests in the Leased Premises to the Company, all pursuant to this Agreement (the “Company Sublease”); and
 
WHEREAS, the Company intends to sub-sub-sublease the Cryo Site and provide the associated Land Rights to DRP, and to provide other rights and interests in the Leased Premises to DRP, all pursuant an Amended and Restated Sublease Agreement dated on even date herewith (as amended from time to time, the “DRP Sublease”), which DRP Sublease shall be subject to the terms of (i) the Ground Lease, and (ii) this Agreement, including the Authority Sublease and Company Sublease; and
 
-2-

WHEREAS, in furtherance of the purposes of the Act and as an inducement to the Company to finance the Project, the Authority has duly accepted the Application (as hereinafter defined) of the Company for assistance in the financing of, among other things, the Project and, by resolution adopted February 24, 2025 (the “Bond Resolution”), duly authorized the issuance of not to exceed $350,000,000 of its Dock and Wharf Facility Revenue Bonds (Repauno Port & Rail Terminal Project), Series 2025 (the “Series 2025 Bonds”) to provide funds to finance, among other things, the Project; and
 
WHEREAS, concurrently with the execution and delivery of this Agreement, the Authority is issuing the Series 2025 Bonds pursuant to an Indenture of Trust to be dated as of the date hereof and to be executed at the time of issuance of the Series 2025 Bonds (the “Indenture”) between the Authority and UMB Bank, N.A., as Trustee (the “Trustee”); and
 
WHEREAS, concurrently with the execution hereof, DRP will enter into an Administration Expense Guaranty Agreement of even date herewith (the “Administration Expense Guaranty”) with the Authority pursuant to which DRP will guarantee the Company’s payment obligations of Administration Expenses; and
 
WHEREAS, contemporaneously with the issuance of the Series 2025 Bonds, the Authority will assign its rights under the Company Sublease to the Trustee (except for the Reserved Rights as hereinafter provided and the Payment Rights, without limiting the right of the Trustee with respect thereto); provided, however that the Authority has not assigned to the Trustee the right to grant or withhold consent pursuant to Sections 7.11 and 7.15 hereof or the additional remedies set forth in Section 10.03 hereof; and provided further that, other than any rights of the Trustee and the Collateral Agent pursuant to the Secured Obligation Documents, no Property Interests have been pledged, assigned or granted by the Authority to the Trustee or Collateral Agent; and
 
WHEREAS, the Bonds shall be special, limited obligations of the Authority, payable solely from the rent, revenues or other receipts, funds or moneys to be derived by the Authority under this Agreement, from the unexpended proceeds of the Bonds and from the earnings on all of the amounts held by the Trustee under the Indenture (except the Series 2025 Rebate Fund); and
 
WHEREAS, the execution and delivery of this Agreement have been duly authorized by the Authority and the Company and all conditions, acts and things necessary and required by the Constitution and statutes of the State or otherwise, to exist, to have happened, or to have been performed precedent to and in the execution and delivery of this Agreement and in the issuance of the Series 2025 Bonds authorized in the Indenture, do exist, have happened and have been performed in regular form, time and manner.
 
NOW, THEREFORE, for and in consideration of the premises and of the mutual representations, covenants and agreements herein set forth, the Authority and the Company, each binding itself, its successors and assigns, do mutually promise, covenant and agree as follows provided that in the performance of the agreements of the Authority herein contained, any obligation it may incur for the payment of money shall not be an obligation, debt or liability of the State or any political subdivision thereof and neither the State nor any such political subdivision shall be liable on any obligation so incurred, but any such obligation shall be payable solely out of the rents, revenues or other receipts, funds or moneys to be derived by the Authority under this Agreement, from the unexpended proceeds of the Bonds and from the earnings on all amounts held by the Trustee under the Indenture (except the Series 2025 Rebate Fund):
 
-3-

ARTICLE I
 
DEFINITIONS
 
Section 1.01.         Defined Terms and Incorporation of Definitions by Reference
 
(a)          Certain terms used in this Agreement are hereinafter defined in this Section 1.01.  When used herein, such terms shall have the meanings given to them by the language employed in this Article I defining such terms, unless the context clearly indicates otherwise.  As used in this Agreement, unless the context clearly requires otherwise, all capitalized terms used herein and not defined herein shall have the meanings assigned to such terms in the Indenture.
 
(b)          The following terms shall have the meanings set forth in the Recitals hereto:
 
Act
DRP Sublease
Administration Expense Guaranty
Ground Lease
Agreement
Indenture
Authority
Project
Authority Sublease
Series 2025 Bonds
Bond Resolution
Series 2025 Facilities
Company
State
Company Sublease
Terminal
DRP
Trustee

(c)          The following terms have the following meanings unless the context requires otherwise:
 
“Administration Expenses” means all costs and expenses incurred by the Authority, other than interest and principal on the Bonds, with respect to or arising out of this Agreement including as a result of the Company’s failure to satisfy any of its obligations under this Agreement, the Indenture and any transaction or event contemplated by this Agreement or the Indenture, including, without limitation, (i) any costs incurred to address, satisfy or comply with any liabilities, requirements or obligations in respect of the Project, the Series 2025 Facilities, or the Terminal, imposed by, or arising from any non-compliance or violation of, any Environmental Laws, (ii) the compensation and reimbursement of the expenses and advances (including counsel fees) of the Authority, and (iii) the reasonable expenses and advances (including reasonable counsel fees) of the Trustee, the Collateral Agent, the Paying Agent and the Registrar incurred on behalf of the Authority performing the Authority’s rights and obligations under the Bond Documents.
 
“Affiliate” means any Person which controls or is controlled by the Company or is under common control with the Company, determined as follows:  (a) one Person shall be deemed to control another if it owns more than 50% of the outstanding voting stock of or other equity interest in the other, or it has the power to elect more than 50% of the governing body of the other; and (b) such control may be exercised by one Person over another directly, indirectly through control over a third party, or jointly with one or more controlled third parties.
 
-4-

“Affirmative Action Program” means the provisions of the Act, the resolutions, rules and regulations of the Authority, as adopted, amended and supplemented from time to time to the Date of Issuance, requiring that the Company and all Contractors make every effort as set forth therein to hire minority workers or to cause minority workers to be hired for employment in performance of Construction Contracts in fulfillment of the minority employment goals fixed by the Authority, and that the Company and all Contractors file such certificates, reports and records and do other prescribed acts as are necessary to demonstrate or assure compliance.
 
“Application” means, collectively, the Company’s Bond Application for Financial Assistance submitted to the Authority, as amended.
 
“Arbitrage Certificate” means the Arbitrage Certificate dated as of the Date of Issuance and delivery of any series of Bonds, furnished by the Authority and based upon a certification furnished by the Company.
 
“Authorized Company Representative” means the person or persons at the time designated to act on behalf of the Company.  As of the date of issuance of the Series 2025 Bonds, the Authorized Company Representatives are the Chief Executive Officer and Secretary of the Company.
 
“Bonds” means the Series 2025 Bonds and any Additional Bonds.

“Bond Counsel” means McCarter & English, LLP, or other attorneys selected by the Authority, with the consent of the Company (which consent shall not be unreasonably withheld and shall not be required in connection with the Authority responding to an Audit Notice or other actions that could result in a Determination of Taxability) who have nationally recognized expertise in the issuance of municipal securities, the interest on which is excluded from gross income for federal and state income tax purposes.
 
“Bond Documents” means the Indenture, this Agreement and the Administration Expense Guaranty.
 
“Business Day” means any day that is not a Saturday, a Sunday or day on which commercial banks in the State of New York or the State of New Jersey are authorized or required by law, regulation or executive order to be closed.
 
“Change of Control” means any “person” or “group” of related persons (as such terms are used in Sections 13(d) and 14(d) of the Securities Exchange Act of 1934, as amended (the “Exchange Act”), as in effect on the Date of Issuance), other than one or more Permitted Holders and excluding any employee benefit plan or Person acting as the trustee, agent or other fiduciary or administrator therefor, is or becomes the direct beneficial owner (as defined in Rules 13d-3 and 13d-5 under the Exchange Act as in effect on the Date of Issuance) of more than 50% of the total voting power of the Voting Stock of the Company; provided, however, that notwithstanding the foregoing, a transaction or series of transactions will not be deemed to involve a Change of Control if (x) the Company becomes a direct or indirect wholly-owned subsidiary of a holding company and (y) (A) the direct or indirect beneficial owners of the Voting Stock of such holding company immediately following such transaction or transactions are substantially the same as the beneficial owners of the Voting Stock of the Company immediately prior to such transaction or transactions or (B) immediately following such transaction or transactions, no Person (other than a holding company satisfying the requirements of this proviso) is the beneficial owner, directly or indirectly, of more than 50% of the Voting Stock of such holding company, other than one or more Permitted Holders and excluding any employee benefit plan or Person acting as the trustee, agent or other fiduciary or administrator therefor. For purposes of this definition, a Person shall not be deemed to have beneficial ownership of Voting Stock subject to a stock purchase agreement, merger agreement or similar agreement until the consummation of the transactions contemplated by such agreement.
 
-5-

“Change Order” shall have the meaning ascribed to such term in Section 5.01(c) hereof.
 
“Code” means the Internal Revenue Code of 1986, as amended from time to time, and any successor legislation.
 
“Collateral Agency Agreement” means that certain Collateral Agency Agreement, dated May 28, 2025, by and among the Collateral Agent, the Trustee, UMB Bank, N.A. as the account bank thereunder, DRP, the Company, and each other Repauno Entity (as defined thereunder), as amended or supplemented from time to time.
 
“Collateral Agent” means UMB Bank, N.A., a national banking association, in its capacity as collateral agent on behalf of the Secured Creditors, and its successors and assigns pursuant to the Collateral Agency Agreement.
 
“Company Completion Certificate” shall have the meaning ascribed to such term in Section 7.24 of this Agreement.
 
“Company Rent” means all amounts due under Sections 3.02 and 3.03 hereof.
 
“Company Sublease Outside Date” shall have the meaning ascribed to such term in Section 2.02(b) hereof.
 
“Completion Date” shall have the meaning ascribed to such term in Section 7.24 hereof.
 
“Construction Contracts” means, for purposes of the Prevailing Wage Provision, any contract or subcontract in the amount of $2,000 or more for construction, reconstruction, demolition, alteration, repair, or maintenance work, including painting, undertaken in connection with the Series 2025 Facilities and shall mean, for purposes of the Affirmative Action Program, any contract or subcontract for construction, reconstruction, renovation or rehabilitation undertaken in connection with the Series 2025 Facilities.
 
“Construction Period” means the period between the beginning of construction or the date on which the Series 2025 Bonds are first delivered to the purchaser thereof, whichever is earlier, and the Completion Date.
 
“Continuing Disclosure Agreement” means the Disclosure Dissemination Agent Agreement between the Company and Digital Assurance Certification, L.L.C., as the dissemination agent, dated the Date of Issuance, as the same may be amended or supplemented from time to time.

-6-

“Construction Account” means each of the “DRP 4 Series 2025 Debt Proceeds Sub-Account” and “DRP 4 Series 2025 Debt Proceeds Capital Contingency Reserve Sub-Account” established under Section 5.01(a)(iii) of the Collateral Agency Agreement.
 
“Contractor” means the principal or general contractor or contractors engaged by the Company in the performance of a Construction Contract.
 
“Contractor’s Certificate and Agreement” means an instrument executed by a Contractor substantially in the form identified in the final sentence of this definition or otherwise in form and substance acceptable to the Authority, wherein such Contractor agrees to undertake or perform such obligations and certifies as to such matters as the Authority shall reasonably require, including, without limitation, undertakings or certifications (a) that, for purposes of the Prevailing Wage Provision, all workers engaged in the performance of the applicable Construction Contract shall be paid a wage rate not less than the Prevailing Wage Rate, and that all Construction Contracts that are subcontracts under the applicable Construction Contract will so provide, and (b) that, for purposes of the Affirmative Action Program, the Contractor will make every effort required thereby to hire or cause to be hired minority workers so as to meet the minority employment goals of the Affirmative Action Program, and that all Construction Contracts that are subcontracts under the applicable Construction Contract will so provide. An acceptable form of such Contractor’s Certificate and Agreement can be found at the Authority’s internet web page:  www.njeda.com/affirmativeaction; such form can also be obtained by sending a request to: affirmativeaction@njeda.com.
 
“Contractor’s Completion Certificate” means the certificate or certificates executed by each Contractor upon substantial completion of such Contractor’s scope of work with respect to construction of the Series 2025 Facilities, if any, substantially in the form identified in the final sentence of this definition or otherwise in form and substance acceptable to the Authority, wherein the Contractor certifies as to such matters as the Authority shall reasonably require, including, without limitation, certifications that the Contractor has made every required effort to satisfy the minority employment goals established in the Affirmative Action Program and that the Contractor has submitted all certificates, reports and records required by the Authority as set forth herein.  An acceptable form of such Contractor’s Completion Certificate can be found at the Authority’s internet web page: www.njeda.com/affirmativeaction; such form can also be obtained by sending a request to: affirmativeaction@njeda.com.

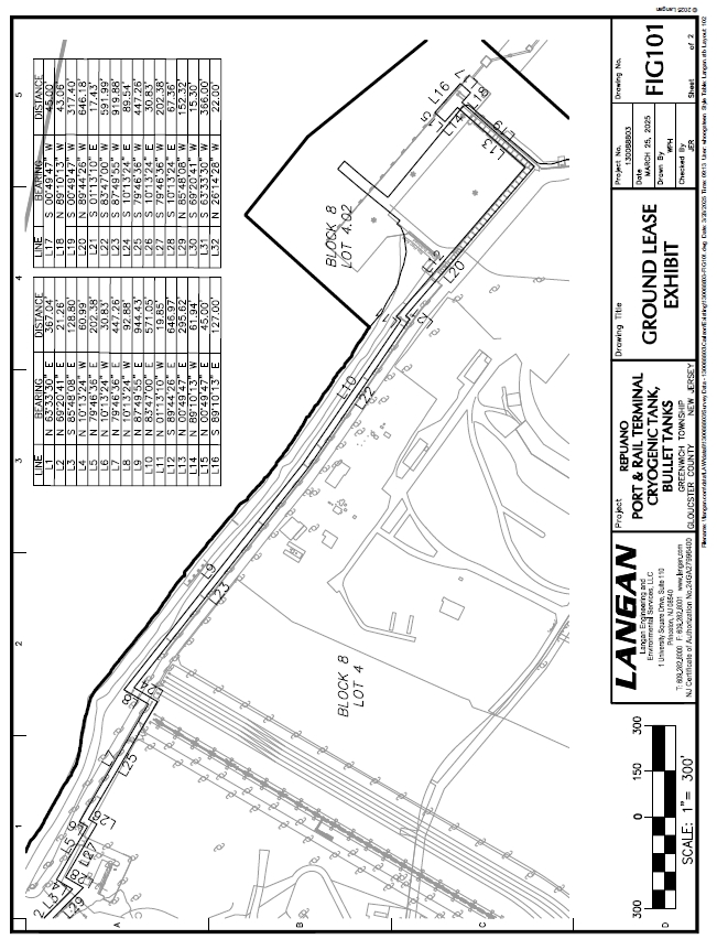
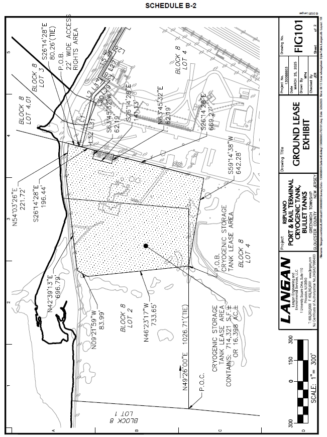
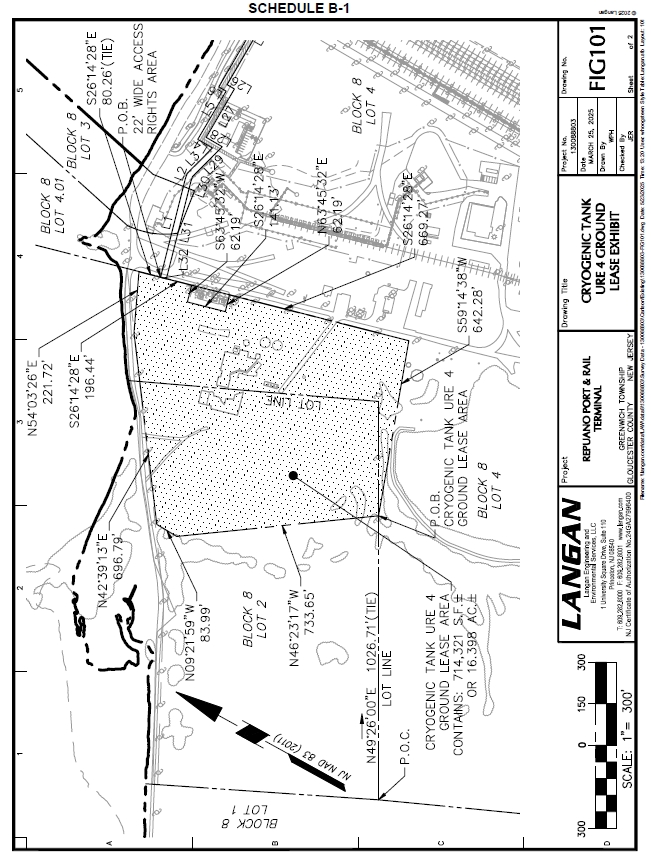
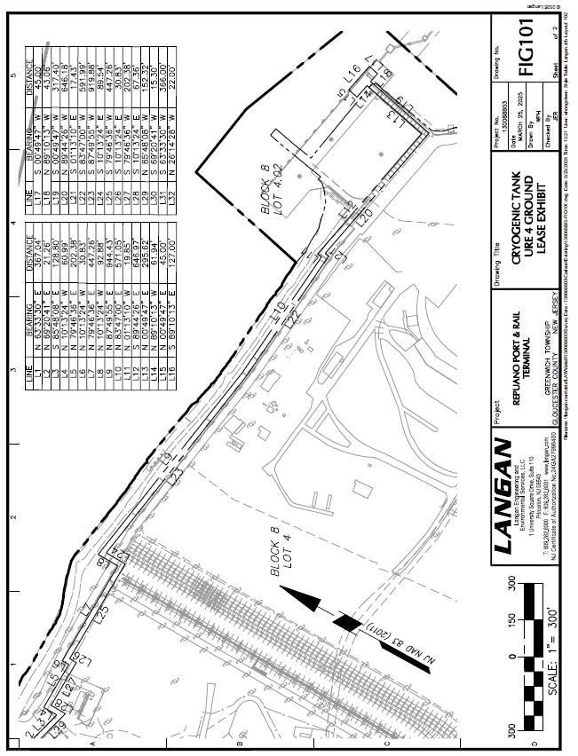
“Cryo Site” means the approximately 16.4 acres of land described more particularly in Schedule A-1 attached hereto and depicted on the survey map in Schedule B-1 attached hereto.
 
“Date of Issuance” with respect to the Series 2025 Bonds means May 28, 2025 and with respect to any series of Additional Bonds means such date as specified in the Supplemental Indenture pursuant to which such Additional Bonds are issued.
 
“ERISA” means the Employment Retirement Income Security Act of 1974, as amended from time to time, and all rules and regulations from time to time promulgated thereunder.
 
-7-

“Event of Default” shall have the meaning ascribed to such term in Section 10.01 hereof.
 
“Final Approval Date” means February 24, 2025.
 
“Fiscal Year” means the Company’s fiscal year, which currently begins on January 1 and ends on December 31 of each calendar year.
 
“Fortress Entities” means any of (i) Fortress Investment Group LLC and its successors or any Affiliate thereof, (ii) any investment vehicle (whether formed as a private investment fund, stock company, partnership or otherwise) or managed account managed directly or indirectly by (x) Fortress Investment Group LLC and its successors or any Affiliate thereof or (y) any other entity whose day-to-day business and operations are, at the time of any direct or indirect acquisition by such entity of any securities of the Company, managed and supervised by one or more of the Principals or individuals under such Principal’s supervision, or any Affiliates of such entity, (iii) the Principals and (iv) any Person the majority of whose stock, partnership or membership interests are owned, directly or indirectly, by any Person described in clauses (i) through (iii) of this definition.
 
“Indemnified Party” shall have the meaning ascribed to such term in Section 7.10 hereof.
 
“Land Rights” means the access, use and other rights granted by DRP to the Company under the Ground Lease, in addition to the lease of the Cryo Site, for the use of land at the Terminal for purposes related to the Series 2025 Facilities, as more particularly described in the Ground Lease and including the rights described in Schedule C attached hereto, subject to the terms of the Ground Lease, and excluding any and all rights excluded, reserved or retained by DRP under the Ground Lease.
 
“Leased Premises” means the Cryo Site, together with (a) the improvements thereon or on any other part of the Series 2025 Facilities Land that comprise any part of the Series 2025 Facilities, but not including any other structures, buildings, foundations, related facilities and other improvements and fixtures now or at any time made, erected or situated on the Cryo Site, any other part of the Series 2025 Facilities Land, or any other part of the Terminal, and (b) any Personal Property located on the Series 2025 Facilities Land that comprises (or will, when installed, comprise) any part of the Series 2025 Facilities and all replacements, improvements, extensions, substitutions, restorations, repairs or additions thereto; but excluding, however, any real property or Property Interests therein released pursuant to Section 8.03 or 9.04 hereof and any and all assets, interests and rights excluded, reserved or retained by DRP under the Ground Lease.
 
“Letter of Instructions” means the letter of instructions attached to the Arbitrage Certificate as Exhibit A provided by Bond Counsel in connection with the issuance of the Series 2025 Bonds as such letter may be amended from time to time as a source of guidance for compliance with the Code.
 
“Loss Event” shall have the meaning ascribed to such term in Section 9.04 hereof.
 
“Mortgage” shall have the meaning ascribed to such term in Section 2.03 hereof.
 
-8-

“Payment Rights” mean the rights of the Authority to payment under Sections 3.02(c), 3.03, 7.04(b), (d) and (g), 7.09, 7.10, 7.21 and 10.06 hereof. The rights of the Authority to payment under Sections 3.03, 7.04(d), and 7.04(g) are “Payment Rights” to the extent they relate to fees and expenses of, or advances made by, the Authority.
 
“Permitted Holders” means the collective reference to the Fortress Entities and their Affiliates.
 
“Person” means an individual, partnership, corporation, limited liability company, association, trust, unincorporated organization, business entity, municipality, county or any other person having separate legal personality.
 
“Personal Property” means any portion of the Series 2025 Facilities that comprises moveable personal property.
 
“Plan” means any employee benefit plan or other plan for the Company’s employees which is covered by Title IV of ERISA.
 
“Prevailing Wage Provision” means the provisions of the Act and the resolutions, rules and regulations of the Authority, as adopted, amended and supplemented from time to time, requiring that workers engaged in Construction Contracts be paid a wage rate not less than the Prevailing Wage Rate, and that the Company and all Contractors file such certificates, reports and records and do other prescribed acts as are necessary to demonstrate or assure compliance.
 
“Prevailing Wage Rate” means the prevailing wage rate established by the Commissioner of the New Jersey Department of Labor and Industry from time to time in accordance with the provisions of N.J.S.A. 34:11‑56.30 for the locality or localities in which the Series 2025 Facilities are located.
 
“Principals” means Wesley R. Edens, Randal A. Nardone and Kenneth J. Nicholson.
 
“Prohibited Person” means
 
(a)        any person (i) that is in default or in breach, beyond any applicable grace period, of its obligations under any written agreement with the Authority or (ii) that directly or indirectly controls, is controlled by, or is under common control with, a person that is in default or in breach, beyond any applicable grace period, of its obligations under any written agreement with the Authority, unless such default or breach has been waived in writing by the Authority;
 
(b)          any person (i) that has been convicted in criminal proceedings for a felony or any crime involving moral turpitude or that is an organized crime figure or is reputed to have substantial business or other affiliations with an organized crime figure or (ii) that directly or indirectly controls, is controlled by, or is under common control with, a person that has been convicted in criminal proceedings for a felony or any crime involving moral turpitude or that is an organized crime figure or is reputed to have substantial business or other affiliations with an organized crime figure; or
 
-9-

(c)          any government, or any person that is directly or indirectly controlled (rather than only regulated) by a government, that is finally determined to be in violation of (including, but not limited to, any participant in an international boycott in violation of) the Export Administration Act of 1979, or its successor, or the regulations issued pursuant thereto, or any government that is, or any person that, directly or indirectly, is controlled (rather than only regulated) by a government that is, subject to regulations or controls thereof; or
 
(d)         any government, or any person that is directly or indirectly controlled (rather than only regulated) by a government, the effects of the activities of which are regulated or controlled pursuant to regulations issued of the United States Treasury Department or executive orders of the President of the United States of America issued pursuant to the Trading with the Enemy Act of 1917, as amended.
 
“Property Interests” means collectively all legal, equitable, security and other interests in, and all legal, equitable and other rights and remedies with respect to or against, the Leased Premises or any part thereof, or any rights created by such interests, rights and remedies, or created by the letting of the Leased Premises including, without limitation: any pledge of, mortgage on or security interest in the Leased Premises; the right to the appointment of a receiver; any rights of use, occupancy, entry, re-entry, redemption, eviction, ejectment, reversion, possession, regaining or resumption of possession, letting, reletting, subletting, sale, conveyance, transferring, mortgaging, pledging, assigning, or any similar rights; or the rentals and other revenues and income derived from or in connection with holding any of the foregoing interests, rights or remedies in respect of the Leased Premises, except for the amounts payable by the Company pursuant to this Agreement. The term “redemption” as used in this definition does not refer to the redemption of the Bonds.
 
“Rebatable Arbitrage” means with respect to any series of Bonds, the amount required to be rebated to the United States pursuant to Section 148(f)(2) of the Code or successor provisions applicable to the Bonds.
 
“Representation Letter” means the Company’s certificate delivered on the Date of Issuance and delivery of the Series 2025 Bonds certifying certain matters relevant for Bond Counsel to determine that interest on the Series 2025 Bonds is excluded from gross income for federal income tax purposes.
 
“Reserved Rights” mean the rights of the Authority to enforce the public purpose covenants set forth in Sections 3.05, 5.01(c), 5.01(d), 5.02, 5.06, 6.03, 6.06, 6.11, 6.12, 6.13, 6.14, 7.01, 7.02, 7.04, 7.05, 7.06, 7.08, 7.09, 7.10, 7.11, 7.15, 7.19, 7.20, 7.24, 7.27, 7.28, 7.32, 9.01, 9.02, 9.03, 10.03, 10.08 and 11.16 hereof.
 
“Series 2025 Debt Service Fund” means the “Series 2025 Debt Service Fund” created and designated as such in the Indenture.
 
“Series 2025 Facilities Land” means the Cryo Site and the Shared Land.

-10-

“Series 2025 Rebate Fund” means the “Series 2025 Rebate Fund” created and designated as such in the Indenture.

“Shared Land” means the approximately 2.1 acres of land described more particularly in Schedule A-2 attached hereto and depicted on the survey map in Schedule B-2 attached hereto.
 
“Surplus” shall have the meaning ascribed to such term in Section 7.24 of this Agreement.
 
“Surviving Entity” shall have the meaning ascribed to such term in Section 7.11 hereof.
 
“Tax Completion Certificate” shall have the meaning ascribed to such term in Section 7.24 of this Agreement.
 
“Taxes” means any and all present or future taxes, levies, imposts, duties, deductions, charges or withholdings imposed by any Governmental Authority.
 
“Trustee” means the Trustee at the time serving as such under the Indenture and any assigns or successors thereto.
 
“Voting Stock” means, of any Person as of any date, the capital stock of such Person that is at the time entitled to vote in the election of the board of directors of such Person.
 
Section 1.02.       Construction of Terms.  Unless the context clearly requires otherwise, the singular shall include the plural and the masculine the feminine, and vice versa. The words “hereof”, “herein”, “hereunder”, and other words of similar import refer to this Agreement as a whole. Unless otherwise specified, references to Articles, Sections, and other subdivisions of this Agreement are to the designated Articles, Sections, and other subdivisions of this Agreement as amended from time to time, if applicable.
 
-11-

ARTICLE II

LEASE TERMS
 
Section 2.01.         Grant of Authority Sublease and Company Sublease.
 
(a)         The Company does hereby grant to the Authority, and the Authority hereby accepts from the Company, subject to the Ground Lease, the following rights and interests in, to, and for the benefit of the Leased Premises, for the term provided in Section 2.02(a) hereof and upon and subject to the terms and conditions herein set forth, which rights and interests shall collectively comprise the Authority Sublease:
 
(i)          A sublease of the land comprised in the Cryo Site;
 
(ii)         A lease of all of the Leased Premises other than the land comprised in the Cryo Site; and
 
(iii)      A sublicense of all of the Land Rights, whereby the Land Rights shall be exercisable by the Authority to the exclusion of the Company.
 
(b)          The Authority hereby grants to the Company, and the Company hereby accepts from the Authority, subject to the Ground Lease, the following rights and interests in, to, and for the benefit of the Leased Premises, for and during the term provided in Section 2.02(b) and upon and subject to the terms and conditions herein set forth, which rights and interests shall collectively comprise the Company Sublease:
 
(i)          A sub-sublease of the land comprised in the Cryo Site;
 
(ii)        A sublease of all of the Leased Premises other than the land comprised in the Cryo Site; and
 
(iii)      A sub-sublicense of all of the Land Rights, whereby the Land Rights shall be exercisable by the Company to the exclusion of the Authority.
 
(c)          The Company hereby agrees to pay the Company Rent.
 
(d)          The parties hereto acknowledge that, pursuant to the Authority Sublease, the Series 2025 Facilities, including any Personal Property, financed with the proceeds of the Series 2025 Bonds and investment earnings thereon are owned by the Authority during the term of this Agreement by virtue of its leasehold title and other rights and interests held by the Authority under the Authority Sublease.
 
(e)       The Authority and the Company hereby acknowledge and agree that the Authority has granted interests in the Leased Premises to the Company, pursuant to the Company Sublease, which interests are created under and out of the Authority’s leasehold and sub-leasehold interests in the Leased Premises under the Authority Sublease, and reflect the full extent of the Authority’s interests saving only a reversionary interest of the Authority in the Leased Premises as lessor under the Company Sublease, which reversionary interest shall subsist only during the term of this Agreement.  It is agreed and understood by the parties hereto that the Company’s use, occupancy, possession and right to quiet enjoyment of the Leased Premises is pursuant to the Company Sublease.
 
-12-

Section 2.02.        Term of this Agreement.
 
(a)          The term of the Authority Sublease shall commence on the Date of Issuance and shall, unless earlier terminated pursuant to the terms hereof, terminate on the earliest of:  (i) 12:01 a.m. on May 28, 2080; (ii) the date on which no Bonds are Outstanding under the Indenture and the Company has completed one of the options enumerated in Section 7.07(b) hereof; provided that, if the Company elects to pay the Authority fair market value rent to continue to use and occupy the Series 2025 Facilities pursuant to Section 7.07(b)(ii), the term of the Authority Sublease shall continue for the duration of time during which the Company is in compliance with such fair market value rental payments due to the Authority (subject always to the Company Sublease Outside Date) and, thereafter, the Company shall be required to complete either of the options available in Section 7.07(b)(i) or 7.07(b)(iii) hereof (subject to the rights of the Authority to instruct otherwise under Section 7.07(c) hereof); (iii) the expiration or earlier surrender or termination of the Ground Lease in its entirety; (iv) the surrender or termination of the Company Sublease and the completion by the Company of the option in either Section 7.07(b)(i) or 7.07(b)(iii) (subject to the rights of the Authority to instruct otherwise under Section 7.07(c) hereof); or (v) the rejection of the Company Sublease pursuant to Section 365 of the Federal bankruptcy code or similar provision of any state bankruptcy code upon or following the occurrence of an Act of Bankruptcy with respect to the Company and the completion by the Company of the option in either Section 7.07(b)(i) or 7.07(b)(iii) (subject to the rights of the Authority to instruct otherwise under Section 7.07(c) hereof).  In conjunction with any termination of the Authority Sublease in accordance with the terms of this Section 2.02(a) above, any Outstanding Bonds, if applicable, shall be subject to extraordinary mandatory redemption in accordance with the terms of Section 4.5(d) of the Indenture and, with the exception of the termination of the Authority Sublease in accordance with Section 2.02(a)(i) above, the Company shall be required to complete either of the options available in Section 7.07(b)(i) or 7.07(b)(iii) hereof (subject to the rights of the Authority to instruct otherwise under Section 7.07(c) hereof).
 
(b)          The term of the Company Sublease shall commence on the Date of Issuance and shall, unless earlier terminated pursuant to the terms hereof, terminate on the earliest of: (i) 11:59 p.m. on May 28, 2069 (the “Company Sublease Outside Date”); (ii) the date on which no Bonds are Outstanding under the Indenture and the Company has completed one of the options enumerated in Section 7.07(b) hereof; provided that, if the Company elects to pay the Authority fair market value rent to continue to use and occupy the Series 2025 Facilities pursuant to Section 7.07(b)(ii), the term of the Company Sublease shall continue for the duration of time during which the Company is in compliance with such fair market value rental payments due to the Authority (subject always to the Company Sublease Outside Date) and, thereafter, the Company shall be required to complete either of the options available in Section 7.07(b)(i) or 7.07(b)(iii) hereof (subject to the rights of the Authority to instruct otherwise under Section 7.07(c) hereof); (iii) the earlier surrender or termination of the Ground Lease in its entirety; (iv) the expiration or earlier termination or surrender of the Authority Sublease; or (v) the rejection of the Company Sublease pursuant to Section 365 of the Federal bankruptcy code or similar provision of any state bankruptcy code upon or following the occurrence of an Act of Bankruptcy with respect to the Company.  In conjunction with any termination of the Company Sublease in accordance with the terms of this Section 2.02(b) above, any Outstanding Bonds, if applicable, shall be subject to extraordinary mandatory redemption in accordance with the terms of Section 4.5(d) of the Indenture and the Company shall be required to complete either of the options available in Section 7.07(b)(i) or 7.07(b)(iii) hereof (subject to the rights of the Authority to instruct otherwise under Section 7.07(c) hereof).
 
-13-

(c)          Notwithstanding the terms and provisions of Section 2.02(a) and (b) hereof or Section 7.12 hereof, the term of the Authority Sublease and the Company Sublease with respect to the Series 2025 Facilities, including any Personal Property, shall not expire by virtue of the expiration, surrender or termination of the Ground Lease in its entirety so long as the Company continues to have permitted occupancy of the related portion of the Leased Premises (including occupancy as a result of a permitted holdover tenancy) or another area of land at the Terminal at which the Company may operate the Series 2025 Facilities, including any Personal Property.
 
Section 2.03.         Mortgage Provisions.
 
(a)          Right to Mortgage.  Notwithstanding any provision of this Agreement to the contrary, the Company shall have the right, at any time and from time to time, and in each case without the consent of the Authority, to grant a leasehold mortgage (a “Mortgage”) as to (a) all or any portion of the Company’s interest in the Ground Lease, and give as collateral an assignment of and security interest in the Company’s entire interest (or relevant portion thereof) in the Ground Lease and the leasehold estate created thereby, and/or the Company’s interest in the Project and the Series 2025 Facilities; and/or (b) all or any portion of the Company’s interest in the Company Sublease, and give as collateral an assignment of and security interest in the Company’s entire interest (or relevant portion thereof) in the Company Sublease and the leasehold estate created thereby, including in those interests detailed in Section 2.01(b) of this Agreement; provided, however, that, no such Mortgage shall be a lien on all or any portion of the Authority’s interest in the Authority Sublease, and a copy of any Mortgage shall be delivered to the Authority by the Company promptly after recording.  Notwithstanding the foregoing, the Company shall not have the right to encumber or subordinate the Authority Sublease or any Payment Rights, except as provided herein.  Except as otherwise expressly provided in this Agreement, nothing contained in this Agreement shall be deemed to grant any lien or other encumbrance encumbering the Authority Sublease. The Parties acknowledge and agree that the security interests granted by the Company pursuant to the Collateral Agency Agreement, the Security Agreement (as defined in the Collateral Agency Agreement) and the Mortgage pertaining thereto are permitted under this Agreement.
 
(b)         Foreclosure or Sale.  Notwithstanding any provision of this Agreement to the contrary, any sale of the Company’s interest in the Ground Lease in connection with a foreclosure, whether by judicial proceedings or by virtue of any power of sale contained in a Mortgage, or any conveyance of the Company’s interest in the Ground Lease from the Company to the Collateral Agent or its nominee or designee by virtue of or in lieu of foreclosure or other appropriate proceedings, or the appointment of a receiver, or the exercise of any other remedies permitted under the Mortgage shall, however, require the consent or approval of the Authority unless (a) the transferee of the Company’s interest in the Ground Lease, who shall not be a Prohibited Person (the “Transferee”), furnishes the Authority and the Trustee with a Change of Ownership Information Form (a copy of which can be found on the Authority’s website); (b) the Authority receives a Favorable Opinion of Bond Counsel and an opinion of Bond Counsel that the transfer will not cause a reissuance of the Bonds; (c) the Transferee assumes in writing all necessary obligations of the Company under this Agreement, the Ground Lease and the DRP Sublease; (d) after transfer to the Transferee, the Series 2025 Facilities shall be operated as an authorized project under the Act; and (e) all events of default under any Bond Document, the DRP Sublease and the Ground Lease shall have been cured in connection with the transfer to the Transferee.
 
-14-

(c)         Not an Assignment, Limitation on Liability.  The Company’s making of a Mortgage shall not be deemed to constitute an assignment or transfer of this Agreement, nor shall the Collateral Agent, as the beneficiary under a Mortgage, or in the exercise of its rights under this Agreement, be deemed to be an assignee or transferee of this Agreement so as to require the Collateral Agent, as such, to assume or otherwise be obligated to perform any of the Company’s obligations hereunder except when, and then only for so long as, the Collateral Agent has acquired ownership and possession of the Company’s interest in the Company Sublease pursuant to a foreclosure or other exercise of rights or remedies under its Mortgage or assignment in lieu of foreclosure.  Any provision of this Agreement to the contrary notwithstanding, no beneficiary under a Mortgage or person acting on such beneficiary’s behalf, or any person acquiring leasehold rights of the Company pursuant to any foreclosure or other exercise of rights under a Mortgage or assignment in lieu of foreclosure, shall have any liability under or with respect to the Company Sublease except with respect to such period as such person has replaced the Company under the Company Sublease with the approval of the Authority; provided that the foregoing shall not limit the obligation of such successor to correct any conditions of a continuing nature that existed as of the date such successor became a party to the Company Sublease and are susceptible to cure by such successor.
 
(d)         Further Assurances.  Upon request by the Company or by the Collateral Agent (and provided that the Company pays any reasonable costs incurred by the Authority in respect thereof), the Authority shall deliver to the requesting party such documents and agreements as the requesting party shall reasonably request to further effectuate the intentions of the parties with respect to the Mortgages as set forth in this Agreement, including a separate written instrument in recordable form signed and acknowledged by the Authority setting forth and confirming, directly for the benefit of the Collateral Agent, any or all rights of the Collateral Agent as the beneficiary of a Mortgage, provided any such document or instrument does not diminish or in any material respect adversely affect any of the Authority’s rights, benefits or protections under this Agreement or increase in any material respect the obligations of the Authority. The Company shall pay the reasonable expense of the Authority’s legal counsel incurred in connection with any document or instrument required by this Section 2.03(d).
 
-15-

ARTICLE III
 
RENTAL PROVISIONS
 
Section 3.01.      Assignment to Trustee.  The Authority hereby notifies the Company and the Company acknowledges that the Authority’s rights in the Company Sublease (except the Payment Rights and the right of the Authority, at its option, to enforce its Reserved Rights, without limiting the right of the Trustee with respect thereto) are being assigned to the Trustee to provide a source of payment of all interest and principal owing by the Authority to the Bondholders pursuant to the terms of the Indenture; provided, however that, the Authority has not assigned to the Trustee the right to grant or withhold consent pursuant to Sections 7.11 and 7.15 hereof or the additional remedies set forth in Section 10.03 hereof; and provided further that, other than any rights of the Trustee or the Collateral Agent pursuant to the Secured Obligation Documents, no Property Interests have been pledged, assigned or granted by the Authority to the Trustee or Collateral Agent.  The Company hereby consents to such assignment and agrees that the Trustee, as assignee of the Authority, shall have the right to enforce all of the assigned covenants, agreements, obligations and duties of the Company contained herein.  The Authority hereby directs the Company to make all payments (except the Payment Rights due to the Authority, if any) due hereunder to the Trustee instead of to the Authority, and the Company hereby agrees to do so.  All such payments shall be made in lawful money of the United States directly to the Trustee, as assignee of the Authority, at the location specified by the Trustee and shall be applied in accordance with the provisions of the Indenture.  The Company acknowledges that the Reserved Rights (except the right of the Authority to receive certain payments) are also held and retained by the Authority on a parity with the Trustee. The Company shall have no obligation to confirm whether any specific rights have been assigned to the Trustee or retained by the Authority, and shall not be liable or deemed in breach of this Agreement due to an action or omission made in reliance upon any request, instruction or information provided by either the Trustee or the Authority. In particular, if the Company makes a payment to the Trustee, such payment shall also be counted for purposes of any obligation to pay the same to the Authority.
 
Section 3.02.         Rental Payments.
 
(a)          The Company covenants to make rental payments in immediately available funds directly to the Trustee no later than 12:00 p.m. New York City time on the Business Day prior to each Interest Payment Date for deposit in the Series 2025 Debt Service Fund (in each case to the extent amounts then on deposit in the Series 2025 Interest Account and the Series 2025 Principal Account shall not be available and sufficient therefor) in an amount equal to the sum of (i) the amount of interest due and payable on the Bonds, (ii) with the amount of principal due and payable on the Bonds, or the sinking fund installment, if any, due on the Bonds on the next Interest Payment Date when such principal amount or sinking fund installment, if any, is due as provided in the Indenture, and (iii) the Redemption Price of the Bonds to be redeemed which will become due on any such date together with accrued interest to the date of redemption (whether at maturity or by redemption or acceleration or otherwise as provided in the Indenture).
 
-16-

(b)         The Company agrees to pay to the Trustee, until the principal of, premium, if any, and interest on the Bonds shall have been fully paid or provision for the payment thereof shall have been made in accordance with the provisions of the Indenture, (i) as required by the Indenture, a reasonable amount due to the Trustee for its services and its expenses incurred under the Indenture, including reasonable attorney’s fees and expenses as and when the same become due and (ii) the reasonable fees, charges and expenses, including attorney’s fees and expenses, of the Registrar and Paying Agent, as required by the Indenture, as and when the same become due.
 
(c)          The Company also agrees to pay to the Authority its standard issuance fee with respect to the issuance of the Bonds, such reasonable costs and expenses as may be incurred by the Authority related to the issuance of the Bonds and the transactions contemplated by this Agreement and any advances made by the Authority pursuant to Section 7.21 hereof.  The Company further agrees to pay all reasonable Administration Expenses.
 
(d)         Notwithstanding anything in the foregoing to the contrary, including any of the provisions of Section 3.02 hereof, if by 12:00 p.m. (New York City time) on any Interest Payment Date, principal payment date, sinking fund installment payment date, if any, or redemption date, the amount on deposit and available in the Series 2025 Debt Service Fund is not sufficient to pay the principal of, sinking fund installments, if any, or redemption premium, if any, and interest on Bonds then due (whether at maturity or by redemption or acceleration or otherwise as provided in the Indenture), the Company shall pay the applicable shortfall to the Trustee and such payment shall constitute rental payments to be paid by the Company under this Section 3.02.
 
(e)          In the event the Company should fail to make any of the payments required in this Section 3.02, the item or installment so in default shall continue as an obligation of the Company until the amount in default shall have been fully paid, and the Company agrees to pay the same with interest on all outstanding amounts due hereunder at the corresponding rate of interest per annum then borne by the Bonds until paid; provided, however, that if the Company successfully contests such payment in a court of competent jurisdiction, no such additional interest shall be due hereunder.
 
(f)          The Company shall have the option to prepay its rental obligations under this Section 3.02 in whole or in part at the times and in the manner provided in Article IV hereof.
 
(g)         Subject to Section 7.07(b) of this Agreement, no further rental payments need be made by the Company to the Authority or the Trustee during the term of this Agreement to the extent that the sum of cash and/or Government Obligations on deposit in the Series 2025 Debt Service Fund is sufficient to satisfy and discharge the payment obligations of the Authority under the Indenture and to pay the Bonds as provided in Article VII of the Indenture.
 
Section 3.03.        Additional Amounts Payable by the Company.  Notwithstanding any other provision of this Agreement, the Company shall make payments or cause payments to be made under this Agreement at such times and in such amounts as will enable the Authority to meet all of its payment obligations under the Bonds and the Indenture, including any payment required to be made to the Series 2025 Rebate Fund under the Indenture or to any other funds under the Indenture and any payment due on any acceleration of the Bonds’ maturity pursuant to the terms thereof, the fees and expenses and indemnity of the Authority required to be made pursuant hereto and the fees and expenses and indemnity of the Trustee required to be made pursuant to the Indenture (excluding any indemnity that Bondholders are required to post for remedial action).  Accordingly, the Company agrees (but such agreement shall not limit the generality of the preceding sentence) that if any additional amounts become payable by the Authority to the Bondholders pursuant to the terms of the Bond Documents, then additional amounts shall be due and payable by the Company as rent to the Authority hereunder equal to the additional amounts that may be so payable by the Authority, whether before or after payment of principal on the Bonds, all of which amounts shall be paid by the Company on or before the date that the comparable amounts are due by the Authority to the Bondholders.  In addition, the Company’s obligation to pay the Company Rent shall survive any termination of this Agreement for so long as any such Company Rent remains unpaid.
 
-17-

Section 3.04.        Payments Unconditional; No Defense or Set-Off.  The obligations of the Company to pay the Company Rent and all other amounts payable hereunder shall be absolute and unconditional without defense or set-off by reason of any default by the Authority under this Agreement or any default under any other agreement between the Company and the Trustee, the Authority or any other person or for any other reason, including, without limitation, any acts or circumstances that may constitute failure of consideration or failure to perform and observe any agreement, whether express or implied, or any duty, liability or obligation arising out of or connected with this Agreement, the Ground Lease or the DRP Sublease, it being the intention of the parties that all payments due hereunder will be paid in full when due without any delay and will be received by the Authority or the Trustee, as the case may be, as a net sum without deductions, abatements, diminution or set-off of any kind whatsoever.  Until such time as the principal of, premium, if any, and interest on the Bonds shall have been fully paid, or provision for the payment thereof shall have been made in accordance with the Indenture, the Company: (i) will not suspend or discontinue any payments provided for in Section 3.02 hereof; (ii) will perform and observe all of its other agreements contained in this Agreement; and (iii) will not terminate this Agreement for any cause, including, without limiting the generality of the foregoing, failure to complete the Series 2025 Facilities, the occurrence of any act or circumstance that may constitute failure of consideration, destruction of or damage to the Series 2025 Facilities, commercial frustration of purpose, any change in the tax laws of the United States or of the State or any political subdivision of either of these or any failure of the Authority or the Trustee to perform and observe any agreement, whether express or implied, or any duty, liability or obligation arising out of or connected with this Agreement or the Indenture, except to the extent permitted by this Agreement.  This section is not intended to limit the right of the Company to commence a separate action against any party for breach of its obligations.
 
Section 3.05.       Limitation of Liability.  With the exception of the rights and obligations it has assigned to the Trustee, the Authority shall have no financial obligation, responsibility or liability in the performance of this Agreement, shall have no obligation to complete the Project and no claim shall be made against the properties of the Authority generally, or against its properties in respect of any other of its projects.  This Agreement does not pledge the general credit of the Authority, nor the general credit or taxing powers of the State or any political subdivision thereof.  No recourse shall be had for any claim based on this Agreement against any member, officer or employee, past, present or future, of the Authority or of any successor body as such, either directly or through the Authority or any successor body, under any constitutional provision, statute or rule of law or by the enforcement of any assessment or penalty or otherwise.
 
Section 3.06.        Nature of Obligations Hereunder.  All payments and other obligations of the Company are and shall be general obligations of the Company.  This Agreement and the covenants and agreements contained herein shall not be deemed to be for the benefit of any person other than the parties hereto and the Trustee, as assignee of the Authority, for the benefit of the Bondholders.
 
-18-

ARTICLE IV
 
PREPAYMENT
 
Section 4.01.      Prepayment.  The Company has the option or is required (as applicable) to make advance rental payments at the times and under the circumstances as the Authority has the option (in certain instances, at the Company’s direction) or is required to redeem the Bonds under the terms of Article IV of the Indenture.  The Company has the option to make advance rental payments and may cause the Authority to exercise the Authority’s option to prepay or repurchase the Bonds as provided in the Indenture.
 
Section 4.02.        Notice of Prepayment.  To exercise an option granted in or to fulfill an obligation required by this Article IV, the Company shall give written notice to the Authority and the Trustee which shall specify therein the date upon which prepayment of the Company Rent will be made, which date shall be not less than 45 nor more than 60 days after the date the notice is mailed.  The Authority has directed the Trustee, upon receipt of such notice from the Company, to forthwith take all steps (other than the payment of the money required for such redemption or repurchase) necessary under the applicable provisions of the Indenture to effect redemption or repurchase of all or part of the then Outstanding Bonds, as may be the case, on the date set for redemption or repurchase in accordance with Article IV of the Indenture.
 
Section 4.03.       Redemption or Repurchase of Bonds with Advance Rental Payments.  By virtue of the assignment of the rights of the Authority under this Agreement to the Trustee as is provided in Section 3.01 hereof, the Company agrees to and shall pay any amount required to be paid by it under this Article IV directly to the Trustee.  The Trustee, as assignee of the Authority, shall use the moneys so paid to it by the Company to redeem or repurchase the Bonds in accordance with Article IV of the Indenture.
 
-19-

ARTICLE V
 
COMPLETION OF THE PROJECT;
APPLICATION OF BOND PROCEEDS
 
Section 5.01.         Construction of Series 2025 Facilities; Payment of Cost of Project.
 
(a)          The Company shall cause the construction of the Series 2025 Facilities, and to that end, will enter into the DRP Sublease under which DRP will be obligated to construct or cause the construction of the Series 2025 Facilities. Pursuant to the DRP Sublease, DRP will enter into contracts providing for completion of all work and improvements included in the Series 2025 Facilities.  Payments shall be made by the Trustee and/or the Collateral Agent pursuant to the terms of the Indenture and the Collateral Agency Agreement for the Costs of the Project, and all such payments shall be made at the times, to the persons, subject to the conditions and in accordance with the procedures set forth in the Indenture and the Collateral Agency Agreement.  The proceeds of the Bonds which are deposited in the Construction Account shall be expended only for the Cost of Construction or for payment of the Bonds as provided in the Indenture.  No part of the Authority’s funds for the Project shall be subject to attachment or levy in the suit of any creditor of the Company or any agent, manufacturer, supplier, contractor or subcontractor.
 
(b)          The Company shall cause the Project to be undertaken and completed in all material respects in compliance with all present and future laws, acts, rules, regulations, orders and requirements made and applicable thereto.  In connection with the Project, the Company further agrees that:  (i) it or DRP has entered into or shall enter into the Construction Contracts as it deems necessary or advisable for any acquisition, installation, construction, renovations and conversions relating to the Series 2025 Facilities; and (ii) it shall cause the Series 2025 Facilities to be completed in accordance with the Construction Contracts, if any, therefor and shall enforce all such Construction Contracts in a commercially reasonable manner.
 
(c)         The Company further agrees that it shall not permit or consent to any material amendments, modifications, supplements, changes and deletions (each a “Change Order”) relating to the Series 2025 Facilities which are included in the Construction Contracts or any estimate, schedule or plans and specifications therefor if such Change Order will adversely affect the exclusion of interest on the Series 2025 Bonds from gross income for federal income tax purposes or the Project from qualifying as an “authorized project” under the Act or will conflict with the provisions hereof.
 
(d)        The Company further agrees during the term of the Construction Contract to maintain or cause the contractor or its subcontractors to maintain the insurance coverages required by the applicable Construction Contracts.  To the extent construction is not complete, the Company shall request the contractor or its subcontractor to name each of the Authority and the Trustee as additional insured under each such policy.
 
-20-

Section 5.02.        The Company Required to Pay if Bond Proceeds Insufficient.  In the event the proceeds of the Series 2025 Bonds are not sufficient to pay all Project costs in full, the Company agrees to complete the Project and to pay that portion of the Project cost in excess of the aforesaid moneys available therefor.  No warranty, either express or implied, is made by the Authority or the Trustee that the Series 2025 Bond proceeds available for payment of the Costs of the Project will be sufficient to pay all of the Costs of the Project.  The Company agrees that if the Company should pay any portion of the Costs of the Project pursuant to the provisions of this Section 5.02, it shall not be entitled to any reimbursement or credit therefor from the Authority or the Trustee or from the owners of any of the Series 2025 Bonds, nor shall it be entitled to any diminution of the rent payable under Section 3.02 hereof.
 
Section 5.03.        Governmental Approvals.  The Company covenants that it will obtain or cause to be obtained all necessary approvals and permits from any and all governmental agencies requisite to the acquisition, renovation, construction, installation and operation of the Series 2025 Facilities, and that the Series 2025 Facilities will be acquired, renovated, constructed, installed and operated in all material respects in compliance with all federal, state and local laws, ordinances and regulations applicable thereto.
 
Section 5.04.       Completion of Project.  The Company shall with all reasonable dispatch proceed to construct or cause the construction of the Series 2025 Facilities and will use reasonable efforts to cause the construction of the Series 2025 Facilities and the completion of the Project, which shall be evidenced by the Company Completion Certificate provided in accordance with Section 7.24 of this Agreement.
 
Section 5.05.       Agreement to Issue Series 2025 Bonds; Application of Proceeds of the Series 2025 Bonds.  In order to provide funds to finance the Costs of Construction as provided in Section 5.01 hereof and otherwise complete the Project, the Authority agrees, it will issue under the Indenture, sell and cause to be delivered to the purchasers thereof, the Series 2025 Bonds, in the aggregate principal amount of not more than $350,000,000, bearing interest and maturing as set forth in the Indenture.  The Authority has directed the proceeds received from the sale of the Series 2025 Bonds to be delivered to the Trustee for deposit or disbursed as provided in the Collateral Agency Agreement.
 
Section 5.06.        Agreement Not to Change the Project.  The Company agrees that it will not change the Project if any such change would make inaccurate, in any material respect, the description of the Project as defined in this Agreement unless (a) the Authority and the Trustee receive a Favorable Opinion of Bond Counsel with respect to such change and (b) the Project as changed will continue to be a “project” authorized to be financed by the Act as confirmed in writing to the Authority.
 
Section 5.07.        Title to Series 2025 Facilities, including any Personal Property, Financed with Proceeds of the Series 2025 Bonds.  During the term of this Agreement, the Company agrees that the Authority shall, by the Authority Sublease, acquire leasehold title to the Series 2025 Facilities, including any Personal Property, financed with the proceeds of the Series 2025 Bonds or any investment earnings thereon, and any replacement property acquired pursuant to clause (iii) of Section 7.07(a) hereof at the time of the acquisition or installation thereof, subject to the terms and provisions of this Agreement (and such title shall be encumbered by the sub-leasehold estate of the Company herein created by the Company Sublease), and with respect to replacement property such title shall automatically vest in the Authority immediately upon such acquisition or installation without further notice or action.  Title to the Series 2025 Facilities, and every portion thereof is severed, and shall be and remain severed, from title to the land comprised in the Cryo Site, to the extent permitted by applicable law.
 
-21-

ARTICLE VI
 
 REPRESENTATIONS AND WARRANTIES OF THE COMPANY
 
The Company represents and warrants to the Authority and the Trustee (as assignee of the Authority) as follows as of the date of execution hereof:
 
Section 6.01.       Organization, Powers, Etc.  The Company (a) is a limited liability company duly organized under the laws of the State of Delaware and is qualified to conduct its business in the State, (b) has the power and authority to own and/or lease its properties and assets and to carry on its business as now being conducted and (c) has the power to execute this Agreement and perform all of its obligations hereunder and to execute and deliver all other documents required hereunder.
 
Section 6.02.       Execution of Documents.  The execution, delivery and performance of this Agreement and all other instruments required pursuant to this Agreement by the Company (a) have been duly authorized by the Company, (b) will not violate or conflict with any material provision of any law, rule or regulation, any order of any court or other agency or governmental body applicable to the Company or any provision of the Company’s limited liability company formation certificate or its operating agreement, (c) is not prevented, limited by or in conflict with, and will not result in a material breach of or default under, any relevant indenture, agreement or other instrument to which the Company is a party or by which it or any of its property are bound, and (d) will not result in the creation or imposition of any charge or encumbrance of any nature on all or any portion of the Project or the assets of the Company under the terms of any instrument or agreement to which the Company is now a party or by which it is bound, except as otherwise contemplated by this Agreement, the Ground Lease, the DRP Sublease or the Bond Documents, or such other instruments and agreements as are entered into in connection with this Agreement or the transactions contemplated herein.
 
Section 6.03.        Accuracy and Completeness of Disclosure.  No written information heretofore or contemporaneously furnished, relating to the Company, the Project, the Series 2025 Facilities, the Ground Lease, the DRP Sublease or the Bond Documents, which have been supplied by or on behalf of the Company to the Trustee, the Authority, the underwriters or any purchaser of the Series 2025 Bonds, including without limitation (in each case as amended, modified or supplemented by information furnished prior to execution of this Agreement) the Application, the Preliminary Limited Offering Memorandum dated April 30, 2025, as supplemented by the Supplement No. 1 to Preliminary Limited Offering Memorandum dated May 14, 2025 (except to the extent amended, modified or supplemented in the Limited Offering Memorandum) and the Limited Offering Memorandum dated May 15, 2025, (a) is untrue, incorrect or incomplete in any material respect, (b) contains any untrue statement of a material fact or omits to state a material fact necessary to make the statements therein not misleading in light of the circumstances under which they were made and (c) omits to state a material fact necessary to make the statements contained therein not misleading or incomplete.  The Company acknowledges that the Trustee (as assignee of the Authority) and the Authority are relying on such information. The Company understands that all such information has been relied upon as an inducement by the Authority to issue the Series 2025 Bonds.
 
-22-

Section 6.04.       Litigation.  There is no action, suit, or proceeding at law or in equity by or before any court, governmental instrumentality or other agency now pending, or, to the knowledge of the Company threatened against or affecting it or any of its properties or rights, wherein an unfavorable decision, ruling or finding would materially impair its right to carry on its business substantially as now conducted or would materially adversely affect its financial condition or ability to carry out its obligations hereunder, or the validity or enforceability of this Agreement, the Ground Lease, the DRP Sublease and the Bond Documents.
 
Section 6.05.       No Material Adverse Change.  There has been no material adverse change in the financial condition of the Company from the date of the latest financial statements of the Company, if any, which have been submitted to the Authority.
 
Section 6.06.       Project Authorized by Act.  The acquisition, financing and use of the Project, as provided under this Agreement, will promote employment opportunities in the County of Gloucester in the State.
 
Section 6.07.        Ground Lease.  The Ground Lease continues in full force and effect as a legal, valid and binding obligation of the Company without material default by the Company, or to the knowledge of the Company, by DRP thereunder; the Company has not received any notice of default or termination under the Ground Lease; and the initial term of the Ground Lease expires on May 28, 2080.
 
Section 6.08.        Tax Status of Series 2025 Bonds.  The Company has not taken and does not intend to take any action or omit to take any action, and knows of no action that any other person, firm or corporation has taken or intends to take, which would cause interest on the Series 2025 Bonds to be includable in the gross income of the recipients thereof for federal income tax purposes (except any Series 2025 Bond for any period during which such Series 2025 Bond is held by a “substantial user” of a facility financed with the proceeds of the Series 2025 Bonds or a “related person” to such “substantial user” as such terms are defined in Section 147(a) of the Code).
 
Section 6.09.       No Federal Guarantee.  Interest with respect to the Series 2025 Bonds is not guaranteed (in whole or in part) by the United States (or any agency or instrumentality thereof); no portion of the proceeds of the Series 2025 Bonds are to be (a) used in making loans the payment of principal or interest with respect to which is to be guaranteed (in whole or in part) by the United States (or any agency or instrumentality thereof), or (b) invested (directly or indirectly) in federally insured deposits or accounts except to the extent permitted under Section 149(b)(3) of the Code, which provides exceptions that include (i) investments during any initial temporary period permitted under Section 148 of the Code, such as for certain construction periods, until such proceeds are needed for the purpose for which the Series 2025 Bonds were issued; (ii) investments in a bona fide debt service fund, within the meaning of Section 149(b)(3) of the Code; (iii) investments in a reasonably required reserve or replacement fund, within the meaning of Section 148(d) of the Code; or (iv) investments in bonds issued by the United States Treasury; and the payment of principal of or interest on the Series 2025 Bonds is not otherwise indirectly guaranteed (in whole or in part) by the United States or any agency or instrumentality thereof.
 
-23-

Section 6.10.         Necessary Approvals.  The Company represents that it has obtained all necessary approvals, licenses and permits from any and all governmental agencies requisite to the construction and use of the Series 2025 Facilities except for such approvals, permits and licenses as the Company has no reason to believe will not be obtained in due course so as not to delay scheduled completion of construction or use of the Series 2025 Facilities for the purposes contemplated by the Company.
 
Section 6.11.       Inducement.  The availability of the financial assistance from the Authority as provided for herein has been an important inducement to the Company to undertake the Project and to locate the Series 2025 Facilities in the State.
 
Section 6.12.        Affirmative Action and Prevailing Wage.  With respect to any Construction Contract that was entered into prior to and not complete on the Final Approval Date, the Company represents that, to the best of its knowledge, the Company is in compliance with the Authority’s Prevailing Wage Provisions.  The Company shall provide the Authority with any information reasonably requested by the Authority regarding affirmative action and prevailing wage requirements for Construction Contracts entered into prior to, but not complete on, the Final Approval Date.
 
Section 6.13.     Compliance with Applicable Laws.  The Company (a) has at all times complied with and is not in violation of any Environmental Laws or other statutes administered by the New Jersey Department of Labor and Workforce Development (“LWD”) or the New Jersey Department of Environmental Protection (“NJDEP”), or any rules or regulations promulgated under any of the same, and (b) does not have any unpaid fines, penalties, or other payment to the LWD, NJDEP or any other governmental agency or authority that are not subject to an approved payment plan with respect to which the Company is in full compliance.
 
Section 6.14.       Business Treatment of Cannabis Establishments, Distributers, and Delivery Services.  In compliance with N.J.S.A. 24:6I-49(b)(2), the Company represents and warrants it (a) has neither applied for nor received from the New Jersey Cannabis Regulatory Commission either a license to operate as a cannabis cultivator, cannabis manufacturer, cannabis wholesaler, cannabis distributor, cannabis retailer, or cannabis delivery service or that employs a certified personal use cannabis handler to perform work for or on behalf of a cannabis establishment, distributor, or delivery service; or  (b) is not a property owner, developer, or operator of a project to be used, in whole or in part, by or to benefit a cannabis cultivator, cannabis manufacturer, cannabis wholesaler, cannabis distributor, cannabis retailer, or cannabis delivery service, or to employ a certified personal use cannabis handler to perform work for or on behalf of a cannabis establishment, distributor, or delivery service pursuant to N.J.S.A. 24:6I-49(b)(2)(b).  The Company acknowledges an on-going obligation to report to the Authority any change to this statement.  The Company acknowledges that the issuance of a license to operate as a cannabis cultivator, cannabis manufacturer, cannabis wholesaler, cannabis distributor, cannabis retailer, or cannabis delivery service, or the issuance of a certification to perform work for or on behalf of a cannabis establishment, distributor, or delivery service to a person or entity that has been awarded a State or local economic incentive shall invalidate the right of the Company to benefit from the economic incentive as of the date of issuance of the license or certification; and that the issuance of a license to operate as a cannabis cultivator, cannabis manufacturer, cannabis wholesaler, cannabis distributor, cannabis retailer, or cannabis delivery service, or issuance of a certification to perform work for or on behalf of a cannabis establishment, distributor, or delivery service at a location that is the subject of a State or local economic incentive shall invalidate the right of the Company property owner, developer, or operator to benefit from the economic incentive as of the date of issuance of the license or certification.
 
-24-

ARTICLE VII
 
COVENANTS OF THE COMPANY
 
The Company covenants and agrees, so long as this Agreement remains in effect or the Bonds are outstanding, as follows:
 
Section 7.01.         Condition of Terminal.
 
(a)         The Company shall cause DRP to at all times preserve and protect the Terminal in good repair, working order and safe condition, and from time to time will make, or will cause to be made, all needed and proper repairs, renewals, replacements, betterments and improvements thereto including those required after a casualty loss, to the extent required by the Ground Lease or this Agreement.  The Company shall cause DRP to pay or cause to be paid all operating costs, utility charges and other costs and expenses arising out of the possession, use or operation of the Terminal.
 
(b)          The Authority shall have no obligation and makes no warranties respecting the condition or operation of the Terminal.  THE AUTHORITY HAS MADE AND MAKES NO REPRESENTATION OR WARRANTY WHATSOEVER, EITHER EXPRESS OR IMPLIED, WITH RESPECT TO THE MERCHANTABILITY, CONDITION, FITNESS, DESIGN, OPERATION OR WORKMANSHIP OF ANY PART OF THE TERMINAL OR THE PROJECT, ITS FITNESS FOR ANY PARTICULAR PURPOSE, THE QUALITY OR CAPACITY OF THE MATERIALS IN THE TERMINAL OR THE PROJECT, OR THE SUITABILITY OF THE TERMINAL FOR THE PURPOSES OR NEEDS OF THE COMPANY, OR THE EXTENT TO WHICH PROCEEDS DERIVED FROM THE SALE OF THE SERIES 2025 BONDS WILL BE SUFFICIENT TO PAY THE COST OF COMPLETION OF THE PROJECT.  THE COMPANY IS SATISFIED THAT THE PROJECT IS SUITABLE AND FIT FOR ITS PURPOSES.  THE AUTHORITY SHALL NOT BE LIABLE IN ANY MANNER WHATSOEVER TO THE COMPANY OR ANY OTHER PERSON FOR ANY LOSS, DAMAGE OR EXPENSE OF ANY KIND OR NATURE CAUSED, DIRECTLY OR INDIRECTLY, BY THE PROPERTY OR THE TERMINAL OR THE USE OR MAINTENANCE THEREOF OR THE FAILURE OF OPERATION THEREOF, OR THE REPAIR, SERVICE OR ADJUSTMENT THEREOF, OR BY ANY DELAY OR FAILURE TO PROVIDE ANY SUCH MAINTENANCE, REPAIRS, SERVICE OR ADJUSTMENT, OR BY ANY INTERRUPTION OF SERVICE OR LOSS OF USE THEREOF OR FOR ANY LOSS OF BUSINESS HOWEVER CAUSED.
 
(c)          The Company will not use as a basis for contesting any assessment or levy of any tax the financing under this Agreement or the issuance of the Series 2025 Bonds by the Authority and, if any administrative body or court of competent jurisdiction shall hold for any reason that the Series 2025 Facilities are exempt from taxation by reason of the financing under this Agreement or issuance of the Series 2025 Bonds by the Authority or other Authority action in respect thereto, the Company covenants to make payments in lieu of all such taxes in an amount equal to such taxes and, if applicable, interest and penalties. Notwithstanding the foregoing, the Company reserves any other defenses and rights to contest that may be available to it in connection with any such tax matters, including, without limitation, the fact that the Series 2025 Facilities are governmentally owned.  For the avoidance of doubt, if and for so long as the Company is not required to pay property taxes attributable to the Series 2025 Facilities by virtue of an agreement with the Township of Greenwich, New Jersey, under which the Company is obligated to make agreed upon payments in lieu of such taxes, this subsection shall not require the Company to pay any amount in lieu of such property taxes or any interest or penalties thereon.
 
-25-

Section 7.02.       Compliance with Laws.  The Company shall operate or cause the Series 2025 Facilities to be operated as an authorized project for a purpose and use as provided for under the Act until the expiration or earlier termination of this Agreement.
 
The Company shall comply in all material respects with all laws, ordinances and regulations, including, without limitation, all zoning or redevelopment plan, as applicable, and environmental laws, ordinances and regulations, of any duly constituted authority which if not complied with, could reasonably be expected to materially adversely affect the Series 2025 Facilities or the use thereof.  The Company shall have the right in good faith to contest or appeal from such laws, ordinances and regulations and any decision adverse to the Company based thereon, but all costs, fees and expenses incurred in connection with such proceedings shall be borne by the Company; provided, however, the Company must give the Authority written notice of any such contest.  The Company agrees that it shall not discriminate or permit any discrimination in the use of the Series 2025 Facilities against any person on the grounds of race, color, religion, gender, age or national origin in any manner prohibited by the laws of the United States or the State, and shall provide the State with all information required by law concerning employment practices and procedures.
 
Section 7.03.         Certain Covenants with Respect to the Ground Lease.
 
(a)        Promptly following the execution by the Company of any material amendment, supplement or modification to the Ground Lease, the Company shall deliver a true copy of such material amendment, supplement or modification to the Authority and the Trustee.
 
(b)          The Company shall promptly transmit to the Authority and the Trustee copies of any termination or default notice it shall receive or deliver under the Ground Lease.
 
(c)          The Company agrees to comply in all material respects with and perform all of its covenants and obligations set forth in the Ground Lease.
 
Section 7.04.        Tax Covenants.  The Company will not take any action or fail to take any action which action or inaction (as applicable) would cause the interest on the Series 2025 Bonds to be included in gross income for federal income tax purposes under the Code (except any Series 2025 Bond for any period during which such Series 2025 Bond is held by a “substantial user” of a facility financed with the proceeds of the Series 2025 Bonds or a “related person” to such “substantial user” as such terms are defined in Section 147(a) of the Code).  The Company agrees that it shall at all times do and perform all acts and things necessary on its part under the Code in order to assure that interest paid on the Series 2025 Bonds (except any Series 2025 Bond for any period during which such Series 2025 Bond is held by a “substantial user” of a facility financed with the proceeds of the Series 2025 Bonds or a “related person” to such “substantial user” as such terms are defined in Section 147(a) of the Code) shall, for purposes of federal income taxation, be excludable from the gross income of the recipients thereof under the Code and that it will refrain from doing or performing any act or thing that will cause such interest not to be so excludable.  Notwithstanding anything contained in this paragraph to the contrary, the Company shall not have any liability to the Owners, the Trustee or otherwise as a result of its failure to comply with the provisions of this paragraph except to redeem the Series 2025 Bonds as provided in Section 4.5(f) of the Indenture.
 
-26-

The Company hereby covenants that it will not make any investment or other use of the proceeds (as that term is defined in Section 148 of the Code and all applicable regulations promulgated thereunder) of the Series 2025 Bonds which would cause the Series 2025 Bonds to be “arbitrage bonds” (as that term is defined in Section 148 of the Code and all applicable regulations promulgated thereunder), and that it will comply with the requirements of such Code section and regulations throughout the term of the Series 2025 Bonds.
 
Without limiting the generality or application of the covenants contained in the foregoing paragraphs of this Section 7.04, the Company hereby agrees to comply with and be bound by the following additional covenants:
 
(a)          The Company hereby covenants that at least 95% of the “net proceeds” of the Series 2025 Bonds and investment earnings thereon will be used to pay Costs of Construction that consist of property that is chargeable to the capital account of the Project, or Costs of Construction that would be so chargeable either with a proper election by the Company or but for the election of the Company to deduct such amounts on its federal income tax return, other than (i) costs that were paid or incurred before December 26, 2024, with the exception of preliminary expenditures allowable under Regulation 1.150-2(f)(2); (ii) Costs of Issuance of the Series 2025 Bonds; and (iii) costs for any office, unless (A) (1) such office is located on the premises of the Series 2025 Facilities and (2) not more than a de minimis amount of the functions to be performed at such office is not directly related to the day‑to‑day operations of the Series 2025 Facilities or (B) such office is an off-site construction office.   For purposes of this paragraph, “net proceeds” means the net proceeds as defined in Section 150(a)(3) of the Code, i.e., proceeds of the Series 2025 Bonds, reduced by amounts deposited in any reasonably required reserve or replacement fund for the Series 2025 Bonds.
 
(b)          The Company hereby covenants in connection with the Series 2025 Bonds that it will comply with the requirement for payment of Rebatable Arbitrage to the United States set forth in the Letter of Instructions.  The Company acknowledges and agrees that the calculation of Rebatable Arbitrage and the payment of the Rebatable Arbitrage to the United States shall be the responsibility of the Company and that neither the Authority nor the Trustee shall have obligation therefor.  The Company agrees to indemnify and hold harmless the Authority and the Trustee against any loss, liability or expense incurred in connection with the Company’s failure to pay the Rebatable Arbitrage to the United States as required by this Section.
 
-27-

(c)          The Company hereby covenants that within forty‑five (45) days subsequent to the end of each fifth Bond Year applicable to the Series 2025 Bonds and the retirement of the last obligation of the Series 2025 Bonds, the Company shall compute, or caused to be computed, the Rebatable Arbitrage with respect to the Series 2025 Bonds for the period ending on the last day of the Bond Year completed, or the retirement of the last obligation of the Series 2025 Bonds occurring, within forty‑five (45) days thereof.  Within such forty‑five (45)‑day period, the Company shall deliver to the Trustee and Authority a certification concerning its conclusions with respect to the amount of such Rebatable Arbitrage together with a written report providing a summary of the calculations relating thereto.  In connection with each such determination of the Rebatable Arbitrage by the Company, the Trustee, pursuant to the Indenture, is obligated to report to the Authority and the Company (i) the amount, if any, theretofore paid to the United States with respect to the Series 2025 Bonds by the Trustee on behalf of the Authority pursuant to Section 5.3 of the Indenture, (ii) the amount in the account of the Series 2025 Rebate Fund established for the payment of Rebatable Arbitrage with respect to the Series 2025 Bonds at the end of the Bond Year, or at the time of the computation, in the case of the retirement of the Series 2025 Bonds, (iii) the balance to be added to the account of the Series 2025 Rebate Fund established for the payment of Rebatable Arbitrage with respect to the Series 2025 Bonds pursuant to Section 5.3 of the Indenture, and (iv) if additional amounts are required to be added to the amount in the account of the Series 2025 Rebate Fund established for the payment of Rebatable Arbitrage with respect to the Series 2025 Bonds, the amount in the Construction Account and the balance, if any, to be paid by the Company.
 
(d)          The Company hereby covenants that in the event the amount in the Construction Account shall be insufficient to fund the account in the Series 2025 Rebate Fund established for the payment of Rebatable Arbitrage with respect to the Series 2025 Bonds in the manner specified in subsection 7.04(c) hereof, the Company shall, within five (5) days of receipt of the report furnished by the Trustee pursuant to subsection 7.04(c) hereof, pay or cause to be paid to the Trustee for deposit into the account in the Series 2025 Rebate Fund established for the payment of Rebatable Arbitrage with respect to the Series 2025 Bonds, the difference between the amount required to be added to such account in the Series 2025 Rebate Fund and the amount then available for such purpose in the Construction Account.  If the Company fails to make or cause to be made any payment required pursuant to this subsection 7.04(d) when due, the Authority shall have the right, but shall not be required, to make such payment to the Trustee on behalf of the Company.  Any amount advanced by the Authority pursuant to this subsection 7.04(d) shall be added to the moneys owing by the Company under this Agreement and shall be payable on demand with interest as provided in Section 7.21 of this Agreement.
 
(e)         The Company hereby covenants that it shall specifically direct in writing the Trustee to withdraw from the Series 2025 Rebate Fund and pay over to the United States the Rebatable Arbitrage with respect to the Series 2025 Bonds in installments as follows:  The first payment shall be made not later than 60 days after the end of the fifth Bond Year of the Series 2025 Bonds.  Each subsequent payment shall be made not later than 60 days after the succeeding fifth Bond Year of the Series 2025 Bonds.  Each installment shall be in an amount which ensures that at least 90 percent of the amount of the Rebatable Arbitrage with respect to the Series 2025 Bonds as of the close of the period ending on the last day of the most recent fifth Bond Year of the Series 2025 Bonds will have been paid to the United States.  Not later than 60 days after the retirement of the last obligation of the Series 2025 Bonds, the United States shall be paid the remaining balance of the Rebatable Arbitrage with respect to the Series 2025 Bonds.
 
-28-

(f)          The Company hereby covenants that it shall request the Authority to direct the Trustee to file the payments to the United States of Rebatable Arbitrage with respect to the Series 2025 Bonds at the Internal Revenue Service Center, Ogden, Utah or such other Internal Revenue Service office authorized to receive payments of Rebatable Arbitrage.  All payments of Rebatable Arbitrage shall be accompanied by Form 8038‑T or such other form prescribed by the Internal Revenue Service to accompany payments of Rebatable Arbitrage prepared by the Company, together with any other information which the Company requests the Authority to instruct the Trustee to accompany such payments.  The Authority agrees to so instruct the Trustee in writing provided that it is requested to do so by the Company.
 
(g)          The Company hereby covenants that the Authority shall have the right at any time and in the sole and absolute discretion of the Authority to obtain from the Company and to request from the Trustee the information necessary to determine the amount required to be paid to the United States pursuant to Section 148(f) of the Code; provided, however, that the Trustee shall not be required to perform any calculations.  Additionally, the Authority may (i) review or cause to be reviewed any determination of the amount to be paid to the United States made by or on behalf of the Company and (ii) make the determination of the amount to be paid to the United States.  The Company hereby agrees to be bound by any such review or determination, to pay the costs of such review, including without limitation the reasonable fees and expenses of counsel retained by the Authority, and to pay to the Trustee any additional amounts for deposit in the Series 2025 Rebate Fund required as the result of any such review or determination.
 
(h)          The Company hereby covenants that it will comply with its covenants set forth in the Company’s Representation Letter, and all of the representations and warranties the Company contained in the Representation Letter are incorporated herein by reference with the same force and effect as if set out in full herein.
 
(i)          The Company hereby covenants that it will adopt and implement written tax compliance procedures to assure compliance with the Tax Covenants of this Section 7.04 sufficient (i) to monitor the requirements of Section 148 of the Code and (ii) to ensure that all nonqualified bonds are remediated in accordance with requirements of the Code and the regulations thereunder.  The Company shall follow such tax procedures upon adoption in order to satisfy the Tax Covenants of this Section 7.04.
 
(j)          At the time of filing its annual certification pursuant to Section 7.08 of this Agreement, the Company shall file with the Authority and the Trustee a certification to the effect that it is in compliance with its Tax Covenants in this Section 7.04 in the form attached hereto as Exhibit C.
 
(k)          The Company shall notify the Authority and the Trustee in writing of a Determination of Taxability by reason of an Audit Notice as soon as practicable after the determination that a violation of a tax covenant in this Section 7.04 has occurred.  If, pursuant to its post-issuance compliance procedures, the Company determines that it must take remedial action to cure a violation of a tax covenant, it will promptly notify the Authority as to the action to be taken.  In the event the Authority becomes aware of a possible violation of a tax covenant, the Authority shall have the right, upon notice the Company, to conduct its own investigation, and at the sole cost of expense of the Company, to retain Bond Counsel to determine any and all actions required to remediate such violation.
 
-29-

Section 7.05.       Inspection.  The Trustee and the Authority and their duly authorized representatives shall have the right at all reasonable times upon reasonable notice to enter upon the Series 2025 Facilities solely for the purpose of assuring that the Series 2025 Facilities are being constructed and operated as a qualified “project” under the Act consistent with the purposes set forth herein and in accordance with the provisions of the Act.
 
Section 7.06.       Public Purpose Covenants.  The Company covenants that it will throughout the term of this Agreement operate and maintain the Series 2025 Facilities in the manner provided in this Agreement, and will maintain and preserve the Series 2025 Facilities as an authorized project under the Act.
 
Section 7.07.         Disposition of Series 2025 Facilities, including any Personal Property; Options upon Retirement of All Bonds.
 
(a)          The Authority hereby authorizes the Company to dispose of Personal Property from time to time upon written notice to the Authority provided that in the event that the Company disposes of any such Personal Property purchased with the proceeds received from the sale of the Series 2025 Bonds or investment earnings thereon in exchange for cash or cash equivalents, the Company shall either (i) exercise its option to redeem the Series 2025 Bonds pursuant to Section 4.5(a) or (g) of the Indenture in an amount at least equal to the disposition proceeds, (ii) purchase the Series 2025 Bonds in the open market for delivery to the Paying Agent for cancellation in the amount that will retire all nonqualified bonds within the meaning of Treasury Regulations Section 1.142-2(e) or (iii) expend such disposition proceeds within six months of the date of the disposition to acquire similar replacement or other property that will constitute property that is part of a port terminal or property that is functionally related and subordinate thereto within the meaning of Section 142 of the Code and continue to operate the Project as an “authorized project” under the Act.
 
(b)          At any time after the retirement of all Bonds, the Company shall have the option to (i) purchase from the Authority, for a purchase price equal to the fair market value of the Series 2025 Facilities at the time of purchase, the Authority’s remaining right, title and interest in and to the Series 2025 Facilities, including any Personal Property, financed with the proceeds of the Series 2025 Bonds and investment earnings thereon and all replacement property acquired pursuant to clause (iii) of Section 7.07(a) hereof which shall not have previously been disposed of in accordance with the terms of this Agreement (the “FMV Purchase”); (ii) pay the Authority an  independently appraised fair market value rent for its continued use of the Series 2025 Facilities (not retroactively applicable to prior use thereof); provided that such rental term shall not extend beyond the Company Sublease Outside Date; or (iii) dispose of the Series 2025 Facilities, including any Personal Property and replacement property, at its sole cost and expense, on behalf of the Authority, and the Company shall pay any amounts (net of reasonable sale expenses) received as the proceeds of such disposition to the Authority (the “Disposition Actions”). Prior to exercising the option in subsection (b)(iii), the Company must notify the Authority in writing that it intends to perform the Disposition Actions, and the Authority, as leasehold owner of the Series 2025 Facilities, shall have the right to instruct the Company in writing not to do so. If no such written instruction from the Authority is received by the Company within five Business Days after the Company’s notice, the Company may proceed with the Disposition Actions.  If the Company exercises either of the options listed in subsection (b)(i) or (b)(iii) above, this Agreement shall terminate and the Authority shall no longer have any right, title or interest in respect of the Series 2025 Facilities, the Leased Premises or the Series 2025 Facilities Land.
 
-30-

(c)          If, on the retirement of all Bonds, the Company does not complete either of the options listed in subsection (b)(i) or (b)(iii) above (except if the Company notified the Authority in writing of its intention to complete the option in subsection (b)(iii) and the Authority issued a written instruction not to do so), the Company will be subject to the fair market value rent obligation in subsection (b)(ii); provided, that, the Company shall have the right to complete the FMV Purchase or (subject to the Authority’s right to instruct the Company not to do so) the Disposition Actions at any time while the fair market value rent obligation in subsection (b)(ii) applies, and the completion by the Company of either the FMV Purchase or the Disposition Actions will terminate such fair market value rent obligation. If the Company has not exercised its right to complete either the FMV Purchase or the Disposition Actions by the Company Sublease Outside Date, the Company shall at that time be obligated to complete either (at the Company’s election) the FMV Purchase or the Disposition Actions; provided, that, if the Company notifies the Authority that it intends to complete the Disposition Actions and the Authority issues within five Business Days a written instruction not to do so, the Company shall not be obligated to complete either option and the Authority Sublease shall continue in accordance with Section 2.02(a)(i) hereof.
 
Section 7.08.       Certificates of No Default and Other Information.  The Company shall deliver within 120 days after the close of every Fiscal Year throughout the term of this Agreement to the Authority and the Trustee the following:
 
(a)          a certificate executed by an Authorized Company Representative to the effect that it is not aware of (A) any condition, event or act which constitutes an Event of Default or (B) any condition, event or act which, with notice or lapse of time, or both, would constitute such an Event of Default, or, if any such condition, event or act exists, specifying the same.
 
(b)          a written description of the present use of the Series 2025 Facilities and a description of any anticipated material change in the use of the Series 2025 Facilities or in the number of employees employed at the Series 2025 Facilities by the Company.
 
The Company also hereby agrees to furnish to the Authority all material information and materials related to the public purposes of the Project or the Company, including, without limitation, by way of example, changes in ownership and/or possession of the Series 2025 Facilities, changes in the nature of the Series 2025 Facilities and employment related matters, that the Authority reasonably requests from time to time.
 
Section 7.09.     Costs and Expenses.  All reasonable, documented and invoiced fees and expenses incurred in connection with (i) the preparation, execution, delivery, recording and filing of the Indenture, this Agreement, the Series 2025 Bonds and any other documents in connection therewith, and (ii) the preparation, issuance and delivery of the Series 2025 Bonds, including such fees and expenses of the Authority, McCarter & English, LLP, the Trustee (which shall not be limited by any law on the compensation of a trustee of an express trust) and Trustee’s counsel shall in each case be paid directly by the Company.  The Company shall also pay throughout the term of the Series 2025 Bonds the Authority’s fees and expenses incurred pursuant to the terms of the Bond Documents and the Trustee’s annual and special fees and expenses under the Indenture and this Agreement, including, but not limited to, reasonable, documented and invoiced attorney’s fees and expenses and all costs of issuing, marketing, collecting payment on and the process associated with redeeming the Series 2025 Bonds thereunder.
 
-31-

Section 7.10.        Indemnification.  The Company agrees to and does hereby indemnify and hold harmless the Authority, any person who “controls” the Authority (within the meaning of Section 15 of the Securities Act of 1933, as amended), the Trustee, the Paying Agent, the Registrar and any member, principal, officer, director, official, employee, agent and attorney thereof or of the Authority or the State (each an “Indemnified Party” and collectively, the “Indemnified Parties”) against any and all losses, claims, damages or liabilities (including all costs, expenses and reasonable counsel fees incurred in investigating or defending such claim) suffered by any of the Indemnified Parties caused by, relating to, arising out of, resulting from, or in any way connected with (a) the condition, use, ownership, possession, conduct, management, planning, design, acquisition, construction, installation, sale or financing (except with respect to information provided by the Authority under the captions “THE AUTHORITY” and “NO LITIGATION” (as it relates to the Authority) in the Preliminary Limited Offering Memorandum and the Limited Offering Memorandum) of the Project or any part thereof, including the violation of any environmental laws, disputes between the Company on one hand and architects, contractors and suppliers on the other hand, and the payment of Rebatable Arbitrage to the United States; or (b) any untrue statement of a material fact contained in information provided by the Company with respect to the transactions contemplated hereby; or (c) any omission of any material fact necessary to be stated therein in order to make any such statement not misleading or incomplete (except with respect to information provided by the Authority under the captions “THE AUTHORITY” and “NO LITIGATION” (as it relates to the Authority) in the Preliminary Limited Offering Memorandum and the Limited Offering Memorandum); (d) the acceptance or administration by the Authority of its duties under the Bond Financing Documents, except to the extent caused by the claiming Indemnified Party’s gross negligence or willful misconduct; or (e) the acceptance or administration by the Trustee of its duties under the Indenture, except to the extent caused by the claiming Indemnified Party’s own gross negligence or willful misconduct.
 
In case any action shall be brought against one or more of the Indemnified Parties based upon any of the above and in respect to which indemnity may be sought against the Company, such Indemnified Party shall promptly notify the Company in writing, and the Company shall assume the defense thereof, including the employment of counsel reasonably satisfactory to the Indemnified Party, the payment of all costs and expenses and the right to negotiate and consent to settlement.  Any one or more of the Indemnified Parties shall have the right to employ separate counsel at the Company’s expense to the extent that there are legal defenses available to them that are different from or in addition to those available to other of the Indemnified Parties and representation of such Indemnified Parties by counsel representing the Company or other Indemnified Parties would present a conflict under applicable standards of professional conduct.  The Company shall not be liable for any settlement of any such action effected without the Company’s consent, but if settled with the consent of the Company, or if there is a final judgment for the claimant on any such action (if the Company was notified of such action and thereby had the opportunity to assume the defense thereof), the Company agrees to indemnify and hold harmless the Indemnified Parties from and against any loss or liability by reason of such settlement or judgment.  Notwithstanding anything in this Agreement to the contrary which may limit recourse to the Company or may otherwise purport to limit the Company’s liability, the provisions of this Section 7.10 shall control the Company’s obligations and shall survive repayment of the Bonds and the resignation or removal of the Trustee.
 
-32-

The Company agrees to and does hereby indemnify and hold harmless the Indemnified Parties against any and all losses, claims, damages or liabilities (including all costs, expenses, and reasonable counsel fees and expenses incurred in investigating or defending such claim) suffered by any of the Indemnified Parties and caused by, relating to, arising out of, resulting from, or in any way connected to an examination, investigation or audit of the Bonds by the Internal Revenue Service.  In the event of such examination, investigation or audit, the Indemnified Parties shall have the right to employ counsel at the Company’s expense.  In such event, the Company shall assume the primary role in responding to and negotiating with the Internal Revenue Service, but shall inform the Indemnified Parties of the status of the investigation.  In the event the Company fails to respond adequately and promptly to the Internal Revenue Service, the Authority shall have the right to assume the primary role in responding to and negotiating with the Internal Revenue Service, shall keep the Indemnified Parties and the Company informed, and shall have the right to enter into a closing agreement, for which the Company shall be liable and the Company shall have the reasonable right to review and approve such closing agreement.
 
Notwithstanding anything in this Agreement to the contrary which may limit recourse to the Company or may otherwise purport to limit the Company’s liability, the provisions of this Section 7.10 shall control the Company’s obligations and shall survive repayment of the Bonds and the resignation or removal of the Trustee.
 
Section 7.11.       Maintain Existence; Covenant Against Sale and Removal.  The Company shall maintain its existence as a limited liability company and shall not sell, assign, transfer or otherwise dispose of (whether in one transaction or in a series of transactions) substantially all of its assets without the prior written consent of the Authority, which consent shall not be unreasonably withheld, delayed or conditioned; provided however that the Company may merge with or into or consolidate with another entity or sell, assign, transfer or otherwise dispose of (whether in one transaction or in a series of transactions) substantially all of its assets, and this Agreement may be transferred pursuant to such merger, consolidation, sale, assignment, transfer or other disposition without obtaining such consent and without violating this Section 7.11 provided (a) the Company causes the proposed surviving, resulting or transferee company (the “Surviving Entity”) to furnish the Authority and the Trustee with a Change of Ownership Information Form (a copy of which can be found on the Authority’s website); (b) the net worth of the Surviving Entity following the merger, consolidation or transfer is at least 95% of the net worth of the Company immediately preceding the merger, consolidation or transfer; (c) any litigation or investigation in which the Surviving Entity or its officers and directors are involved, and any court, administrative or other orders to which the Surviving Entity or its officers and directors are subject, relate to matters assumed from the Company or arising in the ordinary course of business or any such litigation, investigation or order that (had the Company been subject thereto immediately prior to the applicable merger, transfer or other transaction) would not have been material to the business of the Company; (d) the Authority receives a Favorable Opinion of Bond Counsel and an opinion of Bond Counsel that the merger, consolidation or transfer will not cause a reissuance of the Bonds; (e) the Surviving Entity assumes in writing the obligations of the Company under this Agreement and the Ground Lease; (f) after the merger, consolidation or transfer, the Series 2025 Facilities shall be operated as an authorized project under the Act; (g) no event of default by the Company under any Bond Document or the Ground Lease has occurred and is continuing; and (h) such merger, consolidation or transfer will not cause the Company to be in default under the Ground Lease or the DRP Sublease.
 
-33-

Section 7.12.        Certain Acknowledgments.  The Company and the Authority hereby acknowledge and agree, and the Trustee, the Bondholders, and all other persons are hereby placed on notice, that this Agreement is subject in all respects to the terms of the Ground Lease.
 
Section 7.13.       Prohibited Facilities.  No proceeds of the Series 2025 Bonds shall be used to provide any airplane, sky box or other private luxury box, any health club facility, any facility primarily used for gambling, or any store the principal business of which is the sale of alcoholic beverages for consumption off premises.
 
Section 7.14.        Books and Records.  The Company shall keep proper books, records and accounts in which complete and correct entries shall be made of its transactions relating to the Project under this Agreement and the Indenture.  The Authority and the Trustee shall have the right to inspect such books, records and accounts during reasonable business hours upon reasonable notice to the Company.
 
Section 7.15.        No Assignment by the Company.  Subject to the requirements of Section 7.19 hereof and except for the DRP Sublease and as otherwise permitted herein, including in Section 2.03(c), the Company shall not assign this Agreement in whole or in part or sublease its interest in the Series 2025 Facilities in whole without the prior written consent of the Authority, which consent shall not be unreasonably withheld, delayed or conditioned; provided further that the following conditions shall apply:
 
(a)          No consent of the Authority shall be required for any assignment or transfer by operation of, and effected in accordance with the requirements of, Section 7.11 hereof;
 
(b)          No consent of the Authority shall be required for any assignment to an Affiliate of the Company; provided however, that the Company remains jointly and severally liable under this Agreement and any other Bond Document with the proposed assignee;
 
(c)          With respect to any subletting in whole or in part of the Series 2025 Facilities, the Company shall nevertheless remain liable to the same extent to the Authority for the payment of all rent and for the full performance of all of the terms, covenants and conditions of this Agreement and of any other Bond Document to which it is a party;
 
(d)         With respect to any assignment of this Agreement for which no consent of the Authority is required as provided above, or for which consent of the Authority shall be both required and has been given, the Company shall nevertheless remain liable to the same extent to the Authority for the payment of all rent and for the full performance of all of the terms, covenants and conditions of this Agreement and of any other Bond Documents to which it was originally a party;
 
(e)          Any sublessee in whole of the Series 2025 Facilities and any assignee of this Agreement shall in each case be subject to service of process in the State, and, if a corporation, shall be qualified to do business in the State;
 
-34-

(f)         There shall be delivered to the Authority and the Trustee (i) an opinion of counsel to the Company addressed to the Authority and the Trustee to the effect that this Agreement continues in full force and effect as the legal, valid and binding obligation of the Company, enforceable against the Company in accordance with its terms except as such enforceability may be limited by bankruptcy, insolvency, moratorium or other similar laws affecting or relating to the enforcement of creditors’ rights generally and to general equitable principles and (ii) a Favorable Opinion of Bond Counsel; provided, that, this clause (f) shall not apply to the DRP Sublease;
 
(g)          The assignee of this Agreement or any sublessee of the Series 2025 Facilities agrees in writing to use, occupy and operate, as applicable, the Series 2025 Facilities as an authorized “project” under the Act; and
 
(h)          In the case of any subletting in whole of the Series 2025 Facilities or any assignment in whole or in part of this Agreement, the Company shall deliver to the Trustee written evidence from any Nationally Recognized Rating Agency that is then rating the Bonds, if applicable, that such action will not result in the reduction or withdrawal of the then applicable rating(s) on the Bonds; provided, that, this clause (h) shall not apply to the DRP Sublease.
 
In addition to the conditions set forth above for any assignment of this Agreement, or any subletting in whole of the Series 2025 Facilities (other than pursuant to the terms of the DRP Sublease), the following conditions, as applicable, shall also apply:
 
(a)          any assignment or sublease shall not violate any provision of the Ground Lease, this Agreement or any Bond Document;
 
(b)          such assignment or sublease shall in no way diminish or impair the Company’s obligation to carry or cause to be carried the insurance required under Article IX hereof; and
 
(c)          at least ten (10) Business Days prior to the execution of any proposed assignment or sublease, the Company shall furnish to the Authority a substantially final draft of same and after execution thereof, shall then furnish a copy of such executed document together with a certificate of an Authorized Company Representative that such proposed assignment or sublease shall not have been to a Prohibited Person.
 
Any consent by the Authority to any act of assignment or sublease shall be held to apply only to the specific transaction thereby authorized.  Such consent shall not be construed as a waiver of the duty of the Company or the successors or assigns of the Company, to obtain from the Authority, to the extent required hereunder, consent to any other or subsequent assignment or sublease, or as modifying or limiting the rights of the Authority under the foregoing covenant by the Company.
 
-35-

Section 7.16.      Qualified Exempt Facility.  Subject to Section 7.07(a) hereof with respect to Personal Property, the Company covenants that in the event the Series 2025 Facilities shall no longer qualify as an exempt dock and wharf facility within the meaning of Section 142(a)(1) of the Code, the Company shall within ninety (90) days either (a) cause the Series 2025 Bonds to be redeemed pursuant to Section 4.5(e) of the Indenture in an amount that will retire all nonqualified bonds within the meaning of Treasury Regulations Section 1.142-2(e), (b) establish a defeasance escrow within the meaning of Treasury Regulations Section 1.142-2(c) and deposit therein sufficient funds to defease all nonqualified bonds or (c) purchase the Series 2025 Bonds in the open market for delivery to the Paying Agent for cancellation in the amount that will retire all nonqualified bonds within the meaning of Treasury Regulations Section 1.142-2(e).  For purposes of this Section 7.16, the Series 2025 Facilities shall have the meaning ascribed to such term on the Date of Issuance.
 
Section 7.17.        Compliance with Authority Requests.  The Company acknowledges that the Indenture requires the Authority to cause the Company to take certain actions in various situations and the Company shall take the required actions upon notice from either the Authority or the Trustee that any such action is required.
 
Section 7.18.       Secondary Market Disclosure.  The Company hereby covenants and agrees that it will comply with and carry out all of the provisions of the Continuing Disclosure Agreement in all material respects.  Notwithstanding any other provision of this Agreement, failure of the Company to comply with the Continuing Disclosure Agreement in all material respects shall not be considered an Event of Default hereunder or under the Indenture.
 
Section 7.19.       Project Occupant Applications.  Prior to leasing, subleasing or consenting to the subleasing or assignment of any lease of all or any part of the Series 2025 Facilities (other than pursuant to the terms of the DRP Sublease), during the period commencing on the date hereof and terminating three years after the Company has completed the acquisition, renovation, installation and construction of all or substantially all of the Series 2025 Facilities, and upon the request of the Authority from time to time thereafter, the Company shall cause a Project Occupant Information Form (a copy of which can be found on the Authority’s website) to be submitted to the Authority by every lessee, sublessee or lease assignee of the Series 2025 Facilities.  The Company shall not permit any such leasing, subleasing or assigning of leases that would impair the excludability of interest paid on the Series 2025 Bonds from gross income for purposes of federal income taxation, or that would impair the ability of the Company to operate the Series 2025 Facilities or cause the Series 2025 Facilities not to be operated as an authorized project under the Act.
 
Section 7.20.        Project Sign.  At the direction and in the discretion of the Authority, the Company will be required to post a sign indicating that the financing was provided in part by the Authority.  The maintenance of the sign shall be at the expense of the Company.
 
Section 7.21.        Advances by Authority.  Subject to Section 10.10 hereof, in the event the Company fails to take out or maintain the full insurance coverage required by Section 9.02 of this Agreement or fails to pay the charges required to be paid hereunder at or prior to the time they are required to be paid, subject to any applicable notice and/or grace period, the Authority may (but shall not be obligated to) take out such required policies of insurance and pay the premiums on the same or pay such charges or such other amounts as are necessary to perform the Company’s financial obligations hereunder.  In the event that the Authority takes any of the foregoing actions, the Authority shall, in advance, notify the Company and the Trustee in writing.  All amounts so advanced therefor by the Authority shall become an additional rental obligation of the Company to the Authority under by this Agreement, which amounts, together with interest thereon at the rate equal to the interest rate on the Bonds from the date advanced until paid, the Company agrees to pay on demand.  Any remedy vested in the Authority for the collection of rent payments hereunder shall also be available to the Authority for the collection of all such amounts so advanced.
 
-36-

Section 7.22.        Financing Statements.  The security interest of the Trustee shall (to the extent capable of perfection by filing) be perfected by the filing of financing statements by the Company which fully comply with the State Uniform Commercial Code. The Company agrees to perform all acts and pay all costs necessary in connection therewith.  The Company shall, within ten (10) days after such filing, furnish to the Authority and the Trustee the details of such filing.  The Trustee shall be entitled to rely upon any financing statements prepared and filed by the Company.  The parties hereto shall execute, at the request of the Company, and the Company shall file or cause to file financing statements, continuation statements, notices and such other documents necessary to perfect all security interests created pursuant to the terms of the Bond Documents, and to preserve and protect the rights of the Trustee in the granting by the Authority of certain rights of the Authority, pursuant to the Indenture, under this Agreement, and neither the Authority nor the Trustee shall bear any responsibilities for such filings whatsoever, other than executing the documents requested by the Company.  The Authority’s approval shall not be required prior to the release of liens that have been properly discharged.
 
Section 7.23.        Construction.  The Company will proceed with due diligence to complete the Series 2025 Facilities pursuant to this Agreement and in accordance with Section 7.24 hereof.  In the event of a material default of any Contractor or subcontractor under any contract made by it in connection with any repair or improvement or in the event of a material breach of warranty with respect to any materials, workmanship or performance guaranty, the Company will, to the extent commercially reasonable, promptly proceed either separately or in conjunction with others, to exhaust the remedies against the Contractor or subcontractor so in default and against each such surety for the performance of such contract or the Company may elect to resolve the issue on a commercially reasonable basis by mutual settlement with the Contractor.  The Company agrees to advise the Authority of the steps it intends to take in connection with any such default.
 
Section 7.24.       Affirmative Action and Prevailing Wage Regulations; Completion Date.  All construction contracts regarding the Project and any project financed with Additional Bonds must contain additional language as set forth in the Authority’s Affirmative Action and Prevailing Wage Addendum to Construction Contract (a copy of which can be found on the Authority’s website). According to the Contractor Registration Act (the “CRA”), effective April 1, 2020, any and all construction contracts awarded in New Jersey that require payment of prevailing wage must also provide proof of valid Construction Contractor Registration Certification (“CRC”). The CRA will not require contracts that were awarded prior to April 1, 2020 to provide proof of CRC.  Bidders cannot list subcontractors in any bid proposal unless the subcontractor is registered at the time the bid is made. Effective May 1, 2019, the CRA also requires that all contractors participate in a registered apprenticeship program. In addition, the general contractor must include said language in all subcontracts. Regulations, forms, and guidance documents (including an Affirmative Action and Prevailing Wage program summary) are available at  www.njeda.com/affirmativeaction. In accordance with such requirements, the Company shall complete the following:
 
-37-

(a)             Create an office of Company Affirmative Action and maintain in that office until the Completion Date an individual having responsibility to coordinate compliance by the Company with the Authority’s Affirmative Action Program and to act as liaison with the Authority’s Office of Affirmative Action;
 
(b)          Submit to the Authority and the Trustee on the Completion Date, a Contractor’s Completion Certificate and a Tax Completion Certificate, a form of which is attached hereto as Exhibit B (the “Tax Completion Certificate”);
 
(c)          Furnish to the Authority all other reports and certificates required under the Authority’s Affirmative Action Program and Prevailing Wage Rate Provisions; and
 
(d)        Include or cause to be included in all such Construction Contracts for the Series 2025 Facilities or any other project financed by Additional Bonds for which proceeds of the Bonds will be used to pay for work done in the performance of any Construction Contract, a provision, term or condition authorizing and allowing a holdback equal to ten per centum (10%) of the total amount agreed to be paid to the contractor for the work done pursuant to any such Construction Contract and subject to the Affirmative Action Program which amount is to represent the retainage for the purpose of assuring Contractor compliance with its obligations under the Construction Contract, including compliance with the Affirmative Action Program of the Authority, said sum to be disbursed to the Contractor only upon compliance with the terms and conditions of this Section 7.24 and (i) the execution and filing of the Contractor’s Completion Certificate; and (ii) receipt by the Company of a written notice issued by the Authority’s Office of Affirmative Action that the Contractor has complied with the requirements of the Affirmative Action Program.
 
The Company agrees that it shall not direct the Collateral Agent to withdraw moneys from the Construction Account without compliance with the applicable provisions of this Section 7.24. Prior to the first disbursement from the Construction Account, the Company will supply to the Trustee a certificate of an Authorized Company Representative stating that, for purposes of the Prevailing Wage Rate Regulation and the Affirmative Action Program, none of the moneys disbursed at any time from the Construction Account will be used to pay or reimburse a payment for work done in performance of any Construction Contract unless prior thereto there shall be submitted to the Trustee an executed Contractor’s Certificate and Agreement and evidence of the acceptability thereof to the Authority in the form of a certificate signed by an Authority Representative confirming the acceptability of such Contractor’s Certificate and Agreement. Nevertheless, prior to the Company requesting the initial disbursement from the Construction Account for payment of any Construction Contract for the Series 2025 Facilities, a Contractor’s Certificate and Agreement shall be submitted and a certificate of the Authority confirming the acceptability thereof shall be delivered to the Trustee.
 
-38-

The Completion Date, as hereinafter defined, shall be evidenced by a certificate signed by an Authorized Company Representative and filed with the Authority, the Collateral Agent and the Trustee (the “Company Completion Certificate”) stating that, as of the date specified therein (the “Completion Date”), except for punch-list items, amounts retained by the Collateral Agent for any Costs of Construction which are not then due and payable or if due and payable not then paid, amounts on deposit in the Construction Account, amounts to be deposited in the Series 2025 Rebate Fund, and amounts to be used for additional capital projects selected by the Company and eligible to be financed with the proceeds of the Series 2025 Bonds (i) the Series 2025 Facilities have been substantially completed, (ii) all labor, services, materials and supplies used in the Series 2025 Facilities have been paid for, (iii) the equipment necessary for the Series 2025 Facilities have been installed to the Company’s satisfaction, such equipment so installed is suitable and sufficient for the efficient operation of the Series 2025 Facilities for the intended purposes and all costs and expenses incurred in the acquisition and installation of such equipment have been paid, (iv) any permissions required of governmental authorities for the use of the Series 2025 Facilities for the purposes contemplated by this Agreement have been obtained, (v) the Company has complied with the Affirmative Action, Prevailing Wage and Public Works Contractor Registration Act in using the proceeds of  the Series 2025 Bonds for the improvements/installation of the Project, and (vi) the Series 2025 Facilities are being operated (or, when placed into operation, will be operated) as an authorized project under the Act.  The Company Completion Certificate shall also set forth the sum to be deposited in the Series 2025 Rebate Fund (if any), the sum to be reserved in the Construction Account for the payment of any unpaid Costs of Construction and additional capital project costs.  In the event that the Company will use proceeds of the Series 2025 Bonds for additional capital projects which are not within the definition of the Project, the Company shall deliver to the Authority and the Trustee a Favorable Opinion of Bond Counsel that such use of the Series 2025 Bonds proceeds will not adversely affect the exclusion of interest on the Series 2025 Bonds from the gross income for federal income tax purposes of any Owners of the Series 2025 Bonds (other than a Person who is a “substantial user” of the Project or a “related person” within the meaning of Section 147(a) of the Code).
 
Within ninety (90) days after the Completion Date, the Company shall direct in writing that any proceeds of the Series 2025 Bonds and any investment earnings thereon remaining in the Construction Account (except for punch-list items, amounts retained by the Collateral Agent for any Costs of Construction not then due and payable or if due and payable not then paid, amounts to be deposited in the Series 2025 Rebate Fund, and amounts to be used for additional capital projects selected by the Company and eligible to be financed with the proceeds of the Series 2025 Bonds) (the “Surplus”) shall be transferred to the Trustee for deposit into the Series 2025 Redemption Account and used (a) by the Company to purchase Series 2025 Bonds in the open market for delivery to the Paying Agent for cancellation in the amount that will retire all nonqualified bonds within the meaning of Treasury Regulations Section 1.142-2(e) or (b) to cause an extraordinary mandatory redemption of the Series 2025 Bonds pursuant to Section 4.5(g) of the Indenture.  Pending use of the Surplus in the manner described above, the Company shall direct the Trustee in writing to invest such Surplus at a yield (within the meaning of Section 148 of the Code) that does not exceed the yield on the Series 2025 Bonds. The Trustee shall have no liability for any such investments directed by the Company, including for any loss incurred, tax imposed or otherwise.
 
Notwithstanding the above provisions of this Section 7.24, in the event that a court of competent jurisdiction finally determines that the Affirmative Action Program or any provision thereof or the Prevailing Wage Rate Provisions or any provision thereof is legally invalid or unenforceable, the Company shall have no obligation to comply with the invalid or unenforceable provision or provisions.
 
Section 7.25.        Reserved.
 
-39-

Section 7.26.        Representation Letter.  All representations of the Company made in the Representation Letter are true and correct and accurately represent the facts, as known to the Company on the date hereof.  The Company agrees to comply with all terms and conditions set forth in such Representation Letter.
 
Section 7.27.        Relocation of the Series 2025 Facilities.  The Company shall not relocate the Series 2025 Facilities or any part thereof out of the State.
 
Section 7.28.        No Untrue Statements.  All information hereafter furnished by or on behalf of the Company, to the Trustee, the Authority or any Bondholder of any Bonds, will be true, accurate and complete in every material respect on the date as of which such information is dated or certified and such information shall not be incomplete by omitting to state any material information necessary to make such information not misleading in light of the circumstances under which they were made.
 
Section 7.29.       Fiduciary Indemnity.   The Company further agrees to indemnify and hold harmless the Trustee, the Collateral Agent, the Paying Agent and the Registrar for, and to hold each of them harmless against, any loss, liability (including but not limited to environmental liability) or expense incurred without gross negligence or willful misconduct on the part of the Trustee, Paying Agent and/or Registrar, arising out of or in connection with its acceptance or administration of its powers and duties under the Indenture and the other Bond Financing Documents including the costs and expenses of defending itself against any claim or liability in connection with the exercise or performance of any of its powers and duties under the Indenture and the other Bond Financing Documents. Notwithstanding anything in this Agreement to the contrary which may limit recourse to the Company or may otherwise purport to limit the Company’s liability, the provisions of this Section 7.29 shall control the Company’s obligations and shall survive repayment of the Bonds and the resignation or removal of the Trustee, Paying Agent and/or Registrar.
 
Section 7.30.        Company’s Irrevocable Waiver with Respect to Depreciation and Investment Tax Credit.
 
(a)         Attached hereto as Exhibit A is a form of election pursuant to Section 142(b)(1)(B) of the Code.  Upon the execution of this Agreement by the Company, the Company shall execute two counterparts of such form of election and deliver one fully executed form to the Authority, with its delivery of this Agreement, and the Company shall keep the executed counterpart with its records for the entire term of this Agreement.
 
(b)         The Company hereby irrevocably elects during the term of this Agreement not to claim for purposes of federal, state or local taxation of income any depreciation deductions or investment tax credits, for which it may be eligible with respect to the Series 2025 Facilities.  The Company further agrees that this irrevocable election shall be made binding upon its successors in interest, if any, under the Ground Lease, and as a condition of any permitted sale or assignment of the Company’s interest under the Ground Lease any successor in interest shall furnish an irrevocable election in the form of the immediately preceding sentence to the Authority.
 
-40-

(c)          In the event the Company records any document in lieu of recording this Agreement, said document shall incorporate the substance of paragraph (b) of this section.
 
Section 7.31.        Taxes.   The Company shall timely pay and discharge or cause to be paid and discharged all material Taxes and other assessments and governmental charges or levies imposed upon the Company or the Terminal prior to the date on which penalties, fines or interest attach thereto, provided that the Company may permit any such Tax, assessment, charge or levy to remain unpaid if it is being contested in good faith and adequate reserves have been provided and are maintained.
 
Section 7.32.        Environmental Matters.
 
(a)          Definitions.          For the purposes of this Agreement, the following terms shall have the meanings set forth below.
 
(i)          “Environment” shall mean surface soils, subsurface soils, sediment, surface water, groundwater, wetlands, ambient or indoor air, soil gas or vapor, or land, and all flora and fauna existing therein or thereon.
 
(ii)        “Environmental Conditions” means any contamination or pollution or threatened contamination or pollution of, or the Release or threatened Release of Hazardous Substances to, the Environment.
 
(iii)       “Environmental Laws” means all applicable federal, state, county or local laws, statutes, ordinances, rules, regulations, codes, orders, decrees, directives and judgments relating to public and worker health or safety, pollution, damage to or protection of the Environment, Environmental Conditions or the use, manufacture, processing, distribution, treatment, storage, generation, disposal, transport or handling of Hazardous Substances, as in effect from time to time, including but not limited to the Federal Water Pollution Control Act, 33 U.S.C. §§ 1231-1387 (“CWA”); the Resource Conservation and Recovery Act, 42 U.S.C. §§ 6901-6991 (“RCRA”); the Clean Air Act, 42 U.S.C. §§7401-7642 (“CAA”); the Comprehensive Environmental Response Compensation and Liability Act, 42 U.S.C. §§ 9601-9675 (“CERCLA”); the Toxic Substances Control Act, 15 U.S.C. §§ 2601-2629 (“TSCA”); the Occupational Safety and Health Act, 29 U.S.C. §§ 651-678 (“OSHA”); the New Jersey Industrial Site Recovery Act, N.J.S.A. 13:1K-6 et seq. (“ISRA”); the Site Remediation Reform Act, N.J.S.A. 58:10C-1 et seq. (the “SRRA”); the New Jersey Spill Compensation and Control Act, N.J.S.A. 58:10-23.11 et seq. (the “Spill Act”); the New Jersey Water Pollution Control Act, N.J.S.A. 58:10A-1 et seq.; the New Jersey Air Pollution Control Act, N.J.S.A. 26:2C-1 et seq.; the Brownfield and Contaminated Site Remediation Act, N.J.S.A. 58:10B-1 et seq. (the “Brownfield Act”); and the New Jersey Environmental Rights Act, N.J.S.A. 2A:35A-1 et seq.; and any and all rules and regulations promulgated thereunder, including the New Jersey Technical Requirements for Site Remediation, N.J.A.C. 7:26E-1 et seq. (the “Tech Regs”), and the Administrative Requirements for the Remediation of Contaminated Sites, N.J.A.C. 7:26C-1 et seq. (“ARRCS”).
 
(iv)        “Financial Assurance” shall have the same meaning given to such term under ARRCS.
 
-41-

(v)        “Hazardous Substances” shall mean any substance, material or waste, in any state, form or character including but not limited to a liquid, gas or solid, or any pollutant, irritant or contaminant, that is infectious, toxic, hazardous, explosive, corrosive, flammable or radioactive, or that is regulated under, defined, listed or included in any Environmental Laws, including petroleum products and petroleum based derivatives, polychlorinated biphenyls, asbestos and asbestos containing materials, urea formaldehyde and per- and polyfluoroalkyl substances.
 
(vi)        “Licensed Site Remediation Professional” or “LSRP” shall have the same meaning given to such terms under the ARRCS.
 
(vii)       “Losses” shall mean any and all claims, suits, demands, notices, fines and penalties, damages (including damages on account of personal injury or death or property damage and damage or injury to natural resources and the costs of assessment of same), fees, costs and expenses (including sampling, monitoring, investigation or remediation costs, costs of compliance with, or the curing or correction of violations of, Environmental Laws, costs of complying with directives or demands of the NJDEP, the United States Environmental Protection Agency (“USEPA”) or other governmental agencies or authorities with jurisdiction over environmental matters, attorneys’, consultants’ and engineering fees and disbursements, costs of defense and interest).
 
(viii)    “PLL Policies” shall mean the following insurance policies issued to DRP with respect to the Repauno Site: (i) Enviro Covered Location Insurance Policy No. W1BEC116011 issued by Beazley; (ii) Excess Environmental Insurance Policy No. AEC0198709-00 issued by Steadfast Insurance Company; and (iii) Environmental Excess Insurance Policy No. XEC0047850 issued by XL Environmental, and all related endorsements to the same.
 
(ix)        “Release” shall mean any intentional or unintentional release, discharge, spill, leaking, pumping, pouring, emitting, emptying, injection, disposal or dumping into the Environment.
 
(x)         “Remedial Action Permit” shall have the same meaning given to such term under the ARRCS.
 
(xi)       “Remedial Activities” means any and all: (1) investigations of Environmental Conditions of any kind or nature whatsoever, including site assessments, site investigations, remedial investigations, soil, groundwater, surface water, sediment, soil gas, air sampling or monitoring; (2) actions of any kind or nature whatsoever taken to remove, abate or remediate Environmental Conditions, including the use, implementation, application, installation, operation or maintenance of removal actions, in-situ or ex-situ remediation technologies applied to the surface or subsurface soils, encapsulation or stabilization of soils, excavation and off-site treatment or disposal of soils, systems for the recovery and/or treatment of groundwater or free product, systems for the mitigation or removal of vapors, “Engineering Controls” and/or “Institutional Controls” (as such terms are defined under the Tech Regs); and (3) all post-RAO obligations, including all requirements associated with any Engineering Controls, Institutional Controls and/or Remedial Action Permits.
 
-42-

(xii)       “Response Action Outcome” or “RAO” shall have the same meaning given to such terms under the ARRCS.
 
(xiii)      “Third Party Claims” shall mean any notices, notifications, suits, demands, directives, citations, summons, orders, legal actions, complaints or assessments.
 
(b)          Representations.  The Company represents and warrants to the Authority as of the date of this Agreement that: (i) the land comprised in the Leased Premises is a portion of a larger area of real property owned in fee by DRP which is identified and referred to as the “Redevelopment Area” or the “RDA” in the Amended and Restated Master Redevelopment Agreement, by and between Greenwich Township and DRP; (ii) the RDA, in turn, is part of a much larger area of real property comprising approximately 1,630 acres of land with an address of 200 North Repauno Avenue, Gibbstown, Greenwich Township, Gloucester County, NJ, which real property was formerly owned by The Chemours Company FC, LLC (“Chemours”) (such land formerly owned by Chemours being referred to herein as the “Repauno Site”); (iii) the Repauno Site is the subject of Remedial Activities being conducted by Chemours under various Environmental Laws and under the jurisdiction of the USEPA and/or the New Jersey Department of Environmental Protection (“NJDEP”), and pursuant to (among other consent agreements) the terms and conditions of an Administrative Consent Order dated December 21, 1989 (as amended) by and between Chemours and the NJDEP (the “ACO”), which environmental proceedings have been consolidated under and have been designated by the NJDEP as PI No. 008225 (the “SRP Cases”); (iv) Chemours and DRP have entered into an Environmental and Indemnification Agreement dated March 16, 2016 (as amended by amendments dated February 23, 2016 and June 16, 2016) (collectively, the “EIA”), which (among other things) allocates certain rights and obligations with respect to the ACO and the SRP Cases between Chemours and DRP; (v) the land comprised in the Leased Premises is subject to the terms and conditions of a Deed Notice dated June 6, 2019 (the “Deed Notice”), which (among other things) limits the use of the land comprised in the Leased Premises to non-residential uses; (vi) the land comprised in the Leased Premises is subject to Soil Remedial Action Permit 190002 issued by the NJDEP (the “Soil RAP”) with respect to which Chemours and DRP are co-permittees and DRP is designated as the permittee with primary responsibility for permit compliance; (vii) the Chemours LSRP has issued a soil Area of Concern Restricted Use Response Action Outcome (the “RDA Soil RAO”) with respect to the RDA (including the land comprised in the Leased Premises), which RDA Soil RAO remains in full force and effect; (viii) the Repauno Site is subject to a groundwater Classification Exception Area/Well Restriction Area (“CEA/WRA”) established by the NJDEP due to the presence of contaminated groundwater beneath and emanating from the Repauno Site, which groundwater contamination is the obligation of Chemours to investigate and remediate under the ACO, the SRP Cases and the EIA in accordance with the requirements of Environmental Laws.
 
(c)          Affirmative Obligations.  At all times during the term of this Agreement, the Company shall, at its cost and expense:
 
(i)          comply with and satisfy all requirements imposed upon the Company under Environmental Laws applicable to the Leased Premises and all uses, operations and activities conducted thereon;
 
-43-

(ii)       as between the Company and the Authority, assume all liabilities arising from, and all obligations imposed under Environmental Laws with respect to, any and all Environmental Conditions on, at, under, migrating to or emanating from the Leased Premises, the RDA and/or the Repauno Site, whether known or unknown and whether first occurring or existing prior to or after the effective date of this Agreement, including the performance of Remedial Actions and the curing of any violation or non-compliance with Environmental Laws, it being the express intention of the Company and the Authority that the Authority shall have no liability with respect to environmental matters of any kind or nature whatsoever respecting the Leased Premises, the RDA and/or the Repauno Site, including any of the foregoing liabilities or obligations;
 
(iii)       comply with, and cause DRP and all users, occupiers, operators, contractors, invitees and licensees of the Leased Premises to comply with, the terms and conditions of any Institutional Controls applicable to the Leased Premises, including the Deed Notice and the CEA/WRA, and all use restrictions set forth therein;
 
(iv)        cause DRP to satisfy its obligations under the EIA;
 
(v)       satisfy, or cause DRP to satisfy, all obligations imposed under the terms and conditions of the Soil RAP, including all obligations related to site inspections, preparation and submission of biennial certifications, payment of permit fees and the establishment and maintenance of Financial Assurance;
 
(vi)        to the extent within the responsibility or control of the Company or DRP, take, or cause DRP to take, all actions to ensure the RDA Soil RAO remains in full force and effect;
 
(vii)       cause DRP to (1) renew and maintain the PLL Policies or obtain and maintain policies providing coverages, limits, and conditions that are substantially the same in scope and type to, and coverage amounts no less than the amounts presently provided by, the PLL Policies as of the date of this Agreement (currently in the aggregate amount of $100,000,000), which PLL Policies or such other policies, as applicable, shall name the Authority as an additional named insured, and (2) provide the Authority with advance written notice of any material detrimental changes proposed to such coverages, limits, conditions and/or amounts (whether in connection with the maintenance of or renewal of the PLL Policies or such other policies) and obtain the Authority’s advance written consent to such proposed changes, which consent may be granted or withheld by the Authority in its sole discretion, except if DRP and the Company do not have the commercially reasonable ability, after seeking the required insurance from at least (3) nationally recognized insurance companies, to prevent such changes from occurring (including if, due to general trends or developments in the insurance market over time, the exact types, terms or amounts of coverage available at any particular time are no longer generally offered in the insurance market at a later time);
 
(viii)     provide, or cause DRP to provide, the Authority or its designees with copies of all final reports, workplans, forms and other material documents submitted by Chemours (if a copy is received by DRP) or DRP to, or received by Chemours (if a copy is received by DRP) or DRP from, the NJDEP and/or the USEPA in connection with the ACO, the SRP Cases and/or the EIA; and
 
-44-

(ix)        respond to and comply with, or cause DRP to respond to and comply with, all obligations imposed on the Company and/or DRP by the NJDEP or any LSRP in connection with any audit, rescission, revocation or invalidation of any RAOs issued under the SRP Cases, including the RDA Soil RAO, including the performance of additional Remedial Actions required of DRP by the NJDEP or any LSRP, to allow the issuance of new, amended or replacement RAO(s).
 
(d)          Waiver and Release of Claims.  At all times following the effective date of this Agreement, the Company shall release, waive and covenant not to sue the Authority or any of the Indemnified Parties with respect to any and all claims, rights, remedies or causes of action that the Company has now or in the future that may arise against the Authority or any of the Indemnified Parties under Environmental Laws or any other theory of liability (whether statutory, common law, contractual or otherwise) with respect to or in any way arising from environmental matters of any kind or nature whatsoever respecting the Leased Premises, the RDA and/or the Repauno Site, including without limitation (i) any Environmental Conditions on, at, under, migrating to or emanating from the Leased Premises, the RDA and/or the Repauno Site, whether known or unknown, and whether first occurring or existing prior to, on or after the effective date of this Agreement, (ii) any and all costs incurred by the Company to satisfy any of its obligations under this Section 7.32, (iii) any violation of or non-compliance with Environmental Laws relating to the Leased Premises, the RDA and/or the Repauno Site, and (iv) any Third Party Claims with respect to any environmental matters relating to the Leased Premises, the RDA and/or the Repauno Site.
 
(e)          Indemnification.  Without in any way limiting or affecting the Company’s indemnification obligations under Section 7.10 hereof, and in addition to such obligations (but without double recovery of any specific Losses to the extent such Losses are covered in full under the respective indemnification provisions of both Section 7.10 and herein), at all times from and after the effective date of this Agreement, the Company shall indemnify, defend and hold harmless the Authority and the Indemnified Parties from and against any and all Losses imposed on, incurred by or asserted against the Authority or any of the Indemnified Parties or for which the Authority or any of the Indemnified Parties may be liable or obligated arising from or relating to: (i) the Company’s failure to satisfy any of its obligations under this Section 7.32; (ii) Environmental Conditions on, at, under, migrating to or emanating from the Leased Premises, the RDA and/or the Repauno Site occurring or existing prior to the effective date of this Agreement; (iii) any Releases of Hazardous Substances on, at, under, migrating to or emanating from the Leased Premises, the RDA and/or the Repauno Site that first occur at any time after the effective date of this Agreement; and (iv) any Third Party Claims issued or asserted by any Governmental Authority or any Person with respect to any environmental matters respecting the Leased Premises, the RDA and/or the Repauno Site.
 
-45-

(f)          Indemnification Procedures.  (i) If any action shall be brought against the Authority or any Indemnified Party based upon any of the matters for which the Authority or any Indemnified Party is indemnified hereunder, the Authority or any Indemnified Party shall notify the Company in writing thereof, which notice shall include a copy of all pleadings and summons in the possession of the Authority or such Indemnified Party relating to such action and shall specifically state that indemnification for such action is being sought under this Agreement, and the Company shall promptly assume the defense thereof, including, without limitation, the employment of counsel selected by the Company and reasonably acceptable to the Authority or the applicable Indemnified Party and the negotiation of any settlement; provided, however, that any failure of the Authority or an Indemnified Party to notify the Company of such matter shall not impair or reduce the obligations of the Company hereunder.  The Authority and the Indemnified Party shall reasonably cooperate with the Company, at the Company’s sole cost and expense, in connection with the defense or settlement of any such claim or action in accordance with the terms of this Agreement.  If (a) the Authority or any Indemnified Party determines, based on the advice of counsel, that the conduct of its defense by the Company would present a conflict of interest or otherwise be materially prejudicial to its interests, (b) the Company refuses to defend or (c) the Company shall have failed, in the Authority and/or such Indemnified Party’s commercially reasonable judgment, to defend the action in good faith, then the Authority and the Indemnified Party shall have the right, at the expense of the Company (which expense shall be included in Losses), to employ separate counsel in any such action and to participate in the defense thereof; provided, however, that such defense shall in no way impair or prejudice the Company’s defense of its own position.  In the event the Company shall fail to undertake to defend the Authority and an Indemnified Party against any claim, loss or liability for which the Authority or such Indemnified Party is indemnified hereunder, the Authority or such Indemnified Party may, at its sole option and election, defend or settle such claim, loss or liability (provided that the Authority and the Indemnified Party shall give notice of any such settlement to the Company).  The liability of the Company to the Authority or any Indemnified Party hereunder shall be conclusively established by such settlement, provided such settlement is made in good faith. The amount of such liability shall include both the settlement consideration and the Losses and expenses, including, without limitation reasonable attorneys’ fees and disbursements, incurred by the Authority or any Indemnified Party in effecting such settlement.  In such event, such settlement consideration, costs and expenses shall be included in Losses and the Company shall pay the same as hereinafter provided.  The Authority or any Indemnified Party’s good faith in any such settlement shall be conclusively established if the settlement is made on the advice of independent legal counsel for the Authority or an Indemnified Party.
 
(ii)          The Company shall not, without the prior written consent of the Authority or the Indemnified Party: (a) settle or compromise any action, suit, proceeding or claim or consent to the entry of any judgment with respect to any matter for which the Authority or the Indemnified Party is entitled to be indemnified hereunder and that (I) does not include as an unconditional term thereof the delivery by the claimant or plaintiff to the Authority and the Indemnified Party of a full and complete written release of the Authority and the Indemnified Party (in form, scope and substance satisfactory to the Authority or any Indemnified Party) from all liability in respect of such action, suit, proceeding or claim and a dismissal with prejudice of such action, suit, proceeding or claim and (II) includes any statement as to or an admission of fault, culpability or a failure to act, by or on behalf of the Authority or any Indemnified Party; or (b) settle or compromise any action, suit, proceeding or claim in any manner that is reasonably likely to adversely affect the Authority and the Indemnified Party or to obligate the Authority or any Indemnified Party to pay any sum or perform any obligation.

-46-

(g)          All Losses shall be immediately reimbursable to the Authority or any Indemnified Party when and as incurred and, in the event of any litigation, claim or other proceedings without any requirement of waiting for the ultimate outcome of such litigation, claim or other proceedings and the Company shall pay to the Authority or any Indemnified Party any and all Losses within thirty (30) days after written notice from the Authority or an Indemnified Party itemizing in reasonable detail the amounts thereof incurred to the date of such notice.  In addition to any other remedy available for the failure of the Company to periodically pay such Losses, such Losses, if not paid within thirty (30) days shall accrue interest at the rate of twelve percent (12%).
 
(h)          Survival.  The provisions of this Section 7.32 shall survive the expiration or earlier termination of this Agreement.
 
ARTICLE VIII

REPRESENTATIONS, WARRANTIES AND COVENANTS OF THE AUTHORITY
 
The Authority represents, warrants and covenants as follows:
 
Section 8.01.        Organization, Powers, Etc.  The Authority is a public body corporate and politic and is authorized under the Act to enter into the transactions contemplated by this Agreement and the Indenture and to carry out its obligations herein and therein.  The Authority has duly authorized the execution and delivery of this Agreement, the Indenture and all other documents and instruments to be delivered by the Authority in connection with the transactions contemplated hereby and will do or cause to be done all things necessary to preserve and keep such authorizations in full force and effect.  The Project constitutes a “project” within the meaning of the Act.  To the best knowledge of the Authority, the Authority has duly complied with the provisions of the Act in connection with the authorization and issuance of the Series 2025 Bonds.
 
Section 8.02.        Approval of Bond Issuance, Etc.
 
(a)         To finance the Costs of the Project, the Authority proposes to issue $300,000,000 aggregate principal amount of the Series 2025 Bonds which will be in the series and in the principal amounts, and will mature and bear interest as set forth in Article III of the Indenture and which will be subject to redemption as set forth in Article IV of the Indenture.  The Series 2025 Bonds will be issued under the Indenture and secured pursuant to the terms thereof, pursuant to which the Authority’s interest in the Company Sublease (except its Payment Rights and the right of the Authority at its option to enforce its Reserved Rights, without limiting the right of the Trustee with respect thereto) will be pledged and assigned to the Trustee in order to provide for the payment of the principal of and interest and premium, if any, on the Series 2025 Bonds; provided, however that the Authority has not assigned to the Trustee the right to grant or withhold consent pursuant to Sections 7.11 and 7.15 hereof or the additional remedies set forth in Section 10.03 hereof; and provided further that, other than any rights of the Trustee or the Collateral Agent pursuant to the Secured Obligation Documents, no Property Interests are being pledged, assigned or granted by the Authority to the Trustee.  The issuance of the Series 2025 Bonds and the execution of this Agreement and the Indenture have been approved by the Authority at duly constituted meetings.
 
-47-

(b)         The execution and delivery of this Agreement and the Series 2025 Bonds, and compliance with the provisions thereof, will not conflict with or constitute on the part of the Authority a violation of the Constitution of the State or a violation, breach of or default under its by-laws or any statute, indenture, mortgage, deed of trust, note agreement or other agreement or instrument to which the Authority is a party or by which the Authority is bound, or to the best knowledge of the Authority, any order, rule or regulation of any court or governmental agency or body having jurisdiction over the Authority or any of its activities or properties, and to the best knowledge of the Authority, all consents, approvals, authorizations and orders of governmental or regulatory authorities which are required to be obtained by the Authority for the consummation of the transactions contemplated thereby have been obtained.  No authority or proceedings for issuance of the Series 2025 Bonds or documents executed in connection therewith have been repealed, revoked, rescinded or superseded.
 
(c)          There is no action, suit or proceeding at law or in equity, pending or threatened against the Authority, to restrain or enjoin the issuance or sale of the Series 2025 Bonds or in any way contesting the validity or affecting the power of the Authority with respect to the issuance and sale of the Series 2025 Bonds or the documents or instruments executed by the Authority in connection therewith or the existence of the Authority or the power or the right of the Authority to finance the Project.
 
(d)         Any Certificate signed by the Chairman, Vice-Chairman, Chief Executive Officer, or any other authorized officer of the Authority duly authorized by the by-laws of the Authority shall be deemed a representation and warranty by the Authority to the respective parties as to the statements made therein.
 
(e)          The Authority makes no representation as to (i) the financial position or business condition of the Company or (ii) the correctness, completeness or accuracy of any of the statements, materials (financial or otherwise), representations or certifications furnished or to be made by the Company in connection with the sale or transfer of the Series 2025 Bonds, the execution and delivery of this Agreement or the consummation of the transactions contemplated hereunder or in connection with the sale of the Series 2025 Bonds.
 
Section 8.03.        No Assignment by the Authority.
 
(a)          Except as provided herein and in the Indenture, the Authority has not and shall not assign, encumber, convey or otherwise dispose of its rights hereunder.
 
(b)         The Authority shall not sell, assign, encumber (other than pursuant to the granting clauses of the Indenture), convey or otherwise dispose of its interest in this Agreement and in the rent payable hereunder during the term of this Agreement, except as set forth in this Section, without the prior specific written consent of the Company and the Trustee and any purported disposition without such consent shall be void.
 
-48-

(c)         The parties acknowledge that, among other rights reserved and retained by DRP under the Ground Lease, DRP has certain rights to access and use, and to allow others to access and use, the land comprised in the Leased Premises, subject to compliance with applicable non-interference protections and other restrictions set forth in the Ground Lease. In addition, the Authority and Trustee will, at the specific written direction of the Company so long as there exists no uncured Event of Default hereunder, with the consent of the Company, grant such access rights over, across, or under, the Leased Premises, or grant such permits or licenses with respect to the use thereof, free from the terms and conditions of this Agreement as the Company shall determine is necessary or convenient for the operation or use of the Series 2025 Facilities (or as shall be desirable for the use of other facilities or another parcel of property at the Terminal or a public utility), provided that the Authority and the Trustee receive a certificate from an Authorized Company Representative that such access rights, permits or licenses shall not materially adversely affect the use or operation of the Series 2025 Facilities and the Trustee may request a Favorable Opinion of Bond Counsel in connection with such materiality determination.  The Authority and the Trustee agree, at the sole cost and expense of the Company, to execute and deliver any and all instruments reasonably requested by the Company to confirm and grant any such access rights, permit or license.
 
(d)        Notwithstanding any other provision of this Agreement, so long as there exists no uncured Event of Default hereunder, the Company may from time to time direct in writing to the Authority and the Trustee to release and remove from this Agreement any unimproved part of the Leased Premises (on which none of the improvements, including the buildings, structures, improvements, related facilities, fixtures or other property comprising the Series 2025 Facilities are situated; provided, that for purposes of this Section 8.03, the foregoing “improvements” shall not include roadways, parking areas, curbs, gutters, landscaping, pump station, water tank and utility facilities) provided that the Authority and the Trustee receive a Favorable Opinion of Bond Counsel and a certificate from an Authorized Company Representative that such release and removal will not materially adversely affect the use or operation of the Series 2025 Facilities.  Upon any such prior written request by the Company, the Authority and the Trustee shall, at the sole cost and expense of the Company, execute and deliver any and all instruments reasonably requested by the Company to so release and remove such portion of the Leased Premises; provided, that no such release shall be effected unless there shall be deposited with the Trustee a certificate of an Authorized Company Representative, stating that the portion of the Leased Premises and the release so proposed to be made is not needed for the operation of the Series 2025 Facilities, will not materially adversely affect the use or operation of the Series 2025 Facilities and will not destroy the means of ingress thereto and egress therefrom.
 
(e)         No conveyance or release effected under the provisions of this Section 8.03 shall entitle the Company to any abatement or diminution of the rents payable under Section 3.02 hereof or the other payments required to be made by the Company under this Agreement.
 
Section 8.04.        Findings and Determinations.  Based upon the information provided to the Authority, the Authority hereby finds and determines that the financing of the Project through the issuance of the Series 2025 Bonds will further the public purposes of the Act.
 
Section 8.05.       Tax‑Exemption Covenant.  Except as otherwise expressly permitted by the Bond Documents, the Authority hereby covenants not to take any action or fail to take any action which would cause the interest on the Series 2025 Bonds to lose the exclusion from gross income for purposes of federal income taxation (except any Series 2025 Bond for any period during which such Series 2025 Bond is held by a “substantial user” of a facility financed with the proceeds of the Series 2025 Bonds or a “related person” as such terms are defined in Section 147(a) of the Code).  The Authority agrees that it shall at all times do and perform all acts and things necessary under the Code in order to assure that interest paid on the Series 2025 Bonds (except any Series 2025 Bond for any period during which such Series 2025 Bond is held by a “substantial user” of a facility financed with the proceeds of the Series 2025 Bonds or a “related person” as such terms are defined in Section 147(a) of the Code) shall, for purposes of federal income taxation, be and remain excludable from the gross income of the recipients thereof under the Code and that it will refrain from doing or performing any act or thing that will cause such interest not to be so excludable. Notwithstanding anything contained in this Section to the contrary, the Authority shall not have any liability to the Owners, the Trustee or otherwise as a result of its failure to comply with the provisions of this Section except to redeem the Series 2025 Bonds as provided in Section 3.04(d) of the Indenture.
 
-49-

Section 8.06.        Right or Responsibility for Leased Premises.  Notwithstanding anything contained herein to the contrary, the Authority shall have no right or responsibility for the operation, maintenance, management, control, care or repair of the Leased Premises.
 
Section 8.07.        Limitation on Interests, Rights and Remedies.
 
(a)         The Company and the Authority hereby acknowledge and agree that notwithstanding this Agreement, the Indenture or any of the other Bond Documents or any of the provisions hereof or thereof or any other facts or circumstances to the contrary, that the only Property Interest that the Company shall have in the Leased Premises during the term of this Agreement (other than the Company’s reversionary interest therein in its capacity as lessor under the Authority Sublease) is to have subleased and sub-subleased (as applicable) the Leased Premises from the Authority and to otherwise perform the obligations of the Company set forth hereunder and, except to the extent provided pursuant to the terms and provisions of the Secured Obligation Documents or permitted by Article X of this Agreement while an Event of Default shall have occurred and be continuing hereunder, neither the Authority nor the Trustee shall have any right to sell, convey, transfer, mortgage, acquire, pledge or resublet the Leased Premises, or to disturb the Company’s use, occupancy, possession or quiet enjoyment of the Leased Premises in any way or by any means during the term of the Company Sublease under this Agreement.
 
(b)        The Company further understands and agrees nothing contained in this Agreement shall affect the Authority’s (i) right to cause a mandatory redemption of the Bonds pursuant to Section 4.5(e) of the Indenture or (ii) right to specific performance pursuant to Section 10.03(b) hereof.
 
-50-

ARTICLE IX
 
INSURANCE REQUIREMENTS, DAMAGE, DESTRUCTION, CONDEMNATION AND OTHER PAYMENTS
 
Section 9.01.       Property Insurance Required.  The Company agrees to maintain property insurance providing for protection on an all risk-basis in respect of the Series 2025 Facilities, following completion thereof, including any Personal Property, for the full replacement cost thereof.  Following completion of the Series 2025 Facilities, until the payment of the Bonds in full shall have occurred, the Company will, at a minimum, maintain commercial property insurance insuring property coverage on an all-risks basis with respect to the Terminal assets, including the Series 2025 Facilities in an amount equal to the replacement value of the Series 2025 Facilities and shall name the Collateral Agent as a mortgagee (real property) or lender’s loss payee (business personal property) and the Authority and the Trustee as loss payee.
 
Section 9.02.       Liability Coverages Required.  In addition to satisfying the Company’s liability insurance obligations under Section 7.32(c)(vii) hereto, until the payment of the Bonds in full shall have occurred, the Company will, at a minimum, maintain the PLL Policies required by Section 7.32 hereof and commercial general liability insurance against for bodily injury, death or property damage occurring on, in or about the Series 2025 Facilities in amounts not less than $2,000,000 with respect to bodily injury and property damage per occurrence and $3,000,000 in the aggregate and shall name each of the Authority and the Trustee as an additional insured on a primary and non-contributory basis (limits may be obtained through a combination of primary and umbrella/excess liability policies, however, terms and conditions must follow the underlying form).
 
Section 9.03.        General Insurance Provisions.  All insurance required to be carried by the Company under this Agreement shall:
 
(a)          be by such insurer (or insurers) as shall be financially responsible, qualified to do business in the State and of recognized standing;
 
(b)          be in such form and have such provisions as are generally considered standard provisions for the type of insurance involved;
 
(c)          subject to the insurer being willing to include such a prohibition, prohibit cancellation, termination or lapse in coverage by the insurer without at least 30 days prior written notice (10 days for non-payment cancellation) to the Authority and the Trustee (a blanket endorsement language is acceptable);
 
(d)          without limiting the generality of the foregoing, policies carried on the Series 2025 Facilities and the Leased Premises shall name the Authority and the Trustee as additional insureds and loss payees, where allowed;
 
(e)          all liability policies must include a waiver of subrogation provision or endorsement in favor of the Authority and the Trustee; and
 
(f)          prior to expiration of any such policy, the Company shall furnish the Authority and the Trustee with a written certificate of the Company to the Authority and the Trustee that the policy or certificates has been renewed or replaced in compliance with this Agreement.
 
-51-

Any or all of the insurance requirements on the Company hereunder may at the Company’s election be fulfilled by DRP or other affiliates of the Company.   The Authority and the Trustee shall each be supplied with an annual certificate, within thirty (30) days after the close of the Company’s fiscal year, certifying that the insurance policies required to be maintained by the Company are still in full force and effect.
 
In the event the Company shall fail to maintain the insurance coverage required by this Agreement, the Authority or the Trustee may (but shall be under no obligation to), after ten (10) days’ written notice to the Company, unless cured within such ten (10) day period, contract for the required policies of insurance and pay the premiums on the same, and the Company agrees to reimburse the Authority or the Trustee, as applicable, to the extent of the amounts so advanced with interest thereon at the maximum rate permitted by law.  If the Company cures such failure within such 10-day period or if the Authority elects to contract for the required policies of insurance (subject always to the Company’s reimbursement of the Authority for the same, plus applicable interest), such failure shall not be deemed an Event of Default for purposes of Article X.
 
Section 9.04.        Damage, Destruction or Condemnation.
 
(a)          In the event that at any time during the term of this Agreement the whole or part of the Series 2025 Facilities shall be damaged or destroyed, or taken or condemned by a competent authority for any public use or purpose and those authorized to exercise such right, or if the temporary use of the Series 2025 Facilities shall be so taken by condemnation or agreement (a “Loss Event”):
 
(i)          the Authority shall have no right or obligation to rebuild, replace, repair or restore the Series 2025 Facilities,
 
(ii)         the Company shall have no obligation to rebuild, replace, repair or restore the Series 2025 Facilities,
 
(iii)        there shall be no abatement, postponement or reduction in the rent or other amounts payable by the Company under this Agreement, and
 
(iv)        the Company will promptly give written notice of such Loss Event to the Authority and the Trustee, generally describing the nature and extent thereof.
 
(b)          In the event that the whole or a part of the Series 2025 Facilities is damaged or destroyed or taken or condemned by a competent authority and the Company does not rebuild, replace, repair or restore the Series 2025 Facilities, the Company shall cause the Series 2025 Bonds to be redeemed in whole or in part, as the case may be, pursuant to and in accordance with Section 4.5(c) of the Indenture unless the Company and the Trustee receive an opinion of McCarter & English, LLP so long as McCarter & English, LLP is still in existence or if McCarter & English, LLP ceases to exist, from any successor firm to McCarter & English, LLP, or if there is no successor firm, any Bond Counsel, that the Series 2025 Facilities would still constitute a dock and wharf which is an exempt facility within the meaning of Section 142(a)(1) of the Code or that failure to rebuild would not cause the interest on the Series 2025 Bonds to cease to be excludable from gross income for Federal income tax purposes.
 
-52-

In the event that the whole or a part of the Series 2025 Facilities is damaged or destroyed or taken or condemned by a competent authority and the Company rebuilds, replaces, repairs or restores the Series 2025 Facilities, the Company shall do so at its own cost and expense.  The Company shall not by reason of payment of any such excess costs be entitled to any reimbursement from the Authority, the Trustee or any Bondholder, nor shall the rent or other amounts payable by the Company under this Agreement be abated, postponed or reduced.  Any such rebuilding, replacement, repair, restoration or substitution shall:
 
(i)         to the extent the Company rebuilds, replaces, repairs, restores or substitutes for the Series 2025 Facilities as a result of such Loss Event, such rebuilding, replacement, repair, restoration or substitution on the Leased Premises shall automatically be deemed a part of the Series 2025 Facilities and be made subject to this Agreement;
 
(ii)        not change the nature of the Series 2025 Facilities as an authorized project as defined in and as contemplated by the Act, nor change the nature of the Series 2025 Facilities so that they would not constitute a dock and wharf which is an exempt facility within the meaning of Section 142(a)(1) of the Code; and
 
(iii)        be effected with due diligence in a good and workmanlike manner, in compliance with all applicable legal requirements and be promptly and fully paid for by the Company in accordance with the terms of the applicable contract(s) therefor.
 
(c)         The Authority and the Company shall cooperate and consult with each other in all matters pertaining to the settlement, compromise, arbitration or adjustment of any claim or demand on account of any Loss Event, but the settlement, compromise, arbitration or adjustment of any such claim or demand shall be subject to the approval only of the Company.
 
(d)         Any proceeds received by or payable to the Company or the Authority as a result of a Loss Event (whether from insurance, as a condemnation award or otherwise) shall be paid to the Company and applied in accordance with the terms of the Collateral Agency Agreement.
 
-53-

ARTICLE X
 
DEFAULTS AND REMEDIES
 
Section 10.01.      Events of Default.  Any one or more of the following events shall constitute an event of default hereunder (an “Event of Default”):
 
(a)          Any representation or warranty by or on behalf of the Company made herein or in any report, certificate, financial statement or other instrument furnished in connection with this Agreement shall prove to have been false or misleading in any material respect when made; or
 
(b)          Except as provided in Section 10.01(c), any failure by the Company to satisfy any of its material covenants or obligations under this Agreement and such failure shall continue unremedied or uncured for sixty (60) days after written notice thereof to the Company from the Authority or the Trustee; provided that such sixty (60) day cure period shall not apply to the Company’s compliance with the insurance requirements under Article X of this Agreement;
 
(c)          Default in the payment within five (5) Business Days of the date on which any Company Rent is due; or
 
(d)        Except as provided in Section 10.01(c), default in the due payment of any other amounts or in the due observance or performance of any other material covenants, conditions or agreements on the part of the Company required to be observed or performed pursuant to the terms hereof or pursuant to any certificate or other instrument furnished in connection with this Agreement, including the Administration Expense Guaranty, and such default shall continue unremedied for thirty (30) days after written notice thereof to the Company from the Authority or the Trustee, provided that if said default is such that it cannot be corrected within such period it shall not constitute an Event of Default if corrective action is instituted by the Company within such period and diligently pursued until the default is corrected, and provided further that in no event shall the failure of the Company to comply with its secondary market disclosure obligations under Section 7.18 hereof be deemed to constitute an Event of Default hereunder; or
 
(e)          The occurrence of any Secured Obligation Event of Default under Article X of the Collateral Agency Agreement and such Secured Obligation Event of Default shall continue unremedied or uncured for sixty (60) days after written notice thereof to the Company from the Collateral Agent; or
 
(f)          The occurrence of an Act of Bankruptcy of the Company or DRP; or
 
(g)          If  the Company or DRP voluntarily abandons the Terminal or otherwise ceases operations at the Terminal and, without reasonable cause, fails, for sixty (60) consecutive days, to take reasonable action to end such abandonment or cessation; provided that this clause shall not apply if the Company or DRP abandons the Terminal or ceases operations at the Terminal in connection with any strike, boycott, labor dispute, embargo, shortage of materials, act of God, act of a public enemy, act of governmental authority, weather condition, tide, riot, rebellion, sabotage or any other circumstance that is not within the control of the Company or DRP; or
 
-54-

(h)         A final, non-appealable judgment is entered against the Company for the payment of money in excess of $30,000,000 (to the extent not paid or covered by insurance or indemnities as to which the insurer or indemnity has been, or promptly will be, notified of such judgment and the applicable insurance company or indemnity has not denied coverage thereof) as a result of the possession, ownership, control, operation or financing of the Terminal, if such judgment remains unsatisfied without any procurement of a stay of execution or is not otherwise vacated or discharged within sixty (60) days from the date of entry thereof (or such longer period for payment as is permitted by the applicable judgment); or
 
(i)          The occurrence of an event of default under any Secured Obligation Documents relating to Additional Senior Secured Indebtedness (as defined in the Collateral Agency Agreement) with a principal amount in excess of $30,000,000, in each case, beyond the grace period provided, if any, but only if such event of default results in an acceleration of such Additional Senior Secured Indebtedness or results in the holder(s) of such Additional Senior Secured Indebtedness causing such Additional Senior Secured Indebtedness to become due prior to its stated maturity; or
 
(j)          The occurrence of a Change of Control.
 
Section 10.02.     Remedies.  Upon the occurrence and during the continuance of an Event of Default, the Authority can deliver to the Trustee a written notice, with a copy to the Company and the Collateral Agent, that an Event of Default has occurred and is continuing.  The Trustee shall not be deemed to have any knowledge of the occurrence of an Event of Default unless and until it has received written notice from the Authority, the Company or one or more Owners of the Bonds. Upon the provision of written notice, as applicable, the Trustee shall have the right to take one or more enforcement actions and exercise all remedies available to it at law or in equity, including the following actions:
 
(a)         Subject to Section 7.2 of the Indenture, in the case of a default in the payment of principal of or interest on the Bonds when due, declare the entire unpaid amount payable hereunder to be immediately due and payable forthwith, whereupon such amount shall become forthwith due and payable, without presentment, demand, protest, or other notice of any kind, all of which are hereby expressly waived, anything contained herein or elsewhere to the contrary notwithstanding; or
 
(b)          Subject to Section 8.07 hereof and the terms of the Indenture, take any action at law or in equity to collect the payments then due and thereafter to become due hereunder or to enforce performance and observance of any obligation, agreement or covenant of the Company under this Agreement; or
 
(c)          Pursuant to the terms of the Collateral Agency Agreement, direct the Collateral Agent to take or cause to be taken any and all actions necessary to implement any available remedies with respect to the Collateral under any of the Secured Obligation Documents; or
 
-55-

(d)          Have reasonable access to and inspect, examine and make copies of the books and records and any and all accounts, data and income tax and other tax returns of the Company during regular business hours of the Company and following prior reasonable notice; or
 
(e)          Take on behalf of the Bondholders whatever other action at law or in equity as may appear necessary or desirable to collect the amounts then due and thereafter to become due, or to enforce performance and observance of any obligation, agreement or covenant of the Company under this Agreement or the rights of the Bondholders; or
 
(f)          Discontinue disbursement of any portion of the Bond proceeds.
 
If any party shall have proceeded to enforce this Agreement and such proceedings shall have been discontinued or abandoned for any reason or shall have been determined adversely to such party, then the Company, the Authority and the Trustee shall be restored, respectively, to their several positions and rights hereunder, and all rights, remedies and powers of the Company, the Authority and the Trustee shall continue as though no such proceedings had taken place.
 
Section 10.03.      Additional Authority Remedies on Default.  Subject to Section 10.09 hereof, in addition to other remedies permitted by Section 10.02 hereof and by law, the following shall constitute additional and exclusive remedies of the Authority:
 
(a)          upon the occurrence of any of the following, the Company shall, at the written direction of the Authority, prepay all amounts due hereunder in full together with interest accrued and to accrue to the redemption date: (i) the Company or DRP ceases to operate the Series 2025 Facilities (after the Series 2025 Facilities are place into operation) as, or the Project ceases to be, an authorized project under the Act, in either case, for twelve (12) consecutive months, without first obtaining the written consent of the Authority, or (ii) an Event of Default under Section 10.01(a) hereof, or (iii) the Company ceases to maintain or cause to be maintained the liability insurance required by this Agreement for the benefit of the Authority for thirty (30) consecutive days after notice of such failure by the Authority and three (3) Business Days to cure.  The Authority shall give notice to the Company and the Trustee of any such occurrence whereupon the Trustee shall give notice to the Bondholders of the redemption of the Series 2025 Bonds pursuant to the terms of the Indenture and will set a redemption date pursuant to the terms of the Indenture, but in no event later than sixty (60) days after the Authority gives written notice to the Trustee of the occurrence.  The prepayment of all amounts due hereunder shall be due and payable on the second Business Day next preceding the redemption date for the Series 2025 Bonds.  Prepayment by the Company pursuant to this Section shall be in an amount sufficient, together with other funds on deposit with the Trustee which are available for such purpose, to redeem the Series 2025 Bonds then Outstanding and to pay (i) all other amounts due hereunder, (ii) all Administration Expenses accrued and to accrue through the redemption date and (iii) any other expenses and fees required to satisfy and discharge the Indenture.
 
(b)         in addition to the remedy specified in paragraph (a) above, if the Company commits a breach or threatens to commit a breach of any of the provisions of this Agreement or of any of the other Bond Documents, the Authority shall have the right and remedy, without posting bond or other security, to have the provisions of this Agreement specifically enforced by any court having equity jurisdiction, it being acknowledged and agreed that any such breach or threatened breach will cause immediate and irreparable injury to the Authority and that money damages will not provide an adequate remedy therefor.
 
-56-


The exercise of rights under Section 10.03(b) shall not preclude the Authority’s exercise of rights under Section 10.03(a) above and shall not diminish the Trustee’s right to enforce specific performance, if appropriate, of the Bond Documents.
 
Section 10.04.      Service of Process.  If any service upon the Company is or may hereafter be required in connection with any suit or exercise of other remedies against it hereunder, the Company does hereby appoint CT Corporation System as its agent to receive such service with written notice sent to the Company at the address specified in this Agreement.  The Company does hereby consent to jurisdiction to any such suit brought in the State and does waive any objection to the venue of any such suit, action or proceeding on this Agreement in any of the courts of the State.
 
Section 10.05.      No Remedy Exclusive.  Except as set forth in Section 10.03 hereof, no remedy herein conferred or reserved is intended to be exclusive of any other available remedy or remedies, but each and every such remedy shall be cumulative and shall be in addition to every other remedy given under this Agreement or now or hereafter existing at law or in equity.  No delay or omission to exercise any right or power accruing upon any default shall impair any such right or power or shall be construed to be a waiver thereof, but any such right or power may be exercised from time to time and as often as may be deemed expedient.  No notice, other than such notice as may be required in this Agreement, shall be required precedent to the exercise of any remedy hereunder or at law, in equity or pursuant to statute.  Subject to Section 3.01 hereof, such rights and remedies as are given the Authority hereunder shall also extend to the Trustee, and the Trustee (on behalf of the Owners of the Bonds) shall be deemed a third party beneficiary of all covenants and agreements herein contained.
 
Section 10.06.      Agreement to Pay Attorneys’ Fees and Expenses.  In the event the Company should default under any of the provisions of this Agreement and either the Authority or the Trustee shall require and employ attorneys or incur other expenses for the collection of payments due or to become due or for the enforcement or performance or observance of any obligation or agreement on the part of the Company herein contained, the Company agrees that it will on demand therefor pay to the Authority or the Trustee the reasonable fees and expenses of such attorneys and such other expenses so incurred.
 
Section 10.07.      No Waiver Implied.  No waiver of any breach by the Company of any of its obligations, agreements or covenants hereunder shall be a waiver of any subsequent breach or of any other obligation, agreement or covenant, nor shall any forbearance to seek a remedy for any breach by the Company be a waiver of any rights and remedies with respect to such breach or any subsequent breach.
 
-57-

Section 10.08.     Default by Authority - Limited Liability.  Notwithstanding any provision to the contrary set forth in this Agreement, no provision of this Agreement shall be construed so as to give rise to a pecuniary liability of the Authority or its members or to give rise to a charge upon the general credit of the Authority or such members; the liability of the Authority hereunder shall be limited to its interest in this Agreement and the lien of any judgment shall be restricted thereto.  There shall be no other recourse against the Authority or any other property now or hereafter owned by it.  No recourse shall be had or any claim based on this Agreement or the Bonds or any document delivered pursuant to this Agreement or the Bonds against any member, officer or employee, past, present or future, of the Authority or of any successor body, either directly or through the Authority or any such successor body, under any constitutional provision, statute or rule of law or by the enforcement of any assessment or penalty or otherwise.  This Section 10.08 shall not relieve the Company of any liability or obligation under any instrument relating to this Agreement, the Indenture or any other Bond Document.  In the performance of the agreements of the Authority herein contained, any obligation it may incur for the payment of money shall not be a debt or obligation of the State or any political subdivision thereof.  The Authority does not assume general liability for the repayment of the Bonds or for the costs, fees, penalties, taxes, interest, charges, insurance or any other payments recited herein, but shall be obligated to pay the same only out of the amounts payable by the Company hereunder.  The Authority shall not be required to do any act whatsoever or exercise any diligence whatsoever to mitigate the damages to the Company if an Event of Default shall occur hereunder.
 
THE STATE IS NOT OBLIGATED TO PAY, AND NEITHER THE FAITH AND CREDIT NOR TAXING POWER OF THE STATE IS PLEDGED TO THE PAYMENT OF, THE PRINCIPAL OR REDEMPTION PRICE, IF ANY, OF OR INTEREST ON THE BONDS.  THE BONDS ARE SPECIAL, LIMITED OBLIGATIONS OF THE AUTHORITY, PAYABLE SOLELY OUT OF THE REVENUES OR OTHER RECEIPTS, FUNDS OR MONEYS OF THE AUTHORITY PLEDGED UNDER THE INDENTURE AND FROM ANY AMOUNTS OTHERWISE AVAILABLE UNDER THE INDENTURE FOR THE PAYMENT OF THE BONDS.  THE BONDS DO NOT NOW AND SHALL NEVER CONSTITUTE A CHARGE AGAINST THE GENERAL CREDIT OF THE AUTHORITY.  THE AUTHORITY HAS NO TAXING POWER.
 
The Act provides that neither the members of the Authority nor any person executing the Bonds for the Authority shall be personally liable on the Bonds by reason of the issuance thereof.  All covenants, stipulations, promises, agreements and obligations of the Authority set forth herein shall be deemed to be the covenants, stipulations, promises, agreements and obligations of the Authority and not of any member, officer or employee of the Authority in his or her individual capacity, and no recourse shall be had for the principal or Redemption Price, if any, of or interest on the Bonds or for any claim based thereon or hereunder against any member, officer or employee of the Authority or any person executing the Bonds.
 
Section 10.09.      No Obligation or Right to Re-Let.  Notwithstanding anything contained herein to the contrary, upon the occurrence of an Event of Default by the Company hereunder, the Authority shall have no obligation or right to re-let the Leased Premises or otherwise be required to mitigate any damages to the Company as a result of such Event of Default.
 
-58-

ARTICLE XI
 
MISCELLANEOUS
 
Section 11.01.       Notices.  Any notice, request, complaint, demand, communication, or other paper shall be sufficiently given and shall be deemed given when delivered or mailed by registered or certified mail, postage prepaid, addressed as follows:
 
If to the Authority:
 
New Jersey Economic Development Authority
36 West State Street
P.O. Box 990
Trenton, New Jersey  08625
Attention:  Director, Finance & Bond Portfolio Management
 
If to the Company:
 
DRP Urban Renewal 4, LLC
c/o Delaware River Partners LLC
200 N. Repauno Avenue
Gibbstown, New Jersey 08027
Attention:  Legal Department
 
If to the Trustee, Collateral Agent, Paying Agent or Registrar:
 
UMB Bank, N.A.
5555 San Felipe St., Suite 870
Houston, Texas 77056
Attention: Jully Jiang
 
With a copy to:
 
McCall, Parkhurst & Horton L.L.P.
112 E. Pecan Street, Suite 1310
San Antonio, Texas 78205
Attention: Lauren Ferrero, Esq.
 
The above parties may, by notice given hereunder, designate any further or different addresses to which subsequent notices, certificates or other communications shall be sent.
 
Section 11.02.          Survival of Covenants - Concerning Successors and Assigns.  All covenants, agreements, representations and warranties made herein and in the certificates delivered pursuant hereto shall survive the execution hereof and shall continue in full force and effect so long as the obligations hereunder are outstanding and unpaid; provided however that all covenants, agreements, representations and warranties as to all matters affecting the exclusion of the interest on the Series 2025 Bonds from gross income for federal income tax purposes and indemnification shall survive the termination of this Agreement.  Whenever in this Agreement any of the parties hereto is referred to, such reference shall be deemed to include the successors and assigns of such party; and all covenants, promises and agreements by or on behalf of the Company which are contained in this Agreement shall bind its successors and assigns and inure to the benefit of the successors and assigns of the Authority.
 
-59-

Section 11.03.      Governing Law.  This Agreement shall be governed by and construed in accordance with the laws of the State.
 
Section 11.04.      Modifications in Writing.  Amendments, modifications or waivers of any provisions of this Agreement or the documents delivered hereunder or consent to any departure by the Company therefrom shall in no event be effective unless the same shall be in writing, and then such waiver or consent shall be effective only in the specific instance and for the purpose for which given and only in accordance with Article X of the Indenture.  There shall be no cancellation, termination, waiver, surrender, acceptance of surrender, amendment, change or modification of this Agreement without the prior written consent of the Collateral Agent (and if any such action is taken without the prior written consent of the Collateral Agent, then such action shall not be effective as against the Collateral Agent); provided, however, that the foregoing shall not apply with respect to the Authority’s right to cause an Extraordinary Mandatory Redemption of the Bonds as provided in Section 4.5(e) of the Indenture or any right of cancellation or termination held by the Authority and expressly set forth in this Agreement, as may be amended from time to time pursuant to its terms.
 
Section 11.05.      Captions.  The section headings in this Agreement are for reference purposes only and shall not affect the meaning or interpretation of any provisions of this Agreement.
 
Section 11.06.      Severability.  If any provision of this Agreement shall be held or deemed to be illegal, invalid or unenforceable by any court of competent jurisdiction, such holding shall not affect any other provision or provisions hereof.
 
Section 11.07.      Prior Agreements Superseded.  This Agreement shall completely and fully supersede all other prior understandings or agreements, both written and oral, between the Authority and the Company relating to the Project.
 
Section 11.08.      Counterparts.  This Agreement may be executed in any number of counterparts, each of which shall be an original and all of which shall constitute but one and the same instrument.
 
Section 11.09.      Concurrent Ability of Trustee to Exercise Reserved Rights; Survival of Authority Reserved Rights.  Notwithstanding anything else herein to the contrary, the Authority hereby irrevocably authorizes the Trustee to exercise the Reserved Rights (except the right of the Authority to receive certain payments other than Company Rent and the right to grant or withhold consent pursuant to Sections 7.11 and 7.15 of this Agreement or the additional remedies set forth in Section 10.03 of this Agreement) on a parity with the Authority (it being understood that each such party may independently withhold consent to any variation or waiver of any such Reserved Rights). The Reserved Rights and the Authority’s and the Trustee’s ability to enforce the Reserved Rights in accordance with this Section 11.09 will survive the termination of this Agreement so long as the Bonds are Outstanding.
 
-60-

Section 11.10.      Authorized Company Representative.  Whenever under the provisions of this Agreement the approval of the Company is required or the Authority or the Trustee is required to take some action at the request of the Company, such approval or such request shall be given for the Company by the Authorized Company Representative, and the Authority or Trustee may rely upon the approval of such Authorized Company Representative or act upon such request and neither party hereto shall have any complaint against the other or against the Trustee as a result of any such action taken.
 
Section 11.11.      Intention of Parties.  It is the express intention of the parties hereto that the purchase, sale or transfer of any Bonds, as provided in the Indenture, shall not constitute or be construed to be the extinguishment of any Bonds or the indebtedness represented thereby (except to the extent any such Bonds may be canceled pursuant to the Indenture) or the reissuance of any Bonds or the refunding of any indebtedness represented thereby.
 
Section 11.12.      Company to Perform Certain Covenants Under Indenture.  The Company acknowledges that it has received an executed copy of the Indenture, and that it is familiar with its provisions, and agrees to be bound to the fullest extent permitted by law to all provisions thereof relating to it, and that, as the lessee under this Agreement, it will take all such actions as are required or contemplated of it under the Indenture to preserve and protect the rights of the Trustee and of the Bondholders thereunder and that it will not take or effect any action which would cause a default thereunder or jeopardize such rights.  It is agreed by the Company and the Authority that any redemption of Bonds prior to maturity shall be effected as provided in the Indenture.
 
Section 11.13.     Amendments to Law.  A reference herein to a statute or to a regulation issued by a governmental authority includes the statute or regulation in force as of the date hereof, together with all amendments and supplements thereto and any statute or regulation substituted for such statute or regulation, unless the specific language or the context of the reference herein clearly includes only the statute or regulation in force as of the date hereof.  A reference herein to a governmental authority, department, board, commission or other public body or to a public officer includes an entity or officer which or who succeeds to substantially the same functions as those performed by such public body or officer as of the date hereof, unless the specific language or the context of the reference herein clearly includes only such public body or public officer as of the date hereof.
 
Section 11.14.     Right to Cure Defaults Under Indenture.  With regard to any default under the Indenture concerning which notice is given to the Authority and the Company under the provisions of the Indenture, the Authority hereby grants the Company full authority for the account of the Authority to perform any covenant or obligation alleged in said notice to constitute such default, in the name and stead of the Authority with full power to do any and all things and acts to the same extent that the Authority could do and perform any such things and acts and with power of substitution.
 
Section 11.15.      No Merger or Washout of this Agreement.  As an explicit and material part of the consideration of both the Authority and the Company in entering into this Agreement, the Authority Sublease and the Company Sublease shall not be deemed to be “mutual” or “washout” leases and no merger of said leases shall be deemed to occur.  The parties to this Agreement hereby waive the right to claim that there is a merger of the Company Sublease and the Authority Sublease.
 
-61-

Section 11.16.      Application of New Jersey Contractual Liability Act.  Notwithstanding anything to the contrary contained herein, the foregoing is subject to the limitations of the provisions of the New Jersey Contractual Liability Act, N.J.S.A. 59:13-1 et seq. and the New Jersey Tort Claims Act, N.J.S.A. 59:2-1 et seq.  While the New Jersey Contractual Liability Act, N.J.S.A. 59:13-1 et seq. is not applicable by its terms to claims arising under contracts with the Authority, the Company and the Trustee hereby agree that such statute (except N.J.S.A. 59:13-9) shall be applied to all claims arising against the Authority under this Agreement.
 
Section 11.17.      No Obligation to Act.  Notwithstanding anything to the contrary, the permissive rights of the Trustee to do things enumerated in this Agreement, on account of assignment, shall not be construed as duties.
 
Section 11.18.      Third-Party Beneficiary; No Imposition of Liability.  The Trustee is an intended third-party beneficiary under this Agreement, however, nothing contained herein is intended to, nor shall be deemed or construed to, impose any liability or obligation on the Trustee under this Agreement that is in conflict with its obligations as Trustee under the Indenture.
 
Section 11.19.      New Jersey Conflicts of Interest Law.  The Company acknowledges that pursuant to the New Jersey Conflicts of Interest Law, N.J.S.A. 52:13D-12, et seq., State employees are prohibited from representing a party other than the State before any State agency; and representation includes a prohibition against making personal appearances before any State agency on behalf of a party other than the State, writing letters, sending emails, or making phone calls to any State agency on behalf of a third party, and includes a ban on signing any documents or applications submitted to any State agency on behalf of a party other than the State including, but not limited to, this Agreement.
 
[The balance of this page has been intentionally left blank.]
 
-62-

IN WITNESS WHEREOF, the parties hereto have caused this Agreement to be duly executed and delivered as of the date first above written.
 
[Authority Seal]
NEW JERSEY ECONOMIC DEVELOPMENT
 
AUTHORITY

Attest:
/s/ Richard LoCascio
 
By:
/s/ David A. Lawyer
 
 
Richard LoCascio
   
David A. Lawyer
 
 
Assistant Secretary
   
Managing Director, Underwriting
 
           
      DRP URBAN RENEWAL 4, LLC  

Witness:
/s/ Cadie DiGiambattista
 
By:
/s/ Hank Alexander

 
Cadie DiGiambattista
   
Hank Alexander
 
 
Government Relations
   
Chief Executive Officer
 

[Signature page to Lease Agreement]


SCHEDULE A
Series 2025 Facilities Land (Legal Descriptions)
 
Schedule A-1 – Legal Description of the Cryo Site
 
 
Schedule A-2 – Legal Description of the Shared Land
 
Schedule A-1

SCHEDULE A-1

 

24 March 2025
Revised 23 May 2025
130088805

WRITTEN DESCRIPTION 
CRYOGENIC TANK URE 4 GROUND LEASE AREA
WITHIN BLOCK 8, LOTS 2 & 4
IN THE TOWNSHIP OF GREENWICH 
GLOUCESTER COUNTY, NEW JERSEY



Commencing at a point where the division line between Block 8, Lot 2 and Block 8, Lot 4 intersects the northeasterly line of Block 8, Lot 1 as shown on a plan entitled “Overall Survey of Property, Delaware River Partners, LLC, formerly DuPont-Repauno Site, Greenwich Township, Gloucester County, New Jersey”, prepared by Adams, Rehmann & Heggan Associates, Inc., dated September 11, 2020, last revised May 17, 2022, and from said point of Commencement running; thence;

 
A.
Along said division line between Block 8, Lot 2 and Block 8, Lot 4, as shown on said plan, North 49°26’00” East, a distance of 1026.71 feet to the Point of Beginning, and running; thence


1.
Along a line through Block 8, Lot 2, North 46°23'17" West, a distance of 733.65 feet to a point; thence

2.
Continuing along the same, North 09°21'59" West, a distance of 83.99 feet to a point; thence

3.
Continuing along the same and along a line through Block 8, Lot 4, North 42°39'13" East, a distance of 696.79 feet to a point; thence

4.
Along a line through Block 8, Lot 4, North 54°03'26" East, a distance of 221.72 feet to a point; thence

5.
Continuing along the same, South 26°14'28" East, a distance of 196.44 feet to a point; thence

6.
Continuing along the same, South 63°45'32" West, a distance of 62.19 feet to a point; thence

7.
Continuing along the same, South 26°14'28" East, a distance of 141.13 feet to a point; thence

8.
Continuing along the same, North 63°45'32" East, a distance of 62.19 feet to a point; thence

9.
Continuing along the same, South 26°14'28" East, a distance of 669.27 feet to a point; thence

10.
Continuing along the same, South 59°14'38" West, a distance of 642.28 feet to the Point of Beginning.

Encompassing an area of 714,321 square feet or 16.398 acres, more or less.




Repauno Port & Rail Terminal
Greenwich Township, Gloucester County, New Jersey 
Cryogenic Tank URE 4 Ground Lease Area
Langan Project No. 130088803
 
25 March 2025
Revised 23 May 2025
Page 2 of 2

The above described area is shown on an exhibit entitled “Cryogenic Tank URE 4 Ground Lease Exhibit, Repauno Port & Rail Terminal, Greenwich Township, Gloucester County, New Jersey” prepared by Langan Engineering and Environmental Services, LLC, Princeton, New Jersey, Project No. 130088803, dated March 25, 2025, Drawing No. FIG101.


 
 
 
Joseph E. Romano 
Professional Land Surveyor
New Jersey License No. 24GS03627300


NJ Certificate of Authorization No. 24GA27996400
\\langan.com\data\LAW\data8\130088805\Project Data\_Discipline\Survey\Office Data\Descriptions\130088805 - Cryogenic Tank URE 4 Ground Lease Area Description.docx



SCHEDULE A-2

 
 
24 March 2025
130088805

WRITTEN DESCRIPTION
22 FOOT WIDE ACCESS RIGHTS AREA
WITHIN BLOCK 8, LOTS 3, 4 & 4.02
IN THE TOWNSHIP OF GREENWICH
GLOUCESTER COUNTY, NEW JERSEY



Commencing at a point where the division line between Block 8, Lot 2 and Block 8, Lot 4 intersects the northeasterly line of Block 8, Lot 1 as shown on a plan entitled “Overall Survey of Property, Delaware River Partners, LLC, formerly DuPont-Repauno Site, Greenwich Township, Gloucester County, New Jersey”, prepared by Adams, Rehmann & Heggan Associates, Inc., dated September 11, 2020, last revised May 17, 2022, and from said point of Commencement running; thence;


A.
Along said division line between Block 8, Lot 2 and Block 8, Lot 4, as shown on said plan, North 49°26’00” East, a distance of 1026.71 feet to the Point of Beginning, and running; thence

B.
Along a line through Block 8, Lot 2, said line being the westerly line of a proposed cryogenic tank lease area, North 46°23'17" West, a distance of 733.65 feet to a point; thence

C.
Continuing along the same, North 09°21'59" West, a distance of 83.99 feet to a point; thence

D.
Continuing along the same and along a line through Block 8, Lot 4, North 42°39'13" East, said line being the northerly line of said proposed cryogenic lease area, a distance of 696.79 feet to a point; thence

E.
Along a line through Block 8, Lot 4, along said northerly line, North 54°03'26" East, a distance of 221.72 feet to a point; thence

F.
Continuing along the same, said line being the easterly line of said cryogenic tank lease area, South 26°14’28" East, a distance of 80.26 feet to the Point of Beginning, and running; thence

1.
Along a line through Block 8, Lot 4, through Block 8, Lot 3, and continuing through Block 8, Lot 4, North 63°33'30" East, a distance of 367.04 feet to a point; thence

2.
Along a line through Block 8, Lot 4, North 69°20'41" East, a distance of 21.26 feet to a point; thence

3.
Continuing along the same, South 85°48'08" East, a distance of 128.80 feet to a point; thence

4.
Continuing along the same, North 10°13'24" West, a distance of 60.99 feet to a point; thence

5.
Continuing along the same, North 79°46'36" East, a distance of 202.38 feet to a point; thence

6.
Continuing along the same, North 10°13'24" West, a distance of 30.83 feet to a point; thence




Repauno Port & Rail Terminal
Greenwich Township, Gloucester County, New Jersey 
New Piping Corridor Access Rights Area
Langan Project No. 130088803
 
25 March 2025
Page 2 of 3


7.
Continuing along the same, North 79°46'36" East, a distance of 447.26 feet to a point; thence

8.
Continuing along the same, North 10°13'24" West, a distance of 92.88 feet to a point; thence

9.
Continuing along the same, North 87°49'55" East, a distance of 944.43 feet to a point; thence

10.
Continuing along the same, North 83°47'00" East, a distance of 571.05 feet to a point; thence

11.
Continuing along the same, North 01°13'10" West, a distance of 19.85 feet to a point; thence

12.
Continuing along the same, South 89°44'26" East, a distance of 646.97 feet to a point; thence

13.
Continuing along the same and along a line through Block 8, Lot 4.02, North 00°49'47" East, a distance of 295.62 feet to a point; thence

14.
Along a line through Block 8, Lot 4.02, North 89°10'13" West, a distance of 61.94 feet to a point; thence

15.
Continuing along the same, North 00°49’47” East, a distance of 45.00 feet to a point; thence

16.
Continuing along the same, South 89°10’13” East, a distance of 127.00 feet to a point; thence

17.
Continuing along the same, South 00°49’47” West, a distance of 45.00 feet to a point; thence

18.
Continuing along the same, North 89°10’13” West, a distance of 43.06 feet to a point; thence

19.
Continuing along the same and along a line through Block 8, Lot 4, South 00°49'47" West, a distance of 317.40 feet to a point; thence

20.
Along a line through Block 8, Lot 4, North 89°44'26" West, a distance of 646.18 feet to a point; thence

21.
Continuing along the same, South 01°13'10" East, a distance of 17.43 feet to a point; thence

22.
Continuing along the same, South 83°47'00" West, a distance of 591.99 feet to a point; thence

23.
Continuing along the same, South 87°49'55" West, a distance of 919.88 feet to a point; thence

24.
Continuing along the same, South 10°13'24" East, a distance of 89.54 feet to a point; thence

25.
Continuing along the same, South 79°46'36" West, a distance of 447.26 feet to a point; thence

26.
Continuing along the same, South 10°13'24" East, a distance of 30.83 feet to a point; thence

27.
Continuing along the same, South 79°46'36" West, a distance of 202.38 feet to a point; thence

28.
Continuing along the same, South 10°13'24" East, a distance of 67.36 feet to a point; thence



Repauno Port & Rail Terminal
Greenwich Township, Gloucester County, New Jersey 
New Piping Corridor Access Rights Area
Langan Project No. 130088803
 
25 March 2025
Page 3 of 3


29.
Continuing along the same, North 85°48'08" West, a distance of 152.32 feet to a point; thence

30.
Continuing along the same, South 69°20'41" West, a distance of 15.30 feet to a point; thence

31.
South 63°33'30" West, a distance of 366.00 feet to a point on the aforementioned easterly line of said cryogenic tank lease area; thence

32.
Along said easterly line, North 26°08'40" West, a distance of 22.00 feet to the Point of Beginning.

Encompassing an area of 90,341 square feet or 2.074 acres, more or less.

The above described area is shown as ‘Access Rights to Proposed New Piping Corridor (22 ft wide)’ on a plan entitled “Ground Lease Exhibit, Repauno Port & Rail Terminal, Cryogenic Tank, Bullet Tanks, Greenwich Township, Gloucester County, New Jersey” prepared by Langan Engineering and Environmental Services, LLC, Princeton, New Jersey, Project No. 130088803, dated March 25, 2025, Drawing No. FIG101.


 
 
 
Joseph E. Romano 
Professional Land Surveyor
New Jersey License No. 24GS03627300


NJ Certificate of Authorization No. 24GA27996400
\\langan.com\data\LAW\data8\130088805\Project Data\_Discipline\Survey\Office Data\Descriptions\130088805 - New Piping Corridor Access Rights Area Description.docx




SCHEDULE B
Series 2025 Facilities Land (Survey Maps)
 
Schedule B-1 – Survey Map of the Cryo Site
 
 
Schedule B-2 – Survey Map of the Shared Land
 

Schedule B-1










SCHEDULE C
Land Rights
 
The Land Rights summarized in this Schedule C are subject to the full terms and conditions of the Ground Lease and shall not be exercised except in compliance therewith.
 
(a)          Shared Land License.  A non-exclusive license (the “Shared Land License”) to use the Shared Land for the purposes of construction, operation, maintenance, inspection, repair, and commercial operation of the Series 2025 Facilities on the Series 2025 Facilities Land, for the storage, handling, transfer, loading, unloading, and/or transloading of products, and any activities necessary or desirable in connection with the foregoing (collectively, the “Permitted Uses”), subject to the terms of the Ground Lease. The Shared Land License applies to the land comprised in the Shared Land, excluding any and all structures, buildings, foundations, related facilities and other improvements and fixtures now or at any time made, erected or situated thereon or therein.
 
(b)          Access Easement.  A non-exclusive access easement with rights of ingress and egress onto, over, across, and from the surface of the approximately 1,630-acre property (the “Repauno Property”) owned in fee by Landlord (as defined in the Ground Lease), which property, excluding the portion thereof comprising the Cryo Site, is more particularly described in Schedule B-3 to the Ground Lease (the “Access Easement Area”), for the purpose of access between the Cryo Site and the public highway, subject to the terms of the Ground Lease (the “Access Easement”). The Access Easement runs with and for the benefit of the Company’s leasehold estate in the Cryo Site pursuant to the Ground Lease. Under the Ground Lease, Landlord may from time to time designate specific access route(s) to be used by Tenant (as defined therein) within the Access Easement Area, which may include designating different routes for different purposes (including, by way of example, separate or restricted routes for heavy construction traffic), in which case Tenant shall exercise the Access Easement rights using only the route(s) designated by Landlord for such purpose. The Access Easement is subject to, and Landlord shall not be deemed to breach the Ground Lease by virtue of, any temporary closure, obstruction, impediment, or inconvenience to Tenant’s access arising from Force Majeure (as defined in the Ground Lease) or from (i) damage to, or maintenance, repair or replacement of, roadways within the Repauno Property, (ii) actions taken for the purpose of compliance with applicable laws, ordinances, requirements, rules, or regulations; permits, licenses, approvals, orders, or directives; or requests or requirements by governmental authorities or regulatory agencies, or with applicable Repauno Terminal policies, practices or procedures, or (iii) actions or omissions of Tenant or any Tenant User (as defined in the Ground Lease).
 
(c)          Staging and Laydown Areas. The right to use suitable locations designated and made available by Landlord within the Repauno Property from time to time as temporary staging or laydown areas, or for similar temporary uses, to the extent reasonably necessary for Tenant to perform its obligations with respect to the conduct of the Project in accordance with the Ground Lease.
 
Schedule C-1

(d)          Limited Use of Subsurface. Certain rights to non-exclusive use of the subsurface of the Cryo Site and Shared Land, solely in the manner contemplated by, and to the extent required for, the Permitted Uses (including, by way of example, for the installation of subsurface concrete piles for the foundation of the cryogenic tank comprised in the Series 2025 Facilities, in accordance with the Project Plans (as defined in the Ground Lease).
 
(e)          Tenant Use of Landlord Facilities.  A non-exclusive license to use the Landlord Facilities solely in the manner contemplated by, and to the extent required for, the Permitted Uses (including, by way of example, utilization of the pipe rack located upon the Shared Land for connecting piping comprised in the Series 2025 Facilities; and utilization of an area of the concrete wharf located upon the Shared Land for the installation of loading arms and dock piping comprised in the Series 2025 Facilities; in each case, as contemplated by the Project Plans). “Landlord Facilities” is defined in the Ground Lease as all existing and future Repauno Terminal improvements, fixtures, facilities, equipment, and other assets, whether real or personal property, that are located on or in the Repauno Property from time to time and owned by Landlord or its Affiliates, other than the Series 2025 Facilities.
 
References in this Agreement to the sublicense of the Land Rights granted hereunder by the Company to the Authority shall be deemed to include the grant of a sub-easement created under and out of the Access Easement granted to the Company under the Ground Lease. The sub-easement shall run with and for the benefit of the Authority’s sub-leasehold estate in the Cryo Site under this Agreement.

References in this Agreement to the sub-sublicense of the Land Rights granted hereunder by the Authority to the Company shall be deemed to include the grant of a sub-sub-easement created under and out of the sub-easement granted by the Company to the Authority as aforesaid. The sub-sub-easement shall run with and for the benefit of the Company’s sub-sub-leasehold estate in the Cryo Site under this Agreement.
 
Schedule A-2

EXHIBIT A
 
ELECTION PURSUANT TO SECTION 142(b)(1)(B) OF THE INTERNAL REVENUE CODE OF 1986, AS AMENDED
 
1.          DRP Urban Renewal 4, LLC (the “Company”), pursuant to the Lease Agreement dated May 28, 2025, as the same may have been or may hereafter be amended and supplemented (the “Lease Agreement”), with the New Jersey Economic Development Authority (the “Authority”), has a sub-leasehold interest in the Series 2025 Facilities, as defined below.
 
2.          The Company has determined to finance a project (the “Project”) consisting of: (i) financing a portion of the costs of expansion, renovation, construction and/or equipping of certain dock and dock-related facilities at the Repauno Port & Rail Terminal (the “Terminal”), a port and rail terminal located on a brownfield site within an approximately 1,630-acre property owned by Delaware River Partners LLC (“DRP”) in Gibbstown, New Jersey, located in the Township of Greenwich, County of Gloucester, New Jersey, of which property approximately 18.7 acres is to be so improved, including the expansion, renovation, construction and/or equipping of (a) two new loading arms and related facilities at the Terminal dock; (b) a functionally related new above-ground cryogenic tank for storing bulk liquid products at very low temperatures, together with associated product chilling facilities; (c) new piping and related facilities connecting the cryogenic tank facilities to the new liquids dock facilities, and connecting the new system with other terminal facilities; and (d) facilities ancillary to the foregoing (collectively, the “Series 2025 Facilities”); (ii) paying certain costs incurred in connection with the issuance of the Series 2025 Bonds; (iii) funding a deposit into the Series 2025 Debt Service Reserve Account securing the payment of principal and interest on the Series 2025 Bonds; (iv) funding a deposit into the Tax-Exempt Funded Interest Account (established under, and as defined in, the Collateral Agency Agreement) to pay interest during the construction of the Series 2025 Facilities; and (v) funding a deposit into the Ramp-Up and Project Operating Reserve Account (established under, and as defined in, the Collateral Agency Agreement) to pay Costs of the Project or O&M Expenditures (as defined in the Collateral Agency Agreement) in connection with the anticipated ramp-up of operations of the Series 2025 Facilities and with facilities functionally-related and subordinate to such Series 2025 Facilities.
 
4.          The principal office of the Authority is at 36 West State Street, Trenton, New Jersey 08625 and its taxpayer identification number is 22-2045817.
 
5.          The Company’s principal office is at 200 N. Repauno Avenue, Gibbstown, New Jersey, 08027 and its taxpayer identification number is 47-3365436.
 
6.          The Company hereby irrevocably elects not to claim for purposes of federal, state or local taxation of income any depreciation deductions or investment tax credits for which it may be eligible with respect to the Series 2025 Facilities.  The Company further agrees that this irrevocable election shall be made binding upon its successors in interest, if any, under the sublease of the Series 2025 Facilities pursuant to the Lease Agreement, and, as a condition of any permitted sale or assignment of the Company’s sub-leasehold interest in the Series 2025 Facilities under the Lease Agreement, any successor in interest shall furnish an irrevocable election in the form of the immediately preceding sentence to the Authority.
 
A-1

Dated:

 
DRP URBAN RENEWAL 4, LLC
   
   
 
By:

 
 
Name:
 
Title:

A-2

EXHIBIT B
 
FORM OF TAX COMPLETION CERTIFICATE
 
The undersigned, [Name], [Title] of DRP Urban Renewal 4, LLC (the “Company”), on behalf of the Company and pursuant to Section 7.24(b) of the Lease Agreement dated May 28, 2025 (the “Agreement”), by and between the New Jersey Economic Development Authority (the “Authority”) and the Company, relating to the Authority’s $300,000,000 Dock and Wharf Facility Revenue Bonds (Repauno Port & Rail Terminal Project), Series 2025 (the “Bonds”) DOES HEREBY CERTIFY to the Authority as follows:
 
1.          This certificate constitutes the Company’s Tax Completion Certificate, as provided pursuant to Section 7.24(b) of the Agreement.  Capitalized terms used and not otherwise defined herein shall have the respective meanings ascribed thereto in the Agreement or the Company’s Representation Letter dated the date of issuance of the Bonds and delivered as part of the record of proceedings for the Bonds.  The Company has consulted with its accountants and Bond Counsel to the extent necessary to complete this Certificate and the accompanying Schedule.
 
2.          The Project was substantially completed on __________ for purposes of determining the final date on which remedial action can be taken with respect to Bond proceeds that have not been spent.  With the final requisition, all of the Bond proceeds on deposit in the Construction Account have been expended on the Project[, other than the amount of $___________ which we have directed to be applied to the redemption or defeasance of a portion of the Bonds].

3.          Attached hereto is a Completion Schedule summarizing the allocation of Net Proceeds of the Bonds and Unexpended Proceeds to the Project Costs.  This Schedule demonstrates that:

(a)          Investment Proceeds were earned from the investment of the Sale Proceeds of the Bond during the construction of the Project in the amount of $___________ and were included in Net Proceeds.
 
(b)          The Costs of Issuance financed by the Bond Proceeds of the Bond did not exceed 2 percent of the Sale Proceeds of the Bond.
 
(c)          At least 95 percent of the Net Proceeds of the Bond were spent on Qualified Costs of the Project.  For purposes of this provision, “Qualified Costs” means costs that are Capital Expenditures, within the meaning of Treasury Reg. §1.148-6(d)(3)(ii), with respect to the Project.  Unless the cost was a Preliminary Expenditure, no amount of Net Proceeds used to reimburse a cost paid before the date of issue of the Bond will be treated as a Qualified Cost if (i) the cost was paid more than (A) 60 days before the adoption by the Authority of a declaration of intent to reimburse Project Costs, or (B) 3 years before the date of issue of the Bonds; or (ii) the cost relates to a Project that was placed in service more than 18-months before the date of issuance of the Bonds.
 
B-1

(d)          Interest was paid with the Net Proceeds of the Bonds for a period not longer than the construction period for the Project.

4.          There has been no change in the scope or nature of the Project from that which was described in the notice of hearing published in connection with the Authority’s public approval hearing.

5.          There has been no change in the components of the Project that would result in a reduction of the average economic life for the Project from what was described in the Representation Letter.
 
6.          There is no change in the expected use of the Project or in the exempt purpose of the Company from what was expected at the date of issuance of the Bonds, as described in the Representation Letter.
 
[7.          The Bonds met the [6-month/18-month/2-year] spending exception to rebate.  Therefore no deposit is required to the Series 2025 Rebate Fund.]
 
[8.          The Bonds did not meet an exception to Rebate.  The Series 2025 Rebate Fund is fully funded and no deposit to the Series 2025 Rebate Fund is required.]

WITNESS my hand this __ day of _______, ______.
 
 
DRP URBAN RENEWAL 4, LLC
 
By:


 
Name:
 
Title:

B-2

COMPLETION SCHEDULE
 
New Jersey Economic Development Authority
$300,000,000 Dock and Wharf Facility Revenue Bonds
(Repauno Port & Rail Terminal Project), Series 2025

[Date]      
Sale Proceeds of the Bonds
 
$

 
Plus Investment Earnings
   
 
Total Proceeds
 
$

 
Net Proceeds
 
$

 

Allocation of Net Proceeds
Cost
Qualified Cost
Non-Qualified Costs
     
Architect & Engineering
   
Construction Costs
   
Furniture or Equipment
   
Other (specify)
   
Interest During Construction
   
Post-Construction Interest
   
Costs of Issuance
   
Total
   

Total Qualified Costs, $______, are equal to ___% of Net Proceeds.
 
B-3

EXHIBIT C
 
FORM OF ANNUAL COMPLIANCE CERTIFICATE
 
AS TO TAX COVENANTS
 
The undersigned, [Name], [Title] of DRP Urban Renewal 4, LLC (the “Company”), on behalf of the Company and pursuant to Section 7.04(j) of the Lease Agreement, dated May 28, 2025 (the “Agreement”), by and between the New Jersey Economic Development Authority (the “Authority”) and the Company, relating to the Authority’s $300,000,000 Dock and Wharf Facility Revenue Bonds (Repauno Port & Rail Terminal Project), Series 2025 (the “Bonds”) DOES HEREBY CERTIFY to the Authority as follows:
 
1.          I have reviewed the Agreement executed by the Company and am familiar with the Tax Covenants contained in Section 7.04 of such Agreement and the Company’s Representation Letter.
 
2.          I am familiar with the use and operation of Project financed with the proceeds of the Bonds and I have undertaken such examination and investigation as is necessary for purposes of making this certification.
 
3.          To the best of my knowledge, I confirm that the Company is in compliance with all the Tax Covenants contained in Section 7.04 the Agreement.
 
WITNESS my hand this __ day of _______, ______.
 
 
DRP URBAN RENEWAL 4, LLC
 
By:


 
Name:
 
Title:

 
C-1